Сообщения о возможном установлении публичных сервитутов
Сообщение о возможном установлении публичного сервитута
Всоответствии с п. 3 ст. 39.42 Земельного кодекса Российской Федерации администрация города Благовещенска информирует о рассмотрении ходатайства АО «ДРСК» об установлении публичного сервитута для размещения объекта электросетевого хозяйства ЛЭП-10/0,4 кВ в отношении:
- 28:01:030005:70, расположенного в ЗПУ-3;
- 28:01:000000:2223, расположенного в г. Благовещенске;
- 28:01:000000:2117, расположенного в г. Благовещенске;
- 28:01:000000:10185, расположенного в г. Благовещенске;
- 28:01:000000:432, расположенного в г. Благовещенске;
- 28:01:000000:136 (единое землепользование) (обособленный участок 28:01:030003:239), расположенного в ЗПУ-2;
- 28:01:030004:187, расположенного в г. Благовещенске;
- 28:01:000000:300, расположенного в г. Благовещенске;
- 28:01:030004:191, расположенного в г. Благовещенске;
- 28:01:000000:10122, расположенного в г. Благовещенске;
- 28:01:000000:10123, расположенного в г. Благовещенске;
- 28:01:000000:10108, расположенного в г. Благовещенске;
- 28:01:030006:59, расположенного в ЗПУ-4;
- 28:01:030006:70, расположенного в ЗПУ-4;
- 28:01:030006:179, расположенного в г. Благовещенске;
- 28:01:030006:37, расположенного в ЗПУ-4;
- 28:01:000000:10460, расположенного в г. Благовещенске;
- 28:01:000000:434, расположенного в г. Благовещенске;
2) земель, расположенных в кадастровых кварталах: 28:01:030003, 28:01:030004, 28:01:030005, 28:01:030006.
Графическое описание местоположения границ публичного сервитута:

Заинтересованные лица в течении пятнадцати дней со дня опубликования настоящего сообщения могут ознакомиться с поступившим ходатайством об установлении публичного сервитута и прилагаемым к нему описанием местоположения границ публичного сервитута по адресу: г. Благовещенск, ул. Ленина, 133, в рабочие дни с 09-00 до 18-00 (обеденный перерыв с 13-00 до 14-00), тел. 7(4162) 233-876 (официальный сайт администрации города Благовещенска – www.admblag.ru).
Правообладатели земельных участков, если их права не зарегистрированы в Едином государственном реестре недвижимости, в течение пятнадцати дней со дня опубликования настоящего сообщения могут подать заявление об учете их прав (обременений прав) на земельный участок с приложением копий документов, подтверждающих эти права (обременения прав), с указанием почтового адреса и (или) адреса электронной почты.
Сообщение о возможном установлении публичного сервитута
В соответствии с п. 3 ст. 39.42 Земельного кодекса Российской Федерации администрация города Благовещенска информирует о рассмотрении ходатайства ООО «АКС» об установлении публичного сервитута для размещения сети холодного водоснабжения в отношении:
1) земельных участков, расположенных в квартале 013002, с кадастровыми номерами:
- 28:10:013002:4585;
- 28:10:013002:4584;
- 28:10:013002:5013;
- 28:10:013002:5015;
- 28:10:013002:5073;
- 28:10:013002:4587;
2) земель, расположенных в кадастровом квартале: - 28:10:013002.
Графическое описание местоположения границ публичного сервитута:

Правообладатели земельных участков, если их права не зарегистрированы в Едином государственном реестре недвижимости, в течение пятнадцати дней со дня опубликования настоящего сообщения могут подать заявление об учете их прав (обременений прав) на земельный участок с приложением копий документов, подтверждающих эти права (обременения прав), с указанием почтового адреса и (или) адреса электронной почты
Сообщение о возможном установлении публичного сервитута
В соответствии с п. 3 ст. 39.42 Земельного кодекса Российской Федерации администрация города Благовещенска информирует о рассмотрении ходатайства АО «ДРСК» об установлении публичного сервитута для размещения объекта электросетевого хозяйства (линии электропередачи КЛ-10 кВ) в отношении:
1) земельных участков с кадастровыми номерами:
- 28:01:000000:14173, расположенного в г. Благовещенске;
- 28:01:000000:10478, расположенного в г. Благовещенске;
- 28:01:000000:13910, расположенного в г. Благовещенске;
- 28:01:000000:2215, расположенного в г. Благовещенске;
- 28:01:000000:13978, расположенного в г. Благовещенске;
2) земель, расположенных в кадастровых кварталах 28:01:010232, 28:01:010247.
Графическое описание местоположения границ публичного сервитута:

Заинтересованные лица в течение пятнадцати дней со дня опубликования настоящего сообщения могут ознакомиться с поступившим ходатайством об установлении публичного сервитута и прилагаемым к нему описанием местоположения границ публичного сервитута по адресу: г. Благовещенск, ул. Ленина, 133, в рабочие дни с 09-00 до 18-00 (обеденный перерыв с 13-00 до 14-00), тел. 7(4162) 233-870 (официальный сайт администрации города Благовещенска – www.admblag.ru).
Правообладатели земельных участков, если их права не зарегистрированы в Едином государственном реестре недвижимости, в течение пятнадцати дней со дня опубликования настоящего сообщения могут подать заявление об учете их прав (обременений прав) на земельный участок с приложением копий документов, подтверждающих эти права (обременения прав), с указанием почтового адреса и (или) адреса электронной почты.
Сообщение о возможном установлении публичного сервитута
В соответствии с п. 3 ст. 39.42 Земельного кодекса Российской Федерации администрация города Благовещенска информирует о рассмотрении ходатайства ООО «АКС» об установлении публичного сервитута для размещения сети водоотведения в отношении земельного участка с кадастровым номером 28:10:013002:4584, расположенного в квартале 013002.Графическое описание местоположения границ публичного сервитута:
Заинтересованные лица в течении пятнадцати дней со дня опубликования настоящего сообщения могут ознакомиться с поступившим ходатайством об установлении публичного сервитута и прилагаемым к нему описанием местоположения границ публичного сервитута по адресу: г. Благовещенск, ул. Ленина, 133, в рабочие дни с 09-00 до 18-00 (обеденный перерыв с 13-00 до 14-00), тел. 7(4162) 233-876 (официальный сайт администрации города Благовещенска – www.admblag.ru). Правообладатели земельных участков, если их права не зарегистрированы в Едином государственном реестре недвижимости, в течение пятнадцати дней со дня опубликования настоящего сообщения могут подать заявление об учете их прав (обременений прав) на земельный участок с приложением копий документов, подтверждающих эти права (обременения прав), с указанием почтового адреса и (или) адреса электронной почты.
Сообщение о возможном установлении публичного сервитута
В соответствии с п. 3 ст. 39.42 Земельного кодекса Российской Федерации администрация города Благовещенска информирует о рассмотрении ходатайства ООО «АКС» об установлении публичного сервитута для размещения сети водоотведения в отношении:1. земельных участков с кадастровыми номерами:
- 28:01:010121:387, расположенного в по ул. Артиллерийская, 87, в квартале 121;
- 28:01:000000:14172, расположенного в г. Благовещенске;
2. земель, расположенных в кадастровых кварталах 28:01:010113, 28:01:010114, 28:01:010121.
Графическое описание местоположения границ публичного сервитута:

Заинтересованные лица в течение пятнадцати дней со дня опубликования настоящего сообщения могут ознакомиться с поступившим ходатайством об установлении публичного сервитута и прилагаемым к нему описанием местоположения границ публичного сервитута по адресу: г. Благовещенск, ул. Ленина, 133, в рабочие дни с 09-00 до 18-00 (обеденный перерыв с 13-00 до 14-00), тел. 7(4162) 233-870 (официальный сайт администрации города Благовещенска – www.admblag.ru).
Правообладатели земельных участков, если их права не зарегистрированы в Едином государственном реестре недвижимости, в течение пятнадцати дней со дня опубликования настоящего сообщения могут подать заявление об учете их прав (обременений прав) на земельный участок с приложением копий документов, подтверждающих эти права (обременения прав), с указанием почтового адреса и (или) адреса электронной почты.
Сообщение о возможном установлении публичного сервитута
В соответствии с п. 3 ст. 39.42 Земельного кодекса Российской Федерации администрация города Благовещенска информирует о рассмотрении ходатайства ООО «АКС» об установлении публичного сервитута для размещения сети холодного водоснабжения в отношении:
1) земельного участка с кадастровым номером 28:01:010121:387, расположенного в квартале 121;
2) земель, расположенных в кадастровом квартале 28:01:010121.
Графическое описание местоположения границ публичного сервитута:

Заинтересованные лица в течении пятнадцати дней со дня опубликования настоящего сообщения могут ознакомиться с поступившим ходатайством об установлении публичного сервитута и прилагаемым к нему описанием местоположения границ публичного сервитута по адресу: г. Благовещенск, ул. Ленина, 133, в рабочие дни с 09-00 до 18-00 (обеденный перерыв с 13-00 до 14-00), тел. 7(4162) 233-876 (официальный сайт администрации города Благовещенска – www.admblag.ru).
Правообладатели земельных участков, если их права не зарегистрированы в Едином государственном реестре недвижимости, в течение пятнадцати дней со дня опубликования настоящего сообщения могут подать заявление об учете их прав (обременений прав) на земельный участок с приложением копий документов, подтверждающих эти права (обременения прав), с указанием почтового адреса и (или) адреса электронной почты.
Сообщение о возможном установлении публичного сервитута
В соответствии с п. 3 ст. 39.42 Земельного кодекса Российской Федерации администрация города Благовещенска информирует о рассмотрении ходатайства МУ «ГУКС» об установлении публичного сервитута для размещения (реконструкции) сетей водоотведения, их неотъемлемых технологических частей по объекту: «Реконструкция сетей водоотведения для подключения территории «Лазурный берег» в отношении:
1) земельных участков с кадастровыми номерами:
- 28:01:000000:251 (обособленные участки 28:01:010244:42, 28:01:010243:49, 28:01:010241:42, 28:01:010240:118, 28:01:130239:87, 28:01:130239:88), расположенного в г. Благовещенске;
- 28:01:000000:154 (обособленный участок 28:01:120001:18), расположенного в г. Благовещенске;
- 28:01:000000:14172, расположенного в г. Благовещенске;
- 28:01:000000:14173, расположенного в г. Благовещенске;
- 28:01:000000:2947, расположенного в кварталах 263, 265, 266, 342, 346;
- 28:01:000000:14177, расположенного в г. Благовещенске;
- 28:01:000000:2215, расположенного в кварталах 245, 246, 255;
- 28:01:000000:10478, расположенного в г. Благовещенске;
- 28:01:010256:271, расположенного в г. Благовещенске
- 28:01:010247:50, расположенного в г. Благовещенске
- 28:01:010247:51, расположенного в г. Благовещенске
2) земель, расположенных в кадастровых кварталах 28:01:010244, 28:01:010243, 28:01:010242, 28:01:010241, 28:01:010240, 28:01:130239, 28:01:010245, 28:01:010246, 28:01:010247, 28:01:010248, 28:01:010249, 28:01:010250, 28:01:010251, 28:01:010252, 28:01:010256, 28:01:010257, 28:01:210262, 28:01:210263, 28:01:210265, 28:01:210266, 28:01:120001.
Графическое описание местоположения границ публичного сервитута:
.png)
Заинтересованные
лица в течение пятнадцати дней со дня опубликования настоящего сообщения могут
ознакомиться с поступившим ходатайством об установлении публичного сервитута и
прилагаемым к нему описанием местоположения границ публичного сервитута по адресу:
г. Благовещенск, ул. Ленина, 133, в рабочие дни с 09-00 до 18-00 (обеденный
перерыв с 13-00 до 14-00), тел. 7(4162) 233-876 (официальный сайт администрации
города Благовещенска – www.admblag.ru).
Правообладатели земельных участков, если их права не зарегистрированы в Едином государственном реестре недвижимости, в течение пятнадцати дней со дня опубликования настоящего сообщения могут подать заявление об учете их прав (обременений прав) на земельный участок с приложением копий документов, подтверждающих эти права (обременения прав), с указанием почтового адреса и (или) адреса электронной почты.
Сообщение о возможном установлении публичного сервитута.
В соответствии с п. 3 ст. 39.42 Земельного кодекса Российской Федерации администрация города Благовещенска информирует о рассмотрении ходатайства АО «СЗ «Амурстрой» об установлении публичного сервитута для размещения (реконструкции) кабельной линии 10 кВ в отношении:1) земельных участков с кадастровыми номерами:
- 28:01:210352:14, расположенного по ул. Чайковского, 211, в квартале 352;
- 28:01:210352:637, расположенного в квартале 352;
- 28:01:210352:632, расположенного в квартале 352;
- 28:01:210352:633, расположенного в квартале 352;
- 28:01:210352:634, расположенного в квартале 352;
2) земель, расположенных в кадастровом квартале 28:01:210352.
Графическое описание местоположения границ публичного сервитута:
Заинтересованные лица в течении пятнадцати дней со дня опубликования настоящего сообщения могут ознакомиться с поступившим ходатайством об установлении публичного сервитута и прилагаемым к нему описанием местоположения границ публичного сервитута по адресу: г. Благовещенск, ул. Ленина, 133, в рабочие дни с 09-00 до 18-00 (обеденный перерыв с 13-00 до 14-00), тел. 7(4162) 233-876 (официальный сайт администрации города Благовещенска – www.admblag.ru).Правообладатели земельных участков, если их права не зарегистрированы в Едином государственном реестре недвижимости, в течение пятнадцати дней со дня опубликования настоящего сообщения могут подать заявление об учете их прав (обременений прав) на земельный участок с приложением копий документов, подтверждающих эти права (обременения прав), с указанием почтового адреса и (или) адреса электронной почты.
Сообщение о возможном установлении публичного сервитута.
В соответствии с п. 3 ст. 39.42 Земельного кодекса Российской Федерации администрация города Благовещенска информирует о рассмотрении ходатайства МУ «ГУКС» об установлении публичного сервитута для размещения сети теплоснабжения по объекту: «Газовая котельная в 607 квартале г. Благовещенск, Амурская область» в отношении:
1) земельных участков с кадастровыми номерами:
- 28:01:030607:606, расположенного по ул. Красноармейская, 296/4, в квартале 607;
- 28:01:030607:152, расположенного в квартале 607;
- 28:01:030607:33, расположенного по ул. Железнодорожная, 6, в квартале 607;
- 28:01:000000:2901, расположенного в г. Благовещенске
2) земель, расположенных в кадастровых кварталах:
- 28:01:030607;
- 28:01:010424.
Графическое описание местоположения границ публичного сервитута:

Заинтересованные лица в течении пятнадцати дней со дня опубликования настоящего сообщения могут ознакомиться с поступившим ходатайством об установлении публичного сервитута и прилагаемым к нему описанием местоположения границ публичного сервитута по адресу: г. Благовещенск, ул. Ленина, 133, в рабочие дни с 09-00 до 18-00 (обеденный перерыв с 13-00 до 14-00), тел. 7(4162) 233-874 (официальный сайт администрации города Благовещенска – www.admblag.ru).
Правообладатели земельных участков, если их права не зарегистрированы в Едином государственном реестре недвижимости, в течение пятнадцати дней со дня опубликования настоящего сообщения могут подать заявление об учете их прав (обременений прав) на земельный участок с приложением копий документов, подтверждающих эти права (обременения прав), с указанием почтового адреса и (или) адреса электронной почты.
Сообщение о возможном установлении публичного сервитута
В соответствии с п. 3 ст. 39.42 Земельного кодекса Российской Федерации администрация города Благовещенска информирует о рассмотрении ходатайства ООО «АКС» об установлении публичного сервитута для размещения сети водоотведения в отношении:1) земельного участка с кадастровым номером 28:01:010226:177, расположенного в квартале 226;
2) земель, расположенных в кадастровых кварталах: 28:01:010209, 28:01:010217, 28:01:010218, 28:01:010226
Графическое описание местоположения границ публичного сервитута:

Заинтересованные лица в течении пятнадцати дней со дня опубликования настоящего сообщения могут ознакомиться с поступившим ходатайством об установлении публичного сервитута и прилагаемым к нему описанием местоположения границ публичного сервитута по адресу: г. Благовещенск, ул. Ленина, 133, в рабочие дни с 09-00 до 18-00 (обеденный перерыв с 13-00 до 14-00), тел. 7(4162) 233-873 (официальный сайт администрации города Благовещенска – www.admblag.ru).
Правообладатели земельных участков, если их права не зарегистрированы в Едином государственном реестре недвижимости, в течение пятнадцати дней со дня опубликования настоящего сообщения могут подать заявление об учете их прав (обременений прав) на земельный участок с приложением копий документов, подтверждающих эти права (обременения прав), с указанием почтового адреса и (или) адреса электронной почты
Сообщение о возможном установлении публичного сервитута
В соответствии с п. 3 ст. 39.42 Земельного кодекса Российской Федерации администрация города Благовещенска информирует о рассмотрении ходатайства ООО «АКС» об установлении публичного сервитута для размещения сети холодного водоснабжения в отношении:
1) земельного участка с кадастровым номером 28:01:010226:177, расположенного в квартале 226;
2) земельного участка с кадастровым номером 28:01:000000:14177, расположенного в г. Благовещенске;
3) земель, расположенных в кадастровых кварталах 28:01:010216, 28:01:010226.
Графическое описание местоположения границ публичного сервитута:

Правообладатели земельных участков, если их права не зарегистрированы в Едином государственном реестре недвижимости, в течение пятнадцати дней со дня опубликования настоящего сообщения могут подать заявление об учете их прав (обременений прав) на земельный участок с приложением копий документов, подтверждающих эти права (обременения прав), с указанием почтового адреса и (или) адреса электронной почты.
Сообщение о возможном установлении публичного сервитута
В соответствии с п. 3 ст. 39.42 Земельного кодекса Российской Федерации администрация города Благовещенска информирует о рассмотрении ходатайства ООО «АКС» об установлении публичного сервитута для размещения сети холодного водоснабжения в отношении:
1. 1) земельных участков с кадастровыми номерами:
- 28:01:020409:3392, расположенного в квартале 409;
- 28:01:000000:55 (единое землепользование) (обособленный участок 28:01:020409:378), расположенного в г. Благовещенске;
- 28:10:013002:465, расположенного в г. Благовещенске;
2. земель, расположенных в кадастровом квартале 28:01:020409.
Графическое описание местоположения границ публичного сервитута:

Заинтересованные лица в течение пятнадцати дней со дня опубликования настоящего сообщения могут ознакомиться с поступившим ходатайством об установлении публичного сервитута и прилагаемым к нему описанием местоположения границ публичного сервитута по адресу: г. Благовещенск, ул. Ленина, 133, в рабочие дни с 09-00 до 18-00 (обеденный перерыв с 13-00 до 14-00), тел. 7(4162) 233-870 (официальный сайт администрации города Благовещенска – www.admblag.ru).
Правообладатели земельных участков, если их права не зарегистрированы в Едином государственном реестре недвижимости, в течение пятнадцати дней со дня опубликования настоящего сообщения могут подать заявление об учете их прав (обременений прав) на земельный участок с приложением копий документов, подтверждающих эти права (обременения прав), с указанием почтового адреса и (или) адреса электронной почты.
Сообщение о возможном установлении публичного сервитута
В соответствии с п. 3 ст. 39.42 Земельного кодекса Российской Федерации администрация города Благовещенска информирует о рассмотрении ходатайства ООО «АКС» об установлении публичного сервитута для размещения сети водоотведения в отношении:1) земельных участков с кадастровыми номерами:
- 28:10:013002:465, расположенного в г. Благовещенске;
- 28:01:000000:55 (единое землепользование), расположенного в г. Благовещенске;
- 28:10:013002:3070, расположенного в г. Благовещенске;
2) земель, расположенных в кадастровых кварталах 28:10:013002, 28:01:020409
Графическое описание местоположения границ публичного сервитута:

Заинтересованные лица в течении пятнадцати дней со дня опубликования настоящего сообщения могут ознакомиться с поступившим ходатайством об установлении публичного сервитута и прилагаемым к нему описанием местоположения границ публичного сервитута по адресу: г. Благовещенск, ул. Ленина, 133, в рабочие дни с 09-00 до 18-00 (обеденный перерыв с 13-00 до 14-00), тел. 7(4162) 233-876 (официальный сайт администрации города Благовещенска – www.admblag.ru).
Правообладатели земельных участков, если их права не зарегистрированы в Едином государственном реестре недвижимости, в течение пятнадцати дней со дня опубликования настоящего сообщения могут подать заявление об учете их прав (обременений прав) на земельный участок с приложением копий документов, подтверждающих эти права (обременения прав), с указанием почтового адреса и (или) адреса электронной почты.
Сообщение о возможном установлении публичного сервитута
В соответствии с п. 3 ст. 39.42 Земельного кодекса Российской Федерации администрация города Благовещенска информирует о рассмотрении ходатайства АО «ДРСК» об установлении публичного сервитута для размещения (реконструкции) ВЛ-10 ПС Астрахановская ф-25 в отношении:
1) земельных участков с кадастровыми номерами:
- 28:01:090028:7, расположенного в с. Садовое, в квартале С-28;
- 28:01:000000:10942, расположенного в г. Благовещенске;
- 28:01:000000:2921, расположенного в г. Благовещенске;
2) земель, расположенных в кадастровом квартале 28:01:090028.
Графическое описание местоположения границ публичного сервитута:

Правообладатели земельных участков, если их права не зарегистрированы в Едином государственном реестре недвижимости, в течение пятнадцати дней со дня опубликования настоящего сообщения могут подать заявление об учете их прав (обременений прав) на земельный участок с приложением копий документов, подтверждающих эти права (обременения прав), с указанием почтового адреса и (или) адреса электронной почты.
Сообщение о возможном установлении публичного сервитута
В соответствии с п. 3 ст. 39.42 Земельного кодекса Российской Федерации администрация города Благовещенска информирует о рассмотрении ходатайства ООО «АКС» об установлении публичного сервитута для размещения сети холодного водоснабжения в отношении: 1) земельных участков с кадастровыми номерами: - 28:01:010449:176, расположенного в квартале 449; - 28:01:010449:179, расположенного в квартале 449; - 28:01:000000:10453, расположенного в кварталах 424, 449; - 28:01:010424:2144, расположенного в квартале 424; - 28:01:000000:13812, расположенного в г. Благовещенске; 2) земель, расположенных в кадастровых кварталах: 28:01:030604, 28:01:010449, 28:01:010424.
Графическое описание местоположения границ публичного сервитута:
Заинтересованные лица в течении пятнадцати дней со дня опубликования настоящего сообщения могут ознакомиться с поступившим ходатайством об установлении публичного сервитута и прилагаемым к нему описанием местоположения границ публичного сервитута по адресу: г. Благовещенск, ул. Ленина, 133, в рабочие дни с 09-00 до 18-00 (обеденный перерыв с 13-00 до 14-00), тел. 7(4162) 233-870 (официальный сайт администрации города Благовещенска – www.admblag.ru). Правообладатели земельных участков, если их права не зарегистрированы в Едином государственном реестре недвижимости, в течение пятнадцати дней со дня опубликования настоящего сообщения могут подать заявление об учете их прав (обременений прав) на земельный участок с приложением копий документов, подтверждающих эти права (обременения прав), с указанием почтового адреса и (или) адреса электронной почты.
Сообщение о возможном установлении публичного сервитута
В соответствии с п. 3 ст. 39.42 Земельного кодекса Российской Федерации
администрация города Благовещенска информирует о рассмотрении ходатайства
МУ «ГУКС» об установлении публичного сервитута для размещения
инженерных коммуникаций (электросетевого хозяйства, водопроводных сетей,
сетей водоотведения, линий и сооружений связи) по объекту: «Реконструкция
ул. Краснофлотская от ул. Островского до ул. Театральная в г. Благовещенск,
Амурская область» в отношении:
1) земельных участков с кадастровыми номерами:
- 28:01:000000:12056, расположенного в г. Благовещенске;
- 28:01:000000:10462, расположенного в г. Благовещенске;
- 28:01:130073:1, расположенного по ул. Ленина, 104, в квартале 73;
- 28:01:130052:2, расположенного по ул. Ленина, 100, в квартале 52;
- 28:01:130056:2, расположенного по ул. Кузнечная, 1, в квартале 56;
- 28:01:130056:27, расположенного по ул. Краснофлотская, 105, в квартале 56;
- 28:01:130056:160, расположенного по ул. Театральная, 2, в квартале 56;
- 28:01:000000:2141, расположенного в г. Благовещенске;
- 28:01:130060:6, расположенного по ул. Театральная, 1, в квартале 60;
- 28:01:000000:3070, расположенного в г. Благовещенске;
- 28:01:000000:154 (единое землепользование) (обособленный с участок
28:01:120001:18), расположенного в г. Благовещенске;
- 28:01:000000:12062, расположенного в г. Благовещенске;
2) земель, расположенных в кадастровых кварталах 28:01:130043,
28:01:130073, 28:01:130056, 28:01:130060, 28:01:130003.
Графическое описание местоположения границ публичного сервитута:
Заинтересованные лица в течение пятнадцати дней со дня опубликования настоящего сообщения могут ознакомиться с поступившим ходатайством об установлении публичного сервитута и прилагаемым к нему описанием местоположения границ публичного сервитута по адресу: г. Благовещенск, ул. Ленина, 133, в рабочие дни с 09-00 до 18-00 (обеденный перерыв с 13-00 до 14-00), тел. 7(4162) 233-870 (официальный сайт администрации города
Благовещенска – www.admblag.ru).
Правообладатели земельных участков, если их права не зарегистрированы в Едином государственном реестре недвижимости, в течение пятнадцати дней со дня опубликования настоящего сообщения могут подать заявление об учете их прав (обременений прав) на земельный участок с приложением копий документов, подтверждающих эти права (обременения прав), с указанием почтового адреса и (или) адреса электронной почты.
Сообщение о возможном установлении публичного сервитута
В соответствии с п. 3 ст. 39.42 Земельного кодекса Российской Федерации
администрация города Благовещенска информирует о рассмотрении ходатайства
ООО «АКС» об установлении публичного сервитута для размещения сети
водоотведения в отношении:
1) земельного участка с кадастровым номером 28:01:010449:176,
расположенного в квартале 449;
2) земельного участка с кадастровым номером 28:01:010449:177,
расположенного в квартале 449;
3) земельного участка с кадастровым номером 28:01:010449:179,
расположенного в квартале 449;
4) земельного участка с кадастровым номером 28:01:000000:10453,
расположенного в кварталах 449, 424;
5) земельного участка с кадастровым номером 28:01:000000:13812,
расположенного в г. Благовещенске;
6) земельного участка с кадастровым номером 28:01:010424:2144,
расположенного в квартале 424;
7) земель, расположенных в кадастровом квартале 28:01:010449.
Заинтересованные лица в течении пятнадцати дней со дня опубликования настоящего сообщения могут ознакомиться с поступившим ходатайством об установлении публичного сервитута и прилагаемым к нему описанием местоположения границ публичного сервитута по адресу: г. Благовещенск, ул. Ленина, 133, в рабочие дни с 09-00 до 18-00 (обеденный перерыв с 13-00 до 14-00), тел. 7(4162) 233-873
(официальный сайт администрации города Благовещенска – www.admblag.ru). Правообладатели земельных участков, если их права не зарегистрированы в Едином государственном реестре недвижимости, в течение пятнадцати дней со дня опубликования настоящего сообщения могут подать заявление об учете их прав (обременений прав) на земельный участок с приложением копий документов, подтверждающих эти права (обременения прав), с указанием почтового адреса и (или) адреса электронной почты.
Сообщение о возможном установлении публичного сервитута
В соответствии с п. 3 ст. 39.42 Земельного кодекса Российской Федерации Министерство имущественных отношений Амурской области информирует о рассмотрении ходатайства АО «ДРСК» об установлении публичного сервитута в целях эксплуатации объекта электросетевого хозяйства регионального значения «Линия электропередач ВЛ-35 кВ Западная - Водозабор» в отношении:




.jpg)





Время приема заинтересованных лиц для ознакомления с поступившим ходатайством об установлении публичного сервитута: с понедельника по пятницу, с 10-00 час. до 17-00 час., тел. 8 (4162) 23-16-18, 8 (4162) 23-16-19.
Правообладатели земельных участков, если их права не зарегистрированы в Едином государственном реестре недвижимости, в течение пятнадцати дней со дня опубликования настоящего сообщения могут подать заявление в министерство имущественных отношений Амурской области об учете их прав (обременений прав) на земельный участок с приложением копий документов, подтверждающих эти права (обременения прав), с указанием почтового адреса и (или) адреса электронной почты.
Сообщение о возможном установлении публичного сервитута
В соответствии с п. 3 ст. 39.42 Земельного кодекса Российской Федерации администрация города Благовещенска информирует о рассмотрении ходатайства ООО «АКС» об установлении публичного сервитута для размещения сети водоотведения в отношении: 1) земельного участка с кадастровым номерам 28:01:010211:28, расположенного в квартале 211; 2) земель, расположенных в кадастровых кварталах 28:01:010211, 28:01:010313.
Графическое описание местоположения границ публичного сервитута:
Заинтересованные лица в течении пятнадцати дней со дня опубликования настоящего сообщения могут ознакомиться с поступившим ходатайством об установлении публичного сервитута и прилагаемым к нему описанием местоположения границ публичного сервитута по адресу: г. Благовещенск, ул. Ленина, 133, в рабочие дни с 09-00 до 18-00 (обеденный перерыв с 13-00 до 14-00), тел. 7(4162) 233-876 (официальный сайт администрации города Благовещенска – www.admblag.ru). Правообладатели земельных участков, если их права не зарегистрированы в Едином государственном реестре недвижимости, в течение пятнадцати дней со дня опубликования настоящего сообщения могут подать заявление об учете их прав (обременений прав) на земельный участок с приложением копий документов, подтверждающих эти права (обременения прав), с указанием почтового адреса и (или) адреса электронной почты.
Сообщение о возможном установлении публичного сервитута
Сообщение о возможном установлении публичного сервитута В соответствии с п. 3 ст. 39.42 Земельного кодекса Российской Федерации администрация города Благовещенска информирует о рассмотрении ходатайства ООО «АКС» об установлении публичного сервитута для размещения сети холодного водоснабжения в отношении: 1) земельного участка с кадастровым номерам 28:01:000000:12456, расположенного в г. Благовещенске; 2) земель, расположенных в кадастровых кварталах: - 28:01:010211; - 28:01:010313. Графическое описание местоположения границ публичного сервитута:
Заинтересованные лица в течении пятнадцати дней со дня опубликования настоящего сообщения могут ознакомиться с поступившим ходатайством об установлении публичного сервитута и прилагаемым к нему описанием местоположения границ публичного сервитута по адресу: г. Благовещенск, ул. Ленина, 133, в рабочие дни с 09-00 до 18-00 (обеденный перерыв с 13-00 до 14-00), тел. 7(4162) 233-874 (официальный сайт администрации города Благовещенска – www.admblag.ru). Правообладатели земельных участков, если их права не зарегистрированы в Едином государственном реестре недвижимости, в течение пятнадцати дней со дня опубликования настоящего сообщения могут подать заявление об учете их прав (обременений прав) на земельный участок с приложением копий документов, подтверждающих эти права (обременения прав), с указанием почтового адреса и (или) адреса электронной почты.
Сообщение о возможном установлении публичного сервитута
В соответствии с п. 3 ст. 39.42 Земельного кодекса Российской Федерации администрация города Благовещенска информирует о рассмотрении ходатайства АО «ДГК» об установлении публичного сервитута для размещения тепловой сети в отношении:
1) земельного участка с кадастровым номером 28:01:000000:2901, расположенного в г. Благовещенске;
2) земель, расположенных в кадастровом квартале: 28:01:010097
Сообщение о возможном установлении публичного сервитута
В соответствии с п. 3 ст. 39.42 Земельного кодекса Российской Федерации администрация города Благовещенска информирует о рассмотрении ходатайства АО «ДГК» об установлении публичного сервитута для размещения тепловой сети в отношении земельных участков с кадастровыми номерами: - 28:10:013002:4064, расположенного в г. Благовещенске; - 28:10:013002:5917, расположенного в г. Благовещенске; - 28:10:013002:5916, расположенного в г. Благовещенске.
Графическое описание местоположения границ публичного сервитута:
.png)
Заинтересованные лица в течение пятнадцати дней со дня опубликования настоящего сообщения могут ознакомиться с поступившим ходатайством об установлении публичного сервитута и прилагаемым к нему описанием местоположения границ публичного сервитута по адресу: г. Благовещенск, ул. Ленина, 133, в рабочие дни с 09-00 до 18-00 (обеденный перерыв с 13-00 до 14-00), тел. 7(4162) 233-870 (официальный сайт администрации города Благовещенска – www.admblag.ru).
Правообладатели земельных участков, если их права не зарегистрированы в Едином государственном реестре недвижимости, в течение пятнадцати дней со дня опубликования настоящего сообщения могут подать заявление об учете их прав (обременений прав) на земельный участок с приложением копий документов, подтверждающих эти права (обременения прав), с указанием почтового адреса и (или) адреса электронной почты.
Сообщение о возможном установлении публичного сервитута
В соответствии с п. 3 ст. 39.42 Земельного кодекса Российской Федерации Министерство имущественных отношений Амурской области информирует о рассмотрении ходатайства АО «ДРСК» об установлении публичного сервитута в целях эксплуатации объекта электросетевого хозяйства регионального значения «Линия электропередач ВЛ-35 кВ Западная - Водозабор» в отношении:
|
Кадастровый
номер |
Адрес
или иное описание местоположения земельного участка (участков), в отношении
которого испрашивается публичный сервитут |
|
28:01:110246:15 |
Амурская область, г.
Благовещенск, земельный участок расположен в юго-восточной части кадастрового
квартала, граница которого проходит по границе с. Верхнеблаговещенское |
|
28:01:110246:818 |
Амурская область, г.
Благовещенск, с. Верхнеблаговещенское |
|
28:01:110243:21 |
Амурская область, г.
Благовещенск, с. Верхнеблаговещенское, с/т «Россинка» |
|
28:01:110244:8 |
Амурская область, г.
Благовещенск, с/т «Политехник» район с.
Верхнеблаговещенское |
|
28:01:110244:5 |
Амурская область, г.
Благовещенск, с/т «Политехник» район с.
Верхнеблаговещенское |
|
28:01:110162:4 |
Амурская область, г
Благовещенск, снт Звездочка, район 16 линии |
|
28:01:110183:9 |
Амурская область, г
Благовещенск, с/т "Домоуправление №1", 16 линия |
|
28:01:110173:23 |
Амурская область, г.
Благовещенск, с/т "Ручей" |
|
28:01:110244:142 |
Амурская область, г.
Благовещенск |
|
28:01:110204:93 |
Амурская область, г.
Благовещенск, земельный участок расположен в центральной части кадастрового
квартала, граница которого проходит по с/т «Мукомол» – Мелькомбината, район
Карантийной пади |
|
28:01:000000:131 (единое
землепользование) (обособленные участки: 28:01:110204:191, 28:01:110281:1, 28:01:110173:32, 28:01:110173:31, 28:01:110174:30, 28:01:110174:29, 28:01:110175:33, 28:01:110162:45, 28:01:110165:106, 28:01:110164:99, 28:01:030009:72, 28:01:030009:67, 28:01:030007:205, 28:01:030007:207, 28:01:030007:204, 28:01:030007:203, 28:01:010430:134, 28:01:010430:135, 28:01:010428:38, 28:01:010427:60, 28:01:010427:59, 28:01:010427:54, 28:01:010427:58, 28:01:110184:55,28:01:110204:200) |
Амурская область, г.
Благовещенск |
|
28:01:110184:12 |
Амурская область, г.
Благовещенск, с/т «Амурэнерго» РУ Амурэнерго, в районе Верхнеблаговещенска |
|
28:01:110184:51 |
Амурская область, г.
Благовещенск, с/т «Амурэнерго» РУ Амурэнерго, в районе Верхнеблаговещенска |
|
28:01:110174:13 |
Амурская область, г.
Благовещенск, с/т «Здоровье» детской больницы |
|
28:01:110174:12 |
Амурская область, г.
Благовещенск, с/т «Здоровье» детской больницы |
|
28:01:110164:114 |
Амурская область, г.
Благовещенск |
|
28:01:030008:33 |
Амурская область, г.
Благовещенск, кв-л 666 А |
|
28:01:030007:331 |
Амурская область, г.
Благовещенск, ЗПУ |
|
28:01:000000:14172 |
Амурская область, городской
округ город Благовещенск, город Благовещенск |
|
28:01:010430:462 |
Амурская область, г.
Благовещенск, пер. Угловой |
|
28:01:110165:68 |
Амурская область, г.
Благовещенск |
|
в границах кадастровых
кварталов: |
|
|
28:01:110218 |
Амурская область, г.
Благовещенск |
|
28:01:110243 |
Амурская область, г.
Благовещенск |
|
28:01:110244 |
Амурская область, г.
Благовещенск |
|
28:01:030007 |
Амурская область, г.
Благовещенск |
|
28:01:110280 |
Амурская область, г.
Благовещенск |
|
28:01:110204 |
Амурская область, г.
Благовещенск |
|
28:01:110184 |
Амурская область, г.
Благовещенск |
|
28:01:110189 |
Амурская область, г.
Благовещенск |
|
28:01:110281 |
Амурская область, г. Благовещенск |
|
28:01:110173 |
Амурская область, г.
Благовещенск |
|
28:01:110174 |
Амурская область, г.
Благовещенск |
|
28:01:110175 |
Амурская область, г.
Благовещенск |
|
28:01:110165 |
Амурская область, г.
Благовещенск |
|
28:01:110164 |
Амурская область, г.
Благовещенск |
|
28:01:030009 |
Амурская область, г.
Благовещенск |
|
28:01:010430 |
Амурская область, г.
Благовещенск |
|
28:01:010428 |
Амурская область, г.
Благовещенск |
|
28:01:010427 |
Амурская область, г.
Благовещенск |
|
28:01:110260 |
Амурская область, г.
Благовещенск |
|
28:01:110246 |
Амурская область, г.
Благовещенск |
Графическое описание местоположения границ публичного сервитута:
.png)
.png)
.png)
.png)
.png)
.png)
.png)
.png)
.png)
.png)
Заинтересованные лица в течение пятнадцати дней со дня опубликования настоящего сообщения могут ознакомиться с поступившим ходатайством об установлении публичного сервитута и прилагаемым к нему описанием местоположения границ публичного сервитута, подать заявление об учете прав на земельные участки по адресу: министерство имущественных отношений Амурской области, 675023, г. Благовещенск, ул. Ленина 135, 6 этаж, кабинет № 602, тел. 8 (4162) 23-16-18, 8 (4162) 23-16-19.
Время приема заинтересованных лиц для ознакомления с поступившим ходатайством об установлении публичного сервитута: с понедельника по пятницу, с 10-00 час. до 17-00 час., тел. 8 (4162) 23-16-18, 8 (4162) 23-16-19.
Правообладатели земельных участков, если их права не зарегистрированы в Едином государственном реестре недвижимости, в течение пятнадцати дней со дня опубликования настоящего сообщения могут подать заявление в министерство имущественных отношений Амурской области об учете их прав (обременений прав) на земельный участок с приложением копий документов, подтверждающих эти права (обременения прав), с указанием почтового адреса и (или) адреса электронной почты.
Сообщение о возможном установлении публичного сервитута
В соответствии с п. 3 ст. 39.42 Земельного кодекса Российской Федерации администрация города Благовещенска информирует о рассмотрении ходатайства ООО «АКС» об установлении публичного сервитута для размещения сети холодного водоснабжения в отношении:
1) земельного участка с кадастровым номером 28:01:010186:483, расположенного в квартале 186;
2) земель, расположенных в кадастровом квартале 28:01:010186.
Графическое описание местоположения границ публичного сервитута:
.png)
Заинтересованные лица в течении пятнадцати дней со дня опубликования настоящего сообщения могут ознакомиться с поступившим ходатайством об установлении публичного сервитута и прилагаемым к нему описанием местоположения границ публичного сервитута по адресу: г. Благовещенск, ул. Ленина, 133, в рабочие дни с 09-00 до 18-00 (обеденный перерыв с 13-00 до 14-00), тел. 7(4162) 233-873 (официальный сайт администрации города Благовещенска – www.admblag.ru).
Правообладатели земельных участков, если их права не зарегистрированы в Едином государственном реестре недвижимости, в течение пятнадцати дней со дня опубликования настоящего сообщения могут подать заявление об учете их прав (обременений прав) на земельный участок с приложением копий документов, подтверждающих эти права (обременения прав), с указанием почтового адреса и (или) адреса электронной почты.
Сообщение о возможном установлении публичного сервитута
В соответствии с п. 3 ст. 39.42 Земельного кодекса Российской Федерации администрация города Благовещенска информирует о рассмотрении ходатайства ООО «АКС» об установлении публичного сервитута для размещения сети водоотведения в отношении:
1) земельного участка с кадастровым номерам 28:01:010186:483, расположенного в квартале 186;
2) земель, расположенных в кадастровых кварталах:
- 28:01:010186;
- 28:01:010178.
Графическое описание местоположения границ публичного сервитута:
.png)
Заинтересованные лица в течении пятнадцати дней со дня опубликования настоящего сообщения могут ознакомиться с поступившим ходатайством об установлении публичного сервитута и прилагаемым к нему описанием местоположения границ публичного сервитута по адресу: г. Благовещенск, ул. Ленина, 133, в рабочие дни с 09-00 до 18-00 (обеденный перерыв с 13-00 до 14-00), тел. 7(4162) 233-874 (официальный сайт администрации города Благовещенска – www.admblag.ru).
Правообладатели земельных участков, если их права не зарегистрированы в Едином государственном реестре недвижимости, в течение пятнадцати дней со дня опубликования настоящего сообщения могут подать заявление об учете их прав (обременений прав) на земельный участок с приложением копий документов, подтверждающих эти права (обременения прав), с указанием почтового адреса и (или) адреса электронной почты.
Сообщение о возможном установлении публичного сервитута
В соответствии с п. 3 ст. 39.42 Земельного кодекса Российской Федерации администрация города Благовещенска информирует о рассмотрении ходатайства ООО «АКС» об установлении публичного сервитута для размещения сети холодного водоснабжения в отношении:
1. части земельного участка с кадастровым номером 28:01:010425:891, расположенного в квартале 425;
2. земель, расположенных в кадастровом квартале 28:01:010425.
Графическое описание местоположения границ публичного сервитута:
.png)
Заинтересованные лица в течение пятнадцати дней со дня опубликования настоящего сообщения могут ознакомиться с поступившим ходатайством об установлении публичного сервитута и прилагаемым к нему описанием местоположения границ публичного сервитута по адресу: г. Благовещенск, ул. Ленина, 133, в рабочие дни с 09-00 до 18-00 (обеденный перерыв с 13-00 до 14-00), тел. 7(4162) 233-870 (официальный сайт администрации города Благовещенска – www.admblag.ru).
Правообладатели земельных участков, если их права не зарегистрированы в Едином государственном реестре недвижимости, в течение пятнадцати дней со дня опубликования настоящего сообщения могут
подать заявление об учете их прав (обременений прав) на земельный участок с приложением копий документов, подтверждающих эти права (обременения прав), с указанием почтового адреса и (или) адреса электронной почты.
Сообщение о возможном установлении публичного сервитута
В соответствии с п. 3 ст. 39.42 Земельного кодекса Российской Федерации администрация города Благовещенска информирует о рассмотрении ходатайства ООО «АКС» об установлении публичного сервитута для размещения сети водоотведения в отношении: 1) земельного участка с кадастровым номерам 28:01:010425:891, расположенного в квартале 425; 2) земель, расположенных в кадастровом квартале 28:01:010425.
Графическое описание местоположения границ публичного сервитута:
.png)
Заинтересованные лица в течении пятнадцати дней со дня опубликования настоящего сообщения могут ознакомиться с поступившим ходатайством об установлении публичного сервитута и прилагаемым к нему описанием местоположения границ публичного сервитута по адресу: г. Благовещенск, ул. Ленина, 133, в рабочие дни с 09-00 до 18-00 (обеденный перерыв с 13-00 до 14-00), тел. 7(4162) 233-876 (официальный сайт администрации города Благовещенска – www.admblag.ru).
Правообладатели земельных участков, если их права не зарегистрированы в Едином государственном реестре недвижимости, в течение пятнадцати дней со дня опубликования настоящего сообщения могут подать заявление об учете их прав (обременений прав) на земельный участок с приложением копий документов, подтверждающих эти права (обременения прав), с указанием почтового адреса и (или) адреса электронной почты.
Сообщение о возможном установлении публичного сервитута
В соответствии с п. 3 ст. 39.42 Земельного кодекса Российской Федерации администрация города Благовещенска информирует о рассмотрении ходатайства МУ «ГУКС» об установлении публичного сервитута для размещения сети теплоснабжения по объекту: «Газовая котельная в 607 квартале г. Благовещенска, Амурская область» в отношении:
1) земельного участка с кадастровым номером 28:01:030607:606, расположенного по ул. Красноармейская, 296/4, в квартале 607;
2) земельного участка с кадастровым номером 28:01:030607:33, расположенного по ул. Железнодорожная, 6, в квартале 607;
3) земельного участка с кадастровым номером 28:01:000000:2901, расположенного в г. Благовещенске;
4) земель, расположенных в кадастровых кварталах 28:01:030607, 28:01:010424.
Графическое описание местоположения границ публичного сервитута:
.png)
Заинтересованные лица в течение пятнадцати дней со дня опубликования настоящего сообщения могут ознакомиться с поступившим ходатайством об установлении публичного сервитута и прилагаемым к нему описанием местоположения границ публичного сервитута по адресу: г. Благовещенск, ул. Ленина, 133, в рабочие дни с 09-00 до 18-00 (обеденный перерыв с 13-00 до 14-00), тел. +7(4162) 233-873 (официальный сайт администрации города Благовещенска – www.admblag.ru).
Правообладатели земельных участков, если их права не зарегистрированы в Едином государственном реестре недвижимости, в течение пятнадцати дней со дня опубликования настоящего сообщения могут подать заявление об учете их прав (обременений прав) на земельный участок с приложением копий документов, подтверждающих эти права (обременения прав), с указанием почтового адреса и (или) адреса электронной почты.
Сообщение о возможном установлении публичного сервитута
В соответствии с п. 3 ст. 39.42 Земельного кодекса Российской Федерации администрация города Благовещенска информирует о рассмотрении ходатайства АО «ДГК» об установлении публичного сервитута для размещения тепловой сети в отношении:
1) земельного участка с кадастровым номером 28:01:010207:435, расположенного по ул. Кузнечная, 84, в квартале 207;
2) земельного участка с кадастровым номером 28:01:010207:222, расположенного по ул. Кузнечная, 86, в квартале 207.
Графическое описание местоположения границ публичного сервитута:
.png)
Заинтересованные лица в течение пятнадцати дней со дня опубликования настоящего сообщения могут ознакомиться с поступившим ходатайством об установлении публичного сервитута и прилагаемым к нему описанием местоположения границ публичного сервитута по адресу: г. Благовещенск, ул. Ленина, 133, в рабочие дни с 09-00 до 18-00 (обеденный перерыв с 13-00 до 14-00), тел. +7(4162) 233-873 (официальный сайт администрации города Благовещенска – www.admblag.ru).
Правообладатели земельных участков, если их права не зарегистрированы в Едином государственном реестре недвижимости, в течение пятнадцати дней со дня опубликования настоящего сообщения могут подать заявление об учете их прав (обременений прав) на земельный участок с приложением копий документов, подтверждающих эти права (обременения прав), с указанием почтового адреса и (или) адреса электронной почты.
Сообщение о возможном установлении публичного сервитута
В соответствии с п. 3 ст. 39.42 Земельного кодекса Российской Федерации администрация города Благовещенска информирует о рассмотрении ходатайства МУ «ГУКС» об установлении публичного сервитута для размещения тепловой сети по объекту: «Тепловая сеть для обеспечения подключения дома – интернета и объектов капитального строительства территории комплексного развития 352 квартала г. Благовещенск» в отношении:
1) земельных участков с кадастровыми номерами:
- 28:01:000000:155 (обособленные участки 28:01:040717:30, 28:01:210352:140),
расположенного в кварталах 352, 717, 718;
- 28:01:210352:405, расположенного по ул. Чайковского, 227, в квартале 352;
- 28:01:210352:630, расположенного в квартале 352;
- 28:01:210352:631, расположенного в квартале 352;
- 28:01:210352:14, расположенного по ул. Чайковского, 211, в квартале 352;
- 28:01:210352:339, расположенного по ул. Чайковского, 237, в квартале 352;
- 28:01:040717:5, расположенного по ул. Чайковского, 305, в квартале 717;
- 28:01:040717:66, расположенного по ул. Чайковского, 307, в квартале 717;
- 28:01:040717:31, расположенного в квартале 717;
2) земель, расположенных в кадастровом квартале 28:01:210352.
Графическое описание местоположения границ публичного сервитута:
.png)
Заинтересованные лица в течение пятнадцати дней со дня опубликования настоящего сообщения могут ознакомиться с поступившим ходатайством об установлении публичного сервитута и прилагаемым к нему описанием местоположения границ публичного сервитута по адресу:
г. Благовещенск, ул. Ленина, 133, в рабочие дни с 09-00 до 18-00 (обеденный перерыв с 13-00 до 14-00), тел. 7(4162) 233-876 (официальный сайт администрации города Благовещенска – www.admblag.ru).
Правообладатели земельных участков, если их права не зарегистрированы в Едином государственном реестре недвижимости, в течение пятнадцати дней со дня опубликования настоящего сообщения могут
подать заявление об учете их прав (обременений прав) на земельный участок с приложением копий документов, подтверждающих эти права (обременения прав), с указанием почтового адреса и (или) адреса электронной почты.
Сообщение о возможном установлении публичного сервитута
В соответствии с п. 3 ст. 39.42 Земельного кодекса Российской Федерации администрация города Благовещенска информирует о рассмотрении ходатайства АО «ДРСК» об установлении публичного сервитута для размещения объектов электросетевого хозяйства - линия электропередачи 10/0,4 кВ, трансформаторная подстанция10/0,4кВ в отношении:
1) земельных участков с кадастровыми номерами:
- 28:01:000000:154 (обособленный участок 28:01:120001:21), расположенного в г. Благовещенске;
- 28:01:040717:31, расположенного в квартале 717;
- 28:01:000000:155 (обособленные участки 28:01:040717:30, 28:01:210352:140), расположенных в кварталах 352, 717, 718;
- 28:01:000000:128 (обособленный участок 28:01:040717:23,) расположенного в кварталах 352, 717;
- 28:01:000000:92, расположенного в г. Благовещенске;
- 28:01:000000:2305, расположенного в г. Благовещенске.
2) земель, расположенных в кадастровых кварталах: 28:01:020385, 28:01:020386, 28:01:020387, 28:01:120001, 28:01:210353, 28:01:210352.
Графическое описание местоположения границ публичного сервитута:
.png)
Заинтересованные лица в течение пятнадцати дней со дня опубликования настоящего сообщения могут ознакомиться с поступившим ходатайством об установлении публичного сервитута и прилагаемым к нему описанием местоположения границ публичного сервитута по адресу: г. Благовещенск, ул. Ленина, 133, в рабочие дни с 09-00 до 18-00 (обеденный перерыв с 13- 00 до 14-00), тел. 7(4162) 233-876 (официальный сайт администрации города Благовещенска – www.admblag.ru).
Правообладатели земельных участков, если их права не зарегистрированы в Едином государственном реестре недвижимости, в течение пятнадцати дней со дня опубликования настоящего сообщения могут подать заявление об учете их прав (обременений прав) на земельный участок с приложением копий документов, подтверждающих эти права (обременения прав), с указанием почтового адреса и (или) адреса электронной почты.
Сообщение о возможном установлении публичного сервитута
В соответствии с п. 3 ст. 39.42 Земельного кодекса Российской Федерации администрация города Благовещенска информирует о рассмотрении ходатайства АО «ДРСК» об установлении публичного сервитута для размещения объекта электросетевого хозяйства (линия электропередачи 10/0,4 кВ) в отношении земель, расположенных в кадастровом квартале 28:01:070003.
Графическое описание местоположения границ публичного сервитута:
.png)
Заинтересованные лица в течение пятнадцати дней со дня опубликования настоящего сообщения могут ознакомиться с поступившим ходатайством об установлении публичного сервитута и прилагаемым к нему описанием местоположения границ публичного сервитута по адресу: г. Благовещенск, ул. Ленина, 133, в рабочие дни с 09-00 до 18-00 (обеденный перерыв с 13-00 до 14-00), тел. 7(4162) 233-870 (официальный сайт администрации города Благовещенска – www.admblag.ru).
Правообладатели земельных участков, если их права не зарегистрированы в Едином государственном реестре недвижимости, в течение пятнадцати дней со дня опубликования настоящего сообщения могут подать заявление об учете их прав (обременений прав) на земельный участок с приложением копий документов, подтверждающих эти права (обременения прав), с указанием почтового адреса и (или) адреса электронной почты.
Сообщение о возможном установлении публичного сервитута
В соответствии с п. 3 ст. 39.42 Земельного кодекса Российской Федерации администрация города Благовещенска информирует о рассмотрении ходатайства АО «ДРСК» об установлении публичного сервитута для размещения объекта электросетевого хозяйства ЛЭП-10/0,4 кВ в отношении:
1) части земельного учаска с кадастровым номером 28:01:110130:98, расположенного районе коллективных садов;
2) земель, расположенных в кадастровом квартале 28:01:110132.
Графическое описание местоположения границ публичного сервитута:

Заинтересованные лица в течение пятнадцати дней со дня опубликования настоящего сообщения могут ознакомиться с поступившим ходатайством об установлении публичного сервитута и прилагаемым к нему описанием местоположения границ публичного сервитута по адресу: г. Благовещенск, ул. Ленина, 133, в рабочие дни с 09-00 до 18-00 (обеденный перерыв с 13-00 до 14-00), тел. 7(4162) 233-876 (официальный сайт администрации города Благовещенска – www.admblag.ru).
Правообладатели земельных участков, если их права не зарегистрированы в Едином государственном реестре недвижимости, в течение пятнадцати дней со дня опубликования настоящего сообщения могут подать заявление об учете их прав (обременений прав) на земельный участок с приложением копий документов, подтверждающих эти права (обременения прав), с указанием почтового адреса и (или) адреса электронной почты.
Сообщение о возможном установлении публичного сервитута
В соответствии с п. 3 ст. 39.42 Земельного кодекса Российской Федерации администрация города Благовещенска информирует о рассмотрении ходатайства МУ «ГУКС» об установлении публичного сервитута для размещения сети газоснабжения по объекту: «Газовая котельная в 607 квартале г. Благовещенск, Амурская область» в отношении:
1) земельных участков с кадастровыми номерами:
- 28:01:030607:785, расположенного в квартале 607;
- 28:01:030607:784, расположенного в квартале 607;
- 28:01:000000:14172, расположенного в г. Благовещенске;
- 28:01:110137:113, расположенного в ЗПУ-9;
- 28:01:000000:350, расположенного в г. Благовещенске;
- 28:01:110271:151, расположенного в районе коллективных садов;
2) земель, расположенных в кадастровых кварталах: 28:01:030007, 28:01:030607, 28:01:030011, 28:01:030009, 28:01:030008, 28:01:110137, 28:01:110104, 28:01:0102.
Графическое описание местоположения границ публичного сервитута:
.png)
Заинтересованные лица в течение пятнадцати дней со дня опубликования настоящего сообщения могут ознакомиться с поступившим ходатайством об установлении публичного сервитута и прилагаемым к нему описанием местоположения границ публичного сервитута по адресу: г. Благовещенск, ул. Ленина, 133, в рабочие дни с 09-00 до 18-00 (обеденный перерыв с 13-00 до 14-00), тел. 7(4162) 233-870 (официальный сайт администрации города Благовещенска – www.admblag.ru).
Правообладатели земельных участков, если их права не зарегистрированы в Едином государственном реестре недвижимости, в течение пятнадцати дней со дня опубликования настоящего сообщения могут подать заявление об учете их прав (обременений прав) на земельный участок с приложением копий документов, подтверждающих эти права (обременения прав), с указанием почтового адреса и (или) адреса электронной почты.
Сообщение о возможном установлении публичного сервитута
В соответствии с п. 3 ст. 39.42 Земельного кодекса Российской Федерации администрация города Благовещенска информирует о рассмотрении ходатайства АО «ДГК» об установлении публичного сервитута для размещения тепловойсети в отношении:
1) земельного участка с кадастровым номером 28:01:010236:1, расположенного по ул. Чайковского, 126, в квартале 236;
2) земель, расположенных в кадастровом квартале: 28:01:010236.
Графическое описание местоположения границ публичного сервитута:
.png)
Заинтересованные лица в течение пятнадцати дней со дня опубликования настоящего сообщения могут ознакомиться с поступившим ходатайством об установлении публичного сервитута и прилагаемым к нему описанием местоположения границ публичного сервитута по адресу: г. Благовещенск, ул. Ленина, 133, в рабочие дни с 09-00 до 18-00 (обеденный перерыв с 13-00 до 14- 00), тел. +7(4162) 233-873 (официальный сайт администрации города Благовещенска – www.admblag.ru).
Правообладатели земельных участков, если их права не зарегистрированы в Едином государственном реестре недвижимости, в течение пятнадцати дней со дня опубликования настоящего сообщения могут подать заявление об учете их прав (обременений прав) на земельный участок с приложением копий документов, подтверждающих эти права (обременения прав), с указанием почтового адреса и (или) адреса электронной почты
Сообщение о возможном установлении публичного сервитута
В соответствии со статьей 39.42 Земельного кодекса Российской Федерации Министерство Российской Федерации по развитию Дальнего Востока и Арктики (Минвостокразвития России) информирует о возможном установлении публичного сервитута.
Цели установления публичного сервитута:
«Строительство и эксплуатации объекта электросетевого хозяйства «Строительство ПС 110 кВ Молодежная».
Адрес или иное описание местоположения земельных участков, кадастровые номера земельных участков, в отношении которых испрашивается публичный сервитут:
|
1 |
28:01:020014:163 |
Амурская
область, г. Благовещенск, Квартал СПУ-4 |
Официальные сайты в информационно-телекоммуникационной сети «Интернет», на которых размещается сообщение о поступившем ходатайстве об установлении публичного сервитута:
1) сайт Минвостокразвития России (minvr.gov.ru);
2) сайт администрации города Благовещенск Амурской области (https://admblag.ru/).
Графическое описание местоположения границ публичного сервитута:
.png)
Заинтересованные лица могут ознакомиться с поступившим ходатайством
об установлении публичного сервитута и прилагаемым к нему описанием местоположения границ публичного сервитута, подать заявления об учете прав
на земельные участки, если их права не зарегистрированы в Едином государственном реестре недвижимости, в Минвостокразвития России, по адресам: г. Москва,
ул. Бурденко, 14 или г. Владивосток, Океанский проспект, 17.
Срок приема заявлений: 15 дней со дня опубликования настоящего сообщения
с 9:00 до 13:00 и с 13:45 до 18:00 часов (в пятницу до 16:45) (кроме выходных
и праздничных дней).
Заявление также можно подать в электронном виде посредством заполнения электронной формы обращения на сайте Минвостокразвития России.
Сообщение о возможном установлении публичного сервитута
В соответствии с п. 3 ст. 39.42 Земельного кодекса Российской Федерации администрация города Благовещенска информирует о рассмотрении ходатайства МУ «ГУКС» об установлении публичного сервитута для капитального ремонта участка (части) инженерного сооружения (железнодорожные пути) в рамках строительства объекта «Автомобильная дорога по ул. Конная от ул. Пушкина до ул. Набережная г. Благовещенск, Амурская область» в отношении:
1) земельных участков с кадастровыми номерами:
- 28:01:010252:41, расположенного по ул. Чехова, 3, в квартале 252;
- 28:01:010252:43, расположенного по ул. Чехова, 3, в квартале 252;
- 28:01:000000:154 (единое землепользование) (обособленный с участок 28:01:120001:18), расположенный в г. Благовещенске;
2) земель, расположенных в кадастровом квартале 28:01:010252.
Графическое описание местоположения границ публичного сервитута:
.png)
Заинтересованные лица в течение пятнадцати дней со дня опубликования настоящего сообщения могут ознакомиться с поступившим ходатайством об установлении публичного сервитута и прилагаемым к нему описанием местоположения границ публичного сервитута по адресу: г. Благовещенск, ул. Ленина, 133, в рабочие дни с 09-00 до 18-00 (обеденный перерыв с 13-00 до 14-00), тел. 7(4162) 233-870 (официальный сайт администрации города Благовещенска – www.admblag.ru).
Правообладатели земельных участков, если их права не зарегистрированы в Едином государственном реестре недвижимости, в течение пятнадцати дней со дня опубликования настоящего сообщения могутподать заявление об учете их прав (обременений прав) на земельный участок с приложением копий документов, подтверждающих эти права (обременения прав), с указанием почтового адреса и (или) адреса электронной почты.
Заинтересованные лица в течение пятнадцати дней со дня опубликования настоящего сообщения могут ознакомиться с поступившим ходатайством об установлении публичного сервитута и прилагаемым к нему описанием местоположения границ публичного сервитута по адресу: г. Благовещенск, ул. Ленина, 133, в рабочие дни с 09-00 до 18-00 (обеденный перерыв с 13-00 до 14-00), тел. 7(4162) 233-870 (официальный сайт администрации города Благовещенска – www.admblag.ru).
Правообладатели земельных участков, если их права не зарегистрированы в Едином государственном реестре недвижимости, в течение пятнадцати дней со дня опубликования настоящего сообщения могут подать заявление об учете их прав (обременений прав) на земельный участок с приложением копий документов, подтверждающих эти права (обременения прав), с указанием почтового адреса и (или) адреса электронной почты.
Сообщение о возможном установлении публичного сервитута
В соответствии с п. 3 ст. 39.42 Земельного кодекса Российской Федерации администрация города Благовещенска информирует о рассмотрении ходатайства АО «ДГК» об установлении публичного сервитута для размещения тепловой сети в отношении:
1) земельного участка с кадастровым номером 28:01:010322:315, расположенного в квартале 322;
2) земель, расположенных в кадастровых кварталах: 28:01:010322, 28:01:010316.
Графическое описание местоположения границ публичного сервитута:

Заинтересованные лица в течение пятнадцати дней со дня опубликования настоящего сообщения могут ознакомиться с поступившим ходатайством об установлении публичного сервитута и прилагаемым к нему описанием местоположения границ публичного сервитута по адресу: г. Благовещенск, ул. Ленина, 133, в рабочие дни с 09-00 до 18-00 (обеденный перерыв с 13-00 до 14- 00), тел. +7(4162) 233-873 (официальный сайт администрации города Благовещенска – www.admblag.ru). Правообладатели земельных участков, если их права не зарегистрированы в Едином государственном реестре недвижимости, в течение пятнадцати дней со дня опубликования настоящего сообщения могут подать заявление об учете их прав (обременений прав) на земельный участок с приложением копий документов, подтверждающих эти права (обременения прав), с указанием почтового адреса и (или) адреса электронной почты.
Сообщение о возможном установлении публичного сервитута
В соответствии с п. 3 ст. 39.42 Земельного кодекса Российской Федерации администрация города Благовещенска информирует о рассмотрении ходатайства ООО «АКС» об установлении публичного сервитута для размещения сети холодного водоснабжения в отношении земель, расположенных в кадастровом квартале 28:01:010133.
Графическое описание местоположения границ публичного сервитута:

Заинтересованные лица в течение пятнадцати дней со дня опубликования настоящего сообщения могут ознакомиться с поступившим ходатайством об установлении публичного сервитута и прилагаемым к нему описанием местоположения границ публичного сервитута по адресу: г. Благовещенск, ул. Ленина, 133, в рабочие дни с 09-00 до 18-00, по телефону: 7(4162)233-873 (обеденный перерыв с 13-00 до 14-00) (официальный сайт администрации города Благовещенска – www.admblag.ru).
Правообладатели земельных участков, если их права не зарегистрированы в Едином государственном реестре недвижимости, в течение пятнадцати дней со дня опубликования настоящего сообщения могут подать заявление об учете их прав (обременений прав) на земельный участок с приложением копий документов, подтверждающих эти права (обременения прав), с указанием почтового адреса и (или) адреса электронной почты.
Сообщение о возможном установлении публичного сервитута
В соответствии с п. 3 ст. 39.42 Земельного кодекса Российской Федерации администрация города Благовещенска информирует о рассмотрении ходатайства ООО «АКС» об установлении публичного сервитута для размещения сети водоотведения в отношении частей земельных участков с кадастровыми номерами:
- 28:01:020800:4030, расположенного по ул. 50 лет Октября, 265, в квартале 800;
- 28:01:020800:4034, расположенного в квартале 800;
- 28:01:020800:4036, расположенного в квартале 800.
Графическое описание местоположения границ публичного сервитута:
.png)
Заинтересованные лица в течении пятнадцати дней со дня опубликования настоящего сообщения могут ознакомиться с поступившим ходатайством об установлении публичного сервитута и прилагаемым к нему описанием местоположения границ публичного сервитута по адресу: г. Благовещенск, ул. Ленина, 133, в рабочие дни с 09-00 до 18-00 (обеденный перерыв с 13-00 до 14-00), тел. 7(4162) 233-876 (официальный сайт администрации города Благовещенска – www.admblag.ru).
Правообладатели земельных участков, если их права не зарегистрированы в Едином государственном реестре недвижимости, в течение пятнадцати дней со дня опубликования настоящего сообщения могут подать заявление об учете их прав (обременений прав) на земельный участок с приложением копий документов, подтверждающих эти права (обременения прав), с указанием почтового адреса и (или) адреса электронной почты.
Сообщение о возможном установлении публичного сервитута
В соответствии с п. 3 ст. 39.42 Земельного кодекса Российской Федерации администрация города Благовещенска информирует о рассмотрении ходатайства ООО «АКС» об установлении публичного сервитута для размещения сети водоотведения в отношении:
1. земельного участка с кадастровым номером 28:01:010322:315, расположенного в квартале 322;
2. земель, расположенных в кадастровом квартале 28:01:010322.
Графическое описание местоположения границ публичного сервитута:
.png)
Заинтересованные лица в течение пятнадцати дней со дня опубликования настоящего сообщения могут ознакомиться с поступившим ходатайством об установлении публичного сервитута и прилагаемым к нему описанием местоположения границ публичного сервитута по адресу: г. Благовещенск, ул. Ленина, 133, в рабочие дни с 09-00 до 18-00 (обеденный перерыв с 13-00 до 14-00), тел. 7(4162) 233-875 (официальный сайт администрации города Благовещенска – www.admblag.ru).
Правообладатели земельных участков, если их права не зарегистрированы в Едином государственном реестре недвижимости, в течение пятнадцати дней со дня опубликования настоящего сообщения могут подать заявление об учете их прав (обременений прав) на земельный участок с приложением копий документов, подтверждающих эти права (обременения прав), с указанием почтового адреса и (или) адреса электронной почты.
Сообщение о возможном установлении публичного сервитута
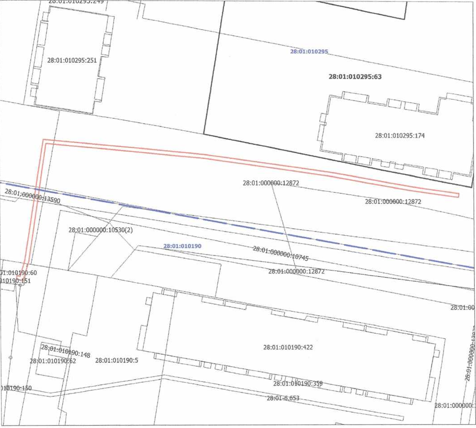
В соответствии с п. 3 ст. 39.42 Земельного кодекса Российской Федерации администрация города Благовещенска информирует о рассмотрении ходатайства ООО «АКС» об установлении публичного сервитута для размещения сети водоотведения в отношении земельных участков с кадастровыми номерами:
1. 28:01:010190:60, расположенного в квартале 190;
2. 28:01:010190:61, расположенного по ул. Свободная, 135, в квартале 190;
3. земель, расположенных в кадастровых кварталах 28:01:010295, 28:01:010190.
Графическое описание местоположения границ публичного сервитута:
.png)
Заинтересованные лица в течение пятнадцати дней со дня опубликования настоящего сообщения могут ознакомиться с поступившим ходатайством об установлении публичного сервитута и прилагаемым к нему описанием местоположения границ публичного сервитута по адресу: г. Благовещенск, ул. Ленина, 133, в рабочие дни с 09-00 до 18-00 (обеденный перерыв с 13-00 до 14-00), тел. +7(4162) 233-873 (официальный сайт администрации города Благовещенска – www.admblag.ru).
Правообладатели земельных участков, если их права не зарегистрированы в Едином государственном реестре недвижимости, в течение пятнадцати дней со дня опубликования настоящего сообщения могут подать заявление об учете их прав (обременений прав) на земельный участок с приложением копий документов, подтверждающих эти права (обременения прав), с указанием почтового адреса и (или) адреса электронной почты.
Сообщение о возможном установлении публичного сервитута
В соответствии с п. 3 ст. 39.42 Земельного кодекса Российской Федерации администрация города Благовещенска информирует о рассмотрении ходатайства ООО «АКС» об установлении публичного сервитута для размещения сети холодного водоснабжения в отношении: 1. частей земельных участков с кадастровыми номерами: - 28:01:000000:3449, расположенного в г. Благовещенске; - 28:01:000000:3454, расположенного в г. Благовещенске; 2. земель, расположенных в кадастровом квартале 28:01:010295
Графическое описание местоположения границ публичного сервитута:
.png)
Заинтересованные лица в течение пятнадцати дней со дня опубликования настоящего сообщения могут ознакомиться с поступившим ходатайством об установлении публичного сервитута и прилагаемым к нему описанием местоположения границ публичного сервитута по адресу: г. Благовещенск, ул. Ленина, 133, в рабочие дни с 09-00 до 18-00 (обеденный перерыв с 13-00 до 14- 00), тел. 7(4162) 233-870 (официальный сайт администрации города Благовещенска – www.admblag.ru). Правообладатели земельных участков, если их права не зарегистрированы в Едином государственном реестре недвижимости, в течение пятнадцати дней со дня опубликования настоящего сообщения могут подать заявление об учете их прав (обременений прав) на земельный участок с приложением копий документов, подтверждающих эти права (обременения прав), с указанием почтового адреса и (или) адреса электронной почты.
Сообщение о возможном установлении публичного сервитута
В соответствии с п. 3 ст. 39.42 Земельного кодекса Российской Федерации администрация города Благовещенска информирует о рассмотрении ходатайства ООО «АКС» об установлении публичного сервитута для размещения сети водоотведения в отношении:
1. земельного участка с кадастровым номером 28:01:010295:250, расположенного по ул. Конная, 150, в квартале 295;
2. земельного участка с кадастровым номером 28:01:010295:249, расположенного по ул. Высокая, 143, в квартале 295;
3. земель, расположенных в кадастровом квартале 28:01:010295.
Графическое описание местоположения границ публичного сервитута:
.png)
Заинтересованные лица в течение пятнадцати дней со дня опубликования настоящего сообщения могут ознакомиться с поступившим ходатайством об установлении публичного сервитута и прилагаемым к нему описанием местоположения границ публичного сервитута по адресу: г. Благовещенск, ул. Ленина, 133, в рабочие дни с 09-00 до 18-00 (обеденный перерыв с 13-00 до 14-00), тел. 7(4162) 233-875 (официальный сайт администрации города Благовещенска – www.admblag.ru). Правообладатели земельных участков, если их права не зарегистрированы в Едином государственном реестре недвижимости, в течение пятнадцати дней со дня опубликования настоящего сообщения могут подать заявление об учете их прав (обременений прав) на земельный участок с приложением копий документов, подтверждающих эти права (обременения прав), с указанием почтового адреса и (или) адреса электронной почты.
Сообщение о возможном установлении публичного сервитута
В соответствии с п. 3 ст. 39.42 Земельного кодекса Российской Федерации администрация города Благовещенска информирует о рассмотрении ходатайства ООО «АКС» об установлении публичного сервитута для размещения сети холодного водоснабжения в отношении:
1. земельного участка с кадастровым номером 28:01:010295:250, расположенного по ул. Конная, 150, квартале 295;
2. земель, расположенных в кадастровом квартале 28:01:010295.
Графическое описание местоположения границ публичного сервитута:
.png)
Заинтересованные лица в течение пятнадцати дней со дня опубликования настоящего сообщения могут ознакомиться с поступившим ходатайством об установлении публичного сервитута и прилагаемым к нему описанием местоположения границ публичного сервитута по адресу: г. Благовещенск, ул. Ленина, 133, в рабочие дни с 09-00 до 18-00 (обеденный перерыв с 13-00 до 14- 00), тел. 7(4162) 233-870 (официальный сайт администрации города Благовещенска – www.admblag.ru). Правообладатели земельных участков, если их права не зарегистрированы в Едином государственном реестре недвижимости, в течение пятнадцати дней со дня опубликования настоящего сообщения могут подать заявление об учете их прав (обременений прав) на земельный участок с приложением копий документов, подтверждающих эти права (обременения прав), с указанием почтового адреса и (или) адреса электронной почты.
Сообщение о возможном установлении публичного сервитута
В соответствии с п. 3 ст. 39.42 Земельного кодекса Российской Федерации администрация города Благовещенска информирует о рассмотрении ходатайства МУ «ГУКС» об установлении публичного сервитута для размещения сети теплоснабжения по объекту «Газовая котельная в 607 квартале г. Благовещенск, Амурская область» в отношении:
1) земельных участков с кадастровыми номерами:
- 28:01:030607:606, расположенный в квартале 607;
- 28:01:030607:33, расположенный в квартале 607;
- 28:01:000000:2901, расположенный в г. Благовещенске.
2) земель, расположенных в кадастровых кварталах 28:01:030607, 28:01:010424.
Графическое описание местоположения границ публичного сервитута:
.png)
Заинтересованные лица в течение пятнадцати дней со дня опубликования настоящего сообщения могут ознакомиться с поступившим ходатайством об установлении публичного сервитута и прилагаемым к нему описанием местоположения границ публичного сервитута по адресу: г. Благовещенск, ул. Ленина, 133, в рабочие дни с 09-00 до 18-00 (обеденный перерыв с 13-00 до 14-00), тел. 7(4162) 233-870 (официальный сайт администрации города Благовещенска – www.admblag.ru).
Правообладатели земельных участков, если их права не зарегистрированы в Едином государственном реестре недвижимости, в течение пятнадцати дней со дня опубликования настоящего сообщения могут
подать заявление об учете их прав (обременений прав) на земельный участок с приложением копий документов, подтверждающих эти права (обременения прав), с указанием почтового адреса и (или) адреса электронной почты.
Сообщение о возможном установлении публичного сервитута
В соответствии с п. 3 ст. 39.42 Земельного кодекса Российской Федерации администрация города Благовещенска информирует о рассмотрении ходатайства ООО «АКС» об установлении публичного сервитута для размещения сети холодного водоснабжения в отношении земельных участков с кадастровыми номерами:
1. 28:01:010005:405, расположенного в квартале 5;
2. 28:01:010005:406, расположенного по ул. Горького, 306, в квартале 5.
Графическое описание местоположения границ публичного сервитута:

Заинтересованные лица в течение пятнадцати дней со дня опубликования настоящего сообщения могут ознакомиться с поступившим ходатайством об установлении публичного сервитута и прилагаемым к нему описанием местоположения границ публичного сервитута по адресу: г. Благовещенск, ул. Ленина, 133, в рабочие дни с 09-00 до 18-00 (обеденный перерыв с 13-00 до 14- 00), тел. +7(4162) 233-873 (официальный сайт администрации города Благовещенска – www.admblag.ru).
Правообладатели земельных участков, если их права не зарегистрированы в Едином государственном реестре недвижимости, в течение пятнадцати дней со дня опубликования настоящего сообщения могут подать заявление об учете их прав (обременений прав) на земельный участок с приложением копий документов, подтверждающих эти права (обременения прав), с указанием почтового адреса и (или) адреса электронной почты.
Сообщение о возможном установлении публичного сервитута
В соответствии с п. 3 ст. 39.42 Земельного кодекса Российской Федерации администрация города Благовещенска информирует о рассмотрении ходатайства ООО «АКС» об установлении публичного сервитута для размещения сети водоотведения в отношении:
1. Земельного участка с кадастровым номером 28:01:010005:405, расположенного в квартале 5;
2. Земель, расположенных в кадастровом квартале 28:01:010005.
Графическое описание местоположения границ публичного сервитута:

Заинтересованные лица в течении пятнадцати дней со дня опубликования настоящего сообщения могут ознакомиться с поступившим ходатайством об установлении публичного сервитута и прилагаемым к нему описанием местоположения границ публичного сервитута по адресу: г. Благовещенск, ул. Ленина, 133, в рабочие дни с 09-00 до 18-00 (обеденный перерыв с 13-00 до 14-00), тел. 7(4162) 233-876 (официальный сайт администрации города Благовещенска – www.admblag.ru). Правообладатели земельных участков, если их права не зарегистрированы в Едином государственном реестре недвижимости, в течение пятнадцати дней со дня опубликования настоящего сообщения могут подать заявление об учете их прав (обременений прав) на земельный участок с приложением копий документов, подтверждающих эти права (обременения прав), с указанием почтового адреса и (или) адреса электронной почты.
Сообщение о возможном установлении публичного сервитута
В соответствии с п. 3 ст. 39.42 Земельного кодекса Российской Федерации администрация города Благовещенска информирует о рассмотрении ходатайства ООО «АКС» об установлении публичного сервитута для размещения сети водоотведения в отношении:
1. земельного участка с кадастровым номером 28:01:010322:315, расположенного в квартале 322;
2. земель, расположенных в кадастровом квартале 28:01:010322.
Графическое описание местоположения границ публичного сервитута:
.png)
Заинтересованные лица в течение пятнадцати дней со дня опубликования настоящего сообщения могут ознакомиться с поступившим ходатайством об установлении публичного сервитута и прилагаемым к нему описанием местоположения границ публичного сервитута по адресу: г. Благовещенск,
ул. Ленина, 133, в рабочие дни с 09-00 до 18-00 (обеденный перерыв с 13-00 до 14-00), тел. 7(4162) 233-870 (официальный сайт администрации города Благовещенска – www.admblag.ru).
Правообладатели земельных участков, если их права не зарегистрированы в Едином государственном реестре недвижимости, в течение пятнадцати дней со дня опубликования настоящего сообщения могут подать заявление об учете их прав (обременений прав) на земельный участок с приложением копий документов, подтверждающих эти права (обременения прав), с указанием почтового адреса и (или) адреса электронной почты.
Сообщение о возможном установлении публичного сервитута
Федерации администрация города Благовещенска информирует о рассмотрении ходатайства ООО «АКС» об установлении публичного сервитута для размещения сети водоотведения в отношении:
1. земельного участка с кадастровым номером 28:01:010322:315, расположенного в квартале 322;
2. земель, расположенных в кадастровом квартале 28:01:010322.
Графическое описание местоположения границ публичного сервитута:

Заинтересованные лица в течение пятнадцати дней со дня опубликования настоящего сообщения могут ознакомиться с поступившим ходатайством об установлении публичного сервитута и прилагаемым к нему описанием местоположения границ публичного сервитута по адресу: г. Благовещенск, ул. Ленина, 133, в рабочие дни с 09-00 до 18-00 (обеденный перерыв с 13-00 до 14-00), тел. 7(4162) 233-875 (официальный сайт администрации города Благовещенска – www.admblag.ru). Правообладатели земельных участков, если их права не зарегистрированы в Едином государственном реестре недвижимости, в течение пятнадцати дней со дня опубликования настоящего сообщения могут подать заявление об учете их прав (обременений прав) на земельный участок с приложением копий документов, подтверждающих эти права (обременения прав), с указанием почтового адреса и (или) адреса электронной почты.
Сообщение о возможном установлении публичного сервитута
В соответствии с п. 3 ст. 39.42 Земельного кодекса Российской Федерации администрация города Благовещенска информирует о рассмотрении ходатайства АО «ДГК» об установлении публичного сервитута для размещения тепловой сети в отношении:
1. земельных участков с кадастровыми номерами:
- 28:01:130418:37, расположенного по пер. Пограничный, 7 , в квартале 418;
- 28:01:130418:65, расположенного по пер. Пограничный, 5, в квартале 418;
- 28:01:130418:1425, расположенного в квартале 418;
2. Земель, расположенных в кадастровом квартале 28:01:130418.
Графическое описание местоположения границ публичного сервитута
Заинтересованные лица в течение пятнадцати дней со дня опубликования настоящего сообщения могут ознакомиться с поступившим ходатайством об установлении публичного сервитута и прилагаемым к нему описанием местоположения границ публичного сервитута по адресу: г. Благовещенск, ул. Ленина, 133, в рабочие дни с 09-00 до 18-00, по телефону: 7(4162)233-874 (обеденный перерыв с 13-00 до 14-00) (официальный сайт Администрации города Благовещенска – www.admblag.ru). Правообладатели земельных участков, если их права не зарегистрированы в Едином государственном реестре недвижимости, в течение пятнадцати дней со дня опубликования настоящего сообщения могут подать заявление об учете их прав (обременений прав) на земельный участок с приложением копий документов, подтверждающих эти права (обременения прав), с указанием почтового адреса и (или) адреса электронной почты.
Сообщение о возможном установлении публичного сервитута
В соответствии с п. 3 ст. 39.42 Земельного кодекса Российской Федерации администрация города Благовещенска информирует о рассмотрении ходатайства ООО «АКС» об установлении публичного сервитута для размещения объектов электросетевого хозяйства КЛЭП-10/0,4 кВ в отношении:
1. земельного участка с кадастровым номером 28:01:020014:197, расположенного в СПУ-4;
2. земельного участка с кадастровым номером 28:01:020014:186, расположенного в СПУ-4;
3. земельного участка с кадастровым номером 28:01:020014:198, расположенного в СПУ-4;
4. земельного участка с кадастровым номером 28:01:000000:14183, расположенного в СПУ-4.
Графическое описание местоположения границ публичного сервитута:
.png)
Заинтересованные лица в течение пятнадцати дней со дня опубликования настоящего сообщения могут ознакомиться с поступившим ходатайством об установлении публичного сервитута и прилагаемым к нему описанием местоположения границ публичного сервитута по адресу: г. Благовещенск, ул. Ленина, 133, в рабочие дни с 09-00 до 18-00 (обеденный перерыв с 13-00 до 14-00), тел. 7(4162) 233-875 (официальный сайт администрации города Благовещенска – www.admblag.ru). Правообладатели земельных участков, если их права не зарегистрированы в Едином государственном реестре недвижимости, в течение пятнадцати дней со дня опубликования настоящего сообщения могут подать заявление об учете их прав (обременений прав) на земельный участок с приложением копий документов, подтверждающих эти права (обременения прав), с указанием почтового адреса и (или) адреса электронной почты.
Сообщение о возможном установлении публичного сервитута
В соответствии с п. 3 ст. 39.42 Земельного кодекса Российской Федерации администрация города Благовещенска информирует о рассмотрении ходатайства АО «ДГК» об установлении публичного сервитута для размещения тепловой сети в отношении земельного участка с кадастровым номером 28:01:210345:1801, расположенного по ул. Заводская, д. 4/6, в квартале 342.
Графическое описание местоположения границ публичного сервитута:
.png)
Заинтересованные лица в течении пятнадцати дней со дня опубликования настоящего сообщения могут ознакомиться с поступившим ходатайством об установлении публичного сервитута и прилагаемым к нему описанием местоположения границ публичного сервитута по адресу: г. Благовещенск, ул. Ленина, 133, в рабочие дни с 09-00 до 18-00 (обеденный перерыв с 13-00 до 14-00), тел. 7(4162) 233-875 (официальный сайт администрации города Благовещенска – www.admblag.ru). Правообладатели земельных участков, если их права не зарегистрированы в Едином государственном реестре недвижимости, в течение пятнадцати дней со дня опубликования настоящего сообщения могут подать заявление об учете их прав (обременений прав) на земельный участок с приложением копий документов, подтверждающих эти права (обременения прав), с указанием почтового адреса и (или) адреса электронной почты.
Сообщение о возможном установлении публичного сервитута
В соответствии с п. 3 ст. 39.42 Земельного кодекса Российской Федерации администрация города Благовещенска информирует о рассмотрении ходатайства ООО «АКС» об установлении публичного сервитута для размещения сети водоотведения в отношении:
1. земельных участков с кадастровыми номерами:
- 28:01:020404:1318, расположенного по Игнатьевскому ш., д. 25/11, в квартале 404;
- 28:01:000000:3469, расположенного в г. Благовещенске;
2. земель, расположенных в кадастровом квартале 28:01:020404.
Графическое описание местоположения границ публичного сервитута:
.png)
Заинтересованные лица в течение пятнадцати дней со дня опубликования настоящего сообщения могут ознакомиться с поступившим ходатайством об установлении публичного сервитута и прилагаемым к нему описанием местоположения границ публичного сервитута по адресу: г. Благовещенск, ул. Ленина, 133, в рабочие дни с 09-00 до 18-00 (обеденный перерыв с 13-00 до 14-00), тел. +7(4162) 233-874 (официальный сайт Администрации города Благовещенска – www.admblag.ru). Правообладатели земельных участков, если их права не зарегистрированы в Едином государственном реестре недвижимости, в течение пятнадцати дней со дня опубликования настоящего сообщения могут подать заявление об учете их прав (обременений прав) на земельный участок с приложением копий документов, подтверждающих эти права (обременения прав), с указанием почтового адреса и (или) адреса электронной почты.
Сообщение о возможном установлении публичного сервитута
В соответствии с п. 3 ст. 39.42 Земельного кодекса Российской Федерации администрация города Благовещенска информирует о рассмотрении ходатайства ООО «АКС» об установлении публичного сервитута для размещения сети холодного водоснабжения в отношении части земельного участка с кадастровым номером 28:01:020404:1318, расположенного по Игнатьевскому шоссе, 25/11, в квартале 404.
Графическое описание местоположения границ публичного сервитута:
Заинтересованные лица в течение пятнадцати дней со дня опубликования настоящего сообщения могут ознакомиться с поступившим ходатайством об установлении публичного сервитута и прилагаемым к нему описанием местоположения границ публичного сервитута по адресу: г. Благовещенск, ул. Ленина, 133, в рабочие дни с 09-00 до 18-00 (обеденный перерыв с 13-00 до 14-00), тел. 7(4162) 233-870 (официальный сайт администрации города Благовещенска – www.admblag.ru).Правообладатели земельных участков, если их права не зарегистрированы в Едином государственном реестре недвижимости, в течение пятнадцати дней со дня опубликования настоящего сообщения могут подать заявление об учете их прав (обременений прав) на земельный участок с приложением копий документов, подтверждающих эти права (обременения прав), с указанием почтового адреса и (или) адреса электронной почты.
Сообщение о возможном установлении публичного сервитута
В соответствии с п. 3 ст. 39.42 Земельного кодекса Российской Федерации администрация города Благовещенска информирует о рассмотрении ходатайства ООО «АКС» об установлении публичного сервитута для размещения сети водоотведения в отношении:
1) Земельного участка с кадастровым номером 28:01:010133:670, расположенного в квартале 133;
2) Земель, расположенных в кадастровом квартале 28:01:010133.
Графическое описание местоположения границ публичного сервитута:
.png)
Заинтересованные лица в течение пятнадцати дней со дня опубликования настоящего сообщения могут ознакомиться с поступившим ходатайством об установлении публичного сервитута и прилагаемым к нему описанием местоположения границ публичного сервитута по адресу: г. Благовещенск, ул. Ленина, 133, в рабочие дни с 09-00 до 18-00 (обеденный перерыв с 13-00 до 14-00), тел. 7(4162) 233-870 (официальный сайт администрации города Благовещенска – www.admblag.ru).
Правообладатели земельных участков, если их права не зарегистрированы в Едином государственном реестре недвижимости, в течение пятнадцати дней со дня опубликования настоящего сообщения могут
подать заявление об учете их прав (обременений прав) на земельный участок с приложением копий документов, подтверждающих эти права (обременения прав), с указанием почтового адреса и (или) адреса электронной почты.
Сообщение о возможном установлении публичного сервитута
В соответствии с п. 3 ст. 39.42 Земельного кодекса Российской Федерации администрация города Благовещенска информирует о рассмотрении ходатайства АО «ДРСК» об установлении публичного сервитута для размещения объекто электросетевого хозяйства (ЛЭП-10/0,4 кВ, ТП-10/0,4 кВ) в отношении части земельного участка с кадастровым номером 28:01:090010:63, расположенного в с. Садовое, в квартале С-20.
Графическое описание местоположения границ публичного сервитута:

Заинтересованные лица в течение пятнадцати дней со дня опубликования настоящего сообщения могут ознакомиться с поступившим ходатайством об установлении публичного сервитута и прилагаемым к нему описанием местоположения границ публичного сервитута по адресу: г. Благовещенск, ул. Ленина, 133, в рабочие дни с 09-00 до 18-00 (обеденный перерыв с 13-00 до 14-00), тел. 7(4162) 233-870 (официальный сайт администрации города Благовещенска – www.admblag.ru). Правообладатели земельных участков, если их права не зарегистрированы в Едином государственном реестре недвижимости, в течение пятнадцати дней со дня опубликования настоящего сообщения могут подать заявление об учете их прав (обременений прав) на земельный участок с приложением копий документов, подтверждающих эти права (обременения прав), с указанием почтового адреса и (или) адреса электронной почты.
Сообщение о возможном установлении публичного сервитута
В соответствии с п. 3 ст. 39.42 Земельного кодекса Российской Федерации администрация города Благовещенска информирует о рассмотрении ходатайства ООО «АКС» об установлении публичного сервитута для размещения сети холодного водоснабжения, в отношении:
1. земельных участков с кадастровыми номерами:
- 28:01:010005:405, расположенного в квартале 5;
- 28:01:010005:406, расположенного в квартале 5;
2. земель, расположенных в кадастровом квартале 28:01:010005.
Графическое описание местоположения границ публичного сервитута

Заинтересованные лица в течение пятнадцати дней со дня опубликования настоящего сообщения могут ознакомиться с поступившим ходатайством об установлении публичного сервитута и прилагаемым к нему описанием местоположения границ публичного сервитута по адресу: г. Благовещенск, ул. Ленина, 133, в рабочие дни с 09-00 до 18-00, по телефону: 7(4162)233-874 (обеденный перерыв с 13-00 до 14-00) (официальный сайт Администрации города Благовещенска – www.admblag.ru). Правообладатели земельных участков, если их права не зарегистрированы в Едином государственном реестре недвижимости, в течение пятнадцати дней со дня опубликования настоящего сообщения могут подать заявление об учете их прав (обременений прав) на земельный участок с приложением копий документов, подтверждающих эти права (обременения прав), с указанием почтового адреса и (или) адреса электронной почты.
Сообщение о возможном установлении публичного сервитута
В соответствии с п. 3 ст. 39.42 Земельного кодекса Российской Федерации администрация города Благовещенска информирует о рассмотрении ходатайства ООО «АКС» об установлении публичного сервитута для размещения сети водоотведения в отношении земель, расположенных в кадастровых кварталах 28:01:010005, 28:01:010425.
Графическое описание местоположения границ публичного сервитута:

Заинтересованные лица в течении пятнадцати дней со дня опубликования настоящего сообщения могут ознакомиться с поступившим ходатайством об установлении публичного сервитута и прилагаемым к нему описанием местоположения границ публичного сервитута по адресу: г. Благовещенск, ул. Ленина, 133, в рабочие дни с 09-00 до 18-00 (обеденный перерыв с 13-00 до 14-00), тел. 7(4162) 233-876 (официальный сайт администрации города Благовещенска – www.admblag.ru). Правообладатели земельных участков, если их права не зарегистрированы в Едином государственном реестре недвижимости, в течение пятнадцати дней со дня опубликования настоящего сообщения могут подать заявление об учете их прав (обременений прав) на земельный участок с приложением копий документов, подтверждающих эти права (обременения прав), с указанием почтового адреса и (или) адреса электронной почты.
Сообщение о возможном установлении публичного сервитута
В соответствии с п. 3 ст. 39.42 Земельного кодекса Российской Федерации администрация города Благовещенска информирует о рассмотрении ходатайства ООО «АКС» об установлении публичного сервитута для размещения сети водоотведения в отношении:
1. земельного участка с кадастровым номером 28:01:010167:447, расположенного по ул. Свободная, 197, в квартале 167;
2. земель, расположенных в кадастровом квартале 28:01:010167.
Графическое описание местоположения границ публичного сервитута:

Заинтересованные лица в течение пятнадцати дней со дня опубликования настоящего сообщения могут ознакомиться с поступившим ходатайством об установлении публичного сервитута и прилагаемым к нему описанием местоположения границ публичного сервитута по адресу: г. Благовещенск, ул. Ленина, 133, в рабочие дни с 09-00 до 18-00 (обеденный перерыв с 13-00 до 14-00), тел. +7(4162) 233-873 (официальный сайт администрации города Благовещенска – www.admblag.ru). 28:01:010167
Правообладатели земельных участков, если их права не зарегистрированы в Едином государственном реестре недвижимости, в течение пятнадцати дней со дня опубликования настоящего сообщения могут подать заявление об учете их прав (обременений прав) на земельный участок с приложением копий документов, подтверждающих эти права (обременения прав), с указанием почтового адреса и (или) адреса электронной почты.
Сообщение о возможном установлении публичного сервитута
В соответствии с п. 3 ст. 39.42 Земельного кодекса Российской Федерации администрация города Благовещенска информирует о рассмотрении ходатайства ООО «АКС» об установлении публичного сервитута для размещения сети холодного водоснабжения в отношении:
1. земельного участка с кадастровым номером 28:01:010167:447, расположенного по ул. Свободная, 197, в квартале 167;
2. земель, расположенных в кадастровых кварталах 28:01:010167, 28:01:010166.
Графическое описание местоположения границ публичного сервитута:

Заинтересованные лица в течение пятнадцати дней со дня опубликования настоящего сообщения могут ознакомиться с поступившим ходатайством об установлении публичного сервитута и прилагаемым к нему описанием местоположения границ публичного сервитута по адресу: г. Благовещенск, ул. Ленина, 133, в рабочие дни с 09-00 до 18-00 (обеденный перерыв с 13-00 до 14-00), тел. +7(4162) 233-873 (официальный сайт администрации города Благовещенска – www.admblag.ru).
Правообладатели земельных участков, если их права не зарегистрированы в Едином государственном реестре недвижимости, в течение пятнадцати дней со дня опубликования настоящего сообщения могут подать заявление об учете их прав (обременений прав) на земельный участок с приложением копий документов, подтверждающих эти права (обременения прав), с указанием почтового адреса и (или) адреса электронной почты.
Сообщение о возможном установлении публичного сервитута
В соответствии со статьей 39.42 Земельного кодекса Российской Федерации Министерство Российской Федерации по развитию Дальнего Востока и Арктики (Минвостокразвития России) информирует о возможном установлении публичного сервитута.
Цели установления публичного сервитута:
«Строительство и эксплуатация объекта электросетевого хозяйства (ЛЭП 10 кВ),
его неотъемлемых технологических частей, необходимого для организации электроснабжения населения и подключения (технологического присоединения) к сетям инженерно-технического обеспечения - Энергопринимающих устройств заявителя (ЭПУ), расположенных по адресу: Амурская область, город Благовещенск, 800-ый квартал, территория ТОР, под строительство шести многоквартирных домов в рамках проекта «Дальневосточный квартал», заявитель — ООО «ПИК Благовещенск», договор об осуществлении технологического присоединения к электрическим сетям № 3213-ТП от 22.07.2024, в рамкам инвестиционного проекта (P_28-АЭС-6004-Ц)».
Адрес или иное описание местоположения земельных участков, кадастровые номера земельных участков, в отношении которых испрашивается публичный сервитут:
1. 28:01:020014:210, Амурская область, г. Благовещенск, СПУ-4
2. 28:01:020014:211, Амурская область, г. Благовещенск, СПУ-4
3. 28:01:020014:206, Амурская область, г. Благовещенск, СПУ-4
4. 28:01:000000:268, Амурская область, г. Благовещенск, земельный участок расположен в северной планировочной зоне
5. 28:01:020014:205, Амурская область, г. Благовещенск, СПУ-4
6. 28:01:020014:205, Амурская область, г. Благовещенск, СПУ-4
Официальные сайты в информационно-телекоммуникационной сети «Интернет», на которых размещается сообщение о поступившем ходатайстве об установлении публичного сервитута:
1) сайт Минвостокразвития России (minvr.gov.ru);
2) сайт администрации города Благовещенск Амурской области (https://admblag.ru/).
Заинтересованные лица могут ознакомиться с поступившим ходатайством
об установлении публичного сервитута и прилагаемым к нему описанием местоположения границ публичного сервитута, подать заявления об учете прав
на земельные участки, если их права не зарегистрированы в Едином государственном реестре недвижимости, в Минвостокразвития России, по адресам: г. Москва,
ул. Бурденко, 14 или г. Владивосток, Океанский проспект, 17.
Срок приема заявлений: 15 дней со дня опубликования настоящего сообщения
с 9:00 до 13:00 и с 13:45 до 18:00 часов (в пятницу до 16:45) (кроме выходных
и праздничных дней).
Заявление также можно подать в электронном виде посредством заполнения электронной формы обращения на сайте Минвостокразвития России.
Графическое описание местоположения границ публичного сервитута:
.png)
Заинтересованные лица могут ознакомиться с поступившим ходатайством об установлении публичного сервитута и прилагаемым к нему описанием местоположения границ публичного сервитута, подать заявления об учете прав на земельные участки, если их права не зарегистрированы в Едином государственном реестре недвижимости, в Минвостокразвития России, по адресам: г. Москва, ул. Бурденко, 14 или г. Владивосток, Океанский проспект, 17.
Срок приема заявлений: 15 дней со дня опубликования настоящего сообщения с 9:00 до 13:00 и с 13:45 до 18:00 часов (в пятницу до 16:45) (кроме выходных и праздничных дней).
Заявление также можно подать в электронном виде посредством заполнения электронной формы обращения на сайте Минвостокразвития России.
Время приема заинтересованных лиц для ознакомления с поступившим ходатайством об установлении публичного сервитута: с понедельника по пятницу, с 10-00 час. до 17-00 час., тел. 8 (4262) 23-16-18, 8 (4162) 23-16-19.
Заинтересованные лица могут ознакомиться с поступившим ходатайством об установлении публичного сервитута и прилагаемым к нему описанием местоположения границ публичного сервитута, подать заявления об учете прав на земельные участки, если их права не зарегистрированы в Едином государственном реестре недвижимости, в Минвостокразвития России, по адресам: г. Москва, ул. Бурденко, 14 или г. Владивосток, Океанский проспект, 17.
Срок приема заявлений: 15 дней со дня опубликования настоящего сообщения с 9:00 до 13:00 и с 13:45 до 18:00 часов (в пятницу до 16:45) (кроме выходных и праздничных дней).
Заявление также можно подать в электронном виде посредством заполнения электронной формы обращения на сайте Минвостокразвития России.
Время приема заинтересованных лиц для ознакомления с поступившим ходатайством об установлении публичного сервитута: с понедельника по пятницу, с 10-00 час. до 17-00 час., тел. 8 (4262) 23-16-18, 8 (4162) 23-16-19.
Правообладатели земельных участков, если их права не зарегистрированы в Едином государственном реестре недвижимости, в течение пятнадцати дней со дня опубликования настоящего сообщения могут подать заявление в министерство имущественных отношений Амурской области об учете их прав (обременений прав) на земельный участок с приложением копий документов, подтверждающих эти
Официальные сайты в информационно-телекоммуникационной сети «Интернет», на которых размещается сообщение о поступившем ходатайстве об установлении публичного сервитута:
официальный сайт министерства имущественных отношений Амурской области - https://mail@mio.amurobl.ru;
официальный сайт администрации города Благовещенска - https://www.admblag.ru;
официальный сайт администрации Благовещенского муниципального округа - http://blgraion.amurobl.ru.
Сообщение о возможном установлении публичного сервитута
В соответствии с п. 3 ст. 39.42 Земельного кодекса Российской Федерации администрация города Благовещенска информирует о рассмотрении ходатайства АО «ДРСК» об установлении публичного сервитута для размещения линии электропередачи ВЛ-10/0,4 кВ в отношении земель, расположенных в кадастровых кварталах 28:01:110002, 28:01:110003.
Графическое описание местоположения границ публичного сервитута:

Заинтересованные лица в течение пятнадцати дней со дня опубликования настоящего сообщения могут ознакомиться с поступившим ходатайством об установлении публичного сервитута и прилагаемым к нему описанием местоположения границ публичного сервитута по адресу: г. Благовещенск, ул. Ленина, 133, в рабочие дни с 09-00 до 18-00 (обеденный перерыв с 13-00 до 14-00), тел. 7(4162) 233-870 (официальный сайт администрации города Благовещенска – www.admblag.ru). Правообладатели земельных участков, если их права не зарегистрированы в Едином государственном реестре недвижимости, в течение пятнадцати дней со дня опубликования настоящего сообщения могут подать заявление об учете их прав (обременений прав) на земельный участок с приложением копий документов, подтверждающих эти права (обременения прав), с указанием почтового адреса и (или) адреса электронной почты.
Сообщение о возможном установлении публичного сервитута
В соответствии со статьей 39.42 Земельного кодекса Российской Федерации Министерство Российской Федерации по развитию Дальнего Востока и Арктики (Минвостокразвития России) информирует о возможном установлении публичного сервитута. Цели установления публичного сервитута: «Строительство и эксплуатация объекта электросетевого хозяйства (ЛЭП 10 кВ), его неотъемлемых технологических частей, необходимого для организации электроснабжения населения и подключения (технологического присоединения) к сетям инженерно-технического обеспечения - Энергопринимающих устройств заявителя (ЭПУ), расположенных по адресу: Амурская область, город Благовещенск, 800-ый квартал, территория ТОР, под строительство шести многоквартирных домов в рамках проекта «Дальневосточный квартал», заявитель — ООО «ПИК Благовещенск», договор об осуществлении технологического присоединения к электрическим сетям № 3213-ТП от 22.07.2024, в рамках инвестиционного проекта (P_28-АЭС-6004-Ц)».
Адрес или иное описание местоположения земельных участков, кадастровые номера земельных участков, в отношении которых испрашивается публичный сервитут: 1 28:01:020014:210 Амурская область, г. Благовещенск, Квартал СПУ-4 2
28:01:020014:211 Амурская область, г. Благовещенск, Квартал СПУ-4 3 28:01:000000:268 Амурская область, г. Благовещенск, земельный участок расположен в северной планировочной зоне 4 28:01:020014 Амурская область, г. Благовещенск
Официальные сайты в информационно-телекоммуникационной сети «Интернет», на которых размещается сообщение о поступившем ходатайстве об установлении публичного сервитута:
1) сайт Минвостокразвития России (minvr.gov.ru);
2) сайт администрации города Благовещенск Амурской области (https://admblag.ru/).
Графическое описание местоположения границ публичного сервитута:

Заинтересованные лица могут ознакомиться с поступившим ходатайством об установлении публичного сервитута и прилагаемым к нему описанием местоположения границ публичного сервитута, подать заявления об учете прав на земельные участки, если их права не зарегистрированы в Едином государственном реестре недвижимости, в Минвостокразвития России, по адресам: г. Москва, ул. Бурденко, 14 или г. Владивосток, Океанский проспект, 17. Срок приема заявлений: 15 дней со дня опубликования настоящего сообщения с 9:00 до 13:00 и с 13:45 до 18:00 часов (в пятницу до 16:45) (кроме выходных и праздничных дней). Заявление также можно подать в электронном виде посредством заполнения электронной формы обращения на сайте Минвостокразвития России.
Сообщение о возможном установлении публичного сервитута
В соответствии с п. 3 ст. 39.42 Земельного кодекса Российской Федерации администрация города Благовещенска информирует о рассмотрении ходатайства АО «ДГК» об установлении публичного сервитута для размещения тепловой сети в отношении:
1. Земельного участка с кадастровым номером 28:01:010201:156, расположенного в квартале 195;
2. Земель, расположенных в кадастровых кварталах 28:01:010196, 28:01:010201.
Графическое описание местоположения границ публичного сервитута:
.png)
Заинтересованные лица в течении пятнадцати дней со дня опубликования настоящего сообщения могут ознакомиться с поступившим ходатайством об установлении публичного сервитута и прилагаемым к нему описанием местоположения границ публичного сервитута по адресу: г. Благовещенск, ул. Ленина, 133, в рабочие дни с 09-00 до 18-00 (обеденный перерыв с 13-00 до 14-00), тел. 7(4162) 233-876 (официальный сайт администрации города Благовещенска – www.admblag.ru). Правообладатели земельных участков, если их права не зарегистрированы в Едином государственном реестре недвижимости, в течение пятнадцати дней со дня опубликования настоящего сообщения могут подать заявление об учете их прав (обременений прав) на земельный участок с приложением копий документов, подтверждающих эти права (обременения прав), с указанием почтового адреса и (или) адреса электронной почты.
Сообщение о возможном установлении публичного сервитута
В соответствии с п. 3 ст. 39.42 Земельного кодекса Российской Федерации администрация города Благовещенска информирует о рассмотрении ходатайства ООО «АКС» об установлении публичного сервитута для размещения сети холодного водоснабжения, в отношении:
1. земельных участков с кадастровыми номерами:
- 28:01:000000:155, расположенного г. Благовещенске;
- 28:01:000000:154, расположенного г. Благовещенске;
2. земель, расположенных в кадастровом квартале 28:01:020524.
Графическое описание местоположения границ публичного сервитута
.png)
Заинтересованные лица в течение пятнадцати дней со дня опубликования настоящего сообщения могут ознакомиться с поступившим ходатайством об установлении публичного сервитута и прилагаемым к нему описанием местоположения границ публичного сервитута по адресу: г. Благовещенск, ул. Ленина, 133, в рабочие дни с 09-00 до 18-00, по телефону: 7(4162)233-874 (обеденный перерыв с 13-00 до 14-00) (официальный сайт Администрации города Благовещенска – www.admblag.ru).
Правообладатели земельных участков, если их права не зарегистрированы в Едином государственном реестре недвижимости, в течение пятнадцати дней со дня опубликования настоящего сообщения могут подать заявление об учете их прав (обременений прав) на земельный участок с приложением копий документов, подтверждающих эти права (обременения прав), с указанием почтового адреса и (или) адреса электронной почты.
Сообщение о возможном установлении публичного сервитута
В соответствии с п. 3 ст. 39.42 Земельного кодекса Российской Федерации администрация города Благовещенска информирует о рассмотрении ходатайства ООО «АКС» об установлении публичного сервитута для размещения сети холодного водоснабжения в отношении:
1. земельного участка с кадастровым номером 28:01:010190:359, расположенного по ул. Высокая, 130, в квартале 190;
2. земельного участка с кадастровым номером 28:01:000000:3449, расположенного в г. Благовещенске;
3. земель, расположенных в кадастровом квартале 28:01:010190.
Графическое описание местоположения границ публичного сервитута:
.png)
Заинтересованные лица в течение пятнадцати дней со дня опубликования настоящего сообщения могут ознакомиться с поступившим ходатайством об установлении публичного сервитута и прилагаемым к нему описанием местоположения границ публичного сервитута по адресу: г. Благовещенск, ул. Ленина, 133, в рабочие дни с 09-00 до 18-00 (обеденный перерыв с 13-00 до 14-00), тел. 7(4162) 233-875 (официальный сайт администрации города Благовещенска – www.admblag.ru). Правообладатели земельных участков, если их права не зарегистрированы в Едином государственном реестре недвижимости, в течение пятнадцати дней со дня опубликования настоящего сообщения могут подать заявление об учете их прав (обременений прав) на земельный участок с приложением копий документов, подтверждающих эти права (обременения прав), с указанием почтового адреса и (или) адреса электронной почты.
Сообщение о возможном установлении публичного сервитута
В соответствии с п. 3 ст. 39.42 Земельного кодекса Российской Федерации администрация города Благовещенска информирует о рассмотрении ходатайства ООО «АКС» об установлении публичного сервитута для размещения сети водоотведения в отношении части земельного участка с кадастровым номером 28:01:010207:222, расположенного по ул. Кузнечная, 86, в квартале 207.
Графическое описание местоположения границ публичного сервитута:
.png)
Заинтересованные лица в течение пятнадцати дней со дня опубликования настоящего сообщения могут ознакомиться с поступившим ходатайством об установлении публичного сервитута и прилагаемым к нему описанием местоположения границ публичного сервитута по адресу: г. Благовещенск, ул. Ленина, 133, в рабочие дни с 09-00 до 18-00 (обеденный перерыв с 13-00 до 14- 00), тел. 7(4162) 233-870 (официальный сайт администрации города Благовещенска – www.admblag.ru). Правообладатели земельных участков, если их права не зарегистрированы в Едином государственном реестре недвижимости, в течение пятнадцати дней со дня опубликования настоящего сообщения могут подать заявление об учете их прав (обременений прав) на земельный участок с приложением копий документов, подтверждающих эти права (обременения прав), с указанием почтового адреса и (или) адреса электронной почты.
Сообщение о возможном установлении публичного сервитута
В соответствии с п. 3 ст. 39.42 Земельного кодекса Российской Федерации администрация города Благовещенска информирует о рассмотрении ходатайства ООО «АКС» об установлении публичного сервитута для размещения сети холодного водоснабжения в отношении части земельного участка с кадастровым номером 28:01:010207:222, расположенного по ул. Кузнечная, 86, в квартале 207.
Графическое описание местоположения границ публичного сервитута:
.png)
Заинтересованные лица в течение пятнадцати дней со дня опубликования настоящего сообщения могут ознакомиться с поступившим ходатайством об установлении публичного сервитута и прилагаемым к нему описанием местоположения границ публичного сервитута по адресу: г. Благовещенск, ул. Ленина, 133, в рабочие дни с 09-00 до 18-00 (обеденный перерыв с 13-00 до 14- 00), тел. 7(4162) 233-870 (официальный сайт администрации города Благовещенска – www.admblag.ru). Правообладатели земельных участков, если их права не зарегистрированы в Едином государственном реестре недвижимости, в течение пятнадцати дней со дня опубликования настоящего сообщения могут подать заявление об учете их прав (обременений прав) на земельный участок с приложением копий документов, подтверждающих эти права (обременения прав), с указанием почтового адреса и (или) адреса электронной почты.
Сообщение о возможном установлении публичного сервитута
В соответствии с п. 3 ст. 39.42 Земельного кодекса Российской Федерации администрация города Благовещенска информирует о рассмотрении ходатайства ООО «АКС» об установлении публичного сервитута для размещения тепловых сетей, в отношении:
1. земельных участков с кадастровыми номерами:
- 28:01:050001:10, расположенного в п. Моховая Падь, в квартале МП-1;
- 28:01:050001:18, расположенного в п. Моховая Падь, ДОС 12, в квартале МП-1;
- 28:01:050001:19, расположенного в п. Моховая Падь, ДОС 14, в квартале МП-1;
2. земель, расположенных в кадастровом квартале 28:01:050001.
Графическое описание местоположения границ публичного сервитута
.png)
Заинтересованные лица в течение пятнадцати дней со дня опубликования настоящего сообщения могут ознакомиться с поступившим ходатайством об установлении публичного сервитута и прилагаемым к нему описанием местоположения границ публичного сервитута по адресу: г. Благовещенск, ул. Ленина, 133, в рабочие дни с 09-00 до 18-00, по телефону: 7(4162)233-874 (обеденный перерыв с 13-00 до 14-00) (официальный сайт Администрации города Благовещенска – www.admblag.ru).
Правообладатели земельных участков, если их права не зарегистрированы в Едином государственном реестре недвижимости, в течение пятнадцати дней со дня опубликования настоящего сообщения могут подать заявление об учете их прав (обременений прав) на земельный участок с приложением копий документов, подтверждающих эти права (обременения прав), с указанием почтового адреса и (или) адреса электронной почты
Сообщение о возможном установлении публичного сервитута
В соответствии с п. 3 ст. 39.42 Земельного кодекса Российской Федерации администрация города Благовещенска информирует о рассмотрении ходатайства ООО «АКС» об установлении публичного сервитута для размещения сети водоотведения в отношении:
1. Земельных участков с кадастровыми номерами: - 28:01:010172:306, расположенного по ул. Ломоносова, д. 197, в квартале 172; - 28:01:000000:10481, расположенного в г. Благовещенске
2. Земель, расположенных в кадастровом квартале 28:01:010172.
Графическое описание местоположения границ публичного сервитута:

Заинтересованные лица в течение пятнадцати дней со дня опубликования настоящего сообщения могут ознакомиться с поступившим ходатайством об установлении публичного сервитута и прилагаемым к нему описанием местоположения границ публичного сервитута по адресу: г. Благовещенск, ул. Ленина, 133, в рабочие дни с 09-00 до 18-00 (обеденный перерыв с 13-00 до 14- 00), тел. 7(4162) 233-876 (официальный сайт администрации города Благовещенска – www.admblag.ru).
Правообладатели земельных участков, если их права не зарегистрированы в Едином государственном реестре недвижимости, в течение пятнадцати дней со дня опубликования настоящего сообщения могут подать заявление об учете их прав (обременений прав) на земельный участок с приложением копий документов, подтверждающих эти права (обременения прав), с указанием почтового адреса и (или) адреса электронной почты.
Сообщение о возможном установлении публичного сервитута
В соответствии с п. 3 ст. 39.42 Земельного кодекса Российской Федерации администрация города Благовещенска информирует о рассмотрении ходатайства ООО «АКС» об установлении публичного сервитута для размещения сети водоотведения в отношении:
1) части земельного участка с кадастровым номером 28:01:010298:164, расположенного по ул. Литейная, 95, в квартале 298;
2) земель, расположенных в кадастровых кварталах: 28:01:010298, 28:01:010304.
Графическое описание местоположения границ публичного сервитута:

Графическое описание местоположения границ публичного сервитута:
Заинтересованные лица в течение пятнадцати дней со дня опубликования настоящего сообщения могут ознакомиться с поступившим ходатайством об установлении публичного сервитута и прилагаемым к нему описанием местоположения границ публичного сервитута по адресу: г. Благовещенск,
ул. Ленина, 133, в рабочие дни с 09-00 до 18-00 (обеденный перерыв с 13-00 до 14-00), тел. 7(4162) 233-870 (официальный сайт администрации города Благовещенска – www.admblag.ru).
Правообладатели земельных участков, если их права не зарегистрированы в Едином государственном реестре недвижимости, в течение пятнадцати дней со дня опубликования настоящего сообщения могут
подать заявление об учете их прав (обременений прав) на земельный участок с приложением копий документов, подтверждающих эти права (обременения прав), с указанием почтового адреса и (или) адреса электронной почты.
Сообщение о возможном установлении публичного сервитута
В соответствии с п. 3 ст. 39.42 Земельного кодекса Российской Федерации администрация города Благовещенска информирует о рассмотрении ходатайства ООО «АКС» об установлении публичного сервитута для размещения сети холодного водоснабжения в отношении:
1. Земельного участка с кадастровым номером 28:01:010172:306, расположенного по ул. Ломоносова, д. 197, в квартале 172;
2. Земель, расположенных в кадастровом квартале 28:01:010172.
Графическое описание местоположения границ публичного сервитута
Заинтересованные лица в течение пятнадцати дней со дня опубликования настоящего сообщения могут ознакомиться с поступившим ходатайством об установлении публичного сервитута и прилагаемым к нему описанием местоположения границ публичного сервитута по адресу: г. Благовещенск, ул. Ленина, 133, в рабочие дни с 09-00 до 18-00 (обеденный перерыв с 13-00 до 14-00), тел. 7(4162) 233-876 (официальный сайт администрации города Благовещенска – www.admblag.ru).
Правообладатели земельных участков, если их права не зарегистрированы в Едином государственном реестре недвижимости, в течение пятнадцати дней со дня опубликования настоящего сообщения могут подать заявление об учете их прав (обременений прав) на земельный участок с приложением копий документов, подтверждающих эти права (обременения прав), с указанием почтового адреса и (или) адреса электронной почты.
Сообщение о возможном установлении публичного сервитута
В соответствии с п. 3 ст. 39.42 Земельного кодекса Российской Федерации администрация города Благовещенска информирует о рассмотрении ходатайства ООО «АКС» об установлении публичного сервитута для размещения сети водоотведения в отношении земельных участков с кадастровыми номерами: - 28:01:010190:61, расположенного по ул. Свободная, 135, в квартале 190; - 28:01:010190:5, расположенного по ул. Высокая, 130, в квартале 190; - 28:01:010190:359, расположенного по ул. Высокая, 130, в квартале 190.
Графическое описание местоположения границ публичного сервитута
.png)
Заинтересованные лица в течение пятнадцати дней со дня опубликования настоящего сообщения могут ознакомиться с поступившим ходатайством об установлении публичного сервитута и прилагаемым к нему описанием местоположения границ публичного сервитута по адресу: г. Благовещенск, ул. Ленина, 133, в рабочие дни с 09-00 до 18-00 (обеденный перерыв с 13-00 до 14-00), тел. +7(4162) 233-874 (официальный сайт Администрации города Благовещенска – www.admblag.ru). Правообладатели земельных участков, если их права не зарегистрированы в Едином государственном реестре недвижимости, в течение пятнадцати дней со дня опубликования настоящего сообщения могут подать заявление об учете их прав (обременений прав) на земельный участок с приложением копий документов, подтверждающих эти права (обременения прав), с указанием почтового адреса и (или) адреса электронной почты.
Сообщение о возможном установлении публичного сервитута
В соответствии с п. 3 ст. 39.42 Земельного кодекса Российской Федерации администрация города Благовещенска информирует о рассмотрении ходатайства ООО «АКС» об установлении публичного сервитута для размещения сети водоотведения в отношении земельных участков с кадастровыми номерами: - 28:01:020800:1074, расположенного в квартале 800; - 28:01:020800:1075, расположенного по ул. Муравьева-Амурского, 5/2, в квартале 800.
Графическое описание местоположения границ публичного сервитута
.png)
Заинтересованные лица в течение пятнадцати дней со дня опубликования настоящего сообщения могут ознакомиться с поступившим ходатайством об установлении публичного сервитута и прилагаемым к нему описанием местоположения границ публичного сервитута по адресу: г. Благовещенск, ул. Ленина, 133, в рабочие дни с 09-00 до 18-00 (обеденный перерыв с 13-00 до 14-00), тел. +7(4162) 233-874 (официальный сайт Администрации города Благовещенска – www.admblag.ru). Правообладатели земельных участков, если их права не зарегистрированы в Едином государственном реестре недвижимости, в течение пятнадцати дней со дня опубликования настоящего сообщения могут подать заявление об учете их прав (обременений прав) на земельный участок с приложением копий документов, подтверждающих эти права (обременения прав), с указанием почтового адреса и (или) адреса электронной почты.
Сообщение о возможном установлении публичного сервитута
В соответствии с п. 3 ст. 39.42 Земельного кодекса Российской Федерации администрация города Благовещенска информирует о рассмотрении ходатайства ООО «АКС» об установлении публичного сервитута для размещения сети водоотведения в отношении:
1. земельного участка с кадастровым номером 28:01:020404:1630, расположенного по ул. Василенко, 12, в квартале 404;
2. земель, расположенных в кадастровом квартале 28:01:020404.
Графическое описание местоположения границ публичного сервитута:
.png)
Заинтересованные лица в течение пятнадцати дней со дня опубликования настоящего сообщения могут ознакомиться с поступившим ходатайством об установлении публичного сервитута и прилагаемым к нему описанием местоположения границ публичного сервитута по адресу: г. Благовещенск, ул. Ленина, 133, в рабочие дни с 09-00 до 18-00 (обеденный перерыв с 13-00 до 14-00), тел. 7(4162) 233-875 (официальный сайт администрации города Благовещенска – www.admblag.ru). Правообладатели земельных участков, если их права не зарегистрированы в Едином государственном реестре недвижимости, в течение пятнадцати дней со дня опубликования настоящего сообщения могут подать заявление об учете их прав (обременений прав) на земельный участок с приложением копий документов, подтверждающих эти права (обременения прав), с указанием почтового адреса и (или) адреса электронной почты.
Сообщение о возможном установлении публичного сервитута
В соответствии с п. 3 ст. 39.42 Земельного кодекса Российской Федерации администрация города Благовещенска информирует о рассмотрении ходатайства АО «ДГК» об установлении публичного сервитута для размещения тепловой сети в отношении земель, расположенных в кадастровых кварталах: 28:01:010196, 28:01:010201.
Графическое описание местоположения границ публичного сервитута:
.png)
Заинтересованные лица в течении пятнадцати дней со дня опубликования настоящего сообщения могут ознакомиться с поступившим ходатайством об установлении публичного сервитута и прилагаемым к нему описанием местоположения границ публичного сервитута по адресу: г. Благовещенск, ул. Ленина, 133, в рабочие дни с 09-00 до 18-00 (обеденный перерыв с 13-00 до 14-00), тел. 7(4162) 233-876 (официальный сайт администрации города Благовещенска – www.admblag.ru).
Правообладатели земельных участков, если их права не зарегистрированы в Едином государственном реестре недвижимости, в течение пятнадцати дней со дня опубликования настоящего сообщения могут подать заявление об учете их прав (обременений прав) на земельный участок с приложением копий документов, подтверждающих эти права (обременения прав), с указанием почтового адреса и (или) адреса электронной почты.
Сообщение о возможном установлении публичного сервитута
В соответствии с п. 3 ст. 39.42 Земельного кодекса Российской Федерации администрация города Благовещенска информирует о рассмотрении ходатайства АО «ДГК» об установлении публичного сервитута для размещения тепловой сети в отношении:
1. земельного участка с кадастровым номером 28:01:010424:163, расположенного в квартале 424 по ул. Больничная, 24;
2. земельного участка с кадастровым номером 28:01:010424:162, расположенного в квартале 424; 3. земельного участка с кадастровым номером 28:01:010424:1906, расположенного в квартале 424; 4. земельного участка с кадастровым номером 28:01:000000:438, расположенного в г. Благовещенске; 5. земель, расположенных в кадастровом квартале 28:01:010424.
Графическое описание местоположения границ публичного сервитута:

Заинтересованные лица в течении пятнадцати дней со дня опубликования настоящего сообщения могут ознакомиться с поступившим ходатайством об установлении публичного сервитута и прилагаемым к нему описанием местоположения границ публичного сервитута по адресу: г. Благовещенск, ул. Ленина, 133, в рабочие дни с 09-00 до 18-00 (обеденный перерыв с 13-00 до 14- 00), тел. 7(4162) 233-876 (официальный сайт администрации города Благовещенска – www.admblag.ru).
Правообладатели земельных участков, если их права не зарегистрированы в Едином государственном реестре недвижимости, в течение пятнадцати дней со дня опубликования настоящего сообщения могут подать заявление об учете их прав (обременений прав) на земельный участок с приложением копий документов, подтверждающих эти права (обременения прав), с указанием почтового адреса и (или) адреса электронной почты.
Сообщение о возможном установлении публичного сервитута
В соответствии с п. 3 ст. 39.42 Земельного кодекса Российской Федерации администрация города Благовещенска информирует о рассмотрении ходатайства ООО «АКС» об установлении публичного сервитута для размещения сети холодного водоснабжения в отношении:
1. земельного участка с кадастровым номером 28:01:010172:516, расположенного по ул. Пионерская, 120, в квартале 172;
2. земель, расположенных в кадастровом квартале 28:01:010172.
Графическое описание местоположения границ публичного сервитута:
.png)
Заинтересованные лица в течение пятнадцати дней со дня опубликования настоящего сообщения могут ознакомиться с поступившим ходатайством об установлении публичного сервитута и прилагаемым к нему описанием
местоположения границ публичного сервитута по адресу: г. Благовещенск, ул. Ленина, 133, в рабочие дни с 09-00 до 18-00 (обеденный перерыв с 13-00 до 14-00), тел. 7(4162) 233-875 (официальный сайт администрации города Благовеще
нска – www.admblag.ru).
Правообладатели земельных участков, если их права не зарегистрированы в Едином государственном реестре недвижимости, в течение пятнадцати дней со дня опубликования настоящего сообщения могут подать заявление об учете их прав (обременений прав) на земельный участок с приложением копий документов, подтверждающих эти права (обременения прав), с указанием почтового адреса и (или) адреса электронной почты.
Сообщение о возможном установлении публичного сервитута
В соответствии с п. 3 ст. 39.42 Земельного кодекса Российской Федерации администрация города Благовещенска информирует о рассмотрении ходатайства ООО «АКС» об установлении публичного сервитута для размещения сети водоотведения в отношении: 1. земельного участка с кадастровым номером 28:01:010172:516, расположенного в по ул. Пионерская, 120, в квартале 172; 2. земель, расположенных в кадастровом квартале 28:01: 010172.
Графическое описание местоположения границ публичного сервитута:
.png)
Заинтересованные лица в течение пятнадцати дней со дня опубликования настоящего сообщения могут ознакомиться с поступившим ходатайством об установлении публичного сервитута и прилагаемым к нему описанием местоположения границ публичного сервитута по адресу: г. Благовещенск, ул. Ленина, 133, в рабочие дни с 09-00 до 18-00 (обеденный перерыв с 13-00 до 14-00), тел. +7(4162) 233-873 (официальный сайт администрации города Благовещенска – www.admblag.ru). Правообладатели земельных участков, если их права не зарегистрированы в Едином государственном реестре недвижимости, в течение пятнадцати дней со дня опубликования настоящего сообщения могут подать заявление об учете их прав (обременений прав) на земельный участок с приложением копий документов, подтверждающих эти права (обременения прав), с указанием почтового адреса и (или) адреса электронной почты.
Сообщение о возможном установлении публичного сервитута
В соответствии с п. 3 ст. 39.42 Земельного кодекса Российской Федерации администрация города Благовещенска информирует о рассмотрении ходатайства ООО «АКС» об установлении публичного сервитута для размещения сети холодного водоснабжения в отношении:
1) части земельного участка с кадастровым номером 28:01:010298:164, расположенного по ул. Литейная, 95, в квартале 298;
2) земель, расположенных в кадастровом квартале 28:01:010298.
Графическое описание местоположения границ публичного сервитута:
.png)
Заинтересованные лица в течение пятнадцати дней со дня опубликования настоящего сообщения могут ознакомиться с поступившим ходатайством об установлении публичного сервитута и прилагаемым к нему описанием местоположения границ публичного сервитута по адресу: г. Благовещенск, ул. Ленина, 133, в рабочие дни с 09-00 до 18-00 (обеденный перерыв с 13-00 до 14-00), тел. 7(4162) 233-870 (официальный сайт администрации города Благовещенска – www.admblag.ru).
Правообладатели земельных участков, если их права не зарегистрированы в Едином государственном реестре недвижимости, в течение пятнадцати дней со дня опубликования настоящего сообщения могут
подать заявление об учете их прав (обременений прав) на земельный участок с приложением копий документов, подтверждающих эти права (обременения прав), с указанием почтового адреса и (или) адреса электронной почты.
Сообщение о возможном установлении публичного сервитута
В соответствии с п. 3 ст. 39.42 Земельного кодекса Российской Федерации администрация города Благовещенска информирует о рассмотрении ходатайства ООО «АКС» об установлении публичного сервитута для размещения закольцованной сети холодного водоснабжения в отношении: 1) части земельного участка с кадастровым номером 28:01:000000:10599, расположенного в г. Благовещенске; 2) земель, расположенных в кадастровых кварталах 28:01:010303, 28:01:010309, 28:01:010315. Графическое описание местоположения границ публичного сервитута:
.png)
Заинтересованные лица в течение пятнадцати дней со дня опубликования настоящего сообщения могут ознакомиться с поступившим ходатайством об установлении публичного сервитута и прилагаемым к нему описанием местоположения границ публичного сервитута по адресу: г. Благовещенск, ул. Ленина, 133, в рабочие дни с 09-00 до 18-00 (обеденный перерыв с 13-00 до 14-00), тел. 7(4162) 233-870 (официальный сайт администрации города Благовещенска – www.admblag.ru). Правообладатели земельных участков, если их права не зарегистрированы в Едином государственном реестре недвижимости, в течение пятнадцати дней со дня опубликования настоящего сообщения могут подать заявление об учете их прав (обременений прав) на земельный участок с приложением копий документов, подтверждающих эти права (обременения прав), с указанием почтового адреса и (или) адреса электронной почты.
Сообщение о возможном установлении публичного сервитута
В соответствии с п. 3 ст. 39.42 Земельного кодекса Российской Федерации администрация города Благовещенска информирует о рассмотрении ходатайства ООО «АКС» об установлении публичного сервитута для размещения сети водоотведения в отношении:
1) частей земельных участков с кадастровыми номерами:
- 28:01:020800:4030, расположенного в квартале 800; - 28:01:020800:4036, расположенного в квартале 800; - 28:01:020800:4033, расположенного в квартале 800; - 28:01:020800:3574, расположенного в квартале 800; - 28:01:000000:268, расположенного в городе Благовещенске;
- 28:01:020014:193, расположенного в СПУ-4;
- 28:01:020014:190, расположенного в СПУ-4;
- 28:01:020014:192, расположенного в СПУ-4;
- 28:01:020014:186, расположенного в СПУ-4;
- 28:01:000000:14183, расположенного в городе Благовещенске;
- 28:01:020014:191, расположенного в СПУ-4;
2) земель, расположенных в кадастровых кварталах 28:01:020015, 28:01:020417.
Графическое описание местоположения границ публичного сервитута:

Заинтересованные лица в течение пятнадцати дней со дня опубликования настоящего сообщения могут ознакомиться с поступившим ходатайством об установлении публичного сервитута и прилагаемым к нему описанием местоположения границ публичного сервитута по адресу: г. Благовещенск, ул. Ленина, 133, в рабочие дни с 09-00 до 18-00 (обеденный 3 перерыв с 13-00 до 14-00), тел. 7(4162) 233-870 (официальный сайт администрации города Благовещенска – www.admblag.ru).
Правообладатели земельных участков, если их права не зарегистрированы в Едином государственном реестре недвижимости, в течение пятнадцати дней со дня опубликования настоящего сообщения могут подать заявление об учете их прав (обременений прав) на земельный участок с приложением копий документов, подтверждающих эти права (обременения прав), с указанием почтового адреса и (или) адреса электронной почты.
Сообщение о возможном установлении публичного сервитута
В соответствии с п. 3 ст. 39.42 Земельного кодекса Российской Федерации администрация города Благовещенска информирует о рассмотрении ходатайства ООО «АКС» об установлении публичного сервитута для размещения сети холодного водоснабжения в отношении земель, расположенных в кадастровом квартале 28:01:010017.
Графическое описание местоположения границ публичного сервитута:

Заинтересованные лица в течение пятнадцати дней со дня опубликования настоящего сообщения могут ознакомиться с поступившим ходатайством об установлении публичного сервитута и прилагаемым к нему описанием местоположения границ публичного сервитута по адресу: г. Благовещенск, ул. Ленина, 133, в рабочие дни с 09-00 до 18-00 (обеденный перерыв с 13-00 до 14-00), тел. +7(4162) 233-873 (официальный сайт администрации города Благовещенска – www.admblag.ru).
Правообладатели земельных участков, если их права не зарегистрированы в Едином государственном реестре недвижимости, в течение пятнадцати дней со дня опубликования настоящего сообщения могут подать заявление об учете их прав (обременений прав) на земельный участок с приложением копий документов, подтверждающих эти права (обременения прав), с указанием почтового адреса и (или) адреса электронной почты.
Сообщение о возможном установлении публичного сервитута
В соответствии с п. 3 ст. 39.42 Земельного кодекса Российской Федерации администрация города Благовещенска информирует о рассмотрении ходатайства ООО «АКС» об установлении публичного сервитута для размещения сети водоотведения в отношении частей земельных участков с кадастровыми номерами:
- 28:01:000000:2901, расположенного в г. Благовещенске;
- 28:01:000000:2141, расположенного в г. Благовещенске;
- 28:01:000000:10462, расположенного в г. Благовещенске;
- 28:01:000000:10115, расположенного в г. Благовещенске;
- 28:01:000000:14193, расположенного в г. Благовещенске.
Графическое описание местоположения границ публичного сервитута:

Заинтересованные лица в течении пятнадцати дней со дня опубликования настоящего сообщения могут ознакомиться с поступившим ходатайством об установлении публичного сервитута и прилагаемым к нему описанием местоположения границ публичного сервитута по адресу: г. Благовещенск, ул. Ленина, 133, в рабочие дни с 09-00 до 18-00 (обеденный перерыв с 13-00 до 14-00), тел. 7(4162) 233-876 (официальный сайт администрации города Благовещенска – www.admblag.ru).
Правообладатели земельных участков, если их права не зарегистрированы в Едином государственном реестре недвижимости, в течение пятнадцати дней со дня опубликования настоящего сообщения могут подать заявление об учете их прав (обременений прав) на земельный участок с приложением копий документов, подтверждающих эти права (обременения прав), с указанием почтового адреса и (или) адреса электронной почты.
Сообщение о возможном установлении публичного сервитута
В соответствии с п. 3 ст. 39.42 Земельного кодекса Российской Федерации администрация города Благовещенска информирует о рассмотрении ходатайства ООО «АКС» об установлении публичного сервитута для размещения сети водоотведения в отношении:
1. земельного участка с кадастровым номером 28:01:010017:783;
2. земель, расположенных в кадастровом квартале: 28:01:010017.
Графическое описание местоположения границ публичного сервитута:

Заинтересованные лица в течение пятнадцати дней со дня опубликования настоящего сообщения могут ознакомиться с поступившим ходатайством об установлении публичного сервитута и прилагаемым к нему описанием местоположения границ публичного сервитута по адресу: г. Благовещенск, ул. Ленина, 133, в рабочие дни с 09-00 до 18-00 (обеденный перерыв с 13-00 до 14- 00), тел. 7(4162) 233-875 (официальный сайт администрации города Благовещенска – www.admblag.ru).
Правообладатели земельных участков, если их права не зарегистрированы в Едином государственном реестре недвижимости, в течение пятнадцати дней со дня опубликования настоящего сообщения могут подать заявление об учете их прав (обременений прав) на земельный участок с приложением копий документов, подтверждающих эти права (обременения прав), с указанием почтового адреса и (или) адреса электронной почты.
Сообщение о возможном установлении публичного сервитута
В соответствии с п. 3 ст. 39.42 Земельного кодекса Российской Федерации администрация города Благовещенска информирует о рассмотрении ходатайства ООО «АКС» об установлении публичного сервитута для размещения сети холодного водоснабжения в отношении земельных участков с кадастровыми номерами 28:01:030003:3364, 28:01:030003:5092, 28:01:030003:3366, расположенных в квартале ЗПУ-2.
Графическое описание местоположения границ публичного сервитута:

Заинтересованные лица в течение пятнадцати дней со дня опубликования настоящего сообщения могут ознакомиться с поступившим ходатайством об установлении публичного сервитута и прилагаемым к нему описанием местоположения границ публичного сервитута по адресу: г. Благовещенск, ул. Ленина, 133, в рабочие дни с 09-00 до 18-00 (обеденный перерыв с 13-00 до 14-00), тел. 7(4162) 233-875 (официальный сайт администрации города Благовещенска – www.admblag.ru).
Правообладатели земельных участков, если их права не зарегистрированы в Едином государственном реестре недвижимости, в течение пятнадцати дней со дня опубликования настоящего сообщения могут подать заявление об учете их прав (обременений прав) на земельный участок с приложением копий документов, подтверждающих эти права (обременения прав), с указанием почтового адреса и (или) адреса электронной почты.
Сообщение о возможном установлении публичного сервитута
В соответствии с п. 3 ст. 39.42 Земельного кодекса Российской Федерации администрация города Благовещенска информирует о рассмотрении ходатайства ООО «АКС» об установлении публичного сервитута для размещения сети водоотведения в отношении:
1. земельного участка с кадастровым номером 28:01:030003:2270, расположенного в г. Благовещенске;
2. земель, расположенных в кадастровом квартале 28:01:030003.
Графическое описание местоположения границ публичного сервитута:

Заинтересованные лица в течение пятнадцати дней со дня опубликования настоящего сообщения могут ознакомиться с поступившим ходатайством об установлении публичного сервитута и прилагаемым к нему описанием местоположения границ публичного сервитута по адресу: г. Благовещенск, ул. Ленина, 133, в рабочие дни с 09-00 до 18-00 (обеденный перерыв с 13-00 до 14-00), тел. +7(4162) 233-873 (официальный сайт администрации города Благовещенска – www.admblag.ru).
Правообладатели земельных участков, если их права не зарегистрированы в Едином государственном реестре недвижимости, в течение пятнадцати дней со дня опубликования настоящего сообщения могут подать заявление об учете их прав (обременений прав) на земельный участок с приложением копий документов, подтверждающих эти права (обременения прав), с указанием почтового адреса и (или) адреса электронной почты.
Сообщение о возможном установлении публичного сервитута
В соответствии с п. 3 ст. 39.42 Земельного кодекса Российской Федерации администрация города Благовещенска информирует о рассмотрении ходатайства ООО «АКС» об установлении публичного сервитута для размещения сети холодного водоснабжения в отношении:
1. Земельных участков с кадастровыми номерами:
- 28:01:010093:20, расположенного в квартале 93;
- 28:01:010093:21, расположенного по ул. Партизанская, 66, в квартале 93.
2. Земель, расположенных в кадастровых кварталах: 28:01:010093, 28:01:010098.
Графическое описание местоположения границ публичного сервитута:

Заинтересованные лица в течении пятнадцати дней со дня опубликования настоящего сообщения могут ознакомиться с поступившим ходатайством об установлении публичного сервитута и прилагаемым к нему описанием местоположения границ публичного сервитута по адресу: г. Благовещенск, ул. Ленина, 133, в рабочие дни с 09-00 до 18-00 (обеденный перерыв с 13-00 до 14-00), тел. 7(4162) 233-876 (официальный сайт администрации города Благовещенска – www.admblag.ru).
Правообладатели земельных участков, если их права не зарегистрированы в Едином государственном реестре недвижимости, в течение пятнадцати дней со дня опубликования настоящего сообщения могут подать заявление об учете их прав (обременений прав) на земельный участок с приложением копий документов, подтверждающих эти права (обременения прав), с указанием почтового адреса и (или) адреса электронной почты.
Сообщение о возможном установлении публичного сервитута
В соответствии с п. 3 ст. 39.42 Земельного кодекса Российской Федерации администрация города Благовещенска информирует о рассмотрении ходатайства ООО «АКС» об установлении публичного сервитута для размещения сети водоотведения в отношении:
1) частей земельных участков с кадастровыми номерами:
- 28:01:010093:21, расположенного в квартале 93;
- 28:01:010093:20, расположенного в квартале 93;
2) Земель, расположенных в кадастровом квартале 28:01:010093.
Графическое описание местоположения границ публичного сервитута

Заинтересованные лица в течение пятнадцати дней со дня 3 опубликования настоящего сообщения могут ознакомиться с поступившим ходатайством об установлении публичного сервитута и прилагаемым к нему описанием местоположения границ публичного сервитута по адресу: г. Благовещенск, ул. Ленина, 133, в рабочие дни с 09-00 до 18-00 (обеденный перерыв с 13-00 до 14-00), тел. 7(4162) 233-870 (официальный сайт администрации города Благовещенска – www.admblag.ru).
Правообладатели земельных участков, если их права не зарегистрированы в Едином государственном реестре недвижимости, в течение пятнадцати дней со дня опубликования настоящего сообщения могут подать заявление об учете их прав (обременений прав) на земельный участок с приложением копий документов, подтверждающих эти права (обременения прав), с указанием почтового адреса и (или) адреса электронной почты.
Сообщение о возможном установлении публичного сервитута
В соответствии с п. 3 ст. 39.42 Земельного кодекса Российской Федерации администрация города Благовещенска информирует о рассмотрении ходатайства ООО «АКС» об установлении публичного сервитута для размещения сети холодного водоснабжения в отношении:
1. земельных участков с кадастровыми номерами: - 28:01:000000:10478, расположенного в г. Благовещенске; - 28:01:000000:14173, расположенного в г. Благовещенске;
2. земель, расположенных в кадастровом квартале 28:01:010224.
Графическое описание местоположения границ публичного сервитута:

Заинтересованные лица в течение пятнадцати дней со дня опубликования настоящего сообщения могут ознакомиться с поступившим ходатайством об установлении публичного сервитута и прилагаемым к нему описанием местоположения границ публичного сервитута по адресу: г. Благовещенск, ул. Ленина, 133, в рабочие дни с 09-00 до 18-00 (обеденный перерыв с 13-00 до 14-00), тел. +7(4162) 233-874 (официальный сайт администрации города Благовещенска – www.admblag.ru).
Правообладатели земельных участков, если их права не зарегистрированы в Едином государственном реестре недвижимости, в течение пятнадцати дней со дня опубликования настоящего сообщения могут подать заявление об учете их прав (обременений прав) на земельный участок с приложением копий документов, подтверждающих эти права (обременения прав), с указанием почтового адреса и (или) адреса электронной почты.
Сообщение о возможном установлении публичного сервитута
В соответствии с п. 3 ст. 39.42 Земельного кодекса Российской Федерации администрация города Благовещенска информирует о рассмотрении ходатайства ООО «АКС» об установлении публичного сервитута для размещения сети холодного водоснабжеения в отношении:
1) Земельного участка с кадастровым номером 28:01:020404:1630, расположенного по ул. Василенко, 12, в квартале 404;
2) Земель, расположенных в кадастровых кварталах: 28:01:020404, 28:01:020403
Графическое описание местоположения границ публичного сервитута:

Заинтересованные лица в течение пятнадцати дней со дня опубликования настоящего сообщения могут ознакомиться с поступившим ходатайством об установлении публичного сервитута и прилагаемым к нему описанием местоположения границ публичного сервитута по адресу: г. Благовещенск, ул. Ленина, 133, в рабочие дни с 09-00 до 18-00 (обеденный перерыв с 13-00 до 14-00), тел. 7(4162) 233-870 (официальный сайт администрации города Благовещенска – www.admblag.ru).
Правообладатели земельных участков, если их права не зарегистрированы в Едином государственном реестре недвижимости, в течение пятнадцати дней со дня опубликования настоящего сообщения могут подать заявление об учете их прав (обременений прав) на земельный участок с приложением копий документов, подтверждающих эти права (обременения прав), с указанием почтового адреса и (или) адреса электронной почты.
Сообщение о возможном установлении публичного сервитута
В соответствии с п. 3 ст. 39.42 Земельного кодекса Российской Федерации администрация города Благовещенска информирует о рассмотрении ходатайства ООО «АКС» об установлении публичного сервитута для размещения сети холодного водоснабжения в отношении:
1) частей земельных участков с кадастровыми номерами: - 28:01:000000:2901, расположенного в г. Благовещенске; - 28:01:010011:1481, расположенного в квартале 11;
2) Земель, расположенных в кадастровом квартале 28:01:010011.
Графическое описание местоположения границ публичного сервитута:

Заинтересованные лица в течение пятнадцати дней со дня опубликования настоящего сообщения могут ознакомиться с поступившим ходатайством об установлении публичного сервитута и прилагаемым к нему описанием местоположения границ публичного сервитута по адресу: г. Благовещенск, ул. Ленина, 133, в рабочие дни с 09-00 до 18-00 (обеденный перерыв с 13-00 до 14-00), тел. 7(4162) 233-870 (официальный сайт администрации города Благовещенска – www.admblag.ru).
Правообладатели земельных участков, если их права не зарегистрированы в Едином государственном реестре недвижимости, в течение пятнадцати дней со дня опубликования настоящего сообщения могут подать заявление об учете их прав (обременений прав) на земельный участок с приложением копий документов, подтверждающих эти права (обременения прав), с указанием почтового адреса и (или) адреса электронной почты.
Сообщение о возможном установлении публичного сервитута
В соответствии с п. 3 ст. 39.42 Земельного кодекса Российской Федерации администрация города Благовещенска информирует о рассмотрении ходатайства АО «ДГК» об установлении публичного сервитута для размещения тепловых сетей, их неотъемлемых технологических частей (строительство ПНС на т/м № 1 Центрального района в районе улиц Красноармейская – Железнодорожная) в отношении:
1. земельного участка с кадастровым номером 28:01:000000:14172, расположенного в квартале 430;
2. земель, расположенных в кадастровом квартале 28:01:010430
Графическое описание местоположения границ публичного сервитута:

Заинтересованные лица в течение пятнадцати дней со дня опубликования настоящего сообщения могут ознакомиться с поступившим ходатайством об установлении публичного сервитута и прилагаемым к нему описанием местоположения границ публичного сервитута по адресу: г. Благовещенск, ул. Ленина, 133, в рабочие дни с 09-00 до 18-00, по телефону: 7(4162)233-874 (обеденный перерыв с 13-00 до 14-00) (официальный сайт Администрации города Благовещенска – www.admblag.ru).
Правообладатели земельных участков, если их права не зарегистрированы в Едином государственном реестре недвижимости, в течение пятнадцати дней со дня опубликования настоящего сообщения могут подать заявление об учете их прав (обременений прав) на земельный участок с приложением копий документов, подтверждающих эти права (обременения прав), с указанием почтового адреса и (или) адреса электронной почты.
Сообщение о возможном установлении публичного сервитута
Сообщение о возможном установлении публичного сервитута В соответствии с п. 3 ст. 39.42 Земельного кодекса Российской Федерации администрация города Благовещенска информирует о рассмотрении ходатайства АО «ДГК» об установлении публичного сервитута для размещения тепловой сети в отношении частей земельных участков с кадастровыми номерами:
- 28:01:000000:10462, расположенного в г. Благовещенске;
- 28:01:130052:2, расположенного в квартале 52;
- 28:01:000000:2141, расположенного в г. Благовещенске;
- 28:01:000000:10115, расположенного в г. Благовещенске.
Графическое описание местоположения границ публичного сервитута:
.png)
Заинтересованные лица в течении пятнадцати дней со дня опубликования настоящего сообщения могут ознакомиться с поступившим ходатайством об установлении публичного сервитута и прилагаемым к нему описанием местоположения границ публичного сервитута по адресу: г. Благовещенск, ул. Ленина, 133, в рабочие дни с 09-00 до 18-00 (обеденный перерыв с 13-00 до 14-00), тел. 7(4162) 233-876 (официальный сайт администрации города Благовещенска – www.admblag.ru). Правообладатели земельных участков, если их права не зарегистрированы в Едином государственном реестре недвижимости, в течение пятнадцати дней со дня опубликования настоящего сообщения могут подать заявление об учете их прав (обременений прав) на земельный участок с приложением копий документов, подтверждающих эти права (обременения прав), с указанием почтового адреса и (или) адреса электронной почты.
Сообщение о возможном установлении публичного сервитута
В соответствии с п. 3 ст. 39.42 Земельного кодекса Российской Федерации администрация города Благовещенска информирует о рассмотрении ходатайства АО «ДГК» об установлении публичного сервитута для размещения тепловой сети в отношении:
1) Земельного участка с кадастровым номером 28:01:010189:175, расположенного по ул. Островского, 116, в квартале 189;
2) земель, расположенных в кадастровых кварталах: 28:01:010189, 28:01:010188, 28:01:010201.
Графическое описание местоположения границ публичного сервитута:
.png)
Заинтересованные лица в течение пятнадцати дней со дня опубликования настоящего сообщения могут ознакомиться с поступившим ходатайством об установлении публичного сервитута и прилагаемым к нему описанием местоположения границ публичного сервитута по адресу: г. Благовещенск, ул. Ленина, 133, в рабочие дни с 09-00 до 18-00 (обеденный перерыв с 13-00 до 14-00), тел. 7(4162) 233-870 (официальный сайт администрации города Благовещенска – www.admblag.ru). Правообладатели земельных участков, если их права не зарегистрированы в Едином государственном реестре недвижимости, в течение пятнадцати дней со дня опубликования настоящего сообщения могут подать заявление об учете их прав (обременений прав) на земельный участок с приложением копий документов, подтверждающих эти права (обременения прав), с указанием почтового адреса и (или) адреса электронной почты.
Сообщение о возможном установлении публичного сервитута
В соответствии с п. 3 ст. 39.42 Земельного кодекса Российской Федерации администрация города Благовещенска информирует о рассмотрении ходатайства ООО «АКС» для размещения сети холодного водоснабжения в отношении:
1. Земельного участка с кадастровым номером 28:01:000000:3449, расположенного в г. Благовещенске.
2. Земель, расположенных в кадастровых кварталах: 28:01:010187, 28:01:010188, 28:01:010189.
Графическое описание местоположения границ публичного сервитута:
.png)
Заинтересованные лица в течение пятнадцати дней со дня опубликования настоящего сообщения могут ознакомиться с поступившим ходатайством об установлении публичного сервитута и прилагаемым к нему описанием местоположения границ публичного сервитута по адресу: г. Благовещенск, ул. Ленина, 133, в рабочие дни с 09-00 до 18-00 (обеденный перерыв с 13-00 до 14-00), тел. 7(4162) 233-876 (официальный сайт администрации города Благовещенска – www.admblag.ru). Правообладатели земельных участков, если их права не зарегистрированы в Едином государственном реестре недвижимости, в течение пятнадцати дней со дня опубликования настоящего сообщения могут подать заявление об учете их прав (обременений прав) на земельный участок с приложением копий документов, подтверждающих эти права (обременения прав), с указанием почтового адреса и (или) адреса электронной почты.
Сообщение о возможном установлении публичного сервитута
В соответствии с п. 3 ст. 39.42 Земельного кодекса Российской Федерации администрация города Благовещенска информирует о рассмотрении ходатайства ООО «АКС» об установлении публичного сервитута для размещения сети водоотведения в отношении:
1. земельного участка с кадастровым номером 28:01:130418:1538, расположенного в квартале 418;
2. земель, расположенных в кадастровом квартале: 28:01:130418.
Графическое описание местоположения границ публичного сервитута:
.png)
Заинтересованные лица в течение пятнадцати дней со дня опубликования настоящего сообщения могут ознакомиться с поступившим ходатайством об установлении публичного сервитута и прилагаемым к нему описанием местоположения границ публичного сервитута по адресу: г. Благовещенск, ул. Ленина, 133, в рабочие дни с 09-00 до 18-00 (обеденный перерыв с 13-00 до 14-00), тел. 7(4162) 233-875 (официальный сайт администрации города Благовещенска – www.admblag.ru). Правообладатели земельных участков, если их права не зарегистрированы в Едином государственном реестре недвижимости, в течение пятнадцати дней со дня опубликования настоящего сообщения могут подать заявление об учете их прав (обременений прав) на земельный участок с приложением копий документов, подтверждающих эти права (обременения прав), с указанием почтового адреса и (или) адреса электронной почты.
Сообщение о возможном установлении публичного сервитута
В соответствии с п. 3 ст. 39.42 Земельного кодекса Российской Федерации администрация города Благовещенска информирует о рассмотрении ходатайства ООО «АКС» об установлении публичного сервитута для размещения сети водоотведения в отношении: 1. земельного участка с кадастровым номером 28:01:000000:3449, расположенного в г. Благовещенске; 2. земель, расположенных в кадастровом квартале 28:01:010189; 3. земель, расположенных в кадастровом квартале 28:01:010190.
Графическое описание местоположения границ публичного сервитута:
.png)
Заинтересованные лица в течение пятнадцати дней со дня опубликования настоящего сообщения могут ознакомиться с поступившим ходатайством об установлении публичного сервитута и прилагаемым к нему описанием местоположения границ публичного сервитута по адресу: г. Благовещенск, ул. Ленина, 133, в рабочие дни с 09-00 до 18-00 (обеденный перерыв с 13- 00 до 14-00), тел. +7(4162) 233-873 (официальный сайт администрации города Благовещенска – www.admblag.ru). Правообладатели земельных участков, если их права не зарегистрированы в Едином государственном реестре недвижимости, в течение пятнадцати дней со дня опубликования настоящего сообщения могут подать заявление об учете их прав (обременений прав) на земельный участок с приложением копий документов, подтверждающих эти права (обременения прав), с указанием почтового адреса и (или) адреса электронной почты
Сообщение о возможном установлении публичного сервитута
В соответствии с п. 3 ст. 39.42 Земельного кодекса Российской Федерации администрация города Благовещенска информирует о рассмотрении ходатайства МУ «ГУКС» об установлении публичного сервитута ля размещения ливневой канализации (сети водоотведения) к школе на 1200 мест для размещения ливневой канализации (сети водоотведения) к школе на 1200 мест в Северном планировочном районе г. Благовещенск, Амурская область в отношении частей земельных участков с кадастровыми номерами: - 28:01:020800:1072, расположенного в квартале 800; - 28:01:020800:1073, расположенного по ул. Муравьева-Амурского 13, 13/2, 15, 17 17/2, 19, в квартале 800.
Графическое описание местоположения границ публичного сервитута:
.png)
Заинтересованные лица в течении пятнадцати дней со дня опубликования настоящего сообщения могут ознакомиться с поступившим ходатайством об установлении публичного сервитута и прилагаемым к нему описанием местоположения границ публичного сервитута по адресу: г. Благовещенск, ул. Ленина, 133, в рабочие дни с 09-00 до 18-00 (обеденный перерыв с 13-00 до 14-00), тел. 7(4162) 233-876 (официальный сайт администрации города Благовещенска – www.admblag.ru).
Правообладатели земельных участков, если их права не зарегистрированы в Едином государственном реестре недвижимости, в течение пятнадцати дней со дня опубликования настоящего сообщения могут подать заявление об учете их прав (обременений прав) на земельный участок с приложением копий документов, подтверждающих эти права (обременения прав), с указанием почтового адреса и (или) адреса электронной почты.
Сообщение о возможном установлении публичного сервитута
В соответствии с п. 3 ст. 39.42 Земельного кодекса Российской Федерации администрация города Благовещенска информирует о рассмотрении ходатайства ООО «АКС» для размещения сети холодного водоснабжения в отношении: 1. Земельных участков с кадастровыми номерами:
- 28:01:030604:1897, расположенного по ул. Железнодорожная, 4, в квартале 604;
- 28:01:000000:13496, расположенного в квартале 604; - 28:01:030604:1862, расположенного по ул. Железнодорожная, 4/3, в квартале 604; 2. Земель, расположенных в кадастровом квартале: 28:01:030604.
Графическое описание местоположения границ публичного сервитута:
.png)
Заинтересованные лица в течение пятнадцати дней со дня опубликования настоящего сообщения могут ознакомиться с поступившим ходатайством об установлении публичного сервитута и прилагаемым к нему описанием местоположения границ публичного сервитута по адресу: г. Благовещенск, ул. Ленина, 133, в рабочие дни с 09-00 до 18-00 (обеденный перерыв с 13-00 до 14-00), тел. 7(4162) 233-876 (официальный сайт администрации города Благовещенска – www.admblag.ru). Правообладатели земельных участков, если их права не зарегистрированы в Едином государственном реестре недвижимости, в течение пятнадцати дней со дня опубликования настоящего сообщения могут подать заявление об учете их прав (обременений прав) на земельный участок с приложением копий документов, подтверждающих эти права (обременения прав), с указанием почтового адреса и (или) адреса электронной почты.
Сообщение о возможном установлении публичного сервитута
В соответствии с п. 3 ст. 39.42 Земельного кодекса Российской
Федерации администрация города Благовещенска информирует о
рассмотрении ходатайства ООО «АКС» об установлении публичного
сервитута для размещения сети водоотведения в отношении:
1. земельных участков с кадастровыми номерами:
- 28:01:030604:1862, расположенного по ул. Железнодорожная, 4/3, в квартале 604;
- 28:01:000000:13496, расположенного в квартале 604;
2. земель, расположенных в кадастровых кварталах:
- 28:01:030604;
- 28:01:010449.
Графическое описание местоположения границ публичного сервитута:
.png)
Заинтересованные лица в течение пятнадцати дней со дня опубликования настоящего сообщения могут ознакомиться с поступившим ходатайством об установлении публичного сервитута и прилагаемым к нему описанием местоположения границ публичного сервитута по адресу: г. Благовещенск, ул. Ленина, 133, в рабочие дни с 09-00 до 18-00 (обеденный перерыв с 13-00 до 14-00), тел. +7(4162) 233-874 (официальный сайт Администрации города Благовещенска – www.admblag.ru).
Правообладатели земельных участков, если их права не зарегистрированы в Едином государственном реестре недвижимости, в течение пятнадцати дней со дня опубликования настоящего сообщения могут подать заявление об учете их прав (обременений прав) на земельный участок с приложением копий документов, подтверждающих эти права (обременения прав), с указанием почтового адреса и (или) адреса электронной почты.
Сообщение о возможном установлении публичного сервитута
В соответствии с п. 3 ст. 39.42 Земельного кодекса Российской Федерации администрация города Благовещенска информирует о рассмотрении ходатайства ООО «АКС» об установлении публичного сервитута для размещения сети холодного водоснабжения в отношении земельных участков, расположенных в квартале 346, с кадастровыми номерами 28:01:210345:1826, 28:01:210345:174.
Графическое описание местоположения границ публичного сервитута:
.png)
Заинтересованные лица в течение пятнадцати дней со дня опубликования настоящего сообщения могут ознакомиться с поступившим ходатайством об установлении публичного сервитута и прилагаемым к нему описанием местоположения границ публичного сервитута по адресу: г. Благовещенск, ул. Ленина, 133, в рабочие дни с 09-00 до 18-00 (обеденный перерыв с 13-00 до 14-00), тел. 7(4162) 233-875 (официальный сайт администрации города Благовещенска – www.admblag.ru).
Правообладатели земельных участков, если их права не зарегистрированы в Едином государственном реестре недвижимости, в течение пятнадцати дней со дня опубликования настоящего сообщения могут подать заявление об учете их прав (обременений прав) на земельный участок с приложением копий документов, подтверждающих эти права (обременения прав), с указанием почтового адреса и (или) адреса электронной почты.
Сообщение о возможном установлении публичного сервитута
В соответствии с п. 3 ст. 39.42 Земельного кодекса Российской Федерации администрация города Благовещенска информирует о рассмотрении ходатайства МУ «ГУКС» об установлении публичного сервитута для размещения тепловой сети по объекту:
«Проектирование газовой котельной в 524 квартале г. Благовещенска для обеспечения подключения объектов капитального строительства территории комплексного развития 352 квартала г. Благовещенск» в отношении:
1) земельных участков с кадастровыми номерами:
- 28:01:000000:154 (единое землепользование) (обособленный с участок 28:01:120001:21), расположенного в г. Благовещенске;
- 28:01:000000:155 (единое землепользование) (обособленные участки 28:01:040717:30, 28:01:210352:140), расположенный в г. Благовещенске;
- 28:01:040717:31, расположенного в квартале 717;
- 28:01:040717:32, расположенного по ул. Чайковского, 301, в квартале 717;
- 28:01:000000:128 (единое землепользование) обособленный участок с 28:01:040717:23), расположенного в г. Благовещенске;
- 28:01:040717:459, расположенного в квартале 717.
2) земель, расположенных в кадастровых кварталах 28:01:020524,
28:01:040717, 28:01:210352.
Графическое описание местоположения границ публичного сервитута:
.png)
Заинтересованные лица в течение пятнадцати дней со дня опубликования настоящего сообщения могут ознакомиться с поступившим ходатайством об установлении публичного сервитута и прилагаемым к нему описанием местоположения границ публичного сервитута по адресу: г. Благовещенск, ул. Ленина, 133, в рабочие дни с 09-00 до 18-00 (обеденный перерыв с 13-00 до 14-00), тел. 7(4162) 233-870 (официальный сайт администрации города Благовещенска – www.admblag.ru)
Сообщение о возможном установлении публичного сервитута
В соответствии с п. 3 ст. 39.42 Земельного кодекса Российской Федерации администрация города Благовещенска информирует о рассмотрении ходатайства ООО «АКС» об установлении публичного
сервитута для размещения сети водоотведения в отношении:
1. земельных участков с кадастровыми номерами:
- 28:01:030011:6, расположенного по ул. Нагорная, 7, в квартале 666Б;
-28:01:030011:78, расположенного по ул. Нагорная, 3, в квартале 666Б;
2. земель, расположенных в кадастровом квартале: 28:01:030011.
Графическое описание местоположения границ публичного сервитута:
.png)
Заинтересованные лица в течении пятнадцати дней со дня опубликования настоящего сообщения могут ознакомиться с поступившим ходатайством об установлении публичного сервитута и прилагаемым к нему описанием местоположения границ публичного сервитута по адресу: г. Благовещенск, ул. Ленина, 133, в рабочие дни с 09-00 до 18-00 (обеденный перерыв с 13-00 до 14-00), тел. 7(4162) 233-875 (официальный сайт администрации города Благовещенска – www.admblag.ru). Правообладатели земельных участков, если их права не зарегистрированы в Едином государственном реестре недвижимости, в течение пятнадцати дней со дня опубликования настоящего сообщения могут подать заявление об учете их прав (обременений прав) на земельный участок с приложением копий документов, подтверждающих эти права (обременения прав), с указанием почтового адреса и (или) адреса электронной почты.
Сообщение о возможном установлении публичного сервитута
В соответствии с п. 3 ст. 39.42 Земельного кодекса Российской Федерации администрация города Благовещенска информирует о рассмотрении ходатайства ООО «АКС» об установлении публичного сервитута для размещения сети холодного водоснабжения в отношении земельных участков, расположенных в городе Благовещенске, с кадастровыми номерами 28:01:000000:10462, 28:01:000000:2141, 28:01:000000:1015
Графическое описание местоположения границ публичного сервитута:
.png)
Заинтересованные лица в течении пятнадцати дней со дня опубликования настоящего сообщения могут ознакомиться с поступившим ходатайством об установлении публичного сервитута и прилагаемым к нему описанием местоположения границ публичного сервитута по адресу: г. Благовещенск, ул. Ленина, 133, в рабочие дни с 09-00 до 18-00 (обеденный перерыв с 13-00 до 14-00), тел. 7(4162) 233-875 (официальный сайт администрации города Благовещенска – www.admblag.ru). Правообладатели земельных участков, если их права не зарегистрированы в Едином государственном реестре недвижимости, в течение пятнадцати дней со дня опубликования настоящего сообщения могут подать заявление об учете их прав (обременений прав) на земельный участок с приложением копий документов, подтверждающих эти права (обременения прав), с указанием почтового адреса и (или) адреса электронной почты.
Сообщение о возможном установлении публичного сервитута
В соответствии с п. 3 ст. 39.42 Земельного кодекса Российской Федерации администрация города Благовещенска информирует о рассмотрении ходатайства ООО «АКС» об установлении публичного сервитута для размещения сети водоотведения в отношении частей земельных участков с кадастровыми номерами: - 28:01:000000:10462, расположенного в г. Благовещенске; - 28:01:000000:10115, расположенного в г. Благовещенске; - 28:01:000000:2141, расположенного в г. Благовещенске.
Графическое описание местоположения границ публичного сервитута:
.png)
Заинтересованные лица в течении пятнадцати дней со дня опубликования настоящего сообщения могут ознакомиться с поступившим ходатайством об установлении публичного сервитута и прилагаемым к нему описанием местоположения границ публичного сервитута по адресу: г. Благовещенск, ул. Ленина, 133, в рабочие дни с 09-00 до 18-00 (обеденный перерыв с 13-00 до 14-00), тел. 7(4162) 233-876 (официальный сайт администрации города Благовещенска – www.admblag.ru). Правообладатели земельных участков, если их права не зарегистрированы в Едином государственном реестре недвижимости, в течение пятнадцати дней со дня опубликования настоящего сообщения могут подать заявление об учете их прав (обременений прав) на земельный участок с приложением копий документов, подтверждающих эти права (обременения прав), с указанием почтового адреса и (или) адреса электронной почты.
Сообщение о возможном установлении публичного сервитута
В соответствии с п. 3 ст. 39.42 Земельного кодекса Российской Федерации администрация города Благовещенска информирует о рассмотрении ходатайства ООО «БИК» об установлении публичного сервитута для размещения антенно-мачтового сооружения связи на землях,расположенных в кадастровом квартале 28:01:030004.
Графическое описание местоположения границ публичного сервитута:
.png)
Заинтересованные лица в течение пятнадцати дней со дня опубликования настоящего сообщения могут ознакомиться с поступившим ходатайством об установлении публичного сервитута и прилагаемым к нему описанием местоположения границ публичного сервитута по адресу: г. Благовещенск, ул. Ленина, 133, в рабочие дни с 09-00 до 18-00 (обеденный перерыв с 13-00 до 14-00), тел. 7(4162) 233-870 (официальный сайт администрации города Благовещенска – www.admblag.ru).
Правообладатели земельных участков, если их права не зарегистрированы в Едином государственном реестре недвижимости, в течение пятнадцати дней со дня опубликования настоящего сообщения могут подать заявление об учете их прав (обременений прав) на земельный участок с приложением копий документов, подтверждающих эти права (обременения прав), с указанием почтового адреса и (или) адреса электронной почты.
Сообщение о возможном установлении публичного сервитута
В соответствии с п. 3 ст. 39.42 Земельного кодекса Российской Федерации администрация города Благовещенска информирует о рассмотрении ходатайства ООО «АКС» об установлении публичного сервитута для размещения сети холодного водоснабжения в отношении:
1. Земельного участка с кадастровым номером 28:01:130237:799, расположенного в квартале 237;
2. Земель, расположенных в кадастровом квартале 28:01:130237.
Графическое описание местоположения границ публичного сервитута:
.png)
Заинтересованные лица в течение пятнадцати дней со дня опубликования настоящего сообщения могут ознакомиться с поступившим ходатайством об установлении публичного сервитута и прилагаемым к нему описанием местоположения границ публичного сервитута по адресу: г. Благовещенск, ул. Ленина, 133, в рабочие дни с 09-00 до 18-00 (обеденный перерыв с 13-00 до 14-00), тел. +7(4162) 233-873 (официальный сайт администрации города Благовещенска –www.admblag.ru).Правообладатели земельных участков, если их права не зарегистрированы в Едином государственном реестре недвижимости, в течение пятнадцати дней со дня опубликования настоящего сообщения могут подать заявление об учете их прав (обременений прав) на земельный участок с приложением копий документов, подтверждающих эти права (обременения прав), с указанием почтового адреса и (или) адреса электронной почты.
Сообщение о возможном установлении публичного сервитута
В соответствии с п. 3 ст. 39.42 Земельного кодекса Российской Федерации администрация города Благовещенска информирует о рассмотрении ходатайства ООО «АКС» об установлении публичного сервитута для размещения сети водоотведения в отношении:
1. земельного участка с кадастровым номером 28:01:130237:799, расположенного в квартале 237;
2. земель, расположенных в кадастровом квартале: 28:01:130237
Графическое описание местоположения границ публичного сервитута:
.png)
Заинтересованные лица в течение пятнадцати дней со дня опубликования настоящего сообщения могут ознакомиться с поступившим ходатайством об установлении публичного сервитута и прилагаемым к нему описанием местоположения границ публичного сервитута по адресу: г. Благовещенск, ул. Ленина, 133, в рабочие дни с 09-00 до 18-00 (обеденный перерыв с 13-00 до 14-00), тел. +7(4162) 233-873 (официальный сайт администрации города Благовещенска –www.admblag.ru).Правообладатели земельных участков, если их права не зарегистрированы в Едином государственном реестре недвижимости, в течение пятнадцати дней со дня опубликования настоящего сообщения могут подать заявление об учете их прав (обременений прав) на земельный участок с приложением копий документов, подтверждающих эти права (обременения прав), с указанием почтового адреса и (или) адреса электронной почты.
Сообщение о возможном установлении публичного сервитута
В соответствии с п. 3 ст. 39.42 Земельного кодекса Российской Федерации администрация города Благовещенска информирует о рассмотрении ходатайства МУ «ГУКС» об установлении публичного сервитута для реконструкции инженерных коммуникаций, размещения объектов электросетевого хозяйства (кабель для подключения уличного освещения) по объекту: «Реконструкция автомобильной дороги по ул. Октябрьская от ул. Лазо до ул. Театральная г. Благовещенск, Амурская область» в отношении:
1. Земельных участков с кадастровыми номерами:
- 28:01:010215:159, расположенного по ул. Октябрьская, 111, в квартале 215;
- 28:01:010224:27, расположенного по ул. ул. Октябрьская 107/ул. Театральная, 91, в квартале 224;
- 28:01:010224:31, расположенного по ул. Октябрьская, 101, в квартале 224;
- 28:01:010224:281, расположенного в квартале 224;
- 28:01:010224:17, расположенного по ул. Октябрьская, 91, в квартале 224;
- 28:01:010224:1, расположенного по ул. Октябрьская, 93, в квартале 224;
- 28:01:010224:7, расположенного по ул. Октябрьская, 89, в квартале 224;
- 28:01:010224:5, расположенного по ул. Октябрьская, 87, в квартале 224;
- 28:01:010224:18, расположенного по ул. Октябрьская, 85/ул.
Политехническая, 104, в квартале 224;
- 28:01:010232:21, расположенного в квартале 232;
- 28:01:010232:3, расположенного по ул. Октябрьская, 81, в квартале 232;
- 28:01:010232:566, расположенного в квартале 232;
- 28:01:010232:792, расположенного по ул. Октябрьская, 79/1, в квартале 232;
- 28:01: 010232:793, расположенного по ул. Октябрьская, 79/1, в квартале 232;
- 28:01:130239:390, расположенного в квартале 239;
- 28:01:010240:69, расположенного по ул. Октябрьская, 75, в квартале 240;
- 28:01:010240:68, расположенного по ул. Октябрьская, 71, в квартале 240;
- 28:01:010240:35, расположенного по ул. Октябрьская, 69, в квартале 240;
- 28:01:010240:67, расположенного по ул. Октябрьская, 65, в квартале 240;
- 28:01:010240:2, расположенного по ул. Октябрьская, 53, в квартале 240;
- 28:01:010240:38, расположенного по ул. Октябрьская, 51, в квартале 240;
- 28:01:010240:693, расположенного по ул. Октябрьская, 49/2, в квартале 240;
- 28:01:010240:694, расположенного по ул. Октябрьская, 49, в квартале 240;
- 28:01:010248:28, расположенного по ул. Октябрьская, 47, в квартале 248;
- 28:01:010248:19, расположенного по ул. Октябрьская, 45, в квартале 248;
- 28:01:010248:1, расположенного по ул. Октябрьская, 43, в квартале 248;
- 28:01:010248:6, расположенного в квартале 248;
- 28:01:010248:20, расположенного по ул. Октябрьская, 39, в квартале 248;
- 28:01:010248:23, расположенного по ул. Лазо, 136, в квартале 248;
- 28:01:010248:18, расположенного по ул. Октябрьская, 37, в квартале 248;
- 28:01:010248:25, расположенного по ул. Октябрьская, 35, в квартале 248;
- 28:01:000000:13910, расположенного в городе Благовещенске;
- 28:01:010247:22, расположенного по ул. Октябрьская, 28/1, в квартале 247;
- 28:01:010247:13, расположенного по ул. Октябрьская, 30, в квартале 247;
- 28:01:010247:17, расположенного по ул. Октябрьская, 32, в квартале 247;
- 28:01:010247:11, расположенного по ул. Октябрьская, 34, в квартале 247;
- 28:01:010247:16, расположенного по ул. Октябрьская, 44, в квартале 247;
- 28:01:010247:15, расположенного по ул. Октябрьская, 46, в квартале 247;
- 28:01:130231:22, расположенного по ул. Октябрьская, 66, в квартале 231;
- 28:01:130222:17, расположенного по ул. Октябрьская, 72, в квартале 222.
2. Земель, расположенных в кадастровых кварталах: 28:01:010215,
28:01:010224, 28:01:010232, 28:01:010240, 28:01:010248, 28:01:010247,
28:01:010239, 28:01:010231, 28:01:010213, 28:01:010222.
Графическое описание местоположения границ публичного сервитута:
.png)
_____________________________________________________________________________________________________________________________________
.png)
______________________________________________________________________________________________________________________________________
.png)
___________________________________________________________________________________________________________________________________
.png)
____________________________________________________________________________________________________________________________________________________
.png)
Заинтересованные лица в течение пятнадцати дней со дня опубликования настоящего сообщения могут ознакомиться с поступившим ходатайством об установлении публичного сервитута и прилагаемым к нему описанием местоположения границ публичного сервитута по адресу: г. Благовещенск, ул. Ленина, 133, в рабочие дни с 09-00 до 18-00, по телефону: +7(4162) 233-875
(обеденный перерыв с 13-00 до 14-00) (официальный сайт администрации города Благовещенска – www.admblag.ru).
Правообладатели земельных участков, если их права не зарегистрированы в Едином государственном реестре недвижимости, в течение пятнадцати дней со дня опубликования настоящего сообщения могут подать заявление об учете их прав (обременений прав) на земельный участок с приложением копий документов, подтверждающих эти права (обременения прав), с указанием почтового адреса и (или) адреса электронной почты
Сообщение о возможном установлении публичного сервитута
В соответствии с п. 3 ст. 39.42 Земельного кодекса Российской Федерации администрация города Благовещенска информирует о рассмотрении ходатайства ООО «АКС» об установлении публичного сервитута для размещения сетей холодного водоснабжения в отношении земельных участков с кадастровыми номерами 28:01:010325:617, 28:01:010325:187, расположенных в г. Благовещенске, и земель, расположенных в кадастровых кварталах: 28:01:010325, 28:01:010327.
Графическое описание местоположения границ публичного сервитута:
.png)
Заинтересованные лица в течение пятнадцати дней со дня опубликования настоящего сообщения могут ознакомиться с поступившим ходатайством об установлении публичного сервитута и прилагаемым к нему описанием местоположения границ публичного сервитута по адресу: г. Благовещенск, ул. Ленина, 133, в рабочие дни с 09-00 до 18-00 (обеденный перерыв с 13-00 до 14-00), тел. 7(4162) 233-870 (официальный сайт администрации города Благовещенска – www.admblag.ru).
Правообладатели земельных участков, если их права не зарегистрированы в Едином государственном реестре недвижимости, в течение пятнадцати дней со дня опубликования настоящего сообщения могут подать заявление об учете их прав (обременений прав) на земельный участок с приложением копий документов, подтверждающих эти права (обременения прав), с указанием почтового адреса и (или) адреса электронной почты.
Сообщение о возможном установлении публичного сервитута
В соответствии с п. 3 ст. 39.42 Земельного кодекса Российской Федерации администрация города Благовещенска информирует о рассмотрении ходатайства ООО «АКС» об установлении публичного сервитута для размещения сети холодного водоснабжения в отношении:
1. Земельного участка с кадастровым номером 28:01:010180:162, расположенного по ул. Ломоносова, 181, в квартале 180;
2. Земель, расположенных в кадастровом квартале 28:01:010180.
Графическое описание местоположения границ публичного сервитута:
.png)
Заинтересованные лица в течение пятнадцати дней со дня опубликования настоящего сообщения могут ознакомиться с поступившим ходатайством об установлении публичного сервитута и прилагаемым к нему описанием местоположения границ публичного сервитута по адресу: г. Благовещенск, ул. Ленина, 133, в рабочие дни с 09-00 до 18-00 (обеденный перерыв с 13-00 до 14-00), тел. +7(4162) 233-873 (официальный сайт администрации города Благовещенска – www.admblag.ru).
Правообладатели земельных участков, если их права не зарегистрированы в Едином государственном реестре недвижимости, в течение пятнадцати дней со дня опубликования настоящего сообщения могут подать заявление об учете их прав (обременений прав) на земельный участок с приложением копий документов, подтверждающих эти права (обременения прав), с указанием почтового адреса и (или) адреса электронной почты.
Сообщение о возможном установлении публичного сервитута
В соответствии с п. 3 ст. 39.42 Земельного кодекса Российской Федерации администрация города Благовещенска информирует о рассмотрении ходатайства ООО «АКС» об установлении публичного сервитута для размещения сети водоотведения в отношении:
1) Земельного участка с кадастровым номером 28:01:010180:162, расположенного по ул. Ломоносова, 181, в квартале 180;
2) Земель, расположенных в кадастровых кварталах: 28:01:010180, 28:01:010179.
Графическое описание местоположения границ публичного сервитута:
.png)
Заинтересованные лица в течение пятнадцати дней со дня опубликования настоящего сообщения могут ознакомиться с поступившим ходатайством об установлении публичного сервитута и прилагаемым к нему описанием местоположения границ публичного сервитута по адресу: г. Благовещенск, ул. Ленина, 133, в рабочие дни с 09-00 до 18-00 (обеденный перерыв с 13-00 до 14-00), тел. 7(4162) 233-870 (официальный сайт администрации города Благовещенска – www.admblag.ru).
Правообладатели земельных участков, если их права не зарегистрированы в Едином государственном реестре недвижимости, в течение пятнадцати дней со дня опубликования настоящего сообщения могут подать заявление об учете их прав (обременений прав) на земельный участок с приложением копий документов, подтверждающих эти права (обременения прав), с указанием почтового адреса и (или) адреса электронной почты.
Сообщение о возможном установлении публичного сервитута
В соответствии с п. 3 ст. 39.42 Земельного кодекса Российской Федерации администрация города Благовещенска информирует о рассмотрении ходатайства ООО «АКС» об установлении публичного сервитута для размещения сетей холодного водоснабжения в отношении частей земельных участков, расположенных в г. Благовещенске, с кадастровыми номерами:
- 28:01:000000:268;
- 28:01:020800:3309;
- 28:01:020800:4036;
- 28:01:020800:3574;
- 28:01:020800:4033;
- 28:01:020800:4030;
- 28:01:020800:4034.
Графическое описание местоположения границ публичного сервитута:

Заинтересованные лица в течении пятнадцати дней со дня опубликования настоящего сообщения могут ознакомиться с поступившим ходатайством об установлении публичного сервитута и прилагаемым к нему описанием местоположения границ публичного сервитута по адресу: г. Благовещенск, ул. Ленина, 133, в рабочие дни с 09-00 до 18-00 (обеденный перерыв с 13-00 до 14-00), тел. 7(4162) 233-876 (официальный сайт администрации города Благовещенска – www.admblag.ru).
Правообладатели земельных участков, если их права не зарегистрированы в Едином государственном реестре недвижимости, в течение пятнадцати дней со дня опубликования настоящего сообщения могут подать заявление об учете их прав (обременений прав) на земельный участок с приложением копий документов, подтверждающих эти права (обременения прав), с указанием почтового адреса и (или) адреса электронной почты.
Сообщение о возможном установлении публичного сервитута
В соответствии с п. 3 ст. 39.42 Земельного кодекса Российской Федерации администрация города Благовещенска информирует о рассмотрении ходатайства ООО «АКС» об установлении публичного сервитута для размещения сети водоотведения в отношении земель, расположенных в кадастровом квартале 28:01:010296.
Графическое описание местоположения границ публичного сервитута:

Заинтересованные лица в течение пятнадцати дней со дня опубликования настоящего сообщения могут ознакомиться с поступившим ходатайством об установлении публичного сервитута и прилагаемым к нему описанием местоположения границ публичного сервитута по адресу: г. Благовещенск, ул. Ленина, 133, в рабочие дни с 09-00 до 18-00 (обеденный перерыв с 13-00 до 14-00), тел. 7(4162) 233-875 (официальный сайт администрации города Благовещенска – www.admblag.ru).
Правообладатели земельных участков, если их права не зарегистрированы в Едином государственном реестре недвижимости, в течение пятнадцати дней со дня опубликования настоящего сообщения могут подать заявление об учете их прав (обременений прав) на земельный участок с приложением копий документов, подтверждающих эти права (обременения прав), с указанием почтового адреса и (или) адреса электронной почты.
Сообщение о возможном установлении публичного сервитута
В соответствии с п. 3 ст. 39.42 Земельного кодекса Российской Федерации администрация города Благовещенска информирует о рассмотрении ходатайства ООО «АКС» об установлении публичного сервитута для размещения сети холодного водоснабжения в отношении земель, расположенных в кадастровом квартале: 28:01:010296, 28:01:010297.
Графическое описание местоположения границ публичного сервитута:

Заинтересованные лица в течение пятнадцати дней со дня опубликования настоящего сообщения могут ознакомиться с поступившим ходатайством об установлении публичного сервитута и прилагаемым к нему описанием местоположения границ публичного сервитута по адресу: г. Благовещенск, ул. Ленина, 133, в рабочие дни с 09-00 до 18-00 (обеденный перерыв с 13-00 до 14-00), тел. +7(4162) 233-874 (официальный сайт Администрации города Благовещенска – www.admblag.ru).
Правообладатели земельных участков, если их права не зарегистрированы в Едином государственном реестре недвижимости, в течение пятнадцати дней со дня опубликования настоящего сообщения могут подать заявление об учете их прав (обременений прав) на земельный участок с приложением копий документов, подтверждающих эти права (обременения прав), с указанием почтового адреса и (или) адреса электронной почты.
Сообщение о возможном установлении публичного сервитута
В соответствии с п. 3 ст. 39.42 Земельного кодекса Российской Федерации администрация города Благовещенска информирует о рассмотрении ходатайства ООО «АКС» об установлении публичного сервитута для размещения сети холодного водоснабжения на землях, расположенных в кадастровых кварталах 28:01:130084, 28:01:130085, 28:01:130090.
Графическое описание местоположения границ публичного сервитута:

Заинтересованные лица в течение пятнадцати дней со дня опубликования настоящего сообщения могут ознакомиться с поступившим ходатайством об установлении публичного сервитута и прилагаемым к нему описанием местоположения границ публичного сервитута по адресу: г. Благовещенск, ул. Ленина, 133, в рабочие дни с 09-00 до 18-00 (обеденный перерыв с 13-00 до 14-00), тел. 7(4162) 233-870 (официальный сайт администрации города Благовещенска – www.admblag.ru).
Правообладатели земельных участков, если их права не зарегистрированы в Едином государственном реестре недвижимости, в течение пятнадцати дней со дня опубликования настоящего сообщения могут подать заявление об учете их прав (обременений прав) на земельный участок с приложением копий документов, подтверждающих эти права (обременения прав), с указанием почтового адреса и (или) адреса электронной почты.
Сообщение о возможном установлении публичного сервитута
В соответствии с п. 3 ст. 39.42 Земельного кодекса Российской Федерации администрация города Благовещенска информирует о рассмотрении ходатайства ООО «АКС» об установлении публичного сервитута для размещения сети водоснабжения в отношении земельного участка с кадастровым номером 28:01:010162:975, расположенного в квартале 162.
Графическое описание местоположения границ публичного сервитута:
Заинтересованные лица в течение пятнадцати дней со дня опубликования настоящего сообщения могут ознакомиться с поступившим ходатайством об установлении публичного сервитута и прилагаемым к нему описанием местоположения границ публичного сервитута по адресу: г. Благовещенск, ул. Ленина, 133, в рабочие дни с 09-00 до 18-00 (обеденный перерыв с 13-00 до 14-00), тел. 7(4162) 233-875 (официальный сайт администрации города Благовещенска – www.admblag.ru).
Правообладатели земельных участков, если их права не зарегистрированы в Едином государственном реестре недвижимости, в течение пятнадцати дней со дня опубликования настоящего сообщения могут подать заявление об учете их прав (обременений прав) на земельный участок с приложением копий документов, подтверждающих эти права (обременения прав), с указанием почтового адреса и (или) адреса электронной почты.
Сообщение о возможном установлении публичного сервитута
В соответствии с п. 3 ст. 39.42 Земельного кодекса Российской Федерации администрация города Благовещенска информирует о рассмотрении ходатайства ООО «АКС» об установлении публичного сервитута для размещения сети водоотведения в отношении:
1. земельного участка с кадастровым номером 28:01:010162:975, расположенного в квартале 162;
2. земельного участка с кадастровым номером 28:01:010162:981, расположенного в квартале 162;
3. земель, расположенных в кадастровом квартале 28:01:010163.
Графическое описание местоположения границ публичного сервитута:
Заинтересованные лица в течение пятнадцати дней со дня опубликования настоящего сообщения могут ознакомиться с поступившим ходатайством об установлении публичного сервитута и прилагаемым к нему описанием местоположения границ публичного сервитута по адресу: г. Благовещенск, ул. Ленина, 133, в рабочие дни с 09-00 до 18-00 (обеденный перерыв с 13-00 до 14-00), тел. 7(4162) 233-875 (официальный сайт администрации города Благовещенска – www.admblag.ru).
Правообладатели земельных участков, если их права не зарегистрированы в Едином государственном реестре недвижимости, в течение пятнадцати дней со дня опубликования настоящего сообщения могут подать заявление об учете их прав (обременений прав) на земельный участок с приложением копий документов, подтверждающих эти права (обременения прав), с указанием почтового адреса и (или) адреса электронной почты.
Сообщение о возможном установлении публичного сервитута
В соответствии с п. 3 ст. 39.42 Земельного кодекса Российской Федерации администрация города Благовещенска информирует о рассмотрении ходатайства ООО «АКС» об установлении публичного сервитута для размещения сети водоотведения в отношении:
1. Земельного участка с кадастровым номером 28:01:130071:16, расположенного по ул. Политехническая, 37;
2. Земельного участка с кадастровым номером 28:01:000000:2901.
Графическое описание местоположения границ публичного сервитута:
.png)
Заинтересованные лица в течение пятнадцати дней со дня опубликования настоящего сообщения могут ознакомиться с поступившим ходатайством об установлении публичного сервитута и прилагаемым к нему описанием местоположения границ публичного сервитута по адресу: г. Благовещенск, ул. Ленина, 133, в рабочие дни с 09-00 до 18-00 (обеденный перерыв с 13-00 до 14-00), тел. 7(4162) 233-875 (официальный сайт администрации города Благовещенска – www.admblag.ru).
Правообладатели земельных участков, если их права не зарегистрированы в Едином государственном реестре недвижимости, в течение пятнадцати дней со дня опубликования настоящего сообщения могут подать заявление об учете их прав (обременений прав) на земельный участок с приложением копий документов, подтверждающих эти права (обременения прав), с указанием почтового адреса и (или) адреса электронной почты.
Сообщение о возможном установлении публичного сервитута
В соответствии с п. 3 ст. 39.42 Земельного кодекса Российской Федерации администрация города Благовещенска информирует о рассмотрении ходатайства ООО «АКС» об установлении публичного сервитута для размещения сети водоснабжения в отношении:
1. Земельного участка с кадастровым номером 28:01:130071:16, расположенного по ул. Политехническая, 37;
2. Земельного участка с кадастровым номером 28:01:000000:2901.
Графическое описание местоположения границ публичного сервитута:
.png)
Заинтересованные лица в течение пятнадцати дней со дня опубликования настоящего сообщения могут ознакомиться с поступившим ходатайством об установлении публичного сервитута и прилагаемым к нему описанием местоположения границ публичного сервитута по адресу: г. Благовещенск, ул. Ленина, 133, в рабочие дни с 09-00 до 18-00 (обеденный перерыв с 13-00 до 14-00), тел. 7(4162) 233-875 (официальный сайт администрации города Благовещенска – www.admblag.ru).
Правообладатели земельных участков, если их права не зарегистрированы в Едином государственном реестре недвижимости, в течение пятнадцати дней со дня опубликования настоящего сообщения могут подать заявление об учете их прав (обременений прав) на земельный участок с приложением копий документов, подтверждающих эти права (обременения прав), с указанием почтового адреса и (или) адреса электронной почты.
Сообщение о возможном установлении публичного сервитута
В соответствии с п. 3 ст. 39.42 Земельного кодекса Российской Федерации администрация города Благовещенска информирует о рассмотрении ходатайства АО «ДРСК» об установлении публичного сервитута для размещения ВЛ-10 кВ Благовещенский район 12 км Игнатьевского шоссе (2,329) отпайка от Ф-4ПС Дачная в отношении земель, расположенных в кадастровом квартале: 28:01:110001.
Графическое описание местоположения границ публичного сервитута:

Заинтересованные лица в течение пятнадцати дней со дня опубликования настоящего сообщения могут ознакомиться с поступившим ходатайством об установлении публичного сервитута и прилагаемым к нему описанием местоположения границ публичного сервитута по адресу: г. Благовещенск, ул. Ленина, 133, в рабочие дни с 09-00 до 18-00 (обеденный перерыв с 13-00 до 14-00), тел. +7(4162) 233-874 (официальный сайт Администрации города Благовещенска – www.admblag.ru).
Правообладатели земельных участков, если их права не зарегистрированы в Едином государственном реестре недвижимости, в течение пятнадцати дней со дня опубликования настоящего сообщения могут подать заявление об учете их прав (обременений прав) на земельный участок с приложением копий документов, подтверждающих эти права (обременения прав), с указанием почтового адреса и (или) адреса электронной почты.
Сообщение о возможном установлении публичного сервитута
В соответствии с п. 3 ст. 39.42 Земельного кодекса Российской Федерации администрация города Благовещенска информирует о рассмотрении ходатайства ООО «АКС» об установлении публичного сервитута для размещения сети холодного водоснабжения в отношении:
1. земельных участков с кадастровыми номерами:
- 28:01:000000:2901, расположенного в г. Благовещенске;
- 28:01:010011:1457, расположенного в квартале 11;
- 28:01:010011:1480, расположенного в квартале 11;
2. земель, расположенных в кадастровом квартале: 28:01:010011.
Графическое описание местоположения границ публичного сервитута:

Заинтересованные лица в течение пятнадцати дней со дня опубликования настоящего сообщения могут ознакомиться с поступившим ходатайством об установлении публичного сервитута и прилагаемым к нему описанием местоположения границ публичного сервитута по адресу: г. Благовещенск, ул. Ленина, 133, в рабочие дни с 09-00 до 18-00 (обеденный перерыв с 13-00 до 14-00), тел. +7(4162) 233-874 (официальный сайт Администрации города Благовещенска – www.admblag.ru).
Правообладатели земельных участков, если их права не зарегистрированы в Едином государственном реестре недвижимости, в течение пятнадцати дней со дня опубликования настоящего сообщения могут подать заявление об учете их прав (обременений прав) на земельный участок с приложением копий документов, подтверждающих эти права (обременения прав), с указанием почтового адреса и (или) адреса электронной почты.
Сообщение о возможном установлении публичного сервитута
В соответствии с п. 3 ст. 39.42 Земельного кодекса Российской Федерации администрация города Благовещенска информирует о рассмотрении ходатайства ООО «АКС» об установлении публичного сервитута для размещения сети холодного водоснабжения в отношении:
1) частей земельных участков с кадастровыми номерами:
- 28:01:010011:1457, расположенного в квартале 11;
- 28:01:000000:2901, расположенного в ЗПУ-5;
2) земель, расположенных в кадастровом квартале 28:01:010011.
Графическое описание местоположения границ публичного сервитута:

Заинтересованные лица в течение пятнадцати дней со дня опубликования настоящего сообщения могут ознакомиться с поступившим ходатайством об установлении публичного сервитута и прилагаемым к нему описанием местоположения границ публичного сервитута по адресу: г. Благовещенск, ул. Ленина, 133, в рабочие дни с 09-00 до 18-00 (обеденный перерыв с 13-00 до 14-00), тел. 7(4162) 233-870 (официальный сайт администрации города Благовещенска – www.admblag.ru).
Правообладатели земельных участков, если их права не зарегистрированы в Едином государственном реестре недвижимости, в течение пятнадцати дней со дня опубликования настоящего сообщения могут подать заявление об учете их прав (обременений прав) на земельный участок с приложением копий документов, подтверждающих эти права (обременения прав), с указанием почтового адреса и (или) адреса электронной почты.
Сообщение о возможном установлении публичного сервитута
В соответствии с п. 3 ст. 39.42 Земельного кодекса Российской Федерации администрация города Благовещенска информирует о рассмотрении ходатайства ООО «АКС» об установлении публичного сервитута для размещения сети водоотведения в отношении:
1. земельного участка с кадастровым номером 28:01:020800:3574, расположенного в квартале 800;
2. земельного участка с кадастровым номером 28:01:020800:4036, расположенного в квартале 800;
3. земельного участка с кадастровым номером 28:01:020800:11, расположенного в квартале 800.
Графическое описание местоположения границ публичного сервитута:

Заинтересованные лица в течение пятнадцати дней со дня опубликования настоящего сообщения могут ознакомиться с поступившим ходатайством об установлении публичного сервитута и прилагаемым к нему описанием местоположения границ публичного сервитута по адресу: г. Благовещенск, ул. Ленина, 133, в рабочие дни с 09-00 до 18-00 (обеденный перерыв с 13-00 до 14-00), тел. +7(4162) 233-873 (официальный сайт администрации города Благовещенска – www.admblag.ru).
Правообладатели земельных участков, если их права не зарегистрированы в Едином государственном реестре недвижимости, в течение пятнадцати дней со дня опубликования настоящего сообщения могут подать заявление об учете их прав (обременений прав) на земельный участок с приложением копий документов, подтверждающих эти права (обременения прав), с указанием почтового адреса и (или) адреса электронной почты.
Сообщение о возможном установлении публичного сервитута
В соответствии с п. 3 ст. 39.42 Земельного кодекса Российской Федерации администрация города Благовещенска информирует о рассмотрении ходатайства ООО «АКС» об установлении публичного сервитута для размещения закольцованной сети холодного водоснабжения в отношении:
1. земельных участков с кадастровыми номерами:
- 28:01:000000:13532, расположенного в г. Благовещенске;
- 28:01:010252:105, расположенного в квартале 252;
- 28:01:010252:106, расположенного в квартале 252;
- 28:01:010252:102, расположенного в квартале 252;
- 28:01:010252:103, расположенного в квартале 252;
- 28:01:010252:104, расположенного в квартале 252;
- 28:01:000000:154 (обособленный участок 28:01:120001:18), расположенного в квартале 0;
- 28:01:000000:12249, расположенного в г. Благовещенске;
- 28:01:210266:195, расположенного в квартале 266;
- 28:01:000000:13534, расположенного в г. Благовещенске;
- 28:01:000000:2947, расположенного в г. Благовещенске.
2. земель, расположенных в кадастровых кварталах: 28:01:010252, 28:01:210266.
Графическое описание местоположения границ публичного сервитута:

Заинтересованные лица в течение пятнадцати дней со дня опубликования настоящего сообщения могут ознакомиться с поступившим ходатайством об установлении публичного сервитута и прилагаемым к нему описанием местоположения границ публичного сервитута по адресу: г. Благовещенск, ул. Ленина, 133, в рабочие дни с 09-00 до 18-00 (обеденный перерыв с 13-00 до 14-00), тел. +7(4162) 233-874 (официальный сайт администрации города Благовещенска – www.admblag.ru).
Правообладатели земельных участков, если их права не зарегистрированы в Едином государственном реестре недвижимости, в течение пятнадцати дней со дня опубликования настоящего сообщения могут подать заявление об учете их прав (обременений прав) на земельный участок с приложением копий документов, подтверждающих эти права (обременения прав), с указанием почтового адреса и (или) адреса электронной почты.
Сообщение о возможном установлении публичного сервитута
В соответствии с п. 3 ст. 39.42 Земельного кодекса Российской Федерации администрация города Благовещенска информирует о рассмотрении ходатайства ООО «АКС» об установлении публичного сервитута для размещения сети водоотведения в квартале 16 в отношении:
1. земельного участка с кадастровым номером 28:01:010016:1014, расположенного по ул. Комсомольская, 16;
2. земель, расположенных в кадастровом квартале: 28:01:010016.
Графическое описание местоположения границ публичного сервитута:

Заинтересованные лица в течение пятнадцати дней со дня опубликования настоящего сообщения могут ознакомиться с поступившим ходатайством об установлении публичного сервитута и прилагаемым к нему описанием местоположения границ публичного сервитута по адресу: г. Благовещенск, ул. Ленина, 133, в рабочие дни с 09-00 до 18-00 (обеденный перерыв с 13-00 до 14-00), тел. 7(4162) 233-870 (официальный сайт администрации города Благовещенска – www.admblag.ru).
Правообладатели земельных участков, если их права не зарегистрированы в Едином государственном реестре недвижимости, в течение пятнадцати дней со дня опубликования настоящего сообщения могут подать заявление об учете их прав (обременений прав) на земельный участок с приложением копий документов, подтверждающих эти права (обременения прав), с указанием почтового адреса и (или) адреса электронной почты.
Сообщение о возможном установлении публичного сервитута
В соответствии с п. 3 ст. 39.42 Земельного кодекса Российской Федерации администрация города Благовещенска информирует о рассмотрении ходатайства ООО «АКС» об установлении публичного сервитута для размещения сети холодного водоснабжения в отношении земельного участка с кадастровым номером 28:01:000000:2917, расположенного в г. Благовещенске и земель, расположенных в кадастровом квартале: 28:01:050001.
Графическое описание местоположения границ публичного сервитута:

Заинтересованные лица в течение пятнадцати дней со дня опубликования настоящего сообщения могут ознакомиться с поступившим ходатайством об установлении публичного сервитута и прилагаемым к нему описанием местоположения границ публичного сервитута по адресу: г. Благовещенск, ул. Ленина, 133, в рабочие дни с 09-00 до 18-00 (обеденный перерыв с 13-00 до 14-00), тел. 7(4162) 233-870 (официальный сайт администрации города Благовещенска – www.admblag.ru).
Правообладатели земельных участков, если их права не зарегистрированы в Едином государственном реестре недвижимости, в течение пятнадцати дней со дня опубликования настоящего сообщения могут подать заявление об учете их прав (обременений прав) на земельный участок с приложением копий документов, подтверждающих эти права (обременения прав), с указанием почтового адреса и (или) адреса электронной почты.
Сообщение о возможном установлении публичного сервитута
В соответствии с п. 3 ст. 39.42 Земельного кодекса Российской Федерации администрация города Благовещенска информирует о рассмотрении ходатайства ООО «АКС» об установлении публичного сервитута для размещения сети водоотведения в отношении: 1. земельного участка с кадастровым номером 28:01:000000:2901, расположенного в г. Благовещенске; 2. земель, расположенных в кадастровом квартале 28:01:010449.
Графическое описание местоположения границ публичного сервитута:

Заинтересованные лица в течение пятнадцати дней со дня опубликования настоящего сообщения могут ознакомиться с поступившим ходатайством об установлении публичного сервитута и прилагаемым к нему описанием местоположения границ публичного сервитута по адресу: г. Благовещенск, ул. Ленина, 133, в рабочие дни с 09-00 до 18-00 (обеденный перерыв с 13-00 до 14-00), тел. +7(4162) 233-873 (официальный сайт администрации города Благовещенска – www.admblag.ru).
Правообладатели земельных участков, если их права не зарегистрированы в Едином государственном реестре недвижимости, в течение пятнадцати дней со дня опубликования настоящего сообщения могут подать заявление об учете их прав (обременений прав) на земельный участок с приложением копий документов, подтверждающих эти права (обременения прав), с указанием почтового адреса и (или) адреса электронной почты.
Сообщение о возможном установлении публичного сервитута
В соответствии с п. 3 ст. 39.42 Земельного кодекса Российской Федерации администрация города Благовещенска информирует о рассмотрении ходатайства АО «ДГК» об установлении публичного сервитута для размещения тепловой сети в отношении:
1. земельного участка с кадастровым номером 28:01:010133:607, расположенного в квартале 133;
2. земель, расположенных в кадастровом квартале 28:01:010133.
Графическое описание местоположения границ публичного сервитута:

Заинтересованные лица в течении пятнадцати дней со дня опубликования настоящего сообщения могут ознакомиться с поступившим ходатайством об установлении публичного сервитута и прилагаемым к нему описанием местоположения границ публичного сервитута по адресу: г. Благовещенск, ул. Ленина, 133, в рабочие дни с 09-00 до 18-00 (обеденный перерыв с 13-00 до 14-00), тел. 7(4162) 233-876 (официальный сайт администрации города Благовещенска – www.admblag.ru).
Правообладатели земельных участков, если их права не зарегистрированы в Едином государственном реестре недвижимости, в течение пятнадцати дней со дня опубликования настоящего сообщения могут подать заявление об учете их прав (обременений прав) на земельный участок с приложением копий документов, подтверждающих эти права (обременения прав), с указанием почтового адреса и (или) адреса электронной почты.
Сообщение о возможном установлении публичного сервитута
В соответствии с п. 3 ст. 39.42 Земельного кодекса Российской Федерации администрация города Благовещенска информирует о рассмотрении ходатайства ООО«АКС» об установлении публичного сервитута для размещения сети холодного водоснабжения в отношении земельного участка с кадастровым номером 28:01:000000:2901, расположенного и земель, расположенных в кадастровых кварталах: 28:01:030604, 28:01:010449.
Графическое описание местоположения границ публичного сервитута:

Заинтересованные лица в течение пятнадцати дней со дня опубликования настоящего сообщения могут ознакомиться с поступившим ходатайством об установлении публичного сервитута и прилагаемым к нему описанием местоположения границ публичного сервитута по адресу: г. Благовещенск, ул. Ленина, 133, в рабочие дни с 09-00 до 18-00 (обеденный перерыв с 13-00 до 14-00), тел. 7(4162) 233-870 (официальный сайт администрации города Благовещенска – www.admblag.ru).
Правообладатели земельных участков, если их права не зарегистрированы в Едином государственном реестре недвижимости, в течение пятнадцати дней со дня опубликования настоящего сообщения могут подать заявление об учете их прав (обременений прав) на земельный участок с приложением копий документов, подтверждающих эти права (обременения прав), с указанием почтового адреса и (или) адреса электронной почты.
Сообщение о возможном установлении публичного сервитута
В соответствии с п. 3 ст. 39.42 Земельного кодекса Российской Федерации администрация города Благовещенска информирует о рассмотрении ходатайства ООО «АКС» об установлении публичного сервитута для размещения (реконструкции) канализационного коллектора в отношении:
1. Земельных участков с кадастровыми номерами:
- 28:01:020021:222, расположенного в СПУ-1;
- 28:01:020021:231, расположенного в СПУ-1.
2. Земель, расположенных в кадастровых кварталах: 28:01:020015, 28:01:020016, 28:01:020437, 28:01:020438, 28:01:020413, 28:01:020417, 28:01:020020, 28:01:020021, 28:01:020362, 28:01:020361.
Графическое описание местоположения границ публичного сервитута:

Заинтересованные лица в течение пятнадцати дней со дня опубликования настоящего сообщения могут ознакомиться с поступившим ходатайством об установлении публичного сервитута и прилагаемым к нему описанием местоположения границ публичного сервитута по адресу: г. Благовещенск, ул. Ленина, 133, в рабочие дни с 09-00 до 18-00, по телефону: +7(4162) 233-872 (обеденный перерыв с 13-00 до 14-00) (официальный сайт администрации города Благовещенска – www.admblag.ru).
Правообладатели земельных участков, если их права не зарегистрированы в Едином государственном реестре недвижимости, в течение пятнадцати дней со дня опубликования настоящего сообщения могут подать заявление об учете их прав (обременений прав) на земельный участок с приложением копий документов, подтверждающих эти права (обременения прав), с указанием почтового адреса и (или) адреса электронной почты.
Сообщение о возможном установлении публичного сервитута
В соответствии с п. 3 ст. 39.42 Земельного кодекса Российской Федерации администрация города Благовещенска информирует о рассмотрении ходатайства АО «ДГК» об установлении публичного сервитута для размещения тепловой сети в отношении:
1. земельного участка с кадастровым номерам 28:01:010224:281, расположенного в квартале 224;
2. Земель, расположенных в кадастровом квартале 28:01:010224.
Графическое описание местоположения границ публичного сервитута:

Заинтересованные лица в течение тридцати дней со дня опубликования настоящего сообщения могут ознакомиться с поступившим ходатайством об установлении публичного сервитута и прилагаемым к нему описанием местоположения границ публичного сервитута по адресу: г. Благовещенск, ул. Ленина, 133, в рабочие дни с 09-00 до 18-00 (обеденный перерыв с 13-00 до 14-00), тел. 7(4162) 233-870 (официальный сайт администрации города Благовещенска – www.admblag.ru).
Сообщение о возможном установлении публичного сервитута
В соответствии с п. 3 ст. 39.42 Земельного кодекса Российской Федерации администрация города Благовещенска информирует о рассмотрении ходатайства ООО «АКС» об установлении публичного сервитута для размещения закольцованной сети холодного водоснабжения в отношении:
1. земельных участков с кадастровыми номерами:
- 28:01:000000:13532, расположенного в г. Благовещенске;
- 28:01:010252:105, расположенного в квартале 252;
- 28:01:010252:106, расположенного в квартале 252;
- 28:01:010252:102, расположенного в квартале 252;
- 28:01:010252:103, расположенного в квартале 252;
- 28:01:010252:104, расположенного в квартале 252;
- 28:01:000000:154 (обособленный участок 28:01:120001:18), расположенного в квартале 0;
- 28:01:000000:12249, расположенного в г. Благовещенске;
- 28:01:210266:195, расположенного в квартале 266;
- 28:01:210266:197, расположенного в квартале 266;
- 28:01:000000:13534, расположенного в г. Благовещенске;
- 28:01:000000:2947, расположенного в г. Благовещенске.
2. земель, расположенных в кадастровых кварталах: 28:01:010252, 28:01:210266.
Графическое описание местоположения границ публичного сервитута:

Заинтересованные лица в течение пятнадцати дней со дня опубликования настоящего сообщения могут ознакомиться с поступившим ходатайством об установлении публичного сервитута и прилагаемым к нему описанием местоположения границ публичного сервитута по адресу: г. Благовещенск, ул. Ленина, 133, в рабочие дни с 09-00 до 18-00 (обеденный перерыв с 13-00 до 14-00), тел. +7(4162) 233-873 (официальный сайт администрации города Благовещенска – www.admblag.ru).
Правообладатели земельных участков, если их права не зарегистрированы в Едином государственном реестре недвижимости, в течение пятнадцати дней со дня опубликования настоящего сообщения могут подать заявление об учете их прав (обременений прав) на земельный участок с приложением копий документов, подтверждающих эти права (обременения прав), с указанием почтового адреса и (или) адреса электронной почты.
Сообщение о возможном установлении публичного сервитута
В соответствии с п. 3 ст. 39.42 Земельного кодекса Российской Федерации администрация города Благовещенска информирует о рассмотрении ходатайства МУ «ГУКС» об установлении публичного сервитута для капитального ремонта участка (части) инженерного сооружения, являющегося линейным объектом (железнодорожные пути), в рамках строительства объекта «Автомобильная дорога по ул. Конная от ул. Пушкина до ул. Набережная, г. Благовещенск, Амурская область» в отношении:
1. Земельных участков с кадастровыми номерами:
- 28:01:010252:41, расположенного в квартале 252;
- 28:01:010252:43, расположенного в квартале 252;
- 28:01:000000:154 (обособленный участок 28:01:120001:18), расположенного в квартале 0;
2. Земель, расположенных в кадастровом квартале 28:01:010252.
Графическое описание местоположения границ публичного сервитута

Заинтересованные лица в течение пятнадцати дней со дня опубликования настоящего сообщения могут ознакомиться с поступившим ходатайством об установлении публичного сервитута и прилагаемым к нему описанием местоположения границ публичного сервитута по адресу: г. Благовещенск, ул. Ленина, 133, в рабочие дни с 09-00 до 18-00, по телефону: 7(4162)233-874(обеденный перерыв с 13-00 до 14-00) (официальный сайт Администрации города Благовещенска – www.admblag.ru).
Правообладатели земельных участков, если их права не зарегистрированы в Едином государственном реестре недвижимости, в течение пятнадцати дней со дня опубликования настоящего сообщения могут подать заявление об учете их прав (обременений прав) на земельный участок с приложением копий документов, подтверждающих эти права (обременения прав), с указанием почтового адреса и (или) адреса электронной почты
Сообщение о возможном установлении публичного сервитута
В соответствии с п. 3 ст. 39.42 Земельного кодекса Российской Федерации администрация города Благовещенска информирует о рассмотрении ходатайства ООО «АКС» об установлении публичного сервитута для размещения сети водоотведения в отношении земельных участков с кадастровыми номерами:
1. - 28:01:210345:1826, расположенного в квартале 346;
2. - 28:01:210345:1629, расположенного по ул. Заводская, 4/4, в квартале 346.
Графическое описание местоположения границ публичного сервитута:

Заинтересованные лица в течение пятнадцати дней со дня опубликования настоящего сообщения могут ознакомиться с поступившим ходатайством об установлении публичного сервитута и прилагаемым к нему описанием местоположения границ публичного сервитута по адресу: г. Благовещенск, ул. Ленина, 133, в рабочие дни с 09-00 до 18-00 (обеденный перерыв с 13-00 до 14-00), тел. +7(4162) 233-873 (официальный сайт администрации города Благовещенска – www.admblag.ru).
Сообщение о возможном установлении публичного сервитута
В соответствии с п. 3 ст. 39.42 Земельного кодекса Российской Федерации администрация города Благовещенска информирует о рассмотрении ходатайства ООО «АКС» об установлении публичного сервитута для размещения сети холодного водоснабжения в отношении земельных участков, расположенных в квартале 346, с кадастровыми номерами:
- 28:01:210345:174;
- 28:01:210245:1826.
Графическое описание местоположения границ публичного сервитута:

Заинтересованные лица в течение пятнадцати дней со дня опубликования настоящего сообщения могут ознакомиться с поступившим ходатайством об установлении публичного сервитута и прилагаемым к нему описанием местоположения границ публичного сервитута по адресу: г. Благовещенск, ул. Ленина, 133, в рабочие дни с 09-00 до 18-00 (обеденный перерыв с 13-00 до 14-00), тел. 7(4162) 233-870 (официальный сайт администрации города Благовещенска – www.admblag.ru).
Правообладатели земельных участков, если их права не зарегистрированы в Едином государственном реестре недвижимости, в течение пятнадцати дней со дня опубликования настоящего сообщения могут подать заявление об учете их прав (обременений прав) на земельный участок с приложением копий документов, подтверждающих эти права (обременения прав), с указанием почтового адреса и (или) адреса электронной почты.
Сообщение о возможном установлении публичного сервитута
В соответствии с п. 3 ст. 39.42 Земельного кодекса Российской Федерации администрация города Благовещенска информирует о рассмотрении ходатайства ООО «АКС» об установлении публичного сервитута для размещения сети водоотведения в отношении:
1. земельного участка с кадастровым номером 28:01:000000:2141, расположенного в г. Благовещенске;
2. земель, расположенных в кадастровом квартале 28:01:010004.
Графическое описание местоположения границ публичного сервитута

Заинтересованные лица в течение пятнадцати дней со дня опубликования настоящего сообщения могут ознакомиться с поступившим ходатайством об установлении публичного сервитута и прилагаемым к нему описанием местоположения границ публичного сервитута по адресу: г. Благовещенск, ул. Ленина, 133, в рабочие дни с 09-00 до 18-00 (обеденный перерыв с 13-00 до 14-00), тел. +7(4162) 233-873 (официальный сайт администрации города Благовещенска – www.admblag.ru).
Правообладатели земельных участков, если их права не зарегистрированы в Едином государственном реестре недвижимости, в течение пятнадцати дней со дня опубликования настоящего сообщения могут подать заявление об учете их прав (обременений прав) на земельный участок с приложением копий документов, подтверждающих эти права (обременения прав), с указанием почтового адреса и (или) адреса электронной почты.
Сообщение о возможном установлении публичного сервитута
В соответствии с п. 3 ст. 39.42 Земельного кодекса Российской Федерации администрация города Благовещенска информирует о рассмотрении ходатайства ООО «АКС» об установлении публичного сервитута для размещения электрических сетей в отношении земельного участка с кадастровым номером 28:01:010156:11, расположенного по ул. Б. Хмельницкого, д. 110, в квартале 156.
Графическое описание местоположения границ публичного сервитута

Заинтересованные лица в течение пятнадцати дней со дня опубликования настоящего сообщения могут ознакомиться с поступившим ходатайством об установлении публичного сервитута и прилагаемым к нему описанием местоположения границ публичного сервитута по адресу: г. Благовещенск, ул. Ленина, 133, в рабочие дни с 09-00 до 18-00, по телефону: 7(4162)233-874 (обеденный перерыв с 13-00 до 14-00) (официальный сайт Администрации города Благовещенска – www.admblag.ru).
Сообщение о возможном установлении публичного сервитута
В соответствии с п. 3 ст. 39.42 Земельного кодекса Российской Федерации администрация города Благовещенска информирует о рассмотрении ходатайства МУ «ГУКС» об установлении публичного сервитута для размещения линий и сооружений связи в отношении земельного участка с кадастровым номером 28:01:020800:104, расположенного по ул. Строителей, 70, в квартале 800.
Графическое описание местоположения границ публичного сервитута:

Заинтересованные лица в течение пятнадцати дней со дня опубликования настоящего сообщения могут ознакомиться с поступившим ходатайством об установлении публичного сервитута и прилагаемым к нему описанием местоположения границ публичного сервитута по адресу: г. Благовещенск, ул. Ленина, 133, в рабочие дни с 09-00 до 18-00 (обеденный перерыв с 13-00 до 14-00), тел. 7(4162) 233-870 (официальный сайт администрации города Благовещенска – www.admblag.ru).
Правообладатели земельных участков, если их права не зарегистрированы в Едином государственном реестре недвижимости, в течение пятнадцати дней со дня опубликования настоящего сообщения могут подать заявление об учете их прав (обременений прав) на земельный участок с приложением копий документов, подтверждающих эти права (обременения прав), с указанием почтового адреса и (или) адреса электронной почты.
Сообщение о возможном установлении публичного сервитута
В соответствии с п. 3 ст. 39.42 Земельного кодекса Российской Федерации администрация города Благовещенска информирует о рассмотрении ходатайства АО «ДГК» об установлении публичного сервитута для размещения тепловой сети в отношении:
1)Земельных участков с кадастровыми номерами:
- 28:01:010121:387, расположенного в квартале 121;
- 28:01:000000:10598, расположенного в г. Благовещенске.
2) земель, расположенных в кадастровых кварталах: 28:01:010121, 28:01:010120.
Графическое описание местоположения границ публичного сервитута:

Заинтересованные лица в течение пятнадцати дней со дня опубликования настоящего сообщения могут ознакомиться с поступившим ходатайством об установлении публичного сервитута и прилагаемым к нему описанием местоположения границ публичного сервитута по адресу: г. Благовещенск, ул. Ленина, 133, в рабочие дни с 09-00 до 18-00 (обеденный перерыв с 13-00 до 14-00), тел. 7(4162) 233-870 (официальный сайт администрации города Благовещенска – www.admblag.ru).
Правообладатели земельных участков, если их права не зарегистрированы в Едином государственном реестре недвижимости, в течение пятнадцати дней со дня опубликования настоящего сообщения могут подать заявление об учете их прав (обременений прав) на земельный участок с приложением копий документов, подтверждающих эти права (обременения прав), с указанием почтового адреса и (или) адреса электронной почты.
Сообщение о возможном установлении публичного сервитута
В соответствии с п. 3 ст. 39.42 Земельного кодекса Российской Федерации администрация города Благовещенска информирует о рассмотрении ходатайства АО «ДРСК» об установлении публичного сервитута для размещения ЛЭП-10/0,4 кВ в отношении земель, расположенных в кадастровом квартале 28:01:070008.
Графическое описание местоположения границ публичного сервитута

Заинтересованные лица в течение пятнадцати дней со дня опубликования настоящего сообщения могут ознакомиться с поступившим ходатайством об установлении публичного сервитута и прилагаемым к нему описанием местоположения границ публичного сервитута по адресу: г. Благовещенск, ул. Ленина, 133, в рабочие дни с 09-00 до 18-00, по телефону: 7(4162)233-874 (обеденный перерыв с 13-00 до 14-00) (официальный сайт Администрации города Благовещенска – www.admblag.ru).
Правообладатели земельных участков, если их права не зарегистрированы в Едином государственном реестре недвижимости, в течение пятнадцати дней со дня опубликования настоящего сообщения могут подать заявление об учете их прав (обременений прав) на земельный участок с приложением копий документов, подтверждающих эти права (обременения прав), с указанием почтового адреса и (или) адреса электронной почты.
Сообщение о возможном установлении публичного сервитута
В соответствии с п. 3 ст. 39.42 Земельного кодекса Российской Федерации администрация города Благовещенска информирует о рассмотрении ходатайства ООО «АКС» об установлении публичного сервитута для размещения сети холодного водоснабжения в отношении земель, расположенных в кадастровом квартале 28:01:010295.
Графическое описание местоположения границ публичного сервитута:

Заинтересованные лица в течение пятнадцати дней со дня опубликования настоящего сообщения могут ознакомиться с поступившим ходатайством об установлении публичного сервитута и прилагаемым к нему описанием местоположения границ публичного сервитута по адресу: г. Благовещенск, ул. Ленина, 133, в рабочие дни с 09-00 до 18-00 (обеденный перерыв с 13-00 до 14-00), тел. +7(4162) 233-873 (официальный сайт администрации города Благовещенска – www.admblag.ru).
Правообладатели земельных участков, если их права не зарегистрированы в Едином государственном реестре недвижимости, в течение пятнадцати дней со дня опубликования настоящего сообщения могут подать заявление об учете их прав (обременений прав) на земельный участок с приложением копий документов, подтверждающих эти права (обременения прав), с указанием почтового адреса и (или) адреса электронной почты.
Сообщение о возможном установлении публичного сервитута
В соответствии с п. 3 ст. 39.42 Земельного кодекса Российской Федерации администрация города Благовещенска информирует о рассмотрении ходатайства ООО «АКС» об установлении публичного сервитута для размещения сетей холодного водоснабжения в отношении земель, расположенных в кадастровых кварталах 28:01:010302, 28:01:010303.
Графическое описание местоположения границ публичного сервитута:

Заинтересованные лица в течение пятнадцати дней со дня опубликования настоящего сообщения могут ознакомиться с поступившим ходатайством об установлении публичного сервитута и прилагаемым к нему описанием местоположения границ публичного сервитута по адресу:
г. Благовещенск, ул. Ленина, 133, в рабочие дни с 09-00 до 18-00 (обеденный перерыв с 13-00 до 14-00), тел. 7(4162) 233-870 (официальный сайт администрации города Благовещенска – www.admblag.ru).
Правообладатели земельных участков, если их права не зарегистрированы в Едином государственном реестре недвижимости, в течение пятнадцати дней со дня опубликования настоящего сообщения могут подать заявление об учете их прав (обременений прав) на земельный участок с приложением копий документов, подтверждающих эти права (обременения прав), с указанием почтового адреса и (или) адреса электронной почты.
Сообщение о возможном установлении публичного сервитута
В соответствии с п. 3 ст. 39.42 Земельного кодекса Российской Федерации администрация города Благовещенска информирует о рассмотрении ходатайства ООО «АКС» об установлении публичного сервитута для размещения сетей водоотведения в отношении:
- земельного участка с кадастровым номером 28:01:000000:41, расположенного в г. Благовещенске;
- земель, расположенных в кадастровых кварталах 28:01:010155, 28:01:010156.
Графическое описание местоположения границ публичного сервитута

Заинтересованные лица в течение пятнадцати дней со дня опубликования настоящего сообщения могут ознакомиться с поступившим ходатайством об установлении публичного сервитута и прилагаемым к нему описанием местоположения границ публичного сервитута по адресу: г. Благовещенск, ул. Ленина, 133, в рабочие дни с 09-00 до 18-00, по телефону: 7(4162)233-874 (обеденный перерыв с 13-00 до 14-00) (официальный сайт администрации города Благовещенска – www.admblag.ru).
Правообладатели земельных участков, если их права не зарегистрированы в Едином государственном реестре недвижимости, в течение пятнадцати дней со дня опубликования настоящего сообщения могут подать заявление об учете их прав (обременений прав) на земельный участок с приложением копий документов, подтверждающих эти права (обременения прав), с указанием почтового адреса и (или) адреса электронной почты.
Сообщение о возможном установлении публичного сервитута
В соответствии с п. 3 ст. 39.42 Земельного кодекса Российской Федерации администрация города Благовещенска информирует о рассмотрении ходатайства ООО «АКС» об установлении публичного сервитута для размещения сети холодного водоснабжения в отношении земель, расположенных в кадастровом квартале 28:01:010217.
Графическое описание местоположения границ публичного сервитута:

Заинтересованные лица в течение пятнадцати дней со дня опубликования настоящего сообщения могут ознакомиться с поступившим ходатайством об установлении публичного сервитута и прилагаемым к нему описанием местоположения границ публичного сервитута по адресу: г. Благовещенск, ул. Ленина, 133, в рабочие дни с 09-00 до 18-00 (обеденный перерыв с 13-00 до 14-00), тел. 7(4162) 233-870 (официальный сайт администрации города Благовещенска – www.admblag.ru).
Правообладатели земельных участков, если их права не зарегистрированы в Едином государственном реестре недвижимости, в течение пятнадцати дней со дня опубликования настоящего сообщения могут подать заявление об учете их прав (обременений прав) на земельный участок с приложением копий документов, подтверждающих эти права (обременения прав), с указанием почтового адреса и (или) адреса электронной почты.
Сообщение о возможном установлении публичного сервитута
В соответствии с п. 3 ст. 39.42 Земельного кодекса Российской Федерации администрация города Благовещенска информирует о рассмотрении ходатайства АО «ДРСК» об установлении публичного сервитута для эксплуатации подстанции ПС 35/10 Зейская в отношении:
1. земельного участка, расположенного в квартале 103, с кадастровым номером 28:01:010103:65.
2. земель, расположенных в кадастровом квартале 28:01:010103.
Графическое описание местоположения границ публичного сервитута:

Заинтересованные лица в течение пятнадцати дней со дня опубликования настоящего сообщения могут ознакомиться с поступившим ходатайством об установлении публичного сервитута и прилагаемым к нему описанием местоположения границ публичного сервитута по адресу: г. Благовещенск, ул. Ленина, 133, в рабочие дни с 09-00 до 18-00 (обеденный перерыв с 13-00 до 14-00), тел. 7(4162) 233-870 (официальный сайт администрации города Благовещенска – www.admblag.ru).
Правообладатели земельных участков, если их права не зарегистрированы в Едином государственном реестре недвижимости, в течение тридцати дней со дня опубликования настоящего сообщения могут подать заявление об учете их прав (обременений прав) на земельный участок с приложением копий документов, подтверждающих эти права (обременения прав), с указанием почтового адреса и (или) адреса электронной почты.
Сообщение о возможном установлении публичного сервитута
В соответствии с п. 3 ст. 39.42 Земельного кодекса Российской Федерации администрация города Благовещенска информирует о рассмотрении ходатайства ООО «АКС» об установлении публичного сервитута для размещения сетей холодного водоснабжения в отношении земельного участка с кадастровым номером 28:01:020800:4036, расположенного в квартале 800.
Графическое описание местоположения границ публичного сервитута:

Заинтересованные лица в течение пятнадцати дней со дня опубликования настоящего сообщения могут ознакомиться с поступившим ходатайством об установлении публичного сервитута и прилагаемым к нему описанием местоположения границ публичного сервитута по адресу:
г. Благовещенск, ул. Ленина, 133, в рабочие дни с 09-00 до 18-00 (обеденный перерыв с 13-00 до 14-00), тел. 7(4162) 233-870 (официальный сайт администрации города Благовещенска – www.admblag.ru).
Правообладатели земельных участков, если их права не зарегистрированы в Едином государственном реестре недвижимости, в течение пятнадцати дней со дня опубликования настоящего сообщения могут подать заявление об учете их прав (обременений прав) на земельный участок с приложением копий документов, подтверждающих эти права (обременения прав), с указанием почтового адреса и (или) адреса электронной почты.
Сообщение о возможном установлении публичного сервитута
В соответствии с п. 3 ст. 39.42 Земельного кодекса Российской Федерации администрация города Благовещенска информирует о рассмотрении ходатайства ООО «АКС» об установлении публичного сервитута для размещения сетей холодного водоснабжения в отношении части земельного участка с кадастровым номером 28:01:010156:1241, расположенного по ул. Ломоносова 249, в квартале 156.
Графическое описание местоположения границ публичного сервитута:

Заинтересованные лица в течении пятнадцати дней со дня опубликования настоящего сообщения могут ознакомиться с поступившим ходатайством об установлении публичного сервитута и прилагаемым к нему описанием местоположения границ публичного сервитута по адресу: г. Благовещенск, ул. Ленина, 133, в рабочие дни с 09-00 до 18-00 (обеденный перерыв с 13-00 до 14-00), тел. 7(4162) 233-876 (официальный сайт администрации города Благовещенска – www.admblag.ru).
Правообладатели земельных участков, если их права не зарегистрированы в Едином государственном реестре недвижимости, в течение пятнадцати дней со дня опубликования настоящего сообщения могут подать заявление об учете их прав (обременений прав) на земельный участок с приложением копий документов, подтверждающих эти права (обременения прав), с указанием почтового адреса и (или) адреса электронной почты.
Сообщение о возможном установлении публичного сервитута
В соответствии с п. 3 ст. 39.42 Земельного кодекса Российской Федерации администрация города Благовещенска информирует о рассмотрении ходатайства АО «ДРСК» об установлении публичного сервитута для размещения объекта электросетевого хозяйства – ЛЭП-10/0,4 кВ в отношении:
1. Земельного участка, расположенного в с. Садовое, в квартале С-20, с кадастровым номером 28:01:090020:63.
2. Земель, расположенных в кадастровых кварталах 28:01:090020, 28:01:090022.
Графическое описание местоположения границ публичного сервитута:

Заинтересованные лица в течение тридцати дней со дня опубликования настоящего сообщения могут ознакомиться с поступившим ходатайством об установлении публичного сервитута и прилагаемым к нему описанием местоположения границ публичного сервитута по адресу: г. Благовещенск, ул. Ленина, 133, в рабочие дни с 09-00 до 18-00 (обеденный перерыв с 13-00 до 14-00), тел. 7(4162) 233-873 (официальный сайт администрации города Благовещенска – www.admblag.ru).
Правообладатели земельных участков, если их права не зарегистрированы в Едином государственном реестре недвижимости, в течение тридцати дней со дня опубликования настоящего сообщения могут подать заявление об учете их прав (обременений прав) на земельный участок с приложением копий документов, подтверждающих эти права (обременения прав), с указанием почтового адреса и (или) адреса электронной почты.
Сообщение о возможном установлении публичного сервитута
В соответствии с п. 3 ст. 39.42 Земельного кодекса Российской Федерации администрация города Благовещенска информирует о рассмотрении ходатайства МУ «ГУКС» об установлении публичного сервитута для размещения сети газоснабжения в г. Благовещенске в отношении земель, расположенных в кадастровом квартале 28:01:020014.
Графическое описание местоположения границ публичного сервитута:

Заинтересованные лица в течение пятнадцати дней со дня опубликования настоящего сообщения могут ознакомиться с поступившим ходатайством об установлении публичного сервитута и прилагаемым к нему описанием местоположения границ публичного сервитута по адресу: г. Благовещенск, ул. Ленина, 133, в рабочие дни с 09-00 до 18-00 (обеденный перерыв с 13-00 до 14-00), тел. 7(4162) 233-870 (официальный сайт администрации города Благовещенска – www.admblag.ru).
Правообладатели земельных участков, если их права не зарегистрированы в Едином государственном реестре недвижимости, в течение тридцати дней со дня опубликования настоящего сообщения могут подать заявление об учете их прав (обременений прав) на земельный участок с приложением копий документов, подтверждающих эти права (обременения прав), с указанием почтового адреса и (или) адреса электронной почты.
Сообщение о возможном установлении публичного сервитута
В соответствии с п. 3 ст. 39.42 Земельного кодекса Российской Федерации администрация города Благовещенска информирует о рассмотрении ходатайства ООО «АКС» об установлении публичного сервитута для размещения (реконструкции) канализационного коллектора в отношении:
1. Земельных участков с кадастровыми номерами:
- 28:01:020021:222, расположенного в СПУ-1;
- 28:01:020021:231, расположенного в СПУ-1.
2. Земель, расположенных в кадастровых кварталах: 28:01:020016, 28:01:020437, 28:01:020438, 28:01:020413, 28:01:020417, 28:01:020020, 28:01:020021, 28:01:020362, 28:01:020361.
Графическое описание местоположения границ публичного сервитута:

Заинтересованные лица в течение пятнадцати дней со дня опубликования настоящего сообщения могут ознакомиться с поступившим ходатайством об установлении публичного сервитута и прилагаемым к нему описанием местоположения границ публичного сервитута по адресу: г. Благовещенск, ул. Ленина, 133, в рабочие дни с 09-00 до 18-00, по телефону: +7(4162) 233-872 (обеденный перерыв с 13-00 до 14-00) (официальный сайт администрации города Благовещенска – www.admblag.ru).
Правообладатели земельных участков, если их права не зарегистрированы в Едином государственном реестре недвижимости, в течение пятнадцати дней со дня опубликования настоящего сообщения могут подать заявление об учете их прав (обременений прав) на земельный участок с приложением копий документов, подтверждающих эти права (обременения прав), с указанием почтового адреса и (или) адреса электронной почты.
Сообщение о возможном установлении публичного сервитута
В соответствии с п. 3 ст. 39.42 Земельного кодекса Российской Федерации администрация города Благовещенска информирует о рассмотрении ходатайства ООО «АКС» об установлении публичного сервитута для размещения сетей водоотведения и канализационной насосной станции в г. Благовещенске в отношении земель, расположенных в кадастровом квартале 28:01:020417.
Графическое описание местоположения границ публичного сервитута:

Заинтересованные лица в течение пятнадцати дней со дня опубликования настоящего сообщения могут ознакомиться с поступившим ходатайством об установлении публичного сервитута и прилагаемым к нему описанием местоположения границ публичного сервитута по адресу: г. Благовещенск, ул. Ленина, 133, в рабочие дни с 09-00 до 18-00 (обеденный перерыв с 13-00 до 14-00), тел. 7(4162) 233-870 (официальный сайт администрации города Благовещенска – www.admblag.ru).
Правообладатели земельных участков, если их права не зарегистрированы в Едином государственном реестре недвижимости, в течение тридцати дней со дня опубликования настоящего сообщения могут подать заявление об учете их прав (обременений прав) на земельный участок с приложением копий документов, подтверждающих эти права (обременения прав), с указанием почтового адреса и (или) адреса электронной почты.
Сообщение о возможном установлении публичного сервитута
В соответствии с п. 3 ст. 39.42 Земельного кодекса Российской Федерации администрация города Благовещенска информирует о рассмотрении ходатайства ООО «АКС» об установлении публичного сервитута «Реконструкция объектов инженерной инфраструктуры (Аэропорт) в отношении:
1) земельных участков с кадастровыми номерами:
- 28:01:060010:1405, расположенный в п. Аэропорт, в квартале А-1;
- 28:01:000000:103, расположенный в п. Аэропорт, в квартале А-1;
- 28:01:000000:13737, расположенный в п. Аэропорт, в квартале А-1;
- 28:01:060010:1398, расположенный в п. Аэропорт, в квартале А-1;
- 28:01:060010:1399, расположенный в п. Аэропорт, в квартале А-1;
- 28:01:000000:3698, расположенный в г. Благовещенске, в п. Аэропорт;
- 28:01:000000:345, расположенный в п. Аэропорт, в квартале А-2;
- 28:01:060010:752, расположенный в п. Аэропорт, в квартале А-1;
- 28:01:060010:841, расположенный в п. Аэропорт, в квартале А-1;
- 28:01:060010:35, расположенный в п. Аэропорт, в квартале А-1;
- 28:01:060010:842, расположенный в п. Аэропорт, в квартале А-1;
- 28:01:000000:12732, расположенный в г. Благовещенске, в п. Аэропорт;
- 28:01:060010:1404, расположенный в п. Аэропорт, в квартале А-1;
- 28:01:060010:821, расположенный в п. Аэропорт, в квартале А-1;
- 28:01:000000:11191, расположенный в г. Благовещенске, в п. Аэропорт;
- 28:01:000000:12733, расположенный в г. Благовещенске, в п. Аэропорт;
- 28:01:060010:765, расположенный в п. Аэропорт, в квартале А-1;
- 28:01:060010:1239, расположенный в п. Аэропорт, в квартале А-1;
- 28:01:000000:2903, расположенный в г. Благовещенске;
- 28:01:000000:379, расположенный в г. Благовещенске;
- 28:10:130198:5, расположенный в г. Благовещенске;
- 28:01:000000:2306, расположенный в г. Благовещенске;
- 28:01:000000:12910, расположенный в г. Благовещенске;
- 28:01:110082:6 (единое землепользование, обособленные земельные участки с кадастровыми номерами 28:01:110082:15, 28:01:110082:16), расположенный в
г. Благовещенске;
- 28:01:000000:13168, расположенный в г. Благовещенске;
- 28:01:100002:13, расположенный в с. Плодопитомник, в квартале П-2;
- 28:01:100001:264, расположенный в с/т Холодок;
- 28:01:000000:13753, расположенный в г. Благовещенске;
- 28:01:000000:11526, расположенный в г. Благовещенске;
- 28:01:000000:12836, расположенный в г. Благовещенске;
- 28:01:100002:758, расположенный в с. Плодопитомник, в квартале П-2;
- 28:01:100002:809, расположенный в с. Плодопитомник, в квартале П-2;
- 28:01:100002:404, расположенный в с. Плодопитомник, в квартале П-2;
- 28:01:100002:394, расположенный в с. Плодопитомник, в квартале П-2;
- 28:01:100002:694, расположенный в с. Плодопитомник, в квартале П-2;
- 28:01:100002:404, расположенный в с. Плодопитомник, в квартале П-2;
- 28:01:100002:292, расположенный в с. Плодопитомник, в квартале П-2;
- 28:01:100002:293, расположенный в с. Плодопитомник, в квартале П-2;
- 28:01:000000:13753, расположенный в г. Благовещенске, в п. Плодопитомник;
- 28:01:000000:13742, расположенный в г. Благовещенске, в п. Плодопитомник;
- 28:01:100002:401, расположенный в с. Плодопитомник, в квартале П-2;
- 28:01:020022:670 расположенный в квартале 406;
- 28:01:000000:12838, расположенный в г. Благовещенске;
- 28:01:000000:3469, расположенный в г. Благовещенске.
2) земель, расположенных в кадастровых кварталах: 28:01:060005, 28:01:060010, 28:01:060009, 28:01:060008, 28:01:110001, 28:01:100002, 28:01:110007, 28:01:020022
Графическое описание местоположения границ публичного сервитута:






Заинтересованные лица в течение пятнадцати дней со дня опубликования настоящего сообщения могут ознакомиться с поступившим ходатайством об установлении публичного сервитута и прилагаемым к нему описанием местоположения границ публичного сервитута по адресу: г. Благовещенск, ул. Ленина, 133, в рабочие дни с 09-00 до 18-00 (обеденный перерыв с 13-00 до 14-00), тел. 7(4162) 233-870 (официальный сайт администрации города Благовещенска – www.admblag.ru).
Правообладатели земельных участков, если их права не зарегистрированы в Едином государственном реестре недвижимости, в течение тридцати дней со дня опубликования настоящего сообщения могут подать заявление об учете их прав (обременений прав) на земельный участок с приложением копий документов, подтверждающих эти права (обременения прав), с указанием почтового адреса и (или) адреса электронной почты.
Сообщение о возможном установлении публичного сервитута
В соответствии с п. 3 ст. 39.42 Земельного кодекса Российской Федерации администрация города Благовещенска информирует о рассмотрении ходатайства АО «Газпром газораспределение Дальний Восток» об установлении публичного сервитута для размещения распределительного газопровода в г. Благовещенск в отношении:
1. Земельных участков с кадастровыми номерами:
- 28:01:000000:11880, расположенного в г. Благовещенск;
- 28:01:000000:11898, расположенного в г. Благовещенск;
- 28:01:000000:11984, расположенного в г. Благовещенск;
- 28:01:000000:12838, расположенного в г. Благовещенск;
- 28:01:000000:3469, расположенного в г. Благовещенск;
- 28:01:000000:13531, расположенного в г. Благовещенск;
- 28:01:000000:13910, расположенного в г. Благовещенск;
- 28:01:000000:10454, расположенного в г. Благовещенск;
- 28:01:000000:10478, расположенного в г. Благовещенск;
- 28:01:000000:13753, расположенного в г. Благовещенск;
- 28:01:100002:404, расположенного в с. Плодопитомник, в квартале П-2;
- 28:01:100002:394, расположенного в с. Плодопитомник, в квартале П-2;
- 28:01:100002:853, расположенного в с. Плодопитомник, в квартале П-2;
- 28:01:020800:1738, расположенного в квартале 800;
- 28:01:020014:41, расположенного в СПУ-4;
- 28:01:000000:124 (обособленные участки 28:01:020497:12, 28:01:020500:27), расположенного в г. Благовещенск;
- 28:01:000000:154 (обособленные участки 28:01:120001:18, 28:01:120001:21), расположенного в г. Благовещенск;
- 28:01:000000:155 (обособленные участки 28:01:040717:30, 28:01:210352:140), расположенного в г. Благовещенск;
- 28:01:040718:156, расположенного в квартале 718;
- 28:01:000000:231 (обособленные участки 28:01:010097:94, 28:01:010098:197, 28:01:010101:180), расположенного в г. Благовещенск;
- 28:01:040718:253, расположенного в квартале 718;
- 28:01:000000:268, расположенного в г. Благовещенск;
- 28:01:000000:338, расположенного в г. Благовещенск;
- 28:01:000000:2102, расположенного в кварталах 480, 800;
- 28:01:000000:2190, расположенного в кварталах 718, 719;
- 28:01:000000:2215, расположенного в кварталах 245, 246, 255;
- 28:01:000000:2305, расположенного в г. Благовещенск;
- 28:01:000000:2901, расположенного в г. Благовещенск;
- 28:01:000000:3697, расположенного в г. Благовещенск;
- 28:01:000000:10433, расположенного в г. Благовещенск;
- 28:01:010098:1117, расположенного в квартале 98.
2. Земель, расположенных в кадастровых кварталах: 28:01:010334, 28:01:010242.
Графическое описание местоположения границ публичного сервитута:










Заинтересованные лица в течение пятнадцати дней со дня опубликования настоящего сообщения могут ознакомиться с поступившим ходатайством об установлении публичного сервитута и прилагаемым к нему описанием местоположения границ публичного сервитута по адресу: г. Благовещенск, ул. Ленина, 133, в рабочие дни с 09-00 до 18-00, по телефону: +7(4162) 233-872 (обеденный перерыв с 13-00 до 14-00) (официальный сайт администрации города Благовещенска – www.admblag.ru).
Правообладатели земельных участков, если их права не зарегистрированы в Едином государственном реестре недвижимости, в течение пятнадцати дней со дня опубликования настоящего сообщения могут подать заявление об учете их прав (обременений прав) на земельный участок с приложением копий документов, подтверждающих эти права (обременения прав), с указанием почтового адреса и (или) адреса электронной почты.
Сообщение о возможном установлении публичного сервитута
В соответствии с п. 3 ст. 39.42 Земельного кодекса Российской Федерации администрация города Благовещенска информирует о рассмотрении ходатайства ООО «АКС» об установлении публичного сервитута для размещения сетей холодного водоснабжения в отношении земельного участка с кадастровым номером 28:01:010120:198, расположенного по ул. Новая, д. 42, в квартале 120.

Заинтересованные лица в течение пятнадцати дней со дня опубликования настоящего сообщения могут ознакомиться с поступившим ходатайством об установлении публичного сервитута и прилагаемым к нему описанием местоположения границ публичного сервитута по адресу: г. Благовещенск, ул. Ленина, 133, в рабочие дни с 09-00 до 18-00, по телефону: 7(4162)233-874 (обеденный перерыв с 13-00 до 14-00) (официальный сайт администрации города Благовещенска – www.admblag.ru).
Сообщение о возможном установлении публичного сервитута
В соответствии с п. 3 ст. 39.42 Земельного кодекса Российской Федерации администрация города Благовещенска информирует о рассмотрении ходатайства ООО «АКС» об установлении публичного сервитута для размещения сетей водоотведения в отношении земельного участка с кадастровым номером 28:01:010120:198, расположенного по ул. Новая, 42, в квартале 120.
Графическое описание местоположения границ публичного сервитута:

Заинтересованные лица в течение пятнадцати дней со дня опубликования настоящего сообщения могут ознакомиться с поступившим ходатайством об установлении публичного сервитута и прилагаемым к нему описанием местоположения границ публичного сервитута по адресу: г. Благовещенск, ул. Ленина, 133, в рабочие дни с 09-00 до 18-00, по телефону: +7(4162) 233-872 (обеденный перерыв с 13-00 до 14-00) (официальный сайт дминистрации города Благовещенска – www.admblag.ru).
Сообщение о возможном установлении публичного сервитута
В соответствии с п. 3 ст. 39.42 Земельного кодекса Российской Федерации администрация города Благовещенска информирует о рассмотрении ходатайства ООО «АКС» об установлении публичного сервитута для размещения канализационного коллектора в г. Благовещенск в отношении:
1. Земельных участков с кадастровыми номерами:
- 28:01:000000:230 (обособленный участок 28:01:010275:15), расположенного в кварталах 278, 443;
- 28:01:000000:10458, расположенного г. Благовещенск;
- 28:01:010275:2, расположенного по ул. Калинина, 141, в квартале 275;
- 28:01:000000:154 (обособленные участки 28:01:120001:153, 28:01:130089:76), расположенного в г. Благовещенск;
- 28:01:010275:37, расположенного в квартале 275;
- 28:01:010275:111, расположенного в квартале 275;
- 28:01:010275:40, расположенного в г. Благовещенск;
- 28:01:010275:41, расположенного в г. Благовещенск;
- 28:01:000000:41 (обособленные участки 28:01:010274:22, 28:01:010156:37, 28:01:010155:13, 28:01:010163:155), расположенного в г. Благовещенск;
- 28:01:010162:975, расположенного в г. Благовещенск;
- 25:01:000000:10481, расположенного в г. Благовещенск;
- 28:01:000000:10478, расположенного в г. Благовещенск;
- 28:01:000000:10599, расположенного г. Благовещенск;
- 28:01:010208:146, расположенного в квартале 208;
- 28:01:010208:147, расположенного в квартале 208;
- 28:01:010207:75, расположенного по ул. Северная, 92/2, в квартале 207;
- 28:01:130199:21, расположенного по ул. Красноармейская, 103, в квартале 206;
- 28:01:130199:2, расположенного по у. Кузнечная, 70/2, в квартале 206;
- 28:01:000000:10598, расположенного в г. Благовещенск;
- 28:01:130199:377, расположенного в квартале 205;
- 28:01:130054:84, расположенного по ул. Зейская, 135, в квартале 54;
- 28:01:00000:10462, расположенного в г. Благовещенск;
- 28:01:000000:2141, расположенный в г. Благовещенск;
- 28:01:130056:160, расположенного по ул. Театральная, 2, в квартале 56;
- 28:01:000000:10115, расположенного в г. Благовещенск;
- 28:01:000000:3070, расположенного в г. Благовещенск;
- 28:01:130060:6, расположенного по ул. Театральная, 1, в квартале 60;
- 28:01:130060:5, расположенного в квартале 60;
- 28:01:130060:37, расположенного по ул. Краснофлотская, 83, в квартале 60;
- 28:01:130076:7, расположенного по ул. Фрунзе, 60, в квартале 76;
- 28:01:130076:10, расположенного по ул. Фрунзе, 58, в квартале 76;
- 28:01:130083:14, расположенного по ул. Фрунзе, 40, в квартале 84;
- 28:01:130094:85, расположенного в квартале 94;
- 28:01:000000:231 (обособленный участок 28:01:130094:53, 28:01:130082:120, 28:01:140102:129, 28:01:140102:130), расположенного в г. Благовещенск;
- 28:01:130082:106 (обособленный участок 28:01:130082:103), расположенного в кварталах 82, 99);
- 28:01:000000:2100, расположенного в г. Благовещенск;
- 28:01:130082:110, расположенного в г. Благовещенск;
- 28:01:130082:13, расположенного в кварталах 82, 99;
- 28:01:130082:108, расположенного в кварталах 82, 99;
- 28:01:010180:165, расположенного в квартале 180;
- 28:01:010181:24, расположенного в квартале 181;
- 28:01:010183:56, расположенного в квартале 183;
- 28:01:010183:57, расположенного в квартале 183;
- 28:01:000000:3449, расположенного в г. Благовещенск;
- 28:01:000000:10309, расположенного в г. Благовещенск;
- 28:01:140102:124, расположенного в квартале 102;
- 28:01:140102:144, расположенного в квартале 102;
- 28:01:010167:650, расположенного квартале 167Б;
- 28:01:010181:4, расположенного по ул. 50 лет Октября, 68, в квартале 181;
- 28:01:000000:3454, расположенного в г. Благовещенск;
- 28:01:010303:34, расположенного в квартале 303;
- 28:01:130055:8, расположенного по ул. Кузнечная, 50, в квартале 55;
- 28:01:130052:2, расположенного по ул. Ленина, 100, в квартале 52;
- 28:01:130056:2, расположенного по ул. Кузнечная, 1, в квартале 56;
- 28:01:130056:27, расположенного по ул. Краснофлотская, 105, в квартале 56;
- 28:01:130082:122, расположенного в квартале 82;
- 28:01:000000:2900, расположенного в г. Благовещенск;
- 28:01:010156:73, расположенного в квартале 156;
-28:01:000000:176 (обособленные участки 28:01:010275:36, 28:01:010275:18, 28:01:010156:57, 28:01:010155:29, 28:01:010155:30, 28:01:010155:31, 28:01:010154:61, 28:01:010154:62, 28:01:010154:64, 28:01:010303:32, 28:01:010309:30, 28:01:010208:104, 28:01:010207:81, 28:01:010207:82, 28:01:010207:83, 28:01:130199:266, 28:01:130199:267, 28:01:130199:268, 28:01:130199:269, 28:01:130199:270, 28:01:130199:271, 28:01:130199:272, 28:01:130199:274, 28:01:130199:276, 28:01:130199:277, 28:01:130055:44, 28:01:130061:147, 28:01:130061:162, 28:01:130061:148, 28:01:130076:58, 28:01:010178:64, 28:01:010183:29, 28:01:130199:275, 28:01:130053:89, 28:01:130056:129, 28:01:130085:131), расположенного в г. Благовещенск;
2. Земель, расположенных в кадастровых кварталах: 28:01:120001, 28:01:010275, 28:01:010278, 28:01:010167, 28:01:010274, 28:01:010156, 28:01:010166, 28:01:010165, 28:01:010155, 28:01:010163, 28:01:010154, 28:01:010162, 28:01:010276, 28:01:010284, 28:01:010283, 28:01:010291, 28:01:010290, 28:01:010297, 28:01:010296, 28:01:010289, 28:01:010295, 28:01:010288, 28:01:010183, 28:01:010190, 28:01:010189, 28:01:010182, 28:01:010181, 28:01:010188, 28:01:010180, 28:01:010179, 28:01:010178, 28:01:010186, 28:01:130185, 28:01:130177, 28:01:010302, 28:01:010309, 28:01:010308, 28:01:010315, 28:01:010314, 28:01:010321, 28:01:010320, 28:01:010313, 28:01:010319, 28:01:010211, 28:01:010220, 28:01:010219, 28:01:010210, 28:01:010209, 28:01:010218, 28:01:010208, 28:01:010217, 28:01:010216, 28:01:010207, 28:01:010215, 28:01:130213, 28:01:130199, 28:01:130212, 28:01:130059, 28:01:130055, 28:01:130058, 28:01:130054, 28:01:130057, 28:01:130053, 28:01:130056, 28:01:130061, 28:01:130060, 28:01:130069, 28:01:130068, 28:01:130077, 28:01:130076, 28:01:130085, 28:01:130083, 28:01:130090, 28:01:130089, 28:01:130074, 28:01:130089, 28:01:130094, 28:01:130082, 28:01:140261, 28:01:140102, 28:01:010187, 28:01:010303.
Графическое описание местоположения границ публичного сервитута:
.png)
.png)
.png)
.png)
.png)
.png)
.png)
Заинтересованные лица в течение пятнадцати дней со дня опубликования настоящего сообщения могут ознакомиться с поступившим ходатайством об установлении публичного сервитута и прилагаемым к нему описанием местоположения границ публичного сервитута по адресу: г. Благовещенск, ул. Ленина, 133, в рабочие дни с 09-00 до 18-00, по телефону: +7(4162) 233-874 (обеденный перерыв с 13-00 до 14-00) (официальный сайт Администрации города Благовещенска – www.admblag.ru).
Правообладатели земельных участков, если их права не зарегистрированы в Едином государственном реестре недвижимости, в течение пятнадцати дней со дня опубликования настоящего сообщения могут подать заявление об учете их прав (обременений прав) на земельный участок с приложением копий документов, подтверждающих эти права (обременения прав), с указанием почтового адреса и (или) адреса электронной почты.
Сообщение о возможном установлении публичного сервитута
В соответствии с п. 3 ст. 39.42 Земельного кодекса Российской Федерации администрация города Благовещенска информирует о рассмотрении ходатайства ООО «АКС» об установлении публичного сервитута для размещения сети водоотведения в отношении:
1. Земельного участка с кадастровым номером 28:01:010139:1398, расположенного по ул. Комсомольская, 49, в квартале 34;
2. Земельного участка с кадастровым номером 28:01:010139:455, расположенного в квартале 139
.png)
Заинтересованные лица в течение пятнадцати дней со дня опубликования настоящего сообщения могут ознакомиться с поступившим ходатайством об установлении публичного сервитута и прилагаемым к нему описанием местоположения границ публичного сервитута по адресу: г. Благовещенск, ул. Ленина, 133, в рабочие дни с 09-00 до 18-00 (обеденный перерыв с 13-00 до 14-00), тел. 7(4162) 233-870 (официальный сайт администрации города Благовещенска – www.admblag.ru).
Сообщение о возможном установлении публичного сервитута
В соответствии с п. 3 ст. 39.42 Земельного кодекса Российской Федерации администрация города Благовещенска информирует о рассмотрении ходатайства ООО«АКС» об установлении публичного сервитута для размещения сети холодного водоснабжения в отношении земельного участка с кадастровым номером 28:01:010139:1398, расположенного по ул. Комсомольская, 49, в квартале 139.
.png)
Заинтересованные лица в течение пятнадцати дней со дня опубликования настоящего сообщения могут ознакомиться с поступившим ходатайством об установлении публичного сервитута и прилагаемым к нему описанием местоположения границ публичного сервитута по адресу: г. Благовещенск, ул. Ленина, 133, в рабочие дни с 09-00 до 18-00 (обеденный перерыв с 13-00 до 14-00), тел. 7(4162) 233-870 (официальный сайт администрации города Благовещенска – www.admblag.ru).
Сообщение о возможном установлении публичного сервитута
В соответствии с п. 3 ст. 39.42 Земельного кодекса Российской Федерации администрация города Благовещенска информирует о рассмотрении ходатайства АО «ДГК» об установлении публичного сервитута для размещения тепловой сети в отношении земельных участков, расположенных в ЗПУ-2, с кадастровыми номерами:
- 28:01:030003:3364;
- 28:01:030003:2270
Графическое описание местоположения границ публичного сервитута

Заинтересованные лица в течение пятнадцати дней со дня опубликования настоящего сообщения могут ознакомиться с поступившим ходатайством об установлении публичного сервитута и прилагаемым к нему описанием местоположения границ публичного сервитута по адресу: г. Благовещенск, ул. Ленина, 133, в рабочие дни с 09-00 до 18-00 (обеденный перерыв с 13-00 до 14-00), тел. 7(4162) 233-874 (официальный сайт Администрации города Благовещенска – www.admblag.ru).
Правообладатели земельных участков, если их права не зарегистрированы в Едином государственном реестре недвижимости, в течение тридцати дней со дня опубликования настоящего сообщения могут подать заявление об учете их прав (обременений прав) на земельный участок с приложением копий документов, подтверждающих эти права (обременения прав), с указанием почтового адреса и (или) адреса электронной почты.
Сообщение о возможном установлении публичного сервитута
В соответствии с п. 3 ст. 39.42 Земельного кодекса Российской Федерации администрация города Благовещенска информирует о рассмотрении ходатайства АО «ДГК» об установлении публичного сервитута для размещения тепловой сети в отношении:
1. земельных участков с кадастровыми номерами:
- 28:01:010139:1398, расположенного по ул. Комсомольская, д. 49, в квартале 139;
- 28:01:010139:455, расположенного в квартале 139;
- 28:01:010139:1185, расположенного по в квартале 139;
- 28:01:010139:1186, расположенного по в квартале 139.
2. земель, расположенных в кадастровом квартале 28:01:010139.
Графическое описание местоположения границ публичного сервитута

Заинтересованные лица в течение пятнадцати дней со дня опубликования настоящего сообщения могут ознакомиться с поступившим ходатайством об установлении публичного сервитута и прилагаемым к нему описанием местоположения границ публичного сервитута по адресу: г. Благовещенск, ул. Ленина, 133, в рабочие дни с 09-00 до 18-00 (обеденный перерыв с 13-00 до 14-00), тел. 7(4162) 233-874 (официальный сайт Администрации города Благовещенска – www.admblag.ru).
Правообладатели земельных участков, если их права не зарегистрированы в Едином государственном реестре недвижимости, в течение тридцати дней со дня опубликования настоящего сообщения могут подать заявление об учете их прав (обременений прав) на земельный участок с приложением копий документов, подтверждающих эти права (обременения прав), с указанием почтового адреса и (или) адреса электронной почты.
Сообщение о возможном установлении публичного сервитута
В соответствии с п. 3 ст. 39.42 Земельного кодекса Российской Федерации администрация города Благовещенска информирует о рассмотрении ходатайства АО «ДГК» СП «Амурские тепловые сети» об установлении публичного сервитута для размещения сетей холодного водоснабжения в отношении:
1. земельных участков с кадастровыми номерами:
- 28:01:010162:951, расположенного по ул. Б. Хмельницкого, 61/1, в квартале 162;
- 28:01:010162:975, расположенного в квартале 162.
2. Земель, расположенных в кадастровом квартале 28:01:010154.
Графическое описание местоположения границ публичного сервитута:

Заинтересованные лица в течение пятнадцати дней со дня опубликования настоящего сообщения могут ознакомиться с поступившим ходатайством об установлении публичного сервитута и прилагаемым к нему описанием местоположения границ публичного сервитута по адресу: г. Благовещенск, ул. Ленина, 133, в рабочие дни с 09-00 до 18-00 (обеденный перерыв с 13-00 до 14-00), тел. 7(4162) 233-870 (официальный сайт администрации города Благовещенска – www.admblag.ru).
Правообладатели земельных участков, если их права не зарегистрированы в Едином государственном реестре недвижимости, в течение тридцати дней со дня опубликования настоящего сообщения могут подать заявление об учете их прав (обременений прав) на земельный участок с приложением копий документов, подтверждающих эти права (обременения прав), с указанием почтового адреса и (или) адреса электронной почты.
Сообщение о возможном установлении публичного сервитута
В соответствии с п. 3 ст. 39.42 Земельного кодекса Российской Федерации администрация города Благовещенска информирует о рассмотрении ходатайства ООО «АКС» об установлении публичного сервитута для размещения сети холодного водоснабжения в отношении земельных участков:
- с кадастровым номером 28:01:010009:1237, расположенного по ул. Артиллерийская, д. 33, в квартале 9;
- с кадастровым номером 28:01:000000:2901 (многоконтурный), расположенного в г. Благовещенске;
- с кадастровым номером 28:01:010009:1233, расположенного по ул. Артиллерийская, д. 35, в квартале 9.
Графическое описание местоположения границ публичного сервитута

Заинтересованные лица в течение пятнадцати дней со дня опубликования настоящего сообщения могут ознакомиться с поступившим ходатайством об установлении публичного сервитута и прилагаемым к нему описанием местоположения границ публичного сервитута по адресу: г. Благовещенск, ул. Ленина, 133, в рабочие дни с 09-00 до 18-00, по телефону: 7(4162)233-874 (обеденный перерыв с 13-00 до 14-00) (официальный сайт администрации города Благовещенска – www.admblag.ru).
Сообщение о возможном установлении публичного сервитута
В соответствии с п. 3 ст. 39.42 Земельного кодекса Российской Федерации администрация города Благовещенска информирует о рассмотрении ходатайства АО «ДРСК» об установлении публичного сервитута для размещения ЛЭП-10/0,4 кВ в отношении земель, расположенных в кадастровом квартале 28:01:110054.
Графическое описание местоположения границ публичного сервитута

Заинтересованные лица в течение пятнадцати дней со дня опубликования настоящего сообщения могут ознакомиться с поступившим ходатайством об установлении публичного сервитута и прилагаемым к нему описанием местоположения границ публичного сервитута по адресу: г. Благовещенск.ул. Ленина, 133, в рабочие дни с 09-00 до 18-00, по телефону: 7(4162)233-874 (обеденный перерыв с 13-00 до 14-00) (официальный сайт администрации города Благовещенска – www.admblag.ru).
Правообладатели земельных участков, если их права не зарегистрированы в Едином государственном реестре недвижимости, в течение пятнадцати дней со дня опубликования настоящего сообщения могут подать заявление об учете их прав (обременений прав) на земельный участок с приложением копий документов, подтверждающих эти права (обременения прав), с указанием почтового адреса и (или) адреса электронной почты.
Сообщение о возможном установлении публичного сервитута
В соответствии с п. 3 ст. 39.42 Земельного кодекса Российской Федерации администрация города Благовещенска информирует о рассмотрении ходатайства ООО «АКС» об установлении публичного сервитута для размещения сетей водоотведения в отношении:
1. Земельных участков с кадастровыми номерами:
- 28:01:020800:4030, расположенного в квартале 800;
- 28:01:020800:4036, расположенного в квартале 800;
- 28:01:020800:4033, расположенного в квартале 800;
- 28:01:000000:268, расположенного в г. Благовещенске;
- 28:01:000000:13906, расположенного в СПУ-3, СПУ-4;
- 28:01:020014:162, расположенного в СПУ-4;
2. Земель, расположенных в кадастровом квартале 28:01:020413
Заинтересованные лица в течение пятнадцати дней со дня опубликования настоящего сообщения могут ознакомиться с поступившим ходатайством об установлении публичного сервитута и прилагаемым к нему описанием местоположения границ публичного сервитута по адресу: г. Благовещенск, ул. Ленина, 133, в рабочие дни с 09-00 до 18-00, по телефону: 7(4162)233-874 (обеденный перерыв с 13-00 до 14-00) (официальный сайт администрации города Благовещенска – www.admblag.ru).
Правообладатели земельных участков, если их права не зарегистрированы в Едином государственном реестре недвижимости, в течение пятнадцати дней со дня опубликования настоящего сообщения могут подать заявление об учете их прав (обременений прав) на земельный участок с приложением копий документов, подтверждающих эти права (обременения прав), с указанием почтового адреса и (или) адреса электронной почты.
.png)
Сообщение о возможном установлении публичного сервитута
В соответствии с п. 3 ст. 39.42 Земельного кодекса Российской Федерации администрация города Благовещенска информирует о рассмотрении ходатайства ООО «АКС» об установлении публичного сервитута для размещения электрических сетей в отношении земельного участка с кадастровым номером 28:01:010200:517, расположенного в квартале 200.
Заинтересованные лица в течение тридцати дней со дня опубликования настоящего сообщения могут ознакомиться с поступившим ходатайством об установлении публичного сервитута и прилагаемым к нему описанием местоположения границ публичного сервитута по адресу: г. Благовещенск, ул. Ленина, 133, в рабочие дни с 09-00 до 18-00 (обеденный перерыв с 13-00 до 14-00), тел. 7(4162) 233-870 (официальный сайт администрации города Благовещенска – www.admblag.ru). Правообладатели земельных участков, если их права не зарегистрированы в Едином государственном реестре недвижимости, в течение тридцати дней со дня опубликования настоящего сообщения могут подать заявление об учете их прав (обременений прав) на земельный участок с приложением копий документов, подтверждающих эти права (обременения прав), с указанием почтового адреса и (или) адреса электронной почты.
.png)
Сообщение о возможном установлении публичного сервитута
Министерством имущественных отношений Амурской области рассматривается ходатайство об установлении публичного сервитута в целях складирование строительных и иных материалов, размещение временных или вспомогательных сооружений (включая ограждения, бытовки, навесы) и (или) строительной техники, которые необходимы для обеспечения строительства объектов транспортной инфраструктуры линейного объекта системы газоснабжения и его неотъемлемых технологических частей «Газопровод межпоселковый к г. Благовещенск, с. Чигири, с. Верхнеблаговещенское Амурской области (1 этап – от ГРС Благовещенск до г. Благовещенск, с. Чигири)» в отношении земельных участков с кадастровыми номерами:
|
Кадастровый номер |
Адрес или иное описание местоположения
земельного участка (участков), в отношении которого испрашивается публичный
сервитут |
|
28:01:000000:391 |
Амурская область, г Благовещенск; |
|
28:01:000000:13753 |
Амурская область, г. Благовещенск, с. Плодопитомник; |
|
28:01:000000:13168 |
Амурская область, г. Благовещенск, с. Плодопитомник; |
|
в границах
кадастровых кварталов: | |
|
28:01:110276 |
Амурская область, г. Благовещенск; |
|
28:01:110277 |
Амурская область, г. Благовещенск; |






Размещение линейного объекта «Газопровод межпоселковый к г. Благовещенск, с. Чигири, с. Верхнеблаговещенское Амурской области (1 этап – от ГРС Благовещенск до г. Благовещенск, с. Чигири)» предусмотрено Схемой территориального планирования Амурской области, утвержденной постановлением Правительства Амурской области от 30.12.2011 № 985, проектом планировки и проектом межевания территории, утвержденным приказом министерства жилищно – коммунального хозяйства Амурской области от 29.07.2022 № 353-од «Об утверждении документации по планировке территории в целях размещения линейного объекта «Газопровод межпоселковый к г. Благовещенск, с. Чигири, с. Верхнеблаговещенское Амурской области (1 этап – от ГРС Благовещенск до г. Благовещенск, с. Чигири)» (в редакции от 01.12.2022 № 550-од) (размещенной на сайте www.fgistp.economy.gov.ru).
Заинтересованные лица в течение пятнадцати дней со дня опубликования настоящего сообщения могут ознакомиться с поступившим ходатайством об установлении публичного сервитута и прилагаемым к нему описанием местоположения границ публичного сервитута, подать заявление об учете прав на земельные участки по адресу:
министерство имущественных отношений Амурской области, 675023, г. Благовещенск, ул. Ленина 135, 6 этаж, кабинет № 602, тел. 8 (4262) 23-16-18, 8 (4162) 23-16-19.
Время приема заинтересованных лиц для ознакомления с поступившим ходатайством об установлении публичного сервитута: с понедельника по пятницу, с 10-00 час. до 17-00 час., тел. 8 (4262) 23-16-18, 8 (4162) 23-16-19.
Правообладатели земельных участков, если их права не зарегистрированы в Едином государственном реестре недвижимости, в течение пятнадцати дней со дня опубликования настоящего сообщения могут подать заявление в министерство имущественных отношений Амурской области об учете их прав (обременений прав) на земельный участок с приложением копий документов, подтверждающих эти права (обременения прав), с указанием почтового адреса и (или) адреса электронной почты.
Официальные сайты в информационно-телекоммуникационной сети «Интернет», на которых размещается сообщение о поступившем ходатайстве об установлении публичного сервитута:
официальный сайт министерства имущественных отношений Амурской области - https://mail@mio.amurobl.ru;
официальный сайт администрации города Благовещенска - https://www.admblag.ru;
официальный сайт администрации Благовещенского муниципального округа - http://blgraion.amurobl.ru.
Сообщение о возможном установлении публичного сервитута
В соответствии с п. 3 ст. 39.42 Земельного кодекса Российской Федерации администрация города Благовещенска информирует о рассмотрении ходатайства ООО «АКС» об установлении публичного сервитута для размещения сети холодного водоснабжения в отношении:
1. Земельного участка с кадастровым номером 28:01:000000:442, расположенного в квартале 34;
2. Земель, расположенных в кадастровых кварталах: 28:01:130027; 28:01:130031.
Графическое описание местоположения границ публичного сервитута:

Заинтересованные лица в течение тридцати дней со дня опубликования настоящего сообщения могут ознакомиться с поступившим ходатайством об установлении публичного сервитута и прилагаемым к нему описанием местоположения границ публичного сервитута по адресу: г. Благовещенск, ул. Ленина, 133, в рабочие дни с 09-00 до 18-00 (обеденный перерыв с 13-00 до 14-00), тел. 7(4162) 233-870 (официальный сайт администрации города Благовещенска – www.admblag.ru).
Правообладатели земельных участков, если их права не зарегистрированы в Едином государственном реестре недвижимости, в течение тридцати дней со дня опубликования настоящего сообщения могут подать заявление об учете их прав (обременений прав) на земельный участок с приложением копий документов, подтверждающих эти права (обременения прав), с указанием почтового адреса и (или) адреса электронной почты.
Сообщение о возможном установлении публичного сервитута
Министерством имущественных отношений Амурской области рассматривается ходатайство об установлении публичного сервитута в целях строительства и эксплуатации линейного объекта системы газоснабжения и его неотъемлемых технологических частей «Газопровод межпоселковый к г. Благовещенск, с. Чигири, с. Верхнеблаговещенское Амурской области (1 этап - от ГРС Благовещенск до г. Благовещенск, с. Чигири)» в границах кадастрового квартала 28:01:110067, местоположение: Амурская область, г. Благовещенск, с/т «Торговля», район Лазаретной пади. Размещение линейного объекта «Газопровод межпоселковый к г. Благовещенск, с. Чигири, с. Верхнеблаговещенское Амурской области (1 этап - от ГРС Благовещенск до г. Благовещенск, с. Чигири)» предусмотрено Схемой территориального планирования Амурской области, утвержденной постановлением Правительства Амурской области от 30.12.2011 № 985, проектом планировки и проектом межевания территории, утвержденным приказом министерства жилищно - коммунального хозяйства Амурской области от 29.07.2022 № 353-од «Об утверждении документации по планировке территории в целях размещения линейного объекта «Газопровод межпоселковый к г. Благовещенск, с. Чигири, с. Верхнеблаговещенское Амурской области (1 этап - от ГРС Благовещенск до г. Благовещенск, с. Чигири)» (в редакции от 01.12.2022 № 550-од) (размещенной на сайте www.fgistp.economy.gov.ru).
Графическое описание местоположения границ публичного сервитута

Заинтересованные лица в течение пятнадцати дней со дня опубликования настоящего сообщения могут ознакомиться с поступившим ходатайством об установлении публичного сервитута и прилагаемым к нему описанием местоположения границ публичного сервитута, подать заявление об учете прав на земельные участки по адресу: министерство имущественных отношений Амурской области, 675023, г. Благовещенск, ул. Ленина 135, 6 этаж, кабинет № 602, тел. 8 (4262) 23-16-18, 8 (4162) 23-16-19.Время приема заинтересованных лиц для ознакомления с поступившим ходатайством об установлении публичного сервитута: с понедельника по пятницу, с 10-00 час. до 17-00 час., тел. 8 (4262) 23-16-18, 8 (4162) 23-16-19. Правообладатели земельных участков, если их права не зарегистрированы в Едином государственном реестре недвижимости, в течение пятнадцати дней со дня опубликования настоящего сообщения могут подать заявление в министерство имущественных отношений Амурской области об учете их прав (обременений прав) на земельный участок с приложением копий документов, подтверждающих эти права (обременения прав), с указанием почтового адреса и (или) адреса электронной почты. Официальные сайты в информационно-телекоммуникационной сети «Интернет», на которых размещается сообщение о поступившем ходатайстве об установлении публичного сервитута:
- официальный сайт министерства имущественных отношений Амурской области - https://mail@mio.amurobl.ru;
- официальный сайт администрации города Благовещенска - https://www.admblag.ru
Сообщение о возможном установлении публичного сервитута
В соответствии с п. 3 ст. 39.42 Земельного кодекса Российской Федерации администрация города Благовещенска информирует о рассмотрении ходатайства МУ «ГУКС» об установлении публичного сервитута для размещения тепловых сетей в квартале 800 г. Благовещенск в отношении:
1. Земельных участков с кадастровыми номерами:
- 28:01:000000:2104, расположенного в г. Благовещенск;
- 28:01:020800:12, расположенного по ул. Строителей, 109, в квартале 800;
- 28:01:020800:56, расположенного по ул. Строителей, 79, в квартале 800;
- 28:01:020800:104, расположенного по ул. Строителей, 70, в квартале 800;
- 28:01:020800:105, расположенного по ул. Строителей, 66, 68, в квартале 800;
- 28:01:020800:115, расположенного в квартале 800;
- 28:01:020800:116, расположенного по ул. Строителей, 107, в квартале 800;
- 28:01:020800:1075, расположенного по ул. Муравьева-Амурского, 5/2, в квартале 800;
- 28:01:020800:4029, расположенного в квартале 800;
- 28:01:000000:176 (обособленные участки 28:01:020475:255, 28:01:020438:134), расположенного в г. Благовещенск;
- 28:01:000000:325, расположенного в г. Благовещенск;
- 28:01:000000:2181, расположенного в г. Благовещенск;
- 28:01:000000:10599, расположенного в г. Благовещенск;
- 28:01:020433:229, расположенного по ул. Зеленая, 30, в квартале 433;
- 28:01:020438:18, расположенного в квартале 438;
- 28:01:020438:104, расположенного в квартале 438;
- 28:01:020438:147, расположенного по ул. Островского, 273, в квартале 438;
- 28:01:020475:42, расположенного по ул. Зеленая, 8, в квартале 475;
- 28:01:020475:46, расположенного по ул. Зеленая, 10, в квартале 475;
- 28:01:020475:47, расположенного по ул. Зеленая, 6, в квартале 475.
2. Земель, расположенных в кадастровых кварталах: 28:01:020489, 28:01:020487, 28:01:020800, 28:01:020475, 28:01:020433, 28:01:020439, 28:01:020438.
Графическое описание местоположения границ публичного сервитута:




Заинтересованные лица в течение пятнадцати дней со дня опубликования настоящего сообщения могут ознакомиться с поступившим ходатайством об установлении публичного сервитута и прилагаемым к нему описанием местоположения границ публичного сервитута по адресу: г. Благовещенск, ул. Ленина, 133, в рабочие дни с 09-00 до 18-00, по телефону: +7(4162) 233-872 (обеденный перерыв с 13-00 до 14-00) (официальный сайт администрации города Благовещенска – www.admblag.ru).
Правообладатели земельных участков, если их права не зарегистрированы в Едином государственном реестре недвижимости, в течение пятнадцати дней со дня опубликования настоящего сообщения могут подать заявление об учете их прав (обременений прав) на земельный участок с приложением копий документов, подтверждающих эти права (обременения прав), с указанием почтового адреса и (или) адреса электронной почты.
Сообщение о возможном установлении публичного сервитута
В соответствии с п. 3 ст. 39.42 Земельного кодекса Российской Федерации администрация города Благовещенска информирует о рассмотрении ходатайства ООО «АКС» об установлении публичного сервитута для размещения сетей холодного водоснабжения в отношении земельных участков, расположенных в квартале 800, с кадастровыми номерами: 28:01:000000:268, 28:01:020800:3309, 28:01:020800:4036, 28:01:020800:3574, 28:01:020800:4033, 28:01:020800:4030.
Графическое описание местоположения границ публичного сервитута

Заинтересованные лица в течение пятнадцати дней со дня опубликования настоящего сообщения могут ознакомиться с поступившим ходатайством об установлении публичного сервитута и прилагаемым к нему описанием местоположения границ публичного сервитута по адресу: г. Благовещенск, ул. Ленина, 133, в рабочие дни с 09-00 до 18-00, по телефону: 7(4162)233-874 (обеденный перерыв с 13-00 до 14-00) (официальный сайт администрации города Благовещенска – www.admblag.ru).
Правообладатели земельных участков, если их права не зарегистрированы в Едином государственном реестре недвижимости, в течение пятнадцати дней со дня опубликования настоящего сообщения могут подать заявление об учете их прав (обременений прав) на земельный участок с приложением копий документов, подтверждающих эти права (обременения прав), с указанием почтового адреса и (или) адреса электронной почты.
Сообщение о возможном установлении публичного сервитута
В соответствии с п. 3 ст. 39.42 Земельного кодекса Российской Федерации администрация города Благовещенска информирует о рассмотрении ходатайства ООО «АКС» об установлении публичного сервитута для размещения сети водоотведения в квартале 17 в отношении земельных участков с кадастровыми номерами:
- 28:01:010017:985, расположенного по ул. Мухина, 59;
- 28:01:010017:972, расположенного по ул. Мухина, 57.
Графическое описание местоположения границ публичного сервитута:

Заинтересованные лица в течение тридцати дней со дня опубликования настоящего сообщения могут ознакомиться с поступившим ходатайством об установлении публичного сервитута и прилагаемым к нему описанием местоположения границ публичного сервитута по адресу: г. Благовещенск, ул. Ленина, 133, в рабочие дни с 09-00 до 18-00 (обеденный перерыв с 13-00 до 14-00), тел. 7(4162) 233-876 (официальный сайт администрации города Благовещенска – www.admblag.ru).
Сообщение о возможном установлении публичного сервитута
В соответствии с п. 3 ст. 39.42 Земельного кодекса Российской Федерации администрация города Благовещенска информирует о рассмотрении ходатайства ООО «АКС» об установлении публичного сервитута для размещения сетей холодного водоснабжения в отношении земельного участка с кадастровым номером 28:01:010017:972, расположенного по ул. Мухина, 57, в квартале 17.
Графическое описание местоположения границ публичного сервитута:

Заинтересованные лица в течение пятнадцати дней со дня опубликования настоящего сообщения могут ознакомиться с поступившим ходатайством об установлении публичного сервитута и прилагаемым к нему описанием местоположения границ публичного сервитута по адресу: г. Благовещенск, ул. Ленина, 133, в рабочие дни с 09-00 до 18-00, по телефону: +7(4162) 233-872 (обеденный перерыв с 13-00 до 14-00) (официальный сайт администрации города Благовещенска – www.admblag.ru).
Сообщение о возможном установлении публичного сервитута
В соответствии с п. 3 ст. 39.42 Земельного кодекса Российской Федерации администрация города Благовещенска информирует о рассмотрении ходатайства ООО «АКС» об установлении публичного сервитута для размещения сети водоотведения в отношении земельного участка с кадастровым номером 28:01:010133:661, расположенного по пер. Крестьянскому, 38, в квартале 133.
Графическое описание местоположения границ публичного сервитута:

Заинтересованные лица в течение тридцати дней со дня опубликования настоящего сообщения могут ознакомиться с поступившим ходатайством об установлении публичного сервитута и прилагаемым к нему описанием местоположения границ публичного сервитута по адресу: г. Благовещенск, ул. Ленина, 133, в рабочие дни с 09-00 до 18-00 (обеденный перерыв с 13-00 до 14-00), тел. 7(4162) 233-870 (официальный сайт администрации города Благовещенска – www.admblag.ru).
Сообщение о возможном установлении публичного сервитута
В соответствии с п. 3 ст. 39.42 Земельного кодекса Российской Федерации администрация города Благовещенска информирует о рассмотрении ходатайства ООО «АКС» об установлении публичного сервитута для размещения сети холодного водоснабжения в отношении:
- земельного участка с кадастровым номером 28:01:010004:585, расположенного по ул. Загородная, д. 25, в квартале 4;
- земельного участка с кадастровым номером 28:01:000000:2141, расположенного в г. Благовещенске;
- земель, расположенных в кадастровых кварталах 28:01:010004, 28:01:010005.
Графическое описание местоположения границ публичного сервитута

Заинтересованные лица в течение пятнадцати дней со дня опубликования настоящего сообщения могут ознакомиться с поступившим ходатайством об установлении публичного сервитута и прилагаемым к нему описанием местоположения границ публичного сервитута по адресу: г. Благовещенск, ул. Ленина, 133, в рабочие дни с 09-00 до 18-00, по телефону: 7(4162)233-874 (обеденный перерыв с 13-00 до 14-00) (официальный сайт администрации города Благовещенска – www.admblag.ru).
Правообладатели земельных участков, если их права не зарегистрированы в Едином государственном реестре недвижимости, в течение пятнадцати дней со дня опубликования настоящего сообщения могут подать заявление об учете их прав (обременений прав) на земельный участок с приложением копий документов, подтверждающих эти права (обременения прав), с указанием почтового адреса и (или) адреса электронной почты.
Сообщение о возможном установлении публичного сервитута
В соответствии с п. 3 ст. 39.42 Земельного кодекса Российской Федерации администрация города Благовещенска информирует о рассмотрении ходатайства ООО «АКС» об установлении публичного сервитута для размещения сети водоотведения в отношении земельного участка с кадастровым номером 28:01:010017:985, расположенного по ул. Мухина, 59, в квартале 17.
Графическое описание местоположения границ публичного сервитута:

Заинтересованные лица в течение тридцати дней со дня опубликования настоящего сообщения могут ознакомиться с поступившим ходатайством об установлении публичного сервитута и прилагаемым к нему описанием местоположения границ публичного сервитута по адресу: г. Благовещенск, ул. Ленина, 133, в рабочие дни с 09-00 до 18-00 (обеденный перерыв с 13-00 до 14-00), тел. 7(4162) 233-870 (официальный сайт администрации города Благовещенска – www.admblag.ru).
Сообщение о возможном установлении публичного сервитута
В соответствии с п. 3 ст. 39.42 Земельного кодекса Российской Федерации администрация города Благовещенска информирует о рассмотрении ходатайства ООО «АКС» об установлении публичного сервитута для размещения сети холодного водоснабжения в отношении земельных участков с кадастровыми номерами:
- 28:01:010017:985, расположенного по ул. Мухина, 59, в квартале 17;
- 28:01:010017:972, расположенного по ул. Мухина, 57, в квартале 17.
Графическое описание местоположения границ публичного сервитута:

Заинтересованные лица в течение тридцати дней со дня опубликования настоящего сообщения могут ознакомиться с поступившим ходатайством об установлении публичного сервитута и прилагаемым к нему описанием местоположения границ публичного сервитута по адресу: г. Благовещенск, ул. Ленина, 133, в рабочие дни с 09-00 до 18-00 (обеденный перерыв с 13-00 до 14-00), тел. 7(4162) 233-876 (официальный сайт администрации города Благовещенска – www.admblag.ru).
Сообщение о возможном установлении публичного сервитута
В соответствии с п. 3 ст. 39.42 Земельного кодекса Российской Федерации администрация города Благовещенска информирует о рассмотрении ходатайства ООО «АКС» об установлении публичного сервитута для размещения сетей водоотведения в отношении земельного участка с кадастровым номером 28:01:010178:380, расположенного в квартале 178.
Графическое описание местоположения границ публичного сервитута:

Заинтересованные лица в течение пятнадцати дней со дня опубликования настоящего сообщения могут ознакомиться с поступившим ходатайством об установлении публичного сервитута и прилагаемым к нему описанием местоположения границ публичного сервитута по адресу: г. Благовещенск, ул. Ленина, 133, в рабочие дни с 09-00 до 18-00, по телефону: 7(4162)233-876 (обеденный перерыв с 13-00 до 14-00) (официальный сайт администрации города Благовещенска – www.admblag.ru).
Правообладатели земельных участков, если их права не зарегистрированы в Едином государственном реестре недвижимости, в течение тридцати дней со дня опубликования настоящего сообщения могут подать заявление об учете их прав (обременений прав) на земельный участок с приложением копий документов, подтверждающих эти права (обременения прав), с указанием почтового адреса и (или) адреса электронной почты.
Сообщение о возможном установлении публичного сервитута
В соответствии с п. 3 ст. 39.42 Земельного кодекса Российской Федерации администрация города Благовещенска информирует о рассмотрении ходатайства ООО «АКС» об установлении публичного сервитута для размещения сетей холодного водоснабжения в отношении земельного участка с кадастровым номером 28:01:010224:183, расположенного по пер. Технический, 84, в квартале 224.
Графическое описание местоположения границ публичного сервитута:

Заинтересованные лица в течение пятнадцати дней со дня опубликования настоящего сообщения могут ознакомиться с поступившим ходатайством об установлении публичного сервитута и прилагаемым к нему описанием местоположения границ публичного сервитута по адресу: г. Благовещенск, ул. Ленина, 133, в рабочие дни с 09-00 до 18-00, по телефону: 7(4162)233-876 (обеденный перерыв с 13-00 до 14-00) (официальный сайт администрации города Благовещенска – www.admblag.ru).
Правообладатели земельных участков, если их права не зарегистрированы в Едином государственном реестре недвижимости, в течение тридцати дней со дня опубликования настоящего сообщения могут подать заявление об учете их прав (обременений прав) на земельный участок с приложением копий документов, подтверждающих эти права (обременения прав), с указанием почтового адреса и (или) адреса электронной почты.
Сообщение о возможном установлении публичного сервитута
В соответствии с п. 3 ст. 39.42 Земельного кодекса Российской Федерации администрация города Благовещенска информирует о рассмотрении ходатайства ООО «АКС» об установлении публичного сервитута для размещения сетей холодного водоснабжения в отношении земельного участка с кадастровым номером 28:01:010178:380, расположенного в квартале 178.
Графическое описание местоположения границ публичного сервитута:

Заинтересованные лица в течение пятнадцати дней со дня опубликования настоящего сообщения могут ознакомиться с поступившим ходатайством об установлении публичного сервитута и прилагаемым к нему описанием местоположения границ публичного сервитута по адресу: г. Благовещенск, ул. Ленина, 133, в рабочие дни с 09-00 до 18-00, по телефону: 7(4162)233-876 (обеденный перерыв с 13-00 до 14-00) (официальный сайт администрации города Благовещенска – www.admblag.ru).
Правообладатели земельных участков, если их права не зарегистрированы в Едином государственном реестре недвижимости, в течение тридцати дней со дня опубликования настоящего сообщения могут подать заявление об учете их прав (обременений прав) на земельный участок с приложением копий документов, подтверждающих эти права (обременения прав), с указанием почтового адреса и (или) адреса электронной почты.
Сообщение о возможном установлении публичного сервитута
В соответствии с п. 3 ст. 39.42 Земельного кодекса Российской Федерации администрация города Благовещенска информирует о рассмотрении ходатайства АО «ДРСК» об установлении публичного сервитута для размещения ЛЭП – 10/0,4 кВ в отношении земельных участков, расположенных в п. Аэропорт, в квартале А -1 с кадастровыми номерами:
- 28:01:060010:822;
- 28:01:060010:1196;
- 28:01:060010:1237;
- 28:01:060010:1408;
- земель, расположенных в кадастровом квартале 28:01:060010.
Графическое описание местоположения границ публичного сервитута:

Заинтересованные лица в течение пятнадцати дней со дня опубликования настоящего сообщения могут ознакомиться с поступившим ходатайством об установлении публичного сервитута и прилагаемым к нему описанием местоположения границ публичного сервитута по адресу: г. Благовещенск, ул. Ленина, 133, в рабочие дни с 09-00 до 18-00, по телефону: 7(4162)233-876 (обеденный перерыв с 13-00 до 14-00) (официальный сайт администрации города Благовещенска – www.admblag.ru).
Правообладатели земельных участков, если их права не зарегистрированы в Едином государственном реестре недвижимости, в течение тридцати дней со дня опубликования настоящего сообщения могут подать заявление об учете их прав (обременений прав) на земельный участок с приложением копий документов, подтверждающих эти права (обременения прав), с указанием почтового адреса и (или) адреса электронной почты.
Сообщение о возможном установлении публичного сервитута
В соответствии с п. 3 ст. 39.42 Земельного кодекса Российской Федерации администрация города Благовещенска информирует о рассмотрении ходатайства ООО «АКС» об установлении публичного сервитута для размещения сетей водоотведения в отношении: - земельного участка с кадастровым номером 28:01:010009:1237, расположенного по ул. Артиллерийская, д. 33, в квартале 9; - земельного участка с кадастровым номером 28:01:000000:2901, расположенного в г. Благовещенске; - земель, расположенных в кадастровом квартале 28:01:010009
Графическое описание местоположения границ публичного сервитута:
.png)
Заинтересованные лица в течение тридцати дней со дня опубликования настоящего сообщения могут ознакомиться с поступившим ходатайством об установлении публичного сервитута и прилагаемым к нему описанием местоположения границ публичного сервитута по адресу: г. Благовещенск, ул. Ленина, 133, в рабочие дни с 09-00 до 18-00 (обеденный перерыв с 13-00 до 14-00), тел. 7(4162) 233-870 (официальный сайт администрации города Благовещенска – www.admblag.ru).
Правообладатели земельных участков, если их права не зарегистрированы в Едином государственном реестре недвижимости, в течение тридцати дней со дня опубликования настоящего сообщения могут подать заявление об учете их прав (обременений прав) на земельный участок с приложением копий документов, подтверждающих эти права (обременения прав), с указанием почтового адреса и (или) адреса электронной почты.
Сообщение о возможном установлении публичного сервитута
Министерством имущественных отношений Амурской области рассматривается ходатайство об установлении публичного сервитута в целях эксплуатации объекта электросетевого хозяйства регионального значения «ВЛ-35 кВ «Игнатьево-Водозабор» в кадастровых кварталах 28:01:110218, 28:01:110239, 28:01:110246 Амурская область, г. Благовещенск.
Эксплуатация объекта электросетевого хозяйства регионального значения «ВЛ-35 кВ «Игнатьево-Водозабор» предусмотрена Схемой территориального планирования Амурской области, утвержденной постановлением Правительства Амурской области от 30.12.2011 № 985 (размещенной на сайтеhttps://fgistp.economy.gov.ru).
Заинтересованные лица в течение пятнадцати дней со дня опубликования настоящего сообщения могут ознакомиться с поступившим ходатайством об установлении публичного сервитута и прилагаемым к нему описанием местоположения границ публичного сервитута на сайте министерства имущественных отношений Амурской области - https://mail@mio.amurobl.ru в разделе «Земельные отношения».
Правообладатели земельных участков, если их права не зарегистрированы в Едином государственном реестре недвижимости, в течение пятнадцати дней со дня опубликования настоящего сообщения могут подать заявление об учете их прав (обременений прав) на земельный участок с приложением копий документов, подтверждающих эти права (обременения прав), с указанием почтового адреса и (или) адреса электронной почты.
Адрес, по которому заинтересованные лица могут подать заявления об учете прав на земельные участки: 675000, Амурская область, г. Благовещенск, ул. Ленина,135, адрес электронной почты: mail@mio.amurobl.ru
Официальные сайты в информационно-телекоммуникационной сети «Интернет», на которых размещается сообщение о поступившем ходатайстве об установлении публичного сервитута:
- официальный сайт министерства имущественных отношений Амурской области https://mio.amurobl.ru;
- официальный сайт администрации города Благовещенска https:// admblag.ru.
Графическое описание местоположения границ публичного сервитута:
.png)
Заинтересованные лица в течение пятнадцати дней со дня опубликования настоящего сообщения могут ознакомиться с поступившим ходатайством об установлении публичного сервитута и прилагаемым к нему описанием местоположения границ публичного сервитута по адресу: г. Благовещенск, ул. Ленина, 133, в рабочие дни с 09-00 до 18-00, по телефону: 7(4162)233-874 (обеденный перерыв с 13-00 до 14-00) (официальный сайт администрации города Благовещенска – www.admblag.ru).
Правообладатели земельных участков, если их права не зарегистрированы в Едином государственном реестре недвижимости, в течение пятнадцати дней со дня опубликования настоящего сообщения могут подать заявление об учете их прав (обременений прав) на земельный участок с приложением копий документов, подтверждающих эти права (обременения прав), с указанием почтового адреса и (или) адреса электронной почты.
Сообщение о возможном установлении публичного сервитута
В соответствии с п. 3 ст. 39.42 Земельного кодекса Российской Федерации администрация города Благовещенска информирует о рассмотрении ходатайства ООО «АКС» об установлении публичного сервитута для размещения сетей водоотведения в отношении: - земельного участка с кадастровым номером 28:01:010009:1237, расположенного по ул. Артиллерийская, д. 33, в квартале 9; - земельного участка с кадастровым номером 28:01:000000:2901, расположенного в г. Благовещенске; - земель, расположенных в кадастровом квартале 28:01:010009
Графическое описание местоположения границ публичного сервитута:

Заинтересованные лица в течение пятнадцати дней со дня опубликования настоящего сообщения могут ознакомиться с поступившим ходатайством об установлении публичного сервитута и прилагаемым к нему описанием местоположения границ публичного сервитута по адресу: г. Благовещенск, ул. Ленина, 133, в рабочие дни с 09-00 до 18-00, по телефону: 7(4162)233-874 (обеденный перерыв с 13-00 до 14-00) (официальный сайт администрации города Благовещенска – www.admblag.ru).
Правообладатели земельных участков, если их права не зарегистрированы в Едином государственном реестре недвижимости, в течение пятнадцати дней со дня опубликования настоящего сообщения могут подать заявление об учете их прав (обременений прав) на земельный участок с приложением копий документов, подтверждающих эти права (обременения прав), с указанием почтового адреса и (или) адреса электронной почты.
Сообщение о возможном установлении публичного сервитута
В соответствии с п. 3 ст. 39.42 Земельного кодекса Российской Федерации администрация города Благовещенска информирует о рассмотрении ходатайства ООО «АКС» об установлении публичного сервитута для размещения сетей водоотведения в отношении земельного участка с кадастровым номером 28:01:020800:1073, расположенного по ул. МуравьеваАмурского, 13, 13/2, 15, 17, 17/2, 19, в квартале 800.
Графическое описание местоположения границ публичного сервитута:

Заинтересованные лица в течение тридцати дней со дня опубликования настоящего сообщения могут ознакомиться с поступившим ходатайством об установлении публичного сервитута и прилагаемым к нему описанием местоположения границ публичного сервитута по адресу: г. Благовещенск, ул. Ленина, 133, в рабочие дни с 09-00 до 18-00 (обеденный перерыв с 13-00 до 14-00), телефон 8(4162)233-874 (официальный сайт администрации города Благовещенска – www.admblag.ru).
Правообладатели земельных участков, если их права не зарегистрированы в Едином государственном реестре недвижимости, в течение тридцати дней со дня опубликования настоящего сообщения могут подать заявление об учете их прав (обременений прав) на земельный участок с приложением копий документов, подтверждающих эти права (обременения прав), с указанием почтового адреса и (или) адреса электронной почты.
Сообщение о возможном установлении публичного сервитута
В соответствии с п. 3 ст. 39.42 Земельного кодекса Российской Федерации администрация города Благовещенска информирует о рассмотрении ходатайства ООО «АКС» об установлении публичного сервитута для размещения сетей холодного водоснабжения и водоотведения в отношении земельных участков, расположенных в квартале 352, с кадастровыми номерами: - 28:01:210352:600; - 28:01:210352:595; - 28:01:210352:596; - 28:01:210352:598.
Графическое описание местоположения границ публичного сервитута:

Заинтересованные лица в течение пятнадцати дней со дня опубликования настоящего сообщения могут ознакомиться с поступившим ходатайством об установлении публичного сервитута и прилагаемым к нему описанием местоположения границ публичного сервитута по адресу: г. Благовещенск, ул. Ленина, 133, в рабочие дни с 09-00 до 18-00, по телефону: 7(4162) 233-872 (обеденный перерыв с 13-00 до 14-00) (официальный сайт администрации города Благовещенска – www.admblag.ru).
Сообщение о возможном установлении публичного сервитута
В соответствии с п. 3 ст. 39.42 Земельного кодекса Российской Федерации администрация города Благовещенска информирует о рассмотрении ходатайства ООО «АКС» об установлении публичного сервитута для размещения сетей холодного водоснабжения в отношении земельных участков с кадастровыми номерами: - 28:01:010425:308, расположенного по пер. Серышевский, д. 1, в квартале 425; - 28:01:000000:2141, расположенного в г. Благовещенске; - земель, расположенных в кадастровых кварталах 28:01:010425, 28:01:010005.
Графическое описание местоположения границ публичного сервитута:

Заинтересованные лица в течение тридцати дней со дня опубликования настоящего сообщения могут ознакомиться с поступившим ходатайством об установлении публичного сервитута и прилагаемым к нему описанием местоположения границ публичного сервитута по адресу: г. Благовещенск, ул. Ленина, 133, в рабочие дни с 09-00 до 18-00 (обеденный перерыв с 13-00 до 14-00), телефон 8(4162)233-876 (официальный сайт администрации города Благовещенска – www.admblag.ru).
Правообладатели земельных участков, если их права не зарегистрированы в Едином государственном реестре недвижимости, в течение тридцати дней со дня опубликования настоящего сообщения могут подать заявление об учете их прав (обременений прав) на земельный участок с приложением копий документов, подтверждающих эти права (обременения прав), с указанием почтового адреса и (или) адреса электронной почты.
Сообщение о возможном установлении публичного сервитута
Министерством имущественных отношений Амурской области рассматривается ходатайство об установлении публичного сервитута в целях эксплуатации объекта электросетевого хозяйства регионального значения «ВЛ-35 кВ «Игнатьево-Водозабор» в отношении земельных участков (земель) с кадастровыми номерами:
|
|
Земельные участки: |
|
|
28:01:110246:15 |
|
|
28:01:000000:2221 |
|
|
28:01:110246:636 |
|
|
28:01:000000:12747 |
|
|
28:01:110241:12 |
|
|
28:01:110239:4 |
|
|
28:01:110241:2 |
|
|
28:01:110243:34 |
|
|
28:01:110243:5 |
|
|
28:01:110243:24 |
|
|
28:01:110243:20 |
|
Земли населенных пунктов |
28:01:110242:15 |
|
Местоположение: |
28:01:110242:40 |
|
Амурская область, г. Благовещенск |
28:01:110242:42 |
|
|
28:01:110245:133 |
|
|
28:01:110245:135 |
|
|
28:01:110245:52 |
|
|
28:00:000000:37 |
|
|
28:01:110219:54 |
|
|
28:01:110246:635 |
|
|
Кадастровые кварталы: |
|
28:01:110218, 28:01:110219, 28:01:110220, 28:01:110246, 28:01:110241,
28:01:110242, 28:01:110243, 28:01:110245, 28:01:110225, 28:01:110268,
28:01:110226, 28:01:110272, 28:01:110239 |

Заинтересованные лица в течение пятнадцати дней со дня опубликования настоящего сообщения могут ознакомиться с поступившим ходатайством об установлении публичного сервитута и прилагаемым к нему описанием местоположения границ публичного сервитута на сайте министерства имущественных отношений Амурской области - https://mail@mio.amurobl.ru в разделе «Земельные отношения».
Правообладатели земельных участков, если их права не зарегистрированы в Едином государственном реестре недвижимости, в течение пятнадцати дней со дня опубликования настоящего сообщения могут подать заявление об учете их прав (обременений прав) на земельный участок с приложением копий документов, подтверждающих эти права (обременения прав), с указанием почтового адреса и (или) адреса электронной почты.
Адрес, по которому заинтересованные лица могут подать заявления об учете прав на земельные участки: 675000, Амурская область, г. Благовещенск, ул. Ленина, 135, адрес электронной почты: mail@mio.amurobl.ru
Сообщение о возможном установлении публичного сервитута
В соответствии с п. 3 ст. 39.42 Земельного кодекса Российской Федерации администрация города Благовещенска информирует о рассмотрении ходатайства АО «ДРСК» об установлении публичного сервитута для размещения ЛЭП-10/0,4 кВ в отношении земельного участка с кадастровым номером 28:01:030006:16, расположенного в ЗПУ-4.
Графическое описание местоположения границ публичного сервитута

Заинтересованные лица в течение пятнадцати дней со дня опубликования настоящего сообщения могут ознакомиться с поступившим ходатайством об установлении публичного сервитута и прилагаемым к нему описанием местоположения границ публичного сервитута по адресу: г. Благовещенск, ул. Ленина, 133, в рабочие дни с 09-00 до 18-00, по телефону: 7(4162)233-874 (обеденный перерыв с 13-00 до 14-00) (официальный сайт администрации города Благовещенска – www.admblag.ru).
Сообщение о возможном установлении публичного сервитута
В соответствии с п. 3 ст. 39.42 Земельного кодекса Российской Федерации администрация города Благовещенска информирует о рассмотрении ходатайства ООО «АКС» об установлении публичного сервитута для размещения сетей холодного водоснабжения в отношении:
1) частей земельных участков с кадастровыми номерами:
- 28:01:03004:3630, расположенного в ЗПУ-5;
- 28:01:000000:10461, расположенного в ЗПУ-5;
2) земель, расположенных в кадастровом квартале 28:01:030004.
Графическое описание местоположения границ публичного сервитута:

Заинтересованные лица в течение пятнадцати дней со дня опубликования настоящего сообщения могут ознакомиться с поступившим ходатайством об установлении публичного сервитута и прилагаемым к нему описанием местоположения границ публичного сервитута по адресу: г. Благовещенск, ул. Ленина, 133, в рабочие дни с 09-00 до 18-00, по телефону: 7(4162) 233-872 (обеденный перерыв с 13-00 до 14-00) (официальный сайт администрации города Благовещенска – www.admblag.ru).
Правообладатели земельных участков, если их права не зарегистрированы в Едином государственном реестре недвижимости, в течение пятнадцати дней со дня опубликования настоящего сообщения могут подать заявление об учете их прав (обременений прав) на земельный участок с приложением копий документов, подтверждающих эти права (обременения прав), с указанием почтового адреса и (или) адреса электронной почты.
Сообщение о возможном установлении публичного сервитута
В соответствии с п. 3 ст. 39.42 Земельного кодекса Российской Федерации администрация города Благовещенска информирует о рассмотрении ходатайства ООО «АКС» об установлении публичного сервитута для размещения сетей холодного водоснабжения в отношении:
1. земельных участков с кадастровыми номерами:
- 28:01:010122:109, расположенного по ул. Октябрьская, 261, в квартале 122;
- 28:01:000000:10478, расположенного в г. Благовещенске;
- 28:01:000000:445, расположенного в г. Благовещенске.
2. Земель, расположенных в кадастровом квартале 28:01:010122. Графическое описание местоположения границ публичного сервитута:
Графическое описание местоположения границ публичного сервитута:

Заинтересованные лица в течение пятнадцати дней со дня опубликования настоящего сообщения могут ознакомиться с поступившим ходатайством об установлении публичного сервитута и прилагаемым к нему описанием местоположения границ публичного сервитута по адресу: г. Благовещенск, ул. Ленина, 133, в рабочие дни с 09-00 до 18-00, по телефону: 7(4162) 233-872 (обеденный перерыв с 13-00 до 14-00) (официальный сайт администрации города Благовещенска – www.admblag.ru).
Правообладатели земельных участков, если их права не зарегистрированы в Едином государственном реестре недвижимости, в течение пятнадцати дней со дня опубликования настоящего сообщения могут подать заявление об учете их прав (обременений прав) на земельный участок с приложением копий документов, подтверждающих эти права (обременения прав), с указанием почтового адреса и (или) адреса электронной почты.
Сообщение о возможном установлении публичного сервитута
В соответствии с п. 3 ст. 39.42 Земельного кодекса Российской Федерации администрация города Благовещенска информирует о рассмотрении ходатайства ООО «АКС» об установлении публичного сервитута для размещения сетей холодного водоснабжения в отношении:
1. земельных участков с кадастровыми номерами:
- 28:01:010122:109, расположенного по ул. Октябрьская, 261, в квартале 122;
- 28:01:000000:10478, расположенного в г. Благовещенске;
- 28:01:000000:445, расположенного в г. Благовещенске.
2. Земель, расположенных в кадастровом квартале 28:01:010122. Графическое описание местоположения границ публичного сервитута:
Графическое описание местоположения границ публичного сервитута:

Заинтересованные лица в течение пятнадцати дней со дня опубликования настоящего сообщения могут ознакомиться с поступившим ходатайством об установлении публичного сервитута и прилагаемым к нему описанием местоположения границ публичного сервитута по адресу: г. Благовещенск, ул. Ленина, 133, в рабочие дни с 09-00 до 18-00, по телефону: 7(4162) 233-872 (обеденный перерыв с 13-00 до 14-00) (официальный сайт администрации города Благовещенска – www.admblag.ru).
Правообладатели земельных участков, если их права не зарегистрированы в Едином государственном реестре недвижимости, в течение пятнадцати дней со дня опубликования настоящего сообщения могут подать заявление об учете их прав (обременений прав) на земельный участок с приложением копий документов, подтверждающих эти права (обременения прав), с указанием почтового адреса и (или) адреса электронной почты.
Сообщение о возможном установлении публичного сервитута
Министерством имущественных отношений Амурской области рассматривается ходатайство об установлении публичного сервитута в целях реконструкции объекта электросетевого хозяйства регионального значения «ВЛ 110 кВ БТЭЦ – Центральная – 1,2» в отношении земельных участков (земель) с кадастровыми номерами:
Земельные участки: 28:01:000000:10108 28:01:000000:10276 28:01:000000:10460 28:01:000000:434 28:01:030006:70 28:01:000000:10123 Кадастровые кварталы: 28:01:030443 Категория земель: Земли населенных пунктов Местоположение: Амурская область, г. Благовещенск 28:01:030006
Графическое описание местоположения границ публичного сервитута:

Заинтересованные лица в течение пятнадцати дней со дня опубликования настоящего сообщения могут ознакомиться с поступившим ходатайством об установлении публичного сервитута и прилагаемым к нему описанием местоположения границ публичного сервитута на сайте министерства имущественных отношений Амурской области - https://mail@mio.amurobl.ru в разделе «Земельные отношения»
Правообладатели земельных участков, если их права не зарегистрированы в Едином государственном реестре недвижимости, в течение пятнадцати дней со дня опубликования настоящего сообщения могут подать заявление об учете их прав (обременений прав) на земельный участок с приложением копий документов, подтверждающих эти права (обременения прав), с указанием почтового адреса и (или) адреса электронной почты. Адрес, по которому заинтересованные лица могут подать заявления об учете прав на земельные участки: 675000, Амурская область, г. Благовещенск, ул. Ленина, 135, адрес электронной почты: https://mail@mio.amurobl.ru
Сообщение о возможном установлении публичного сервитута
В соответствии с п. 3 ст. 39.42 Земельного кодекса Российской Федерации администрация города Благовещенска информирует о рассмотрении ходатайства АО «ДРСК» об установлении публичного сервитута для размещения ЛЭП – 10/0,4 кВ в отношении части земельного участка с кадастровым номером 28:01:030007:786, расположенного в ЗПУ-6.
Графическое описание местоположения границ публичного сервитута:

Заинтересованные лица в течение пятнадцати дней со дня опубликования настоящего сообщения могут ознакомиться с поступившим ходатайством об установлении публичного сервитута и прилагаемым к нему описанием местоположения границ публичного сервитута по адресу: г. Благовещенск, ул. Ленина, 133, в рабочие дни с 09-00 до 18-00, по телефону: 7(4162)233-876 (обеденный перерыв с 13-00 до 14-00) (официальный сайт администрации города Благовещенска – www.admblag.ru). .
Сообщение о возможном установлении публичного сервитута
Министерством имущественных отношений Амурской области рассматривается ходатайство об установлении публичного сервитута в целях реконструкции объекта электросетевого хозяйства регионального значения «ВЛ 110 кВ БТЭЦ – Центральная – 1,2» в отношении земельных участков (земель) с кадастровыми номерами:
|
Категория земель: Земли населенных пунктов Местоположение: Амурская область, г. Благовещенск |
Земельные
участки: |
|
28:01:000000:10276 | |
|
28:01:000000:10460 | |
|
28:01:000000:434 | |
|
28:01:030443:235 | |
|
28:01:030006:70 | |
|
28:01:000000:10123 | |
|
28:01:030006:111 | |
|
28:01:030006:108 | |
|
28:01:030006:109 | |
|
Кадастровые
кварталы: | |
|
28:01:030443 | |
|
28:01:030004 | |
|
28:01:030006 |
Заинтересованные лица в течение пятнадцати дней со дня опубликования настоящего сообщения могут ознакомиться с поступившим ходатайством об установлении публичного сервитута и прилагаемым к нему описанием местоположения границ публичного сервитута на сайте министерства имущественных отношений Амурской области - https://mail@mio.amurobl.ru в разделе «Земельные отношения».
Правообладатели земельных участков, если их права не зарегистрированы в Едином государственном реестре недвижимости, в течение пятнадцати дней со дня опубликования настоящего сообщения могут подать заявление об учете их прав (обременений прав) на земельный участок с приложением копий документов, подтверждающих эти права (обременения прав), с указанием почтового адреса и (или) адреса электронной почты.
Адрес, по которому заинтересованные лица могут подать заявления об учете прав на земельные участки: 675000, Амурская область, г. Благовещенск, ул. Ленина, 135, адрес электронной почты: https://mail@mio.amurobl.ru.
Графическое описание местоположения границ публичного сервитута

Сообщение о возможном установлении публичного сервитута
Министерством имущественных отношений Амурской области рассматривается ходатайство об установлении публичного сервитута в целях размещения объекта электросетевого хозяйства регионального значения «Линия электропередач ВЛ-35 Благовещенск-Сергеевка (ВЛ-35 Благовещенская-Марково-Совхозная-Сергеевка)» в отношении земельных участков (земель) с кадастровыми номерами:
|
Категория земель: Земли населенных пунктов Местоположение: Амурская область, г. Благовещенск |
Земельный участок: |
|
28:01:000000:11554 | |
|
Кадастровые кварталы: | |
|
28:01:170160 | |
|
28:01:020004 |
Заинтересованные лица в течение пятнадцати дней со дня опубликования настоящего сообщения могут ознакомиться с поступившим ходатайством об установлении публичного сервитута и прилагаемым к нему описанием местоположения границ публичного сервитута на сайте министерства имущественных отношений Амурской области - https://mail@mio.amurobl.ru в разделе «Земельные отношения».
Правообладатели земельных участков, если их права не зарегистрированы в Едином государственном реестре недвижимости, в течение пятнадцати дней со дня опубликования настоящего сообщения могут подать заявление об учете их прав (обременений прав) на земельный участок с приложением копий документов, подтверждающих эти права (обременения прав), с указанием почтового адреса и (или) адреса электронной почты.
Адрес, по которому заинтересованные лица могут подать заявления об учете прав на земельные участки: 675000, Амурская область, г. Благовещенск, ул. Ленина, 135, адрес электронной почты: https://mail@mio.amurobl.ru
Графическое описание местоположения границ публичного сервитута

Сообщение о возможном установлении публичного сервитута
Министерством имущественных отношений Амурской области рассматривается ходатайство об установлении публичного сервитута в целях строительства и эксплуатации линейного объекта системы газоснабжения и его неотъемлемых технологических частей «Газопровод межпоселковый от ГРС Благовещенск к п. Аэропорт г. Благовещенска Амурской области» в отношении земельных участков с кадастровыми номерами:
|
Кадастровый номер |
Адрес или иное описание местоположения земельного участка (участков), в отношении которого испрашивается публичный сервитут |
|
28:01:000000:2903 |
Амурская область, г. Благовещенск, планировочный район «Аэропорт», совхоз «Благовещенский» и «Тепличный» |
|
28:01:000000:3698 |
Амурская область, г. Благовещенск |
|
28:01:060010:1408 |
Амурская область, г. Благовещенск, п. Аэропорт, кв-л А-1 |
|
в границах кадастровых кварталов: | |
|
28:01:060010 |
Амурская область, г. Благовещенск |
|
28:01:060008 |
Амурская область, г. Благовещенск |
|
28:01:110001 |
Амурская область, г. Благовещенск |
|
28:01:060006 |
Амурская область, г. Благовещенск |
|
28:01:110002 |
Амурская область, г. Благовещенск |
Строительство и эксплуатация линейного объекта системы газоснабжения и его неотъемлемых технологических частей «Газопровод межпоселковый от ГРС Благовещенск к п. Аэропорт г. Благовещенска Амурской области» предусмотрено Схемой территориального планирования Амурской области, утвержденной постановлением Правительства Амурской области от 30.12.2011 № 985, проектом планировки и проектом межевания территории, утвержденным приказом министерства жилищно - коммунального хозяйства Амурской области от 13.10.2023 № 532-од «Об утверждении документации по планировке территории, предусматривающей размещение объекта «Газопровод межпоселковый от ГРС Благовещенск к п. Аэропорт г. Благовещенска Амурской области» (размещенной на сайте https://fgistp.economy.gov.ru).
Заинтересованные лица в течение пятнадцати дней со дня опубликования настоящего сообщения могут ознакомиться с поступившим ходатайством об установлении публичного сервитута и прилагаемым к нему описанием местоположения границ публичного сервитута на сайте министерства имущественных отношений Амурской области - https://mail@mio.amurobl.ru в разделе «Земельные отношения».
Правообладатели земельных участков, если их права не зарегистрированы в Едином государственном реестре недвижимости, в течение пятнадцати дней со дня опубликования настоящего сообщения могут подать заявление об учете их прав (обременений прав) на земельный участок с приложением копий документов, подтверждающих эти права (обременения прав), с указанием почтового адреса и (или) адреса электронной почты.
Адрес, по которому заинтересованные лица могут подать заявления об учете прав на земельные участки: 675000, Амурская область, г. Благовещенск, ул. Ленина, 135, адрес электронной почты: https://mail@mio.amurobl.ru.
Официальные сайты в информационно-телекоммуникационной сети «Интернет», на которых размещается сообщение о поступившем ходатайстве об установлении публичного сервитута:
- официальный сайт министерства имущественных отношений Амурской области - https://mail@mio.amurobl.ru;
- официальный сайт г. Благовещенск http://www.admblag.ru.
Графическое описание местоположения границ публичного сервитута:

Сообщение о возможном установлении публичного сервитута
В соответствии с п. 3 ст. 39.42 Земельного кодекса Российской Федерации администрация города Благовещенска информирует о рассмотрении ходатайства ООО «АКС» об установлении публичного сервитута для размещения сетей водоотведения в отношении: - земельного участка с кадастровым номером 28:01:020404:1322, расположенного по ш. Игнатьевское, 25/3, в квартале 404; - земельного участка с кадастровым номером 28:01:000000:3469, расположенного в г. Благовещенске; - земель, расположенных в кадастровом квартале 28:01:020404..
Графическое описание местоположения границ публичного сервитута:

Заинтересованные лица в течение пятнадцати дней со дня опубликования настоящего сообщения могут ознакомиться с поступившим ходатайством об установлении публичного сервитута и прилагаемым к нему описанием местоположения границ публичного сервитута по адресу: г. Благовещенск, ул. Ленина, 133, в рабочие дни с 09-00 до 18-00 (обеденный перерыв с 13-00 до 14-00), тел. 7(4162) 233-873 (официальный сайт администрации города Благовещенска – www.admblag.ru).
Сообщение о возможном установлении публичного сервитута
В соответствии с п. 3 ст. 39.42 Земельного кодекса Российской Федерации администрация города Благовещенска информирует о рассмотрении ходатайства ООО «АКС» об установлении публичного сервитута для размещения сетей холодного водоснабжения в отношении части земельного участка с кадастровым номером 28:01:130034:879, расположенного по ул. Б.Хмельницкого, д. 13, в квартале 34.
Графическое описание местоположения границ публичного сервитута:

Заинтересованные лица в течение пятнадцати дней со дня опубликования настоящего сообщения могут ознакомиться с поступившим ходатайством об установлении публичного сервитута и прилагаемым к нему описанием местоположения границ публичного сервитута по адресу: г. Благовещенск, ул. Ленина, 133, в рабочие дни с 09-00 до 18-00 (обеденный перерыв с 13-00 до 14-00), тел. 7(4162) 233-873 (официальный сайт администрации города Благовещенска – www.admblag.ru).
Сообщение о возможном установлении публичного сервитута
В соответствии с п. 3 ст. 39.42 Земельного кодекса Российской Федерации администрация города Благовещенска информирует о рассмотрении ходатайства ООО «АКС» об установлении публичного сервитута для размещения сетей водоотведения в отношении:
- земельного участка с кадастровым номером 28:01:020404:1320, расположенного в квартале 404;
- земельного участка с кадастровым номером 28:01:000000:3469, расположенного в г. Благовещенске;
- земель, расположенных в кадастровом квартале 28:01:020404.
Графическое описание местоположения границ публичного сервитута:

Заинтересованные лица в течение пятнадцати дней со дня опубликования настоящего сообщения могут ознакомиться с поступившим ходатайством об установлении публичного сервитута и прилагаемым к нему описанием местоположения границ публичного сервитута по адресу: г. Благовещенск, ул. Ленина, 133, в рабочие дни с 09-00 до 18-00, по телефону: 7(4162)233-873 (обеденный перерыв с 13-00 до 14-00) (официальный сайт администрации города Благовещенска – www.admblag.ru).
Правообладатели земельных участков, если их права не зарегистрированы в Едином государственном реестре недвижимости, в течение пятнадцати дней со дня опубликования настоящего сообщения могут подать заявление об учете их прав (обременений прав) на земельный участок с приложением копий документов, подтверждающих эти права (обременения прав), с указанием почтового адреса и (или) адреса электронной почты. .
Сообщение о возможном установлении публичного сервитута
В соответствии с п. 3 ст. 39.42 Земельного кодекса Российской Федерации администрация города Благовещенска информирует о рассмотрении ходатайства АО «ДГК» об установлении публичного сервитута для размещения тепловой сети «Строительство тепловой сети для подключения к системе теплоснабжения объекта «Два многоквартирных жилых дома в квартале 17 г. Благовещенска» в отношении: - земельного участка с кадастровым номером 28:01:010017:972, расположенного в квартале 17; - земельного участка с кадастровым номером 28:01:010017:985, расположенного в квартале 17; - земельного участка с кадастровым номером 28:01:010017:51, расположенного по ул. Мухина, д. 51, в квартале 17; - земельного участка с кадастровым номером 28:01:010017:783, расположенного по ул. Мухина, д. 47, в квартале 17; - земельного участка с кадастровым номером 28:01:000000:10276, расположенного в г. Благовещенске; - земель, расположенных в кадастровом квартале 28:01:010017.
Графическое описание местоположения границ публичного сервитута:

Заинтересованные лица в течение пятнадцати дней со дня опубликования настоящего сообщения могут ознакомиться с поступившим ходатайством об установлении публичного сервитута и прилагаемым к нему описанием местоположения границ публичного сервитута по адресу: г. Благовещенск, ул. Ленина, 133, в рабочие дни с 09-00 до 18-00, по телефону: 7(4162)233-873 (обеденный перерыв с 13-00 до 14-00) (официальный сайт администрации города Благовещенска – www.admblag.ru).
Правообладатели земельных участков, если их права не зарегистрированы в Едином государственном реестре недвижимости, в течение пятнадцати дней со дня опубликования настоящего сообщения могут подать заявление об учете их прав (обременений прав) на земельный участок с приложением копий документов, подтверждающих эти права (обременения прав), с указанием почтового адреса и (или) адреса электронной почты. .
Сообщение о возможном установлении публичного сервитута
В соответствии с п. 3 ст. 39.42 Земельного кодекса Российской Федерации администрация города Благовещенска информирует о рассмотрении ходатайства ООО «АКС» об установлении публичного сервитута для размещения сетей холодного водоснабжения в отношении земельного участка с кадастровым номером 28:01:010306:76, расположенного в квартале 306 А.
Графическое описание местоположения границ публичного сервитута:

Заинтересованные лица в течение пятнадцати дней со дня опубликования настоящего сообщения могут ознакомиться с поступившим ходатайством об установлении публичного сервитута и прилагаемым к нему описанием местоположения границ публичного сервитута по адресу: г. Благовещенск, ул. Ленина, 133, в рабочие дни с 09-00 до 18-00, по телефону: 7(4162)233-870 (обеденный перерыв с 13-00 до 14-00) (официальный сайт администрации города Благовещенска – www.admblag.ru).
Сообщение о возможном установлении публичного сервитута
В соответствии с п. 3 ст. 39.42 Земельного кодекса Российской Федерации администрация города Благовещенска информирует о рассмотрении ходатайства ООО «АКС» об установлении публичного сервитута для размещения сетей водоотведения в отношении земельного участка с кадастровым номером 28:01:000000:442, расположенного в г. Благовещенске.
Графическое описание местоположения границ публичного сервитута:

Заинтересованные лица в течение пятнадцати дней со дня опубликования настоящего сообщения могут ознакомиться с поступившим ходатайством об установлении публичного сервитута и прилагаемым к нему описанием местоположения границ публичного сервитута по адресу: г. Благовещенск, ул. Ленина, 133, в рабочие дни с 09-00 до 18-00, по телефону: 7(4162) 233-872 (обеденный перерыв с 13-00 до 14-00) (официальный сайт администрации города Благовещенска – www.admblag.ru).
Графическое описание местоположения границ публичного сервитута:
Графическое описание местоположения границ публичного сервитута:

Заинтересованные лица в течение пятнадцати дней со дня опубликования настоящего сообщения могут ознакомиться с поступившим ходатайством об установлении публичного сервитута и прилагаемым к нему описанием местоположения границ публичного сервитута по адресу: г. Благовещенск, ул. Ленина, 133, в рабочие дни с 09-00 до 18-00, по телефону: 7(4162) 233-872 (обеденный перерыв с 13-00 до 14-00) (официальный сайт администрации города Благовещенска – www.admblag.ru).
Графическое описание местоположения границ публичного сервитута:
Сообщение о возможном установлении публичного сервитута
В соответствии с п. 3 ст. 39.42 Земельного кодекса Российской Федерации администрация города Благовещенска информирует о рассмотрении ходатайства ООО «АКС» об установлении публичного сервитута для размещения сетей водоотведения в отношении земельного участка с кадастровым номером 28:01:000000:442, расположенного в г. Благовещенске.
Графическое описание местоположения границ публичного сервитута:

Заинтересованные лица в течение пятнадцати дней со дня опубликования настоящего сообщения могут ознакомиться с поступившим ходатайством об установлении публичного сервитута и прилагаемым к нему описанием местоположения границ публичного сервитута по адресу: г. Благовещенск, ул. Ленина, 133, в рабочие дни с 09-00 до 18-00, по телефону: 7(4162) 233-872 (обеденный перерыв с 13-00 до 14-00) (официальный сайт администрации города Благовещенска – www.admblag.ru).
Графическое описание местоположения границ публичного сервитута:

Заинтересованные лица в течение пятнадцати дней со дня опубликования настоящего сообщения могут ознакомиться с поступившим ходатайством об установлении публичного сервитута и прилагаемым к нему описанием местоположения границ публичного сервитута по адресу: г. Благовещенск, ул. Ленина, 133, в рабочие дни с 09-00 до 18-00, по телефону: 7(4162) 233-872 (обеденный перерыв с 13-00 до 14-00) (официальный сайт администрации города Благовещенска – www.admblag.ru).
Сообщение о возможном установлении публичного сервитута
В соответствии с п. 3 ст. 39.42 Земельного кодекса Российской Федерации администрация города Благовещенска информирует о рассмотрении ходатайства ООО «АКС» об установлении публичного сервитута для размещения сетей водоотведения в отношении земельного участка с кадастровым номером 28:01:000000:442, расположенного в г. Благовещенске.
Графическое описание местоположения границ публичного сервитута:

Заинтересованные лица в течение пятнадцати дней со дня опубликования настоящего сообщения могут ознакомиться с поступившим ходатайством об установлении публичного сервитута и прилагаемым к нему описанием местоположения границ публичного сервитута по адресу: г. Благовещенск, ул. Ленина, 133, в рабочие дни с 09-00 до 18-00, по телефону: 7(4162) 233-872 (обеденный перерыв с 13-00 до 14-00) (официальный сайт администрации города Благовещенска – www.admblag.ru).
Сообщение о возможном установлении публичного сервитута
В соответствии с п. 3 ст. 39.42 Земельного кодекса Российской Федерации администрация города Благовещенска информирует о рассмотрении ходатайства ООО «АКС» об установлении публичного сервитута для размещения сетей водоотведения в отношении: - земельного участка с кадастровым номером 28:01:130418:23, расположенного по ул. Краснофлотская, д. 152, в квартале 418; - земель, расположенных в кадастровом квартале 28:01:130418.
Графическое описание местоположения границ публичного сервитута:

Заинтересованные лица в течение пятнадцати дней со дня опубликования настоящего сообщения могут ознакомиться с поступившим ходатайством об установлении публичного сервитута и прилагаемым к нему описанием местоположения границ публичного сервитута по адресу: г. Благовещенск, ул. Ленина, 133, в рабочие дни с 09-00 до 18-00, по телефону: 7(4162) 233-872 (обеденный перерыв с 13-00 до 14-00) (официальный сайт администрации города Благовещенска – www.admblag.ru).
Сообщение о возможном установлении публичного сервитута
В соответствии с п. 3 ст. 39.42 Земельного кодекса Российской Федерации администрация города Благовещенска информирует о рассмотрении ходатайства ООО «АКС» об установлении публичного сервитута для размещения сетей водоотведения в отношении земельных участков с кадастровыми номерами: - 28:01:130033:7, расположенного по ул. Зейская, д. 206, в квартале 33; - 28:01:130033:34, расположенного по пер. Св. Иннокентия, д. 19, в квартале 33.
Графическое описание местоположения границ публичного сервитута:

Заинтересованные лица в течение пятнадцати дней со дня опубликования настоящего сообщения могут ознакомиться с поступившим ходатайством об установлении публичного сервитута и прилагаемым к нему описанием местоположения границ публичного сервитута по адресу: г. Благовещенск, ул. Ленина, 133, в рабочие дни с 09-00 до 18-00, по телефону: 7(4162) 233-872 (обеденный перерыв с 13-00 до 14-00) (официальный сайт администрации города Благовещенска – www.admblag.ru).
Сообщение о возможном установлении публичного сервитута
В соответствии с п. 3 ст. 39.42 Земельного кодекса Российской Федерации администрация города Благовещенска информирует о рассмотрении ходатайства ООО «АКС» об установлении публичного сервитута для размещения сетей водоотведения в отношении земельных участков с кадастровыми номерами:
- 28:01:010190:61, расположенного по ул. Свободная, 135, в квартале 190;
- 28:01:010190:5, расположенного по ул. Высокая, 134, в квартале 190;
- 28:01:010190:359, расположенного в квартале 190.
Графическое описание местоположения границ публичного сервитута:

Заинтересованные лица в течение пятнадцати дней со дня опубликования настоящего сообщения могут ознакомиться с поступившим ходатайством об установлении публичного сервитута и прилагаемым к нему описанием местоположения границ публичного сервитута по адресу: г. Благовещенск, ул. Ленина, 133, в рабочие дни с 09-00 до 18-00, по телефону: 7(4162) 233-872 (обеденный перерыв с 13-00 до 14-00) (официальный сайт администрации города Благовещенска – www.admblag.ru).
Сообщение о возможном установлении публичного сервитута
В соответствии с п. 3 ст. 39.42 Земельного кодекса Российской Федерации администрация города Благовещенска информирует о рассмотрении ходатайства ООО «АКС» об установлении публичного сервитута для размещения сетей водоотведения в отношении земельного участка с кадастровым номером 28:01:000000:10462, расположенного в г. Благовещенске.
Графическое описание местоположения границ публичного сервитута:

Заинтересованные лица в течение пятнадцати дней со дня опубликования настоящего сообщения могут ознакомиться с поступившим ходатайством об установлении публичного сервитута и прилагаемым к нему описанием местоположения границ публичного сервитута по адресу: г. Благовещенск, ул. Ленина, 133, в рабочие дни с 09-00 до 18-00, по телефону: 7(4162)233-872 (обеденный перерыв с 13-00 до 14-00) (официальный сайт администрации города Благовещенска – www.admblag.ru).
Сообщение о возможном установлении публичного сервитута
Правообладатели земельных участков, если их права не зарегистрированы в Едином государственном реестре недвижимости, в течение пятнадцати дней со дня опубликования настоящего сообщения могут подать заявление об учете их прав (обременений прав) на земельный участок с приложением копий документов, подтверждающих эти права (обременения прав), с указанием почтового адреса и (или) адреса электронной почты..
Графическое описание местоположения границ публичного сервитута:

Заинтересованные лица в течение пятнадцати дней со дня опубликования настоящего сообщения могут ознакомиться с поступившим ходатайством об установлении публичного сервитута и прилагаемым к нему описанием местоположения границ публичного сервитута по адресу: г. Благовещенск, ул. Ленина, 133, в рабочие дни с 09-00 до 18-00, по телефону: 7(4162)233-872 (обеденный перерыв с 13-00 до 14-00) (официальный сайт администрации города Благовещенска – www.admblag.ru).
Сообщение о возможном установлении публичного сервитута
В соответствии с п. 3 ст. 39.42 Земельного кодекса Российской Федерации администрация города Благовещенска информирует о рассмотрении ходатайства АО «ДРСК» об установлении публичного сервитута для размещения ВЛ-10 кВ Ф-8 Кооперативная в отношении:
- земельного участка с кадастровым номером 28:01:110073:98, расположенного в районе коллективных садов;
- земельного участка с кадастровым номером 28:01:110029:22, расположенного в районе коллективных садов;
- земельного участка с кадастровым номером 28:01:110029:35, расположенного в районе коллективных садов;
- земельного участка с кадастровым номером 28:01:110030:4, расположенного в районе коллективных садов;
- земельного участка с кадастровым номером 28:01:000000:2908, расположенного в г. Благовещенске;
- земельного участка с кадастровым номером 28:01:110253:191, расположенного в районе коллективных садов;
- земельного участка с кадастровым номером 28:01:000000:11905, расположенного в г. Благовещенске;
- земельного участка с кадастровым номером 28:01:110075:48, расположенного в районе коллективных садов;
- земельного участка с кадастровым номером 28:01:000000:10613, расположенного в г. Благовещенске;
- земельного участка с кадастровым номером 28:01:000000:9497, расположенного в г. Благовещенске;
- земельного участка с кадастровым номером 28:01:110079:20, расположенного в районе коллективных садов;
- земельного участка с кадастровым номером 28:01:000000:13171, расположенного в с. Плодопитомнике, в квартале П-3;
- земельного участка с кадастровым номером 28:01:000000:391, расположенного в г. Благовещенске;
- земельного участка с кадастровым номером 28:01:000000:11878, расположенного в г. Благовещенске;
- земельного участка с кадастровым номером 28:01:000000:10601, расположенного в г. Благовещенске;
- земельного участка с кадастровым номером 28:01:110130:219, расположенного в районе коллективных садов, в с/т Восток;
- земельного участка с кадастровым номером 28:01:000000:10419, расположенного в г. Благовещенске;
- земельного участка с кадастровым номером 28:01:110130:203, расположенного в районе коллективных садов, в с/т Восток;
- земельного участка с кадастровым номером 28:01:110130:19, расположенного в районе коллективных садов, в с/т Восток;
- земельного участка с кадастровым номером 28:01:110136:1, расположенного в районе коллективных садов;
- земельного участка с кадастровым номером 28:01:000000:2192, расположенного в г. Благовещенске;
- земельного участка с кадастровым номером 28:01:000000:11182, расположенного в г. Благовещенске;
- земельного участка с кадастровым номером 28:01:110136:29, расположенного в ЗПУ-7;
- земельного участка с кадастровым номером 28:01:110136:272, расположенного в ЗПУ-7;
- земельного участка с кадастровым номером 28:01:000000:10437, расположенного в г. Благовещенске;
- земельного участка с кадастровым номером 28:01:110129:280, расположенного в районе коллективных садов;
- земельного участка с кадастровым номером 28:01:110025:4, расположенного в районе коллективных садов;
- земельного участка с кадастровым номером 28:01:110253:29, расположенного в районе коллективных садов;
01:110277, 28:01:110270, 28:01:110265, 28:01:110029, 28:01:110030, 28:01:110031, 28:01:110253, 28:01:110282, 28:01:110259, 28:01:110075, 28:01:110076, 28:01:110262, 28:01:110077, 28:01:110088, 28:01:110130, 28:01:110129, 28:01:110136, 28:01:110028.
Графическое описание местоположения границ публичного сервитута:

Заинтересованные лица в течение пятнадцати дней со дня опубликования настоящего сообщения могут ознакомиться с поступившим ходатайством об установлении публичного сервитута и прилагаемым к нему описанием местоположения границ публичного сервитута по адресу: г. Благовещенск, ул. Ленина, 133, в рабочие дни с 09-00 до 18-00, по телефону: 7(4162)233-873 (обеденный перерыв с 13-00 до 14-00) (официальный сайт администрации города Благовещенска – www.admblag.ru).
Правообладатели земельных участков, если их права не зарегистрированы в Едином государственном реестре недвижимости, в течение тридцати дней со дня опубликования настоящего сообщения могут подать заявление об учете их прав (обременений прав) на земельный участок с приложением копий документов, подтверждающих эти права (обременения прав), с указанием почтового адреса и (или) адреса электронной почты.
Сообщение о возможном установлении публичного сервитута
В соответствии с п. 3 ст. 39.42 Земельного кодекса Российской Федерации администрация города Благовещенска информирует о рассмотрении ходатайства АО «ДРСК» об установлении публичного сервитута для размещения ВЛ-10 ПС Астрахановская ф-3 в отношении:
1. Земель, расположенных в кадастровых кварталах:
- 28:01:170138;
- 28:01:020001;
- 28:01:090017..
Графическое описание местоположения границ публичного сервитута:

Заинтересованные лица в течение пятнадцати дней со дня опубликования настоящего сообщения могут ознакомиться с поступившим ходатайством об установлении публичного сервитута и прилагаемым к нему описанием местоположения границ публичного сервитута по адресу: г. Благовещенск, ул. Ленина, 133, в рабочие дни с 09-00 до 18-00, по телефону: 7(4162)233-872 (обеденный перерыв с 13-00 до 14-00) (официальный сайт администрации города Благовещенска – www.admblag.ru).
Правообладатели земельных участков, если их права не зарегистрированы в Едином государственном реестре недвижимости, в течение пятнадцати дней со дня опубликования настоящего сообщения могут подать заявление об учете их прав (обременений прав) на земельный участок с приложением копий документов, подтверждающих эти права (обременения прав), с указанием почтового адреса и (или) адреса электронной почты..
Сообщение о возможном установлении публичного сервитута
Министерством имущественных отношений Амурской области рассматривается ходатайство об установлении публичного сервитута в целях эксплуатации объекта электросетевого хозяйства регионального значения «Линия электропередач ВЛ-35 Благовещенск-Белогорье» в отношении земельных участков (земель) с кадастровыми номерами:

Заинтересованные лица в течение пятнадцати дней со дня опубликования настоящего сообщения могут ознакомиться с поступившим ходатайством об установлении публичного сервитута и прилагаемым к нему описанием местоположения границ публичного сервитута на сайте министерства имущественных отношений Амурской области - https://mail@mio.amurobl.ru в разделе «Земельные отношения».
Правообладатели земельных участков, если их права не зарегистрированы в Едином государственном реестре недвижимости, в течение пятнадцати дней со дня опубликования настоящего сообщения могут подать заявление об учете их прав (обременений прав) на земельный участок с приложением копий документов, подтверждающих эти права (обременения прав), с указанием почтового адреса и (или) адреса электронной почты.
Адрес, по которому заинтересованные лица могут подать заявления об учете прав на земельные участки: 675000, Амурская область, г. Благовещенск, ул. Ленина, 135, адрес электронной почты: https://mail@mio.amurobl.ru
Официальные сайты в информационно-телекоммуникационной сети «Интернет», на которых размещается сообщение о поступившем ходатайстве об установлении публичного сервитута: 3 - официальный сайт министерства имущественных отношений Амурской области https://mail@mio.amurobl.ru;
- официальный сайт Благовещенского муниципального округа http://blgraion.amurobl.ru;
- официальный сайт администрации города Благовещенска http://www.admblag.ru.
Графическое описание местоположения границ публичного сервитута:

Сообщение о возможном установлении публичного сервитута
В соответствии с п. 3 ст. 39.42 Земельного кодекса Российской Федерации администрация города Благовещенска информирует о рассмотрении ходатайства АО «ДРСК» об установлении публичного сервитута для размещения сетей водоснабжения в отношении: - земельного участка с кадастровым номером 28:01:130080:1309, расположенного по ул. Пушкина, 66/2, в квартале 80; - земельного участка с кадастровым номером 28:01:130080:112, расположенного в квартале 80; - земель, расположенных в кадастровом квартале 28:01:130080
Графическое описание местоположения границ публичного сервитута:

Заинтересованные лица в течение тридцати дней со дня опубликования настоящего сообщения могут ознакомиться с поступившим ходатайством об установлении публичного сервитута и прилагаемым к нему описанием местоположения границ публичного сервитута по адресу: г. Благовещенск, ул. Ленина, 133, в рабочие дни с 09-00 до 18-00 (обеденный перерыв с 13-00 до 14-00), телефон 8(4162)233-876 (официальный сайт администрации города Благовещенска – www.admblag.ru).
Сообщение о возможном установлении публичного сервитута
В соответствии с п. 3 ст. 39.42 Земельного кодекса Российской Федерации администрация города Благовещенска информирует о рассмотрении ходатайства ООО «АКС» об установлении публичного сервитута для размещения сетей водоснабжения в отношении: - земельного участка с кадастровым номером 28:01:000000:10462, расположенного в г. Благовещенске; - земель, расположенных в кадастровом квартале 28:01:130037.
Графическое описание местоположения границ публичного сервитута:

Заинтересованные лица в течение тридцати дней со дня опубликования настоящего сообщения могут ознакомиться с поступившим ходатайством об установлении публичного сервитута и прилагаемым к нему описанием местоположения границ публичного сервитута по адресу: г. Благовещенск, ул. Ленина, 133, в рабочие дни с 09-00 до 18-00 (обеденный перерыв с 13-00 до 14-00), телефон 8(4162)233-876 (официальный сайт администрации города Благовещенска – www.admblag.ru).
Сообщение о возможном установлении публичного сервитута
В соответствии с п. 3 ст. 39.42 Земельного кодекса Российской Федерации администрация города Благовещенска информирует о рассмотрении ходатайства ООО «АКС» об установлении публичного сервитута для размещения сетей водоснабжения в отношении:
- земельного участка с кадастровым номером 28:01:130080:1309, расположенного по ул. Пушкина, 66/2, в квартале 80;
- земельного участка с кадастровым номером 28:01:130080:112, расположенного в квартале 80;
- земель, расположенных в кадастровом квартале 28:01:130080.
Графическое описание местоположения границ публичного сервитута:

Заинтересованные лица в течение пятнадцати дней со дня опубликования настоящего сообщения могут ознакомиться с поступившим ходатайством об установлении публичного сервитута и прилагаемым к нему описанием местоположения границ публичного сервитута по адресу: г. Благовещенск, ул. Ленина, 133, в рабочие дни с 09-00 до 18-00, по телефону: 7(4162)233-893 (обеденный перерыв с 13-00 до 14-00) (официальный сайт администрации города Благовещенска – www.admblag.ru)..
Сообщение о возможном установлении публичного сервитута
В соответствии с п. 3 ст. 39.42 Земельного кодекса Российской Федерации администрация города Благовещенска информирует о рассмотрении ходатайства ООО «АКС» об установлении публичного сервитута для размещения сетей водоотведения в отношении:
- земельного участка с кадастровым номером 28:01:130080:1309, расположенного по ул. Пушкина 66/2, в квартале 80;
- земель, расположенных в кадастровом квартале 28:01:130080.
Сообщение о возможном установлении публичного сервитута
В соответствии с п. 3 ст. 39.42 Земельного кодекса Российской Федерации администрация города Благовещенска информирует о рассмотрении ходатайства ООО «АКС» об установлении публичного сервитута для размещения сетей водоотведения в отношении земельного участка с кадастровым номером 28:01:000000:2901, расположенного в г. Благовещенске.
Графическое описание местоположения границ публичного сервитута:

Заинтересованные лица в течение тридцати дней со дня опубликования настоящего сообщения могут ознакомиться с поступившим ходатайством об установлении публичного сервитута и прилагаемым к нему описанием местоположения границ публичного сервитута по адресу: г. Благовещенск, ул. Ленина, 133, в рабочие дни с 09-00 до 18-00 (обеденный перерыв с 13-00 до 14-00), телефон 8(4162)233-876 (официальный сайт администрации города Благовещенска – www.admblag.ru).
Сообщение о возможном установлении публичного сервитута
В соответствии с п. 3 ст. 39.42 Земельного кодекса Российской Федерации администрация города Благовещенска информирует о рассмотрении ходатайства ООО «АКС» об установлении публичного сервитута для размещения сетей водоотведения в отношении:
- земельного участка с кадастровым номером 28:01:130080:1309, расположенного по ул. Пушкина 66/2, в квартале 80;
- земель, расположенных в кадастровом квартале 28:01:130080.
Графическое описание местоположения границ публичного сервитута:

Заинтересованные лица в течение тридцати дней со дня опубликования настоящего сообщения могут ознакомиться с поступившим ходатайством об установлении публичного сервитута и прилагаемым к нему описанием местоположения границ публичного сервитута по адресу: г. Благовещенск, ул. Ленина, 133, в рабочие дни с 09-00 до 18-00 (обеденный перерыв с 13-00 до 14-00), телефон 8(4162)233-876 (официальный сайт администрации города Благовещенска – www.admblag.ru).
Сообщение о возможном установлении публичного сервитута
В соответствии с п. 3 ст. 39.42 Земельного кодекса Российской Федерации администрация города Благовещенска информирует о рассмотрении ходатайства ООО «АКС» об установлении публичного сервитута для размещения сетей водоотведения в отношении земельного участка с кадастровым номером 28:01:000000:154 (единое землепользование), расположенного в г. Благовещенск.
Графическое описание местоположения границ публичного сервитута:

Заинтересованные лица в течение тридцати дней со дня опубликования настоящего сообщения могут ознакомиться с поступившим ходатайством об установлении публичного сервитута и прилагаемым к нему описанием местоположения границ публичного сервитута по адресу: г. Благовещенск, ул. Ленина, 133, в рабочие дни с 09-00 до 18-00 (обеденный перерыв с 13-00 до 14-00), телефон 8(4162)233-876 (официальный сайт администрации города Благовещенска – www.admblag.ru).
Сообщение о возможном установлении публичного сервитута
В соответствии с п. 3 ст. 39.42 Земельного кодекса Российской Федерации администрация города Благовещенска информирует о рассмотрении ходатайства ООО «АКС» об установлении публичного сервитута для размещения сетей водоснабжения в отношении земельного участка с кадастровым номером 28:01:000000:154 (единое землепользование), расположенного в г. Благовещенск.
Графическое описание местоположения границ публичного сервитута:

Заинтересованные лица в течение тридцати дней со дня опубликования настоящего сообщения могут ознакомиться с поступившим ходатайством об установлении публичного сервитута и прилагаемым к нему описанием местоположения границ публичного сервитута по адресу: г. Благовещенск, ул. Ленина, 133, в рабочие дни с 09-00 до 18-00 (обеденный перерыв с 13-00 до 14-00), телефон 8(4162)233-876 (официальный сайт администрации города Благовещенска – www.admblag.ru).
Сообщение о возможном установлении публичного сервитута
В соответствии с п. 3 ст. 39.42 Земельного кодекса Российской Федерации администрация города Благовещенска информирует о рассмотрении ходатайства ООО «АКС» об установлении публичного сервитута для размещения сетей водоотведения в отношении земельного участка с кадастровым номером 28:01:130063:5, расположенного по ул. Амурская, д. 80, в квартале 63.
Графическое описание местоположения границ публичного сервитута:

Заинтересованные лица в течение пятнадцати дней со дня опубликования настоящего сообщения могут ознакомиться с поступившим ходатайством об установлении публичного сервитута и прилагаемым к нему описанием местоположения границ публичного сервитута по адресу: г. Благовещенск, ул. Ленина, 133, в рабочие дни с 09-00 до 18-00, по телефону: 7(4162)233-874 (обеденный перерыв с 13-00 до 14-00) (официальный сайт администрации города Благовещенска – www.admblag.ru).
Сообщение о возможном установлении публичного сервитута
В соответствии с п. 3 ст. 39.42 Земельного кодекса Российской Федерации администрация города Благовещенска информирует о рассмотрении ходатайства ООО «АКС» об установлении публичного сервитута для размещения сетей водоснабжения в отношении земельных участков с кадастровыми номерами:
- 28:01:130063:5, расположенного по ул. Амурская, д. 80, в квартале 63;
- 28:01:130063:17, расположенного по ул. Политехническая, д. 54, в квартале 63.
Графическое описание местоположения границ публичного сервитута:

Заинтересованные лица в течение пятнадцати дней со дня опубликования настоящего сообщения могут ознакомиться с поступившим ходатайством об установлении публичного сервитута и прилагаемым к нему описанием местоположения границ публичного сервитута по адресу: г. Благовещенск, ул. Ленина, 133, в рабочие дни с 09-00 до 18-00, по телефону: 7(4162)233-874 (обеденный перерыв с 13-00 до 14-00) (официальный сайт администрации города Благовещенска – www.admblag.ru).
Сообщение о возможном установлении публичного сервитута
В соответствии с п. 3 ст. 39.42 Земельного кодекса Российской Федерации администрация города Благовещенска информирует о рассмотрении ходатайства ООО «АКС» об установлении публичного сервитута для размещения сетей водоотведения в отношении земельного участка с кадастровым номером 28:01:010232:568, расположенного по ул. Чайковского, 100, в квартале 232.
Графическое описание местоположения границ публичного сервитута:

Заинтересованные лица в течение пятнадцати дней со дня опубликования настоящего сообщения могут ознакомиться с поступившим ходатайством об установлении публичного сервитута и прилагаемым к нему описанием местоположения границ публичного сервитута по адресу: г. Благовещенск, ул. Ленина, 133, в рабочие дни с 09-00 до 18-00, по телефону: 7(4162) 233-872 (обеденный перерыв с 13-00 до 14-00) (официальный сайт администрации города Благовещенска – www.admblag.ru).
Сообщение о возможном установлении публичного сервитута
В соответствии с п. 3 ст. 39.42 Земельного кодекса Российской Федерации администрация города Благовещенска информирует о рассмотрении ходатайства ООО «АКС» об установлении публичного сервитута для размещения сетей водоснабжения в отношении земельных участков с кадастровыми номерами: - 28:01:010004:120, расположенного в квартале 4; - 28:01:000000:2901, расположенного в г. Благовещенске.
Графическое описание местоположения границ публичного сервитута:

Заинтересованные лица в течение пятнадцати дней со дня опубликования настоящего сообщения могут ознакомиться с поступившим ходатайством об установлении публичного сервитута и прилагаемым к нему описанием местоположения границ публичного сервитута по адресу: г. Благовещенск, ул. Ленина, 133, в рабочие дни с 09-00 до 18-00, по телефону: 7(4162)233-874 (обеденный перерыв с 13-00 до 14-00) (официальный сайт администрации города Благовещенска – www.admblag.ru).
Правообладатели земельных участков, если их права не зарегистрированы в Едином государственном реестре недвижимости, в течение тридцати дней со дня опубликования настоящего сообщения могут подать заявление об учете их прав (обременений прав) на земельный участок с приложением копий документов, подтверждающих эти права (обременения прав), с указанием почтового адреса и (или) адреса электронной почты.
Сообщение о возможном установлении публичного сервитута
В соответствии с п. 3 ст. 39.42 Земельного кодекса Российской Федерации администрация города Благовещенска информирует о рассмотрении ходатайства АО «ДРСК» об установлении публичного сервитута для размещения ВЛ-10 ПС Чигири ф-12 в отношении земельного участка с кадастровым номером 28:01:000000:13173, расположенного в с. Плодопитомник, в квартале П-2.
Графическое описание местоположения границ публичного сервитута:

Заинтересованные лица в течение пятнадцати дней со дня опубликования настоящего сообщения могут ознакомиться с поступившим ходатайством об установлении публичного сервитута и прилагаемым к нему описанием местоположения границ публичного сервитута по адресу: г. Благовещенск, ул. Ленина, 133, в рабочие дни с 09-00 до 18-00, по телефону: 7(4162)233-876 (обеденный перерыв с 13-00 до 14-00) (официальный сайт администрации города Благовещенска – www.admblag.ru).
Сообщение о возможном установлении публичного сервитута
В соответствии с п. 3 ст. 39.42 Земельного кодекса Российской Федерации администрация города Благовещенска информирует о рассмотрении ходатайства МУ «ГУКС» об установлении публичного сервитута для размещения объектов теплоснабжения жилых домов в 718 квартале в отношении:
1. Земельных участков с кадастровыми номерами:
- 28:01:040718:13, расположенного по ул. Набережная, 66, в квартале 718;
- 28:01:040718:1, расположенного в квартале 718;
- 28:01:040718:32, расположенного по пер. Южный, 8, в квартале 718
Графическое описание местоположения границ публичного сервитута:

Заинтересованные лица в течение пятнадцати дней со дня опубликования настоящего сообщения могут ознакомиться с поступившим ходатайством об установлении публичного сервитута и прилагаемым к нему описанием местоположения границ публичного сервитута по адресу: г. Благовещенск, ул. Ленина, 133, в рабочие дни с 09-00 до 18-00, по3 телефону: 7(4162)233-872 (обеденный перерыв с 13-00 до 14-00) (официальный сайт администрации города Благовещенска – www.admblag.ru)
Сообщение о возможном установлении публичного сервитута
В соответствии с п. 3 ст. 39.42 Земельного кодекса Российской Федерации администрация города Благовещенска информирует о рассмотрении ходатайства АО «ДРСК» об установлении публичного сервитута для размещения ВЛ-10 ПС Чигири ф-32 в отношении земельного участка с кадастровым номером 28:01:000000:13173, расположенного в с. Плодопитомник, в квартале П-2.
Графическое описание местоположения границ публичного сервитута:

Заинтересованные лица в течение пятнадцати дней со дня опубликования настоящего сообщения могут ознакомиться с поступившим ходатайством об установлении публичного сервитута и прилагаемым к нему описанием местоположения границ публичного сервитута по адресу: г. Благовещенск, ул. Ленина, 133, в рабочие дни с 09-00 до 18-00, по телефону: 7(4162)233-893 (обеденный перерыв с 13-00 до 14-00) (официальный сайт администрации города Благовещенска – www.admblag.ru).
Сообщение о возможном установлении публичного сервитута
В соответствии с п. 3 ст. 39.42 Земельного кодекса Российской Федерации администрация города Благовещенска информирует о рассмотрении ходатайства АО «ДРСК» об установлении публичного сервитута для размещения ВЛ-10 ПС Чигири ф-12 в отношении земельного участка с кадастровым номером 28:01:000000:13173, расположенного в с. Плодопитомник, в квартале П-2.
Графическое описание местоположения границ публичного сервитута:

Заинтересованные лица в течение тридцати дней со дня опубликования настоящего сообщения могут ознакомиться с поступившим ходатайством об установлении публичного сервитута и прилагаемым к нему описанием местоположения границ публичного сервитута по адресу: г. Благовещенск, ул. Ленина, 133, в рабочие дни с 09-00 до 18-00 (обеденный перерыв с 13-00 до 14-00), тел. 7(4162) 233-876 (официальный сайт администрации города Благовещенска – www.admblag.ru).
Сообщение о возможном установлении публичного сервитута
Министерством имущественных отношений Амурской области рассматривается ходатайство об установлении публичного сервитута для размещения «ВЛ-35 кВ «Игнатьево-Водозабор» в отношении земельных участков (земель) с кадастровыми номерами:
|
Земли населенных пунктов Местоположение: Амурская область, Благовещенский муниципальный округ |
Земельные участки: |
|
28:01:110246:15 | |
|
28:01:000000:2221 | |
|
28:01:110246:636 | |
|
28:01:000000:12747 | |
|
28:01:110241:12 | |
|
28:01:110239:4 | |
|
28:01:110241:2 | |
|
28:01:110243:34 | |
|
28:01:110243:5 | |
|
28:01:110243:24 | |
|
28:01:110243:20 | |
|
28:01:110242:11 | |
|
28:01:110242:15 | |
|
28:01:110242:40 | |
|
28:01:110242:42 | |
|
28:01:110245:133 | |
|
28:01:110245:135 | |
|
28:01:110245:52 | |
|
Кадастровые кварталы: | |
|
28:01:110220,
28:01:110219, 28:01:110241, 28:01:110242, 28:01:110245, 28:01:110225,
28:01:110268, 28:01:110226, 28:01:110272 |
Заинтересованные лица в течение пятнадцати дней со дня опубликования настоящего сообщения могут ознакомиться с поступившим ходатайством об установлении публичного сервитута и прилагаемым к нему описанием местоположения границ публичного сервитута на сайте министерства имущественных отношений Амурской области - https://mail@mio.amurobl.ru в разделе «Земельные отношения».
Правообладатели земельных участков, если их права не зарегистрированы в Едином государственном реестре недвижимости, в течение пятнадцати дней со дня опубликования настоящего сообщения могут подать заявление об учете их прав (обременений прав) на земельный участок с приложением копий документов, подтверждающих эти права (обременения прав), с указанием почтового адреса и (или) адреса электронной почты.
Адрес, по которому заинтересованные лица могут подать заявления об учете прав на земельные участки: 675000, Амурская область, г. Благовещенск, ул. Ленина, 135, адрес электронной почты: mail@mio.amurobl.ru
Официальные сайты в информационно-телекоммуникационной сети «Интернет», на которых размещается сообщение о поступившем ходатайстве об установлении публичного сервитута:
- официальный сайт министерства имущественных отношений Амурской области https://mio.amurobl.ru;
- официальный сайт администрации города Благовещенска https://admblag.ru.
Графическое описание местоположения границ публичного сервитута:

Сообщение о возможном установлении публичного сервитута
В соответствии с п. 3 ст. 39.42 Земельного кодекса Российской Федерации администрация города Благовещенска информирует о рассмотрении ходатайства АО «ДРСК» об установлении публичного сервитута для размещения ВЛ-10 ПС Дачная Ф-4 в отношении земель, расположенных в кадастровом квартале 28:01:110001.
Графическое описание местоположения границ публичного сервитута:

Заинтересованные лица в течение тридцати дней со дня опубликования настоящего сообщения могут ознакомиться с поступившим ходатайством об установлении публичного сервитута и прилагаемым к нему описанием местоположения границ публичного сервитута по адресу: г. Благовещенск, ул. Ленина, 133, в рабочие дни с 09-00 до 18-00 (обеденный перерыв с 13-00 до 14-00), тел. 7(4162) 233-876 (официальный сайт администрации города Благовещенска – www.admblag.ru).
Правообладатели земельных участков, если их права не зарегистрированы в Едином государственном реестре недвижимости, в течение тридцати дней со дня опубликования настоящего сообщения могут подать заявление об учете их прав (обременений прав) на земельный участок с приложением копий документов, подтверждающих эти права (обременения прав), с указанием почтового адреса и (или) адреса электронной почты.
Сообщение о возможном установлении публичного сервитута
В соответствии с п. 3 ст. 39.42 Земельного кодекса Российской Федерации администрация города Благовещенска информирует о рассмотрении ходатайства АО «ДРСК» об установлении публичного сервитута для размещения ВЛ-10 ПС Астрахановкская Ф-25, КТПН-630 кВА № 16-12 с. Садовое, ТП 10/0,4 с. Садовое № 16-9, подстанция (КТП-10/0,4 кВ) на 250 кВА, КТПН-630/10/0,4 г. Благовещенск № 16-14 в отношении частей земельных участков с кадастровыми номерами:
- 28:01:090028:7, расположенного в с. Садовое, в квартале С-8;
- 28:01:000000:2921, расположенного в г. Благовещенск;
- 28:01:000000:10942, расположенного в с. Садовое, в кварталах С-28, С-26;
- 28:01:000000:389, расположенного в с. Садовое, в кварталах С-28, С-26;
- 28:01:000000:10391, расположенного в с. Садовое, в кварталах С-28, С-26;
- 28:01:090026:45, расположенного в с. Садовое, в квартале С-26;
- 28:01:000000:68 (единое землепользование), расположенного в г. Благовещенск;
- 28:01:090022:46, расположенного в с. Садовое, в квартале С-22;
- 28:01:090022:47, расположенного в с. Садовое, в квартале С-22;
- 28:01:090022:61, расположенного в с. Садовое, в квартале С-22;
- 28:01:000000:12810, расположенного в с. Садовое, в кварталах С-22, С-19;
- 28:01:000000:337, расположенного в г. Благовещенск;
- 28:01:090020:63, расположенного в с. Садовое, в квартале С-20;
- 28:01:090008:51, расположенного в с. Садовое, в квартале С-8;
- 28:01:000000:3075, расположенного в г. Благовещенск;
- 28:01:020514:17, расположенного в квартале 514;
- 28:01:020514:65, расположенного в квартале 514;
- 28:01:000000:10213, расположенного в квартале 514;
- 28:01:020514:8, расположенного в квартале 514;
- 28:01:000000:2302, расположенного в г. Благовещенск;
- 28:01:200019:106, расположенного в квартале 530;
- 28:01:200019:107, расположенного в квартале 530;
- 28:01:090009:31, расположенного в с. Садовое, по ул. Садовая, д. 19, в квартале С-9;
2. Земель, расположенных в кадастровых кварталах: 28:01:090028, 28:01:090026, 28:01:090027, 28:01:090022, 28:01:120001, 28:01:090019, 28:01:200019, 28:01:090020, 28:01:090008, 28:01:090009, 28:01:020527, 28:01:040737, 28:01:090024, 28:01:021513, 28:01:020514.
Графическое описание местоположения границ публичного сервитута:

Заинтересованные лица в течение пятнадцати дней со дня опубликования настоящего сообщения могут ознакомиться с поступившим ходатайством об установлении публичного сервитута и прилагаемым к нему описанием местоположения границ публичного сервитута по адресу: г. Благовещенск, ул. Ленина, 133, в рабочие дни с 09-00 до 18-00, по телефону: 7(4162)233-876 (обеденный перерыв с 13-00 до 14-00) (официальный сайт администрации города Благовещенска – www.admblag.ru).
Правообладатели земельных участков, если их права не зарегистрированы в Едином государственном реестре недвижимости, в течение тридцати дней со дня опубликования настоящего сообщения могут подать заявление об учете их прав (обременений прав) на земельный участок с приложением копий документов, подтверждающих эти права (обременения прав), с указанием почтового адреса и (или) адреса электронной почты.
Сообщение о возможном установлении публичного сервитута
В соответствии с п. 3 ст. 39.42 Земельного кодекса Российской Федерации администрация города Благовещенска информирует о рассмотрении ходатайства АО «ДРСК» об установлении публичного сервитута для размещения ВЛ-10/0,4 кВ, ТП-10/0,4 кВ и реконструкции ВЛ-10 ПС Игнатьево ф-12 в отношении:
1) земельных участков, расположенных в с/т Сосновое с кадастровыми номерами: 28:01:060005:485, 28:01:060005:397, 28:01:060005:82, 28:01:060005:279, 28:01:060005:154, 28:01:060005:265, 28:01:060005:53, 28:01:060005:363, 28:10:0130001:159;
2) земель, расположенных в кадастровых кварталах: 28:01:060010, 28:01:060005.
Графическое описание местоположения границ публичного сервитута:

Заинтересованные лица в течение тридцати дней со дня опубликования настоящего сообщения могут ознакомиться с поступившим ходатайством об установлении публичного сервитута и прилагаемым к нему описанием местоположения границ публичного сервитута по адресу: г. Благовещенск, ул. Ленина, 133, в рабочие дни с 09-00 до 18-00 (обеденный перерыв с 13-00 до 14-00), тел. 7(4162) 233-874 (официальный сайт администрации города Благовещенска – www.admblag.ru).
Правообладатели земельных участков, если их права не зарегистрированы в Едином государственном реестре недвижимости, в течение тридцати дней со дня опубликования настоящего сообщения могут подать заявление об учете их прав (обременений прав) на земельный участок с приложением копий документов, подтверждающих эти права (обременения прав), с указанием почтового адреса и (или) адреса электронной почты.
Сообщение о возможном установлении публичного сервитута
В соответствии с п. 3 ст. 39.42 Земельного кодекса Российской Федерации администрация города Благовещенска информирует о рассмотрении ходатайства МУ «ГУКС» об установлении публичного сервитута для размещения объектов электросетевого хозяйства, линий и сооружений связи (кабель для технологического присоединения к сетям инженерно-технического обеспечения и кабель для подключения уличного освещения) в отношении:
1. Земельных участков с кадастровыми номерами:
- 28:01:010088:154, расположенного по ул. Горького, 42, в квартале 88;
- 28:01:010088:160, расположенного по ул. Горького, 42, в квартале 88;
- 28:01:010088:165, расположенного по ул. Горького, 42, в квартале 88;
- 28:01:010088:207, расположенного в квартале 88;
- 28:01:010088:1197, расположенного в по ул. Горького, 40, в квартале 88;
- 28:01:010254:7, расположенного по ул. Лазо, 85, в квартале 254;
- 28:01:010254:125, расположенного в квартале 254; - 28:01:010254:825, расположенного в квартале 254;
- 28:01:000000:9743, расположенного в г. Благовещенск.
2. Земель, расположенных в кадастровом квартале 28:01:010088
Графическое описание местоположения границ публичного сервитута:


Заинтересованные лица в течение тридцати дней со дня опубликования настоящего сообщения могут ознакомиться с поступившим ходатайством об установлении публичного сервитута и прилагаемым к нему описанием местоположения границ публичного сервитута по адресу: г. Благовещенск, ул. Ленина, 133, в рабочие дни с 09-00 до 18-00 (обеденный перерыв с 13-00 до 14-00), тел. 7(4162) 233-876 (официальный сайт администрации города Благовещенска – www.admblag.ru).
Правообладатели земельных участков, если их права не зарегистрированы в Едином государственном реестре недвижимости, в течение тридцати дней со дня опубликования настоящего сообщения могут подать заявление об учете их прав (обременений прав) на земельный участок с приложением копий документов, подтверждающих эти права (обременения прав), с указанием почтового адреса и (или) адреса электронной почты.
Сообщение о возможном установлении публичного сервитута
В соответствии с п. 3 ст. 39.42 Земельного кодекса Российской Федерации администрация города Благовещенска информирует о рассмотрении ходатайства ООО «АКС» об установлении публичного сервитута для размещения сетей водоснабжения в отношении земельных участков с кадастровыми номерами:
- 28:01:210345:1779, расположенного в квартале 346;
- 28:01:210345:203, расположенного в квартале 346.
Графическое описание местоположения границ публичного сервитута:

Заинтересованные лица в течение тридцати дней со дня опубликования настоящего сообщения могут ознакомиться с поступившим ходатайством об установлении публичного сервитута и прилагаемым к нему описанием местоположения границ публичного сервитута по адресу: г. Благовещенск, ул. Ленина, 133, в рабочие дни с 09-00 до 18-00 (обеденный перерыв с 13-00 до 14-00), тел. 7(4162) 233-876 (официальный сайт администрации города Благовещенска – www.admblag.ru).
Правообладатели земельных участков, если их права не зарегистрированы в Едином государственном реестре недвижимости, в течение тридцати дней со дня опубликования настоящего сообщения могут подать заявление об учете их прав (обременений прав) на земельный участок с приложением копий документов, подтверждающих эти права (обременения прав), с указанием почтового адреса и (или) адреса электронной почты.
Сообщение о возможном установлении публичного сервитута
В соответствии с п. 3 ст. 39.42 Земельного кодекса Российской Федерации администрация города Благовещенска информирует о рассмотрении ходатайства ООО «АКС» об установлении публичного сервитута для размещения сетей водоотведения в отношении земельных участков с кадастровыми номерами:
- 28:01:210345:1779, расположенного в квартале 346;
- 28:01:210345:525, расположенного по ул. Заводская, д. 2, в квартале 346.
Графическое описание местоположения границ публичного сервитута:

Заинтересованные лица в течение тридцати дней со дня опубликования настоящего сообщения могут ознакомиться с поступившим ходатайством об установлении публичного сервитута и прилагаемым к нему описанием местоположения границ публичного сервитута по адресу: г. Благовещенск, ул. Ленина, 133, в рабочие дни с 09-00 до 18-00 (обеденный перерыв с 13-00 до 14-00), тел. 7(4162) 233-873 (официальный сайт администрации города Благовещенска – www.admblag.ru).
Сообщение о возможном установлении публичного сервитута
В соответствии с п. 3 ст. 39.42 Земельного кодекса Российской Федерации администрация города Благовещенска информирует о рассмотрении ходатайства ООО «АКС» об установлении публичного сервитута для размещения электрических сетей в отношении части земельного участка с кадастровым номером 28:01:130041:6, расположенного по ул. Пионерская, д. 27, в квартале 41.
Графическое описание местоположения границ публичного сервитута:

Заинтересованные лица в течение тридцати дней со дня опубликования настоящего сообщения могут ознакомиться с поступившим ходатайством об установлении публичного сервитута и прилагаемым к нему описанием местоположения границ публичного сервитута по адресу: г. Благовещенск, ул. Ленина, 133, в рабочие дни с 09-00 до 18-00 (обеденный перерыв с 13-00 до 14-00), тел. 7(4162) 233-873 (официальный сайт администрации города Благовещенска – www.admblag.ru).
Сообщение о возможном установлении публичного сервитута
В соответствии с п. 3 ст. 39.42 Земельного кодекса Российской Федерации администрация города Благовещенска информирует о рассмотрении ходатайства ООО «АКС» об установлении публичного сервитута для размещения повысительной насосной станции в отношении земельного участка с кадастровым номером 28:01:010215:159, расположенного по ул. Октябрьская, д. 111, в квартале 215.
Графическое описание местоположения границ публичного сервитута:

Заинтересованные лица в течение тридцати дней со дня опубликования настоящего сообщения могут ознакомиться с поступившим ходатайством об установлении публичного сервитута и прилагаемым к нему описанием местоположения границ публичного сервитута по адресу: г. Благовещенск, ул. Ленина, 133, в рабочие дни с 09-00 до 18-00 (обеденный перерыв с 13-00 до 14-00), телефон 8(4162)233-876 (официальный сайт администрации города Благовещенска – www.admblag.ru).
Сообщение о возможном установлении публичного сервитута
В соответствии с п. 3 ст. 39.42 Земельного кодекса Российской Федерации администрация города Благовещенска информирует о рассмотрении ходатайства ООО «АКС» об установлении публичного сервитута для размещения сетей водоснабжения и водоотведения в отношении земельных участков с кадастровыми номерами:
- 28:01:130184:55, расположенного по ул. Горького, д. 129, в квартале 184;
- 28:01:130191:293, расположенного по ул. Красноармейская, д. 82, в квартале 191;
- 28:01:130191:294, расположенного в квартале 191.
Графическое описание местоположения границ публичного сервитута:

Заинтересованные лица в течение тридцати дней со дня опубликования настоящего сообщения могут ознакомиться с поступившим ходатайством об установлении публичного сервитута и прилагаемым к нему описанием местоположения границ публичного сервитута по адресу: г. Благовещенск, ул. Ленина, 133, в рабочие дни с 09-00 до 18-00 (обеденный перерыв с 13-00 до 14-00), тел. 7(4162) 233-874 (официальный сайт администрации города Благовещенска – www.admblag.ru).
Правообладатели земельных участков, если их права не зарегистрированы в Едином государственном реестре недвижимости, в течение тридцати дней со дня опубликования настоящего сообщения могут подать заявление об учете их прав (обременений прав) на земельный участок с приложением копий документов, подтверждающих эти права (обременения прав), с указанием почтового адреса и (или) адреса электронной почты..
Сообщение о возможном установлении публичного сервитута
В соответствии с п. 3 ст. 39.42 Земельного кодекса Российской Федерации администрация города Благовещенска информирует о рассмотрении ходатайства ООО «АКС» об установлении публичного сервитута для размещения водопроводной насосной станции в отношении земельного участка с кадастровым номером 28:01:010017:147, расположенного по ул. Мухина, д. 53/3, в квартале 17
Графическое описание местоположения границ публичного сервитута:

Заинтересованные лица в течение тридцати дней со дня опубликования настоящего сообщения могут ознакомиться с поступившим ходатайством об установлении публичного сервитута и прилагаемым к нему описанием местоположения границ публичного сервитута по адресу: г. Благовещенск, ул. Ленина, 133, в рабочие дни с 09-00 до 18-00 (обеденный перерыв с 13-00 до 14-00), тел. 7(4162) 233-874 (официальный сайт администрации города Благовещенска – www.admblag.ru).
Правообладатели земельных участков, если их права не зарегистрированы в Едином государственном реестре недвижимости, в течение тридцати дней со дня опубликования настоящего сообщения могут подать заявление об учете их прав (обременений прав) на земельный участок с приложением копий документов, подтверждающих эти права (обременения прав), с указанием почтового адреса и (или) адреса электронной почты..
Сообщение о возможном установлении публичного сервитута
В соответствии с п. 3 ст. 39.42 Земельного кодекса Российской Федерации администрация города Благовещенска информирует о рассмотрении ходатайства ООО «АКС» об установлении публичного сервитута для размещения повысительной насосной станции в отношении:
1) части земельного участка с кадастровым номером 28:01:010009:62, расположенного по ул. Артиллерийская, 31, в квартале 9;
2) земель, расположенных в кадастровом квартале 28:01:010009
Графическое описание местоположения границ публичного сервитута:

Заинтересованные лица в течение тридцати дней со дня опубликования настоящего сообщения могут ознакомиться с поступившим ходатайством об установлении публичного сервитута и прилагаемым к нему описанием местоположения границ публичного сервитута по адресу: г. Благовещенск, ул. Ленина, 133, в рабочие дни с 09-00 до 18-00 (обеденный перерыв с 13-00 до 14-00), тел. 7(4162) 233-873 (официальный сайт администрации города Благовещенска – www.admblag.ru).
Правообладатели земельных участков, если их права не зарегистрированы в Едином государственном реестре недвижимости, в течение тридцати дней со дня опубликования настоящего сообщения могут подать заявление об учете их прав (обременений прав) на земельный участок с приложением копий документов, подтверждающих эти права (обременения прав), с указанием почтового адреса и (или) адреса электронной почты..
Сообщение о возможном установлении публичного сервитута
В соответствии с п. 3 ст. 39.42 Земельного кодекса Российской Федерации администрация города Благовещенска информирует о рассмотрении ходатайства ООО «АКС» об установлении публичного сервитута для размещения повысительной насосной станции в отношении:
- земельного участка с кадастровым номером 28:01:010023:63, расположенного по ул. Калинина, д. 52, в квартале 23;
- земель, расположенных в кадастровом квартале 28:01:010023.
Графическое описание местоположения границ публичного сервитута:

Заинтересованные лица в течение тридцати дней со дня опубликования настоящего сообщения могут ознакомиться с поступившим ходатайством об установлении публичного сервитута и прилагаемым к нему описанием местоположения границ публичного сервитута по адресу: г. Благовещенск, ул. Ленина, 133, в рабочие дни с 09-00 до 18-00 (обеденный перерыв с 13-00 до 14-00), тел. 7(4162) 233-873 (официальный сайт администрации города Благовещенска – www.admblag.ru).
Правообладатели земельных участков, если их права не зарегистрированы в Едином государственном реестре недвижимости, в течение тридцати дней со дня опубликования настоящего сообщения могут подать заявление об учете их прав (обременений прав) на земельный участок с приложением копий документов, подтверждающих эти права (обременения прав), с указанием почтового адреса и (или) адреса электронной почты..
Сообщение о возможном установлении публичного сервитута
В соответствии с п. 3 ст. 39.42 Земельного кодекса Российской Федерации администрация города Благовещенска информирует о рассмотрении ходатайства ООО «АКС» об установлении публичного сервитута для размещения сетей водоснабжения в отношении части земельного участка с кадастровым номером 28:01:010010:143, расположенного по ул. Новая, 24, в квартале 10.
Графическое описание местоположения границ публичного сервитута:

Заинтересованные лица в течение пятнадцати дней со дня опубликования настоящего сообщения могут ознакомиться с поступившим ходатайством об установлении публичного сервитута и прилагаемым к нему описанием местоположения границ публичного сервитута по адресу: г. Благовещенск, ул. Ленина, 133, в рабочие дни с 09-00 до 18-00, по телефону: 7(4162)233-872 (обеденный перерыв с 13-00 до 14-00) (официальный сайт администрации города Благовещенска – www.admblag.ru).
Сообщение о возможном установлении публичного сервитута
В соответствии с п. 3 ст. 39.42 Земельного кодекса Российской Федерации администрация города Благовещенска информирует о рассмотрении ходатайства ООО «АКС» об установлении публичного сервитута для размещения повысительной водопроводной насосной станции в отношении земельного участка с кадастровым номером 28:01:010092:82, расположенного по ул. Зейская, д. 33, в квартале 92.
Графическое описание местоположения границ публичного сервитута:

Заинтересованные лица в течение тридцати дней со дня опубликования настоящего сообщения могут ознакомиться с поступившим ходатайством об установлении публичного сервитута и прилагаемым к нему описанием местоположения границ публичного сервитута по адресу: г. Благовещенск, ул. Ленина, 133, в рабочие дни с 09-00 до 18-00 (обеденный перерыв с 13-00 до 14-00), телефон 8(4162)233-876 (официальный сайт администрации города Благовещенска – www.admblag.ru).
Сообщение о возможном установлении публичного сервитута
В соответствии с п. 3 ст. 39.42 Земельного кодекса Российской Федерации администрация города Благовещенска информирует о рассмотрении ходатайства ООО «АКС» об установлении публичного сервитута для размещения повысительной насосной станции в отношении части земельного участка с кадастровым номером 28:01:130042:61, расположенного по ул. Горького, д. 174, в квартале 42.
Графическое описание местоположения границ публичного сервитута:

Заинтересованные лица в течение тридцати дней со дня опубликования настоящего сообщения могут ознакомиться с поступившим ходатайством об установлении публичного сервитута и прилагаемым к нему описанием местоположения границ публичного сервитута по адресу: г. Благовещенск, ул. Ленина, 133, в рабочие дни с 09-00 до 18-00 (обеденный перерыв с 13-00 до 14-00), телефон 8(4162)233-876 (официальный сайт администрации города Благовещенска – www.admblag.ru). .
Сообщение о возможном установлении публичного сервитута
В соответствии с п. 3 ст. 39.42 Земельного кодекса Российской Федерации администрация города Благовещенска информирует о рассмотрении ходатайства АО «ДРСК» об установлении публичного сервитута для размещения ВЛ-10 кВ ПС Северная Ф-2 в отношении:
1. Земельных участков с кадастровыми номерами:
- земельного участка с кадастровым номером 28:01:020015:227, расположенного в СПУ-3;
- земельного участка с кадастровым номером 28:01:020015:739, расположенного в СПУ-3;
- земельного участка с кадастровым номером 28:01:020015:270, расположенного в СПУ-3;
- земельного участка с кадастровым номером 28:01:000000:2922, расположенного в СПУ-4;
- земельного участка с кадастровым номером 28:01:020015:527, расположенного в СПУ-3;
- земельного участка с кадастровым номером 28:01:020014:41, расположенного в СПУ-4;
- земельного участка с кадастровым номером 28:01:020014:51, расположенного в СПУ-4;
- земельного участка с кадастровым номером 28:01:000000:11082, расположенного в г. Благовещенск;
2. Земель, расположенных в кадастровых кварталах: 28:01:020014, 28:01:020015.
Графическое описание местоположения границ публичного сервитута:

Заинтересованные лица в течение пятнадцати дней со дня опубликования настоящего сообщения могут ознакомиться с поступившим ходатайством об установлении публичного сервитута и прилагаемым к нему описанием местоположения границ публичного сервитута по адресу: г. Благовещенск, ул. Ленина, 133, в рабочие дни с 09-00 до 18-00, по телефону: 7(4162)233-874 (обеденный перерыв с 13-00 до 14-00) (официальный сайт администрации города Благовещенска – www.admblag.ru).
Правообладатели земельных участков, если их права не зарегистрированы в Едином государственном реестре недвижимости, в течение пятнадцати дней со дня опубликования настоящего сообщения могут подать заявление об учете их прав (обременений прав) на земельный участок с приложением копий документов, подтверждающих эти права (обременения прав), с указанием почтового адреса и (или) адреса электронной почты.
Сообщение о возможном установлении публичного сервитута
В соответствии с п. 3 ст. 39.42 Земельного кодекса Российской Федерации администрация города Благовещенска информирует о рассмотрении ходатайства ООО «АКС» об установлении публичного сервитута для размещения канализационной насосной станции в отношении земель, расположенных в кадастровом квартале 28:01:020438
Графическое описание местоположения границ публичного сервитута:

Заинтересованные лица в течение пятнадцати дней со дня опубликования настоящего сообщения могут ознакомиться с поступившим ходатайством об установлении публичного сервитута и прилагаемым к нему описанием местоположения границ публичного сервитута по адресу: г. Благовещенск, ул. Ленина, 133, в рабочие дни с 09-00 до 18-00, по телефону: 7(4162)233-874 (обеденный перерыв с 13-00 до 14-00) (официальный сайт администрации города Благовещенска – www.admblag.ru).
Правообладатели земельных участков, если их права не зарегистрированы в Едином государственном реестре недвижимости, в течение пятнадцати дней со дня опубликования настоящего сообщения могут подать заявление об учете их прав (обременений прав) на земельный участок с приложением копий документов, подтверждающих эти права (обременения прав), с указанием почтового адреса и (или) адреса электронной почты.
Сообщение о возможном установлении публичного сервитута
В соответствии с п. 3 ст. 39.42 Земельного кодекса Российской Федерации администрация города Благовещенска информирует о рассмотрении ходатайства ООО «АКС» об установлении публичного сервитута для размещения повысительной насосной станции в отношении частей земельных участков с кадастровыми номерами: - 28:01:130153:25, расположенного по ул. Октябрьская, 162, в квартале 153; - 28:01:130153:268, расположенного по ул. Б. Хмельницкого, 64, в квартале 153.
Графическое описание местоположения границ публичного сервитута:

Заинтересованные лица в течение пятнадцати дней со дня опубликования настоящего сообщения могут ознакомиться с поступившим ходатайством об установлении публичного сервитута и прилагаемым к нему описанием местоположения границ публичного сервитута по адресу: г. Благовещенск, ул. Ленина, 133, в рабочие дни с 09-00 до 18-00, по телефону: 7(4162)233-872 (обеденный перерыв с 13-00 до 14-00) (официальный сайт администрации города Благовещенска – www.admblag.ru).
Сообщение о возможном установлении публичного сервитута
В соответствии с п. 3 ст. 39.42 Земельного кодекса Российской Федерации администрация города Благовещенска информирует о рассмотрении ходатайства ООО «АКС» об установлении публичного сервитута для размещения повысительной насосной станции в отношении земельного участка с кадастровым номером 28:01:020408:230, расположенного по ул. Островского, д. 251, в квартале 436.
Графическое описание местоположения границ публичного сервитута:

Заинтересованные лица в течение тридцати дней со дня опубликования настоящего сообщения могут ознакомиться с поступившим ходатайством об установлении публичного сервитута и прилагаемым к нему описанием местоположения границ публичного сервитута по адресу: г. Благовещенск, ул. Ленина, 133, в рабочие дни с 09-00 до 18-00 (обеденный перерыв с 13-00 до 14-00), телефон 8(4162)233-876 (официальный сайт администрации города Благовещенска – www.admblag.ru). .
Сообщение о возможном установлении публичного сервитута
В соответствии с п. 3 ст. 39.42 Земельного кодекса Российской Федерации администрация города Благовещенска информирует о рассмотрении ходатайства АО «ДРСК» об установлении публичного сервитута для размещения ВЛ-10 кВ Ф-6 ПС Силикатная в отношении: - земельного участка с кадастровым номером 28:01:150009:63, расположенного в . Белогорье, в квартале Б-9; - земель, расположенных в кадастровом квартале 28:01:150009.
Графическое описание местоположения границ публичного сервитута:

Заинтересованные лица в течение пятнадцати дней со дня опубликования настоящего сообщения могут ознакомиться с поступившим ходатайством об установлении публичного сервитута и прилагаемым к нему описанием местоположения границ публичного сервитута по адресу: г. Благовещенск, ул. Ленина, 133, в рабочие дни с 09-00 до 18-00, по телефону: 7(4162)233-873 (обеденный перерыв с 13-00 до 14-00) (официальный сайт администрации города Благовещенска – www.admblag.ru). Правообладатели земельных участков, если их права не зарегистрированы в Едином государственном реестре недвижимости, в течение тридцати дней со дня опубликования настоящего сообщения могут подать заявление об учете их прав (обременений прав) на земельный участок с приложением копий документов, подтверждающих эти права (обременения прав), с указанием почтового адреса и (или) адреса электронной почты.
Сообщение о возможном установлении публичного сервитута
В соответствии с п. 3 ст. 39.42 Земельного кодекса Российской Федерации администрация города Благовещенска информирует о рассмотрении ходатайства ООО «АКС» об установлении публичного сервитута для размещения повысительной насосной станции в отношении земельного участка с кадастровым номером 28:01:020436:107, расположенного по ул. Островского, д. 251, в квартале 436.
Графическое описание местоположения границ публичного сервитута:

Заинтересованные лица в течение пятнадцати дней со дня опубликования настоящего сообщения могут ознакомиться с поступившим ходатайством об установлении публичного сервитута и прилагаемым к нему описанием местоположения границ публичного сервитута по адресу: г. Благовещенск, ул. Ленина, 133, в рабочие дни с 09-00 до 18-00, по телефону: 7(4162)233-873 (обеденный перерыв с 13-00 до 14-00) (официальный сайт администрации города Благовещенска – www.admblag.ru). Правообладатели земельных участков, если их права не зарегистрированы в Едином государственном реестре недвижимости, в течение тридцати дней со дня опубликования настоящего сообщения могут подать заявление об учете их прав (обременений прав) на земельный участок с приложением копий документов, подтверждающих эти права (обременения прав), с указанием почтового адреса и (или) адреса электронной почты.
Сообщение о возможном установлении публичного сервитута
В соответствии с п. 3 ст. 39.42 Земельного кодекса Российской Федерации администрация города Благовещенска информирует о рассмотрении ходатайства ООО «АКС» об установлении публичного сервитута для размещения водонапорной колонки, водонапорной скважины в отношении:
1) частей земельных участков с кадастровыми номерами:
- 28:01:090001:22, расположенного в с. Садовое, ул. Спортивная, 10, в квартале С-1;
- 28:01:090001:23, расположенного в с. Садовое, в квартале С-1.
2) земель, расположенных в кадастровом квартале 28:01:090001.
Графическое описание местоположения границ публичного сервитута:

Заинтересованные лица в течение пятнадцати дней со дня опубликования настоящего сообщения могут ознакомиться с поступившим ходатайством об установлении публичного сервитута и прилагаемым к нему описанием местоположения границ публичного сервитута по адресу: г. Благовещенск, ул. Ленина, 133, в рабочие дни с 09-00 до 18-00, по телефону: 7(4162)233-874 (обеденный перерыв с 13-00 до 14-00) (официальный сайт администрации города Благовещенска – www.admblag.ru). .
Правообладатели земельных участков, если их права не зарегистрированы в Едином государственном реестре недвижимости, в течение пятнадцати дней со дня опубликования настоящего сообщения могут подать заявление об учете их прав (обременений прав) на земельный участок с приложением копий документов, подтверждающих эти права (обременения прав), с указанием почтового адреса и (или) адреса электронной почты. .
Сообщение о возможном установлении публичного сервитута
В соответствии с п. 3 ст. 39.42 Земельного кодекса Российской Федерации администрация города Благовещенска информирует о рассмотрении ходатайства ООО «АКС» об установлении публичного сервитута для размещения повысительной насосной станции в отношении частей земельных участков с кадастровыми номерами:
- 28:01:130192:385, расположенного по ул. Октябрьская, 120, в квартале 192;
- 28:01:130192:126, расположенного в квартале 192;
- 28:01:130192:110, расположенного по ул. Островского, 75, 75/1, 77, в квартале 192;
- 28:01:130192:107, расположенного в квартале 192;
- 28:01:130192:109, расположенного в квартале 192;
- 28:01:130192:86, расположенного в квартале 192;
Графическое описание местоположения границ публичного сервитута:

Заинтересованные лица в течение пятнадцати дней со дня опубликования настоящего сообщения могут ознакомиться с поступившим ходатайством об установлении публичного сервитута и прилагаемым к нему описанием местоположения границ публичного сервитута по адресу: г. Благовещенск, ул. Ленина, 133, в рабочие дни с 09-00 до 18-00, по телефону: 7(4162)233-874 (обеденный перерыв с 13-00 до 14-00) (официальный сайт администрации города Благовещенска – www.admblag.ru). .
Правообладатели земельных участков, если их права не зарегистрированы в Едином государственном реестре недвижимости, в течение пятнадцати дней со дня опубликования настоящего сообщения могут подать заявление об учете их прав (обременений прав) на земельный участок с приложением копий документов, подтверждающих эти права (обременения прав), с указанием почтового адреса и (или) адреса электронной почты. .
Сообщение о возможном установлении публичного сервитута
В соответствии с п. 3 ст. 39.42 Земельного кодекса Российской Федерации администрация города Благовещенска информирует о рассмотрении ходатайства ООО «АКС» об установлении публичного сервитута для размещения электрических сетей в отношении части земельного участка с кадастровым номером 28:01:000000:154 (единое землепользование), расположенного в г. Благовещенск.
Графическое описание местоположения границ публичного сервитута:

Заинтересованные лица в течение пятнадцати дней со дня опубликования настоящего сообщения могут ознакомиться с поступившим ходатайством об установлении публичного сервитута и прилагаемым к нему описанием местоположения границ публичного сервитута по адресу: г. Благовещенск, ул. Ленина, 133, в рабочие дни с 09-00 до 18-00, по телефону: 7(4162)233-874 (обеденный перерыв с 13-00 до 14-00) (официальный сайт администрации города Благовещенска – www.admblag.ru).
Сообщение о возможном установлении публичного сервитута
В соответствии с п. 3 ст. 39.42 Земельного кодекса Российской Федерации администрация города Благовещенска информирует о рассмотрении ходатайства ООО «АКС» об установлении публичного сервитута для размещения сетей водоснабжения и водоотведения в отношении части земельного участка с кадастровым номером 28:01:010188:318, расположенного в квартале 318.
Графическое описание местоположения границ публичного сервитута:

Заинтересованные лица в течение пятнадцати дней со дня опубликования настоящего сообщения могут ознакомиться с поступившим ходатайством об установлении публичного сервитута и прилагаемым к нему описанием местоположения границ публичного сервитута по адресу: г. Благовещенск, ул. Ленина, 133, в рабочие дни с 09-00 до 18-00, по телефону: 7(4162)233-873 (обеденный перерыв с 13-00 до 14-00) (официальный сайт администрации города Благовещенска – www.admblag.ru).
Сообщение о возможном установлении публичного сервитута
В соответствии с п. 3 ст. 39.42 Земельного кодекса Российской Федерации администрация города Благовещенска информирует о рассмотрении ходатайства ООО «АКС» об установлении публичного сервитута для размещения повысительной насосной станции в отношении части земельного участка с кадастровым номером 28:01:010087:133, расположенного по ул. Пушкина, д. 47, в квартале 87.
Графическое описание местоположения границ публичного сервитута:

Заинтересованные лица в течение пятнадцати дней со дня опубликования настоящего сообщения могут ознакомиться с поступившим ходатайством об установлении публичного сервитута и прилагаемым к нему описанием местоположения границ публичного сервитута по адресу: г. Благовещенск, ул. Ленина, 133, в рабочие дни с 09-00 до 18-00, по телефону: 7(4162)233-873 (обеденный перерыв с 13-00 до 14-00) (официальный сайт администрации города Благовещенска – www.admblag.ru).
Сообщение о возможном установлении публичного сервитута
В соответствии с п. 3 ст. 39.42 Земельного кодекса Российской Федерации администрация города Благовещенска информирует о рассмотрении ходатайства ООО «АКС» об установлении публичного сервитута для размещения электрических сетей в отношении земельных участков с кадастровыми номерами:
- 28:01:010092:678, расположенного по ул. Лазо, д. 55, в квартале 92;
- 28:01:010092:76, расположенного по ул. Лазо, д. 55/1, в квартале 92.
Графическое описание местоположения границ публичного сервитута:

Заинтересованные лица в течение тридцати дней со дня опубликования настоящего сообщения могут ознакомиться с поступившим ходатайством об установлении публичного сервитута и прилагаемым к нему описанием местоположения границ публичного сервитута по адресу: г. Благовещенск, ул. Ленина, 133, в рабочие дни с 09-00 до 18-00 (обеденный перерыв с 13-00 до 14-00), телефон 8(4162)233-876 (официальный сайт администрации города Благовещенска – www.admblag.ru).
Сообщение о возможном установлении публичного сервитута
В соответствии с п. 3 ст. 39.42 Земельного кодекса Российской Федерации администрация города Благовещенска информирует о рассмотрении ходатайства ООО «АКС» об установлении публичного сервитута для размещения повысительной насосной станции в отношении земельного участка с кадастровым номером 28:01:020408:230, расположенного по ул. Кантемирова, д. 23/3, в квартале 408.
Графическое описание местоположения границ публичного сервитута:

Заинтересованные лица в течение тридцати дней со дня опубликования настоящего сообщения могут ознакомиться с поступившим ходатайством об установлении публичного сервитута и прилагаемым к нему описанием местоположения границ публичного сервитута по адресу: г. Благовещенск, ул. Ленина, 133, в рабочие дни с 09-00 до 18-00 (обеденный перерыв с 13-00 до 14-00), телефон 8(4162)233-876 (официальный сайт администрации города Благовещенска – www.admblag.ru).
Сообщение о возможном установлении публичного сервитута
В соответствии с п. 3 ст. 39.42 Земельного кодекса Российской Федерации администрация города Благовещенска информирует о рассмотрении ходатайства ООО «АКС» об установлении публичного сервитута для размещения канализационной насосной станции в отношении земель, расположенных в кадастровом квартале 28:01:150003.
Графическое описание местоположения границ публичного сервитута:

Заинтересованные лица в течение тридцати дней со дня опубликования настоящего сообщения могут ознакомиться с поступившим ходатайством об установлении публичного сервитута и прилагаемым к нему описанием местоположения границ публичного сервитута по адресу: г. Благовещенск, ул. Ленина, 133, в рабочие дни с 09-00 до 18-00 (обеденный перерыв с 13-00 до 14-00), телефон 8(4162)233-876 (официальный сайт администрации города Благовещенска – www.admblag.ru).
Правообладатели земельных участков, если их права не зарегистрированы в Едином государственном реестре недвижимости, в течение тридцати дней со дня опубликования настоящего сообщения могут подать заявление об учете их прав (обременений прав) на земельный участок с приложением копий документов, подтверждающих эти права (обременения прав), с указанием почтового адреса и (или) адреса электронной почты.
Сообщение о возможном установлении публичного сервитута
В соответствии с п. 3 ст. 39.42 Земельного кодекса Российской Федерации администрация города Благовещенска информирует о рассмотрении ходатайства ООО «АКС» об установлении публичного сервитута для размещения повысительной насосной станции в отношении части земельного участка с кадастровым номером 28:01:130035:126, расположенного по ул. Б.Хмельницкого, д. 31, в квартале 35.
Графическое описание местоположения границ публичного сервитута:

Заинтересованные лица в течение тридцати дней со дня опубликования настоящего сообщения могут ознакомиться с поступившим ходатайством об установлении публичного сервитута и прилагаемым к нему описанием местоположения границ публичного сервитута по адресу: г. Благовещенск, ул. Ленина, 133, в рабочие дни с 09-00 до 18-00 (обеденный перерыв с 13-00 до 14-00), тел. 7(4162) 233-873 (официальный сайт администрации города Благовещенска – www.admblag.ru).
Сообщение о возможном установлении публичного сервитута
В соответствии с п. 3 ст. 39.42 Земельного кодекса Российской Федерации администрация города Благовещенска информирует о рассмотрении ходатайства ООО «АКС» об установлении публичного сервитута для размещения электрических сетей в отношении земель, расположенных в кадастровых кварталах 28:01:010257, 28:01:120001.
Графическое описание местоположения границ публичного сервитута:

Заинтересованные лица в течение пятнадцати дней со дня опубликования настоящего сообщения могут ознакомиться с поступившим ходатайством об установлении публичного сервитута и прилагаемым к нему описанием местоположения границ публичного сервитута по адресу: г. Благовещенск, ул. Ленина, 133, в рабочие дни с 09-00 до 18-00, по телефону: 7(4162)233-873 (обеденный перерыв с 13-00 до 14-00) (официальный сайт администрации города Благовещенска – www.admblag.ru).
Правообладатели земельных участков, если их права не зарегистрированы в Едином государственном реестре недвижимости, в течение тридцати дней со дня опубликования настоящего сообщения могут подать заявление об учете их прав (обременений прав) на земельный участок с приложением копий документов, подтверждающих эти права (обременения прав), с указанием почтового адреса и (или) адреса электронной почты.
Сообщение о возможном установлении публичного сервитута
В соответствии с п. 3 ст. 39.42 Земельного кодекса Российской Федерации администрация города Благовещенска информирует о рассмотрении ходатайства ООО «АКС» об установлении публичного сервитута для размещения электрических сетей в отношении земельных участков с кадастровыми номерами:
- 28:01:020800:116, расположенного в квартале 800;
- 28:01: 020800:105, расположенного по ул. Строителей, д. д. 68, 66, в квартале 800.
Графическое описание местоположения границ публичного сервитута:
Графическое описание местоположения границ публичного сервитута:

Заинтересованные лица в течение пятнадцати дней со дня опубликования настоящего сообщения могут ознакомиться с поступившим ходатайством об установлении публичного сервитута и прилагаемым к нему описанием местоположения границ публичного сервитута по адресу: г. Благовещенск, ул. Ленина, 133, в рабочие дни с 09-00 до 18-00, по телефону: 7(4162)233-873 (обеденный перерыв с 13-00 до 14-00) (официальный сайт администрации города Благовещенска – www.admblag.ru).
Правообладатели земельных участков, если их права не зарегистрированы в Едином государственном реестре недвижимости, в течение тридцати дней со дня опубликования настоящего сообщения могут подать заявление об учете их прав (обременений прав) на земельный участок с приложением копий документов, подтверждающих эти права (обременения прав), с указанием почтового адреса и (или) адреса электронной почты.
Сообщение о возможном установлении публичного сервитута
В соответствии с п. 3 ст. 39.42 Земельного кодекса Российской Федерации администрация города Благовещенска информирует о рассмотрении ходатайства АО «ДРСК» об установлении публичного сервитута для размещения ВЛ-10 ПС Кирпичная ф-1, ТП 10/0,4 г. Благовещенск № 19-9, КТПН 10/0,4 кВ 25 кВА № 16-17 (8 км. Новотроицкого шоссе) в отношении:
1) земельных участков с кадастровыми номерами:
- 28:01:020004:232, расположенного в СПУ-5;
- 28:01:020004:254, расположенного в СПУ-5;
- 28:01:000000:2956, расположенного в СПУ-5, СПУ-6;
- 28:01:000000:425, расположенного в СПУ-6;
- 28:01:170160:2, расположенного на 6 км Новотроицкого шоссе, литер А, в СПУ-6;
- 28:01:170160:239, расположенного в СПУ-6;
2) земель, расположенных в кадастровых кварталах: 28:01:020004, 28:01:170160.
Графическое описание местоположения границ публичного сервитута:
Заинтересованные лица в течение пятнадцати дней со дня опубликования настоящего сообщения могут ознакомиться с поступившим ходатайством об установлении публичного сервитута и прилагаемым к нему описанием местоположения границ публичного сервитута по адресу: г. Благовещенск, ул. Ленина, 133, в рабочие дни с 09-00 до 18-00, по телефону: 7(4162)233-874 (обеденный перерыв с 13-00 до 14-00) (официальный сайт администрации города Благовещенска – www.admblag.ru).
Правообладатели земельных участков, если их права не зарегистрированы в Едином государственном реестре недвижимости, в течение пятнадцати дней со дня опубликования настоящего сообщения могут подать заявление об учете их прав (обременений прав) на земельный участок с приложением копий документов, подтверждающих эти права (обременения прав), с указанием почтового адреса и (или) адреса электронной почты.
Сообщение о возможном установлении публичного сервитута
В соответствии с п. 3 ст. 39.42 Земельного кодекса Российской Федерации администрация города Благовещенска информирует о рассмотрении ходатайства АО «ДРСК» об установлении публичного сервитута для размещения ВЛ-10 кВ ф-8 ПС Моховая, ВЛ-10 кВ г. Благовещенск отпайка от ф-8 Моховая на ТП 12-16 в отношении:
1. Земельных участков с кадастровыми номерами:
- 28:01:040002:60, расположенного в п. Моховая Падь, в квартале МП-9;
- 28:01:040002:581, расположенного в п. Моховая Падь, в квартале МП-9;
- 28:01:000000:265, расположенного в г. Благовещенск;
- 28:01:000000:154, расположенного в г. Благовещенск;
- 28:01:000000:341, расположенного в п. Моховая Падь, в квартале МП-6;
- 28:01:040002:4, расположенного в п. Моховая Падь, по ул. Завокзальная, д. 5;
- 28:01:170117:6, расположенного в районе коллективных садов;
- 28:01:040002:1444, расположенного в п. Моховая Падь, в квартале МП-9;
- 28:01:050007:76, расположенного в п. Моховая Падь, в квартале МП-7;
- 28:01:050007:75, расположенного в п. Моховая Падь, в квартале МП-7;
- 28:01:050007:73, расположенного в п. Моховая Падь, в квартале МП-7;
- 28:01:00000:342, расположенного в п. Моховая Падь, в квартале МП-9;
- 28:01:170117:36, расположенного в районе коллективных садов.
2. Земель, расположенных в кадастровых кварталах: 28:01:040002, 28:01:120001, 28:01:170020, 28:01:170117, 28:01:170122, 28:01:170169, 28:01:170171, 28:01:050006, 28:01:090023, 28:01:090027.
Графическое описание местоположения границ публичного сервитута:
Заинтересованные лица в течение пятнадцати дней со дня опубликования настоящего сообщения могут ознакомиться с поступившим ходатайством об установлении публичного сервитута и прилагаемым к нему описанием местоположения границ публичного сервитута по адресу: г. Благовещенск, ул. Ленина, 133, в рабочие дни с 09-00 до 18-00, по телефону: 7(4162)233-872 (обеденный перерыв с 13-00 до 14-00) (официальный сайт администрации города Благовещенска – www.admblag.ru).
Правообладатели земельных участков, если их права не зарегистрированы в Едином государственном реестре недвижимости, в течение пятнадцати дней со дня опубликования настоящего сообщения могут подать заявление об учете их прав (обременений прав) на земельный участок с приложением копий документов, подтверждающих эти права (обременения прав), с указанием почтового адреса и (или) адреса электронной почты.
Сообщение о возможном установлении публичного сервитута
В соответствии с п. 3 ст. 39.42 Земельного кодекса Российской Федерации администрация города Благовещенска информирует о рассмотрении ходатайства ООО «АКС» об установлении публичного сервитута для размещения тепловых сетей в отношении:
1) частей земельных участков с кадастровыми номерами:
- 28:01:020400:744, расположенного в квартале 400;
- 28:01:020400:666, расположенного в квартале 400;
- 28:01:020400:171, расположенного в квартале 400;
2) земель, расположенных в кадастровых кварталах 28:01:020400, 28:01:020408.
Графическое описание местоположения границ публичного сервитута:
.jpg)
Заинтересованные лица в течение тридцати дней со дня опубликования настоящего сообщения могут ознакомиться с поступившим ходатайством об установлении публичного сервитута и прилагаемым к нему описанием местоположения границ публичного сервитута по адресу: г. Благовещенск, ул. Ленина, 133, в рабочие дни с 09-00 до 18-00 (обеденный перерыв с 13-00 до 14-00), телефон 8(4162)233-876 (официальный сайт администрации города Благовещенска – www.admblag.ru).
Правообладатели земельных участков, если их права не зарегистрированы в Едином государственном реестре недвижимости, в течение тридцати дней со дня опубликования настоящего сообщения могут подать заявление об учете их прав (обременений прав) на земельный участок с приложением копий документов, подтверждающих эти права (обременения прав), с указанием почтового адреса и (или) адреса электронной почты.
Сообщение о возможном установлении публичного сервитута
В соответствии с п. 3 ст. 39.42 Земельного кодекса Российской Федерации администрация города Благовещенска информирует о рассмотрении ходатайства ООО «АКС» об установлении публичного сервитута для размещения тепловых сетей в отношении:
1) частей земельных участков с кадастровыми номерами:
- 28:01:130050:354, расположенного в квартале 50
- 28:01:000000:442, расположенного в г. Благовещенске
- 28:01:000000:176, расположенного в г. Благовещенске
2) земель, расположенных в кадастровых кварталах 28:01:130050, 28:01:130051, 28:01:130055, 28:01:0130054, 28:01:130049, 28:01:130053.
Графическое описание местоположения границ публичного сервитута:
.jpg)
Заинтересованные лица в течение тридцати дней со дня опубликования настоящего сообщения могут ознакомиться с поступившим ходатайством об установлении публичного сервитута и прилагаемым к нему описанием местоположения границ публичного сервитута по адресу: г. Благовещенск, ул. Ленина, 133, в рабочие дни с 09-00 до 18-00 (обеденный перерыв с 13-00 до 14-00), телефон 8(4162)233-876 (официальный сайт администрации города Благовещенска – www.admblag.ru).
Правообладатели земельных участков, если их права не зарегистрированы в Едином государственном реестре недвижимости, в течение тридцати дней со дня опубликования настоящего сообщения могут подать заявление об учете их прав (обременений прав) на земельный участок с приложением копий документов, подтверждающих эти права (обременения прав), с указанием почтового адреса и (или) адреса электронной почты.
Сообщение о возможном установлении публичного сервитута
В соответствии с п. 3 ст. 39.42 Земельного кодекса Российской Федерации администрация города Благовещенска информирует о рассмотрении ходатайства ООО «АКС» об установлении публичного сервитута для размещения тепловых сетей в отношении:
1) частей земельных участков с кадастровыми номерами:
- 28:01:020401:3, расположенного в квартале 401;
- 28:01:020401:2529, расположенного в квартале 401;
2) земель, расположенных в кадастровом квартале 28:01:020401.
Графическое описание местоположения границ публичного сервитута:
.jpg)
Заинтересованные лица в течение тридцати дней со дня опубликования настоящего сообщения могут ознакомиться с поступившим ходатайством об установлении публичного сервитута и прилагаемым к нему описанием местоположения границ публичного сервитута по адресу: г. Благовещенск, ул. Ленина, 133, в рабочие дни с 09-00 до 18-00 (обеденный перерыв с 13-00 до 14-00), телефон 8(4162)233-876 (официальный сайт администрации города Благовещенска – www.admblag.ru).
Правообладатели земельных участков, если их права не зарегистрированы в Едином государственном реестре недвижимости, в течение тридцати дней со дня опубликования настоящего сообщения могут подать заявление об учете их прав (обременений прав) на земельный участок с приложением копий документов, подтверждающих эти права (обременения прав), с указанием почтового адреса и (или) адреса электронной почты.
Сообщение о возможном установлении публичного сервитута
В соответствии с п. 3 ст. 39.42 Земельного кодекса Российской Федерации администрация города Благовещенска информирует о рассмотрении ходатайства ООО «АКС» об установлении публичного сервитута для размещения тепловых сетей в отношении:
1) земельных участков с кадастровыми номерами:
- 28:01:000000:2141, расположенного в Благовещенске;
- 28:01:130076:10, расположенного по ул. Фрунзе, д. 58, в квартале 76;
- 28:01:000000:251, расположенного в Благовещенске;
- 28:01:130076:12, расположенного по ул. Пушкина, д. 6, в квартале 76;
- 28:01:000000:3070, расположенного в Благовещенске.
2) земель, расположенных в кадастровом квартале 28:01:130076, 28:01:130083, 28:01:130074.
Графическое описание местоположения границ публичного сервитута:
.png)
Заинтересованные лица в течение пятнадцати дней со дня опубликования настоящего сообщения могут ознакомиться с поступившим ходатайством об установлении публичного сервитута и прилагаемым к нему описанием местоположения границ публичного сервитута по адресу: г. Благовещенск, ул. Ленина, 133, в рабочие дни с 09-00 до 18-00, по телефону: 7(4162)233-873 (обеденный перерыв с 13-00 до 14-00) (официальный сайт администрации города Благовещенска – www.admblag.ru).
Правообладатели земельных участков, если их права не зарегистрированы в Едином государственном реестре недвижимости, в течение тридцати дней со дня опубликования настоящего сообщения могут подать заявление об учете их прав (обременений прав) на земельный участок с приложением копий документов, подтверждающих эти права (обременения прав), с указанием почтового адреса и (или) адреса электронной почты.
Сообщение о возможном установлении публичного сервитута
В соответствии с п. 3 ст. 39.42 Земельного кодекса Российской Федерации администрация города Благовещенска информирует о рассмотрении ходатайства ООО «АКС» об установлении публичного сервитута для размещения тепловых сетей в отношении:
1) земельных участков с кадастровыми номерами:
- 28:01:000000:2900, расположенного в Благовещенске;
- 28:01:130054:84, расположенного по ул. Зейская, д. 135, в квартале 54;
- 28:01:000000:176, расположенного в Благовещенске;
- 28:01:000000:10462, расположенного в Благовещенске;
2) земель, расположенных в кадастровых кварталов: 28:01:130055, 28:01:130059, 28:01:130054, 28:01:130058, 28:01:130053, 28:01:130057
Графическое описание местоположения границ публичного сервитута:
.png)
Заинтересованные лица в течение пятнадцати дней со дня опубликования настоящего сообщения могут ознакомиться с поступившим ходатайством об установлении публичного сервитута и прилагаемым к нему описанием местоположения границ публичного сервитута по адресу: г. Благовещенск, ул. Ленина, 133, в рабочие дни с 09-00 до 18-00, по телефону: 7(4162)233-873 (обеденный перерыв с 13-00 до 14-00) (официальный сайт администрации города Благовещенска – www.admblag.ru).
Правообладатели земельных участков, если их права не зарегистрированы в Едином государственном реестре недвижимости, в течение тридцати дней со дня опубликования настоящего сообщения могут подать заявление об учете их прав (обременений прав) на земельный участок с приложением копий документов, подтверждающих эти права (обременения прав), с указанием почтового адреса и (или) адреса электронной почты.
Сообщение о возможном установлении публичного сервитута
В соответствии с п. 3 ст. 39.42 Земельного кодекса Российской Федерации администрация города Благовещенска информирует о рассмотрении ходатайства ООО «АКС» об установлении публичного сервитута для размещения тепловых сетей в отношении:
1) земельных участков с кадастровыми номерами:
- 28:01:000000:349, расположенного в Благовещенске;
- 28:01:020407:24, расположенного по ул. Студенческая, д. 45, в квартале 407;
2) земель, расположенных в кадастровом квартале 28:01:020407.
Графическое описание местоположения границ публичного сервитута:
.png)
Заинтересованные лица в течение пятнадцати дней со дня опубликования настоящего сообщения могут ознакомиться с поступившим ходатайством об установлении публичного сервитута и прилагаемым к нему описанием местоположения границ публичного сервитута по адресу: г. Благовещенск, ул. Ленина, 133, в рабочие дни с 09-00 до 18-00, по телефону: 7(4162)233-873 (обеденный перерыв с 13-00 до 14-00) (официальный сайт администрации города Благовещенска – www.admblag.ru).
Правообладатели земельных участков, если их права не зарегистрированы в Едином государственном реестре недвижимости, в течение тридцати дней со дня опубликования настоящего сообщения могут подать заявление об учете их прав (обременений прав) на земельный участок с приложением копий документов, подтверждающих эти права (обременения прав), с указанием почтового адреса и (или) адреса электронной почты.
Сообщение о возможном установлении публичного сервитута
В соответствии с п. 3 ст. 39.42 Земельного кодекса Российской Федерации администрация города Благовещенска информирует о рассмотрении ходатайства ООО «АКС» об установлении публичного сервитута для размещения тепловых сетей в отношении земель, расположенных в кадастровых кварталах: 28:01:010325, 28:01:010327, 28:01:010229, 28:01:010236, 28:01:010228, 28:01:010235, 28:01:010227, 28:01:010234, 28:01:010226, 28:01:010233, 28:01:010225, 28:01:010232.
Графическое описание местоположения границ публичного сервитута:

Заинтересованные лица в течение пятнадцати дней со дня опубликования настоящего сообщения могут ознакомиться с поступившим ходатайством об установлении публичного сервитута и прилагаемым к нему описанием местоположения границ публичного сервитута по адресу: г. Благовещенск, ул. Ленина, 133, в рабочие дни с 09-00 до 18-00, по телефону: 7(4162)233-873 (обеденный перерыв с 13-00 до 14-00) (официальный сайт администрации города Благовещенска – www.admblag.ru).
Правообладатели земельных участков, если их права не зарегистрированы в Едином государственном реестре недвижимости, в течение тридцати дней со дня опубликования настоящего сообщения могут подать заявление об учете их прав (обременений прав) на земельный участок с приложением копий документов, подтверждающих эти права (обременения прав), с указанием почтового адреса и (или) адреса электронной почты.
Сообщение о возможном установлении публичного сервитута
В соответствии с п. 3 ст. 39.42 Земельного кодекса Российской Федерации администрация города Благовещенска информирует о рассмотрении ходатайства ООО «АКС» об установлении публичного сервитута для размещения электрических сетей в отношении земельных участков с кадастровыми номерами:
- 28:01:000000:3070, расположенного в Благовещенске;
- 28:01:130060:37, расположенного по ул. Краснофлотская, д. 83, в квартале 60;
- 28:01:130060:6, расположенного по ул. Театральная, д. 1, в квартале 60;
- 28:01:000000:10115, расположенного в квартале 404;
- 28:01:000000:10117, расположенного в Благовещенске;
- 28:01:000000:10462, расположенного в Благовещенске;
- 28:01:000000:2141, расположенного в Благовещенске.
Графическое описание местоположения границ публичного сервитута:

Заинтересованные лица в течение пятнадцати дней со дня опубликования настоящего сообщения могут ознакомиться с поступившим ходатайством об установлении публичного сервитута и прилагаемым к нему описанием местоположения границ публичного сервитута по адресу: г. Благовещенск, ул. Ленина, 133, в рабочие дни с 09-00 до 18-00, по телефону: 7(4162)233-872 (обеденный перерыв с 13-00 до 14-00) (официальный сайт администрации города Благовещенска – www.благовещенск.рф).
Сообщение о возможном установлении публичного сервитута
Министерством имущественных отношений Амурской области рассматривается ходатайство об установлении публичного сервитута в целях строительства и дальнейшей эксплуатации линейного объекта системы газоснабжения и его неотъемлемых технологических частей «Газопровод межпоселковый к г. Благовещенск, с. Чигири, с. Верхнеблаговещенское Амурской области (2 этап – с. Чигири до с. Верхнеблаговещенское)» в отношении земельных участков с кадастровыми номерами:
| Кадастровый номер | Адрес или иное описание местоположения земельного участка (участков), в отношении которого испрашивается публичный сервитут |
| 28:01:110060:4 | Амурская область, г. Благовещенск, район с/т ветераны войны и труда «Ветеран»; |
| 28:01:110060:17 | Амурская область, г. Благовещенск, район Лазаретной пади, с/т «Ветеран»; |
| 28:01:110060:24 | Амурская область, г. Благовещенск, район Лазаретной пади, с/т «Ветеран». |
Размещение линейного объекта «Газопровод межпоселковый к г. Благовещенск, с. Чигири, с. Верхнеблаговещенское Амурской области (2 этап – с. Чигири до с. Верхнеблаговещенское)» предусмотрено Схемой территориального планирования Амурской области, утвержденной постановлением Правительства Амурской области от 30.12.2011 № 985, проектом планировки и проектом межевания территории, утвержденным приказом министерства жилищно – коммунального хозяйства Амурской области от 19.05.2022 № 241-од «Об утверждении документации по планировке территории в целях размещения линейного объекта «Газопровод межпоселковый к г. Благовещенск, с. Чигири, с. Верхнеблаговещенское Амурской области (2 этап – с. Чигири до с. Верхнеблаговещенское)» (размещенной на сайте www.fgistp.economy.gov.ru). Заинтересованные лица в течение пятнадцати дней со дня опубликования настоящего сообщения могут ознакомиться с поступившим ходатайством об установлении публичного сервитута и прилагаемым к нему описанием местоположения границ публичного сервитута на сайте министерства имущественных отношений Амурской области - https://mail@mio.amurobl.ru в разделе «Земельные отношения». Правообладатели земельных участков, если их права не зарегистрированы в Едином государственном реестре недвижимости, в течение пятнадцати дней со дня опубликования настоящего сообщения могут подать заявление об учете их прав (обременений прав) на земельный участок с приложением копий документов, подтверждающих эти права (обременения прав), с указанием почтового адреса и (или) адреса электронной почты. Официальные сайты в информационно-телекоммуникационной сети «Интернет», на которых размещается сообщение о поступившем ходатайстве об установлении публичного сервитута: - официальный сайт министерства имущественных отношений Амурской области - https://mail@mio.amurobl.ru; - официальный сайт администрации города Благовещенска https://www. admblag.ru.
Ходатайство и описание местоположение границ
Сообщение о возможном установлении публичного сервитута
Министерством имущественных отношений Амурской области рассматривается ходатайство об установлении публичного сервитута в целях строительства и дальнейшей эксплуатации линейного объекта системы газоснабжения и его неотъемлемых технологических частей «Газопровод межпоселковый к г. Благовещенск, с. Чигири, с. Верхнеблаговещенское Амурской области (1 этап – от ГРС Благовещенск до г. Благовещенск, с. Чигири)» в отношении земельных участков с кадастровыми номерами:
| Кадастровый номер | Адрес или иное описание местоположения земельного участка (участков), в отношении которого испрашивается публичный сервитут |
| 28:01:110067:4 | Амурская область, г. Благовещенск, с/т «Торговля», Горпромторга, район Лазаретной пади; |
| 28:01:110067:25 | Амурская область, г. Благовещенск, с/т «Торговля», Горпромторга, район Лазаретной пади. |
Размещение линейного объекта «Газопровод межпоселковый к г. Благовещенск, с. Чигири, с. Верхнеблаговещенское Амурской области (1 этап – от ГРС Благовещенск до г. Благовещенск, с. Чигири)» предусмотрено Схемой территориального планирования Амурской области, утвержденной постановлением Правительства Амурской области от 30.12.2011 № 985, проектом планировки и проектом межевания территории, утвержденным приказом министерства жилищно – коммунального хозяйства Амурской области от 29.07.2022 № 353-од «Об утверждении документации по планировке территории в целях размещения линейного объекта «Газопровод межпоселковый к г. Благовещенск, с. Чигири, с. Верхнеблаговещенское Амурской области (1 этап – от ГРС Благовещенск до г. Благовещенск, с. Чигири)» (в редакции от 01.12.2022 № 550-од) (размещенной на сайте www.fgistp.economy.gov.ru). Заинтересованные лица в течение пятнадцати дней со дня опубликования настоящего сообщения могут ознакомиться с поступившим ходатайством об установлении публичного сервитута и прилагаемым к нему описанием местоположения границ публичного сервитута на сайте министерства имущественных отношений Амурской области https://mail@mio.amurobl.ru в разделе «Земельные отношения». Правообладатели земельных участков, если их права не зарегистрированы в Едином государственном реестре недвижимости, в течение пятнадцати дней со дня опубликования настоящего сообщения могут подать заявление об учете их прав (обременений прав) на земельный участок с приложением копий документов, подтверждающих эти права (обременения прав), с указанием почтового адреса и (или) адреса электронной почты. Официальные сайты в информационно-телекоммуникационной сети «Интернет», на которых размещается сообщение о поступившем ходатайстве об установлении публичного сервитута: - официальный сайт министерства имущественных отношений Амурской области - https://mail@mio.amurobl.ru; - официальный сайт администрации города Благовещенска https://www. admblag.ru.
Ходатайство и описание местоположение границ
Сообщение о возможном установлении публичного сервитута
В соответствии с п. 3 ст. 39.42 Земельного кодекса Российской Федерации администрация города Благовещенска информирует о рассмотрении ходатайства АО «ДРСК» об установлении публичного сервитута для размещения ВЛ-10 кВ в отношении части земельного участка с кадастровым номером 28:01:060010:1237, расположенного в п. Аэропорт, в квартале А-1.
Графическое описание местоположения границ публичного сервитута:

Заинтересованные лица в течение пятнадцати дней со дня опубликования настоящего сообщения могут ознакомиться с поступившим ходатайством об установлении публичного сервитута и прилагаемым к нему описанием местоположения границ публичного сервитута по адресу: г. Благовещенск, ул. Ленина, 133, в рабочие дни с 09-00 до 18-00, по телефону: 7(4162)233-872 (обеденный перерыв с 13-00 до 14-00) (официальный сайт администрации города Благовещенска – www.admblag.ru).
Сообщение о возможном установлении публичного сервитута
В соответствии с п. 3 ст. 39.42 Земельного кодекса Российской Федерации администрация города Благовещенска информирует о рассмотрении ходатайства ОАО «Амургаз» об установлении публичного сервитута для размещения групповой резервуарной установки (ГРУ) в отношении:
1. Части земельного участка с кадастровым номером 28:01:130085:32, расположенного по ул. Ленина, 28/2, в квартале 85.
2. Земель, расположенных в кадастровом квартале 28:01:130085.
Графическое описание местоположения границ публичного сервитута:

Заинтересованные лица в течение пятнадцати дней со дня опубликования настоящего сообщения могут ознакомиться с поступившим ходатайством об установлении публичного сервитута и прилагаемым к нему описанием местоположения границ публичного сервитута по адресу: г. Благовещенск, ул. Ленина, 133, в рабочие дни с 09-00 до 18-00, по телефону: 7(4162)233-872 (обеденный перерыв с 13-00 до 14-00) (официальный сайт администрации города Благовещенска – www.admblag.ru).
Правообладатели земельных участков, если их права не зарегистрированы в Едином государственном реестре недвижимости, в течение тридцати дней со дня опубликования настоящего сообщения могут подать заявление об учете их прав (обременений прав) на земельный участок с приложением копий документов, подтверждающих эти права (обременения прав), с указанием почтового адреса и (или) адреса электронной почты.
Сообщение о возможном установлении публичного сервитута
В соответствии с п. 3 ст. 39.42 Земельного кодекса Российской Федерации администрация города Благовещенска информирует о рассмотрении ходатайства ООО «АКС» об установлении публичного сервитута для размещения электрических сетей в отношении земельного участка с кадастровым номером 28:01:010093:22, расположенного по ул. Амурская, д. 25, в квартале 93
Графическое описание местоположения границ публичного сервитута:

Заинтересованные лица в течение тридцати дней со дня опубликования настоящего сообщения могут ознакомиться с поступившим ходатайством об установлении публичного сервитута и прилагаемым к нему описанием местоположения границ публичного сервитута по адресу: г. Благовещенск, ул. Ленина, 133, в рабочие дни с 09-00 до 18-00 (обеденный перерыв с 13-00 до 14-00), телефон 8(4162)233-876 (официальный сайт администрации города Благовещенска – www.admblag.ru).
Сообщение о возможном установлении публичного сервитута
В соответствии с п. 3 ст. 39.42 Земельного кодекса Российской Федерации администрация города Благовещенска информирует о рассмотрении ходатайства ООО «АКС» об установлении публичного сервитута для размещения сети водоотведения в отношении:
1) земельного участка с кадастровым номером 28:01:130034:879, расположенного по ул. Б. Хмельницкого, д. 13, в квартале 34;
2) земель, расположенных в кадастровых кварталах 28:01:130034, 28:01:130028
Графическое описание местоположения границ публичного сервитута:

Заинтересованные лица в течение пятнадцати дней со дня опубликования настоящего сообщения могут ознакомиться с поступившим ходатайством об установлении публичного сервитута и прилагаемым к нему описанием местоположения границ публичного сервитута по адресу: г. Благовещенск, ул. Ленина, 133, в рабочие дни с 09-00 до 18-00, по телефону: 7(4162)233-874 (обеденный перерыв с 13-00 до 14-00) (официальный сайт администрации города Благовещенска – www.admblag.ru).
Правообладатели земельных участков, если их права не зарегистрированы в Едином государственном реестре недвижимости, в течение тридцати дней со дня опубликования настоящего сообщения могут подать заявление об учете их прав (обременений прав) на земельный участок с приложением копий документов, подтверждающих эти права (обременения прав), с указанием почтового адреса и (или) адреса электронной почты.
Сообщение о возможном установлении публичного сервитута
В соответствии с п. 3 ст. 39.42 Земельного кодекса Российской Федерации администрация города Благовещенска информирует о рассмотрении ходатайства ООО «АКС» об установлении публичного сервитута для размещения электрических сетей в отношении части земельного участка с кадастровым номером 28:01:010017:147, расположенного по ул. Мухина, 53/3, в квартале 17.
Графическое описание местоположения границ публичного сервитута:

Заинтересованные лица в течение пятнадцати дней со дня опубликования настоящего сообщения могут ознакомиться с поступившим ходатайством об установлении публичного сервитута и прилагаемым к нему описанием местоположения границ публичного сервитута по адресу: г. Благовещенск, ул. Ленина, 133, в рабочие дни с 09-00 до 18-00, по телефону: 7(4162)233-872 (обеденный перерыв с 13-00 до 14-00) (официальный сайт администрации города Благовещенска – www.admblag.ru).
Сообщение о возможном установлении публичного сервитута
В соответствии с п. 3 ст. 39.42 Земельного кодекса Российской Федерации администрация города Благовещенска информирует о рассмотрении ходатайства ООО «АКС» об установлении публичного сервитута для размещения электрических сетей в отношении:
1) частей земельных участков с кадастровыми номерами:
- 28:01:130036:167, расположенного по ул. Пионерская, 2, в квартале 36;
- 28:01:130036:166, расположенного по ул. Пионерская, 4, в квартале 36;
- 28:01:000000:10462, расположенного в г. Благовещенске;
- 28:01:000000:2901, расположенного в г. Благовещенске;
- 28:01:130056:2, расположенного по ул. Кузнечная, 1, в квартале 56;
2) земель, расположенных в кадастровом квартале 28:01:130036
Графическое описание местоположения границ публичного сервитута:

Заинтересованные лица в течение пятнадцати дней со дня опубликования настоящего сообщения могут ознакомиться с поступившим ходатайством об установлении публичного сервитута и прилагаемым к нему описанием местоположения границ публичного сервитута по адресу: г. Благовещенск, ул. Ленина, 133, в рабочие дни с 09-00 до 18-00, по телефону: 7(4162)233-874 (обеденный перерыв с 13-00 до 14-00) (официальный сайт администрации города Благовещенска – www.admblag.ru).
Правообладатели земельных участков, если их права не зарегистрированы в Едином государственном реестре недвижимости, в течение тридцати дней со дня опубликования настоящего сообщения могут подать заявление об учете их прав (обременений прав) на земельный участок с приложением копий документов, подтверждающих эти права (обременения прав), с указанием почтового адреса и (или) адреса электронной почты.
Сообщение о возможном установлении публичного сервитута
В соответствии с п. 3 ст. 39.42 Земельного кодекса Российской Федерации администрация города Благовещенска информирует о рассмотрении ходатайства ООО «АКС» об установлении публичного сервитута для размещения сетей холодного водоснабжения в отношении частей земельных участков, расположенных в г. Благовещенске, с кадастровыми номерами:
- 28:01:000000:10117;
- 28:01:000000:12063.
Графическое описание местоположения границ публичного сервитута:

Заинтересованные лица в течение пятнадцати дней со дня опубликования настоящего сообщения могут ознакомиться с поступившим ходатайством об установлении публичного сервитута и прилагаемым к нему описанием местоположения границ публичного сервитута по адресу: г. Благовещенск, ул. Ленина, 133, в рабочие дни с 09-00 до 18-00, по телефону: 7(4162)233-872 (обеденный перерыв с 13-00 до 14-00) (официальный сайт администрации города Благовещенска – www.благовещенск.рф).
Сообщение о возможном установлении публичного сервитута
Министерством имущественных отношений Амурской области рассматривается ходатайство об установлении публичного сервитута в целях строительства и дальнейшей эксплуатации линейного объекта системы газоснабжения и его неотъемлемых технологических частей «Газопровод межпоселковый к г. Благовещенск, с. Чигири, с. Верхнеблаговещенское Амурской области (2 этап – с. Чигири до с. Верхнеблаговещенское)» в отношении земельных участков с кадастровыми номерами:
Размещение линейного объекта «Газопровод межпоселковый к г. Благовещенск, с. Чигири, с. Верхнеблаговещенское Амурской области (2 этап – с. Чигири до с. Верхнеблаговещенское)» предусмотрено Схемой территориального планирования Амурской области, утвержденной постановлением Правительства Амурской области от 30.12.2011 № 985, проектом планировки и проектом межевания территории, утвержденным приказом министерства жилищно – коммунального хозяйства Амурской области от 19.05.2022 № 241-од «Об утверждении документации по планировке территории в целях размещения линейного объекта «Газопровод межпоселковый к г. Благовещенск, с. Чигири, с. Верхнеблаговещенское Амурской области (2 этап – с. Чигири до с. Верхнеблаговещенское)» (размещенной на сайте www.fgistp.economy.gov.ru).
Заинтересованные лица в течение пятнадцати дней со дня опубликования настоящего сообщения могут ознакомиться с поступившим ходатайством об установлении публичного сервитута и прилагаемым к нему описанием местоположения границ публичного сервитута на сайте министерства имущественных отношений Амурской области - https://mail@mio.amurobl.ru в разделе «Земельные отношения».
Правообладатели земельных участков, если их права не зарегистрированы в Едином государственном реестре недвижимости, в течение пятнадцати дней со дня опубликования настоящего сообщения могут подать заявление об учете их прав (обременений прав) на земельный участок с приложением копий документов, подтверждающих эти права (обременения прав), с указанием почтового адреса и (или) адреса электронной почты.
Официальные сайты в информационно-телекоммуникационной сети «Интернет», на которых размещается сообщение о поступившем ходатайстве об установлении публичного сервитута:
- официальный сайт министерства имущественных отношений Амурской области - https://mail@mio.amurobl.ru;
- официальный сайт администрации города Благовещенска https://www.admblag.ru
Сообщение о возможном установлении публичного сервитута
В соответствии с п. 3 ст. 39.42 Земельного кодекса Российской Федерации администрация города Благовещенска информирует о рассмотрении ходатайства ООО «АКС» об установлении публичного сервитута для размещения сетей холодного водоснабжения в отношении земельных участков с кадастровыми номерами:
- 28:01:020800:803, расположенного по ул. Муравьева-Амурского, д. 25, в квартале 800
- 28:01:020800:954, расположенного в квартале 800.
Графическое описание местоположения границ публичного сервитута:

Заинтересованные лица в течение тридцати дней со дня опубликования настоящего сообщения могут ознакомиться с поступившим ходатайством об установлении публичного сервитута и прилагаемым к нему описанием местоположения границ публичного сервитута по адресу: г. Благовещенск, ул. Ленина, 133, в рабочие дни с 09-00 до 18-00 (обеденный перерыв с 13-00 до 14-00), телефон 8(4162)233-876 (официальный сайт администрации города Благовещенска – www.admblag.ru).
Сообщение о возможном установлении публичного сервитута
В соответствии с п. 3 ст. 39.42 Земельного кодекса Российской Федерации администрация города Благовещенска информирует о рассмотрении ходатайства ООО «АКС» об установлении публичного сервитута для размещения электрических сетей в отношении частей земельных участков с кадастровыми номерами:
- 28:01:010165:504, расположенного по ул. Шевченко, д. 86, в квартале 165;
- 28:01:010167:447, расположенного по ул. Свободная, д. 197, в квартале 167.
Графическое описание местоположения границ публичного сервитута:
Заинтересованные лица в течение пятнадцати дней со дня опубликования настоящего сообщения могут ознакомиться с поступившим ходатайством об установлении публичного сервитута и прилагаемым к нему описанием местоположения границ публичного сервитута по адресу: г. Благовещенск, ул. Ленина, 133, в рабочие дни с 09-00 до 18-00, по телефону: 7(4162)233-873 (обеденный перерыв с 13-00 до 14-00) (официальный сайт администрации города Благовещенска – www.благовещенск.рф).
Сообщение о возможном установлении публичного сервитута
В соответствии с п. 3 ст. 39.42 Земельного кодекса Российской Федерации администрация города Благовещенска информирует о рассмотрении ходатайства ООО «АКС» об установлении публичного сервитута для размещения электрических сетей в отношении:
1) земельных участков с кадастровыми номерами:
- 28:01:020404:2, расположенного по ул. Воронкова, д. 28, в квартале 404;
- 28:01:020404:1330, расположенного в квартале 404;
- 28:01:020404:1077, расположенного в квартале 404;
2) земель, расположенных в кадастровом квартале 28:01:020404.
Графическое описание местоположения границ публичного сервитута:
Заинтересованные лица в течение пятнадцати дней со дня опубликования настоящего сообщения могут ознакомиться с поступившим ходатайством об установлении публичного сервитута и прилагаемым к нему описанием местоположения границ публичного сервитута по адресу: г. Благовещенск, ул. Ленина, 133, в рабочие дни с 09-00 до 18-00, по телефону: 7(4162)233-873 (обеденный перерыв с 13-00 до 14-00) (официальный сайт администрации города Благовещенска – www.благовещенск.рф).
Сообщение о возможном установлении публичного сервитута
В соответствии с п. 3 ст. 39.42 Земельного кодекса Российской Федерации администрация города Благовещенска информирует о рассмотрении ходатайства ООО «АКС» об установлении публичного сервитута для размещения электрических сетей в отношении частей земельных участков с кадастровыми номерами:
- 28:01:130001:6 (единое землепользование), расположенного по ул. Краснофлотская, 150;
- 28:01:130418:23, расположенного по ул. Краснофлотская, 152.
Графическое описание местоположения границ публичного сервитута:
Заинтересованные лица в течение пятнадцати дней со дня опубликования настоящего сообщения могут ознакомиться с поступившим ходатайством об установлении публичного сервитута и прилагаемым к нему описанием местоположения границ публичного сервитута по адресу: г. Благовещенск, ул. Ленина, 133, в рабочие дни с 09-00 до 18-00, по телефону: 7(4162)233-872 (обеденный перерыв с 13-00 до 14-00) (официальный сайт администрации города Благовещенска – www.благовещенск.рф).
Сообщение о возможном установлении публичного сервитута
Министерством имущественных отношений Амурской области рассматривается ходатайство об установлении публичного сервитута в целях складирования строительных и иных материалов, размещения временных или вспомогательных сооружений (включая ограждения, бытовки, навесы) и (или) строительной техники, которые необходимы для обеспечения строительства объектов транспортной инфраструктуры линейного объекта системы газоснабжения и его неотъемлемых технологических частей «Газопровод межпоселковый к г. Благовещенск, с. Чигири, с. Верхнеблаговещенское Амурской области (1 этап – от ГРС Благовещенск до г. Благовещенск, с. Чигири)» в отношении земельных участков.
|
Кадастровый номер |
Адрес или иное описание местоположения земельного
участка (участков), в отношении которого испрашивается публичный сервитут |
|
28:01:000000:391 |
Амурская область, г Благовещенск; |
|
28:01:000000:10678 |
Амурская область, г. Благовещенск, с. Плодопитомник; |
|
в границах
кадастровых кварталов: | |
|
28:01:110276 |
Амурская область, г. Благовещенск; |
|
28:01:110277 |
Амурская область, г. Благовещенск; |
|
|
|
Размещение линейного объекта «Газопровод межпоселковый к г. Благовещенск, с. Чигири, с. Верхнеблаговещенское Амурской области (1 этап – от ГРС Благовещенск до г. Благовещенск, с. Чигири)» предусмотрено Схемой территориального планирования Амурской области, утвержденной постановлением Правительства Амурской области от 30.12.2011 № 985, проектом планировки и проектом межевания территории, утвержденным приказом министерства жилищно – коммунального хозяйства Амурской области от 29.07.2022 № 353-од «Об утверждении документации по планировке территории в целях размещения линейного объекта «Газопровод межпоселковый к г. Благовещенск, с. Чигири,с. Верхнеблаговещенское Амурской области (1 этап – от ГРС Благовещенск до г. Благовещенск, с. Чигири)» (в редакции от 01.12.2022 № 550-од) (размещенной на сайте www.fgistp.economy.gov.ru).
Заинтересованные лица в течение пятнадцати дней со дня опубликования настоящего сообщения могут ознакомиться с поступившим ходатайством об установлении публичного сервитута и прилагаемым к нему описанием местоположения границ публичного сервитута на сайте министерства имущественных отношений Амурской области https://mail@mio.amurobl.ru в разделе «Земельные отношения».
Правообладатели земельных участков, если их права не зарегистрированы в Едином государственном реестре недвижимости, в течение пятнадцати дней со дня опубликования настоящего сообщения могут подать заявление об учете их прав (обременений прав) на земельный участок с приложением копий документов, подтверждающих эти права (обременения прав), с указанием почтового адреса и (или) адреса электронной почты.
Официальные сайты в информационно-телекоммуникационной сети «Интернет», на которых размещается сообщение о поступившем ходатайстве об установлении публичного сервитута:
- официальный сайт министерства имущественных отношений Амурской области - https://mail@mio.amurobl.ru;
- официальный сайт администрации города Благовещенска https://www.admblag.ru.
Графическое описание местоположения границ публичного сервитута

Сообщение о возможном установлении публичного сервитута
Министерством имущественных отношений Амурской области рассматривается ходатайство об установлении публичного сервитута в целях строительства и эксплуатации линейного объекта системы газоснабжения и его неотъемлемых технологических частей «Газопровод межпоселковый к г. Благовещенск, с. Чигири, с. Верхнеблаговещенское Амурской области (1 этап – от ГРС Благовещенск до г. Благовещенск, с. Чигири)» в отношении земельных участков.
|
Кадастровый номер |
Адрес или иное описание
местоположения земельного участка (участков), в отношении которого
испрашивается публичный сервитут |
|
28:01:000000:12902 |
Российская Федерация, Амурская
обл., г. Благовещенск; |
|
28:01:000000:391 |
Амурская область, г Благовещенск; |
|
28:01:110259:184 |
Российская Федерация, городской
округ город Благовещенск,
г. Благовещенск; |
|
28:01:000000:350 |
Амурская область, г Благовещенск,
с. Верхнеблаговещенское; |
|
28:01:000000:2903 |
Амурская обл, г. Благовещенск,
планировочный район "Аэропорт", совхоз "Благовещенский" и
"Тепличный"; |
|
28:01:000000:10678 |
Амурская область, г. Благовещенск,
с. Плодопитомник; |
|
28:01:000000:3698 |
Амурская область, г. Благовещенск; |
|
28:01:020014:41 |
Амурская обл, г Благовещенск; |
|
28:01:000000:11984 |
Амурская область, г Благовещенск; |
|
28:01:110271:151 |
Российская Федерация, городской
округ город Благовещенск, г. Благовещенск; |
|
в границах
кадастровых кварталов: | |
|
28:01:110276 |
Амурская область, г. Благовещенск; |
|
28:01:110067 |
Амурская область, г. Благовещенск; |
|
28:01:110276 |
Амурская область, г. Благовещенск; |
|
28:01:110277 |
Амурская область, г. Благовещенск; |
|
28:01:110270 |
Амурская область, г. Благовещенск; |
|
28:01:110033 |
Амурская область, г. Благовещенск; |
|
28:01:110259 |
Амурская область, г. Благовещенск; |
|
28:01:110077 |
Амурская область, г. Благовещенск; |
|
28:01:100002 |
Амурская область, г. Благовещенск; |
|
28:01:020014 |
Амурская область, г. Благовещенск; |
Размещение линейного объекта «Газопровод межпоселковый к г. Благовещенск, с. Чигири, с. Верхнеблаговещенское Амурской области (1 этап – от ГРС Благовещенск до г. Благовещенск, с. Чигири)» предусмотрено Схемой территориального планирования Амурской области, утвержденной постановлением Правительства Амурской области от 30.12.2011 № 985, проектом планировки и проектом межевания территории, утвержденным приказом министерства жилищно – коммунального хозяйства Амурской области от 29.07.2022 № 353-од «Об утверждении документации по планировке территории в целях размещения линейного объекта «Газопровод межпоселковый к г. Благовещенск, с. Чигири, с. Верхнеблаговещенское Амурской области (1 этап – от ГРС Благовещенск до г. Благовещенск, с. Чигири)» (в редакции от 01.12.2022 № 550-од) (размещенной на сайте www.fgistp.economy.gov.ru).
Заинтересованные лица в течение пятнадцати дней со дня опубликования настоящего сообщения могут ознакомиться с поступившим ходатайством об установлении публичного сервитута и прилагаемым к нему описанием местоположения границ публичного сервитута на сайте министерства имущественных отношений Амурской области https://mail@mio.amurobl.ru в разделе «Земельные отношения».
Правообладатели земельных участков, если их права не зарегистрированы в Едином государственном реестре недвижимости, в течение пятнадцати дней со дня опубликования настоящего сообщения могут подать заявление об учете их прав (обременений прав) на земельный участок с приложением копий документов, подтверждающих эти права (обременения прав), с указанием почтового адреса и (или) адреса электронной почты.
Официальные сайты в информационно-телекоммуникационной сети «Интернет», на которых размещается сообщение о поступившем ходатайстве об установлении публичного сервитута:
- официальный сайт министерства имущественных отношений Амурской области - https://mail@mio.amurobl.ru;
- официальный сайт администрации города Благовещенска https://www. admblag.ru.
Графическое описание местоположения границ публичного сервитута:

Сообщение о возможном установлении публичного сервитута
В соответствии с п. 3 ст. 39.42 Земельного кодекса Российской Федерации администрация города Благовещенска информирует о рассмотрении ходатайства ООО «АКС» об установлении публичного сервитута для размещения электрических сетей в отношении части земельного участка с кадастровым номером 28:01:000000:154 (единое землепользование), расположенного в г. Благовещенск.
Графическое описание местоположения границ публичного сервитута:
Заинтересованные лица в течение пятнадцати дней со дня опубликования настоящего сообщения могут ознакомиться с поступившим ходатайством об установлении публичного сервитута и прилагаемым к нему описанием местоположения границ публичного сервитута по адресу: г. Благовещенск, ул. Ленина, 133, в рабочие дни с 09-00 до 18-00, по телефону: 7(4162)233-872 (обеденный перерыв с 13-00 до 14-00) (официальный сайт администрации города Благовещенска – www.благовещенск.рф).
Сообщение о возможном установлении публичного сервитута
В соответствии с п. 3 ст. 39.42 Земельного кодекса Российской Федерации администрация города Благовещенска информирует о рассмотрении ходатайства ООО «АКС» об установлении публичного сервитута для размещения электрических сетей в отношении частей земельных участков с кадастровыми номерами: - 28:01:130027:423, расположенного по ул. Зейская, д. 220, в квартале 27;
- 28:01:130027:69, расположенного по ул. Зейская, д. 222, в квартале 27.
Графическое описание местоположения границ публичного сервитута:
Заинтересованные лица в течение пятнадцати дней со дня опубликования настоящего сообщения могут ознакомиться с поступившим ходатайством об установлении публичного сервитута и прилагаемым к нему описанием местоположения границ публичного сервитута по адресу: г. Благовещенск, ул. Ленина, 133, в рабочие дни с 09-00 до 18-00, по телефону: 7(4162)233-873 (обеденный перерыв с 13-00 до 14-00) (официальный сайт администрации города Благовещенска – www.благовещенск.рф).
Сообщение о возможном установлении публичного сервитута
В соответствии с п. 3 ст. 39.42 Земельного кодекса Российской Федерации администрация города Благовещенска информирует о рассмотрении ходатайства ООО «АКС» об установлении публичного сервитута для размещения электрических сетей в отношении части земельного участка с кадастровым номером 28:01:000000:298, расположенного в СПУ-11.
Графическое описание местоположения границ публичного сервитута:

Заинтересованные лица в течение тридцати дней со дня опубликования настоящего сообщения могут ознакомиться с поступившим ходатайством об установлении публичного сервитута и прилагаемым к нему описанием местоположения границ публичного сервитута по адресу: г. Благовещенск, ул. Ленина, 133, в рабочие дни с 09-00 до 18-00, по телефону: 7(4162)233-873 (обеденный перерыв с 13-00 до 14- 00) (официальный сайт администрации города Благовещенска – www.благовещенск.рф).
Сообщение о возможном установлении публичного сервитута
В соответствии с п. 3 ст. 39.42 Земельного кодекса Российской Федерации администрация города Благовещенска информирует о рассмотрении ходатайства ООО «АКС» об установлении публичного сервитута для размещения электрических сетей в отношении части земельного участка с кадастровым номером 28:01:130069:2, расположенного в квартале 69
Графическое описание местоположения границ публичного сервитута:
Заинтересованные лица в течении пятнадцати дней со дня опубликования настоящего сообщения могут ознакомиться с поступившим ходатайством об установлении публичного сервитута и прилагаемым к нему описанием местоположения границ публичного сервитута по адресу: г. Благовещенск, ул. Ленина, 133, в рабочие дни с 09-00 до 18-00, по телефону: 7(4162)233-876 (обеденный перерыв с 13-00 до 14-00) (официальный сайт администрации города Благовещенска – www.благовещенск.рф).
Сообщение о возможном установлении публичного сервитута
В соответствии с п. 3 ст. 39.42 Земельного кодекса Российской Федерации администрация города Благовещенска информирует о рассмотрении ходатайства ООО «АКС» об установлении публичного сервитута для размещения электрических сетей в отношении части земельного участка с кадастровым номером 28:01:130191:18, расположенного в квартале 191.
Графическое описание местоположения границ публичного сервитута:

Заинтересованные лица в течение тридцати дней со дня опубликования настоящего сообщения могут ознакомиться с поступившим ходатайством об установлении публичного сервитута и прилагаемым к нему описанием местоположения границ публичного сервитута по адресу: г. Благовещенск, ул. Ленина, 133, в рабочие дни с 09-00 до 18-00, по телефону: 7(4162)233-873 (обеденный перерыв с 13-00 до 14- 00) (официальный сайт администрации города Благовещенска – www.благовещенск.рф).
Сообщение о возможном установлении публичного сервитута
В соответствии с п. 3 ст. 39.42 Земельного кодекса Российской Федерации администрация города Благовещенска информирует о рассмотрении ходатайства ООО «АКС» об установлении публичного сервитута для размещения сети водоотведения в отношении земельных участков с кадастровыми номерами:
- 28:01:210345:1486, расположенного по ул. Заводская, д. 4/1, в квартале 346;
- 28:01:210345:526, расположенного по ул. Заводская, д. 4, в квартале 346.
Графическое описание местоположения границ публичного сервитута:

Заинтересованные лица в течение пятнадцати дней со дня размещения настоящего сообщения могут ознакомиться с поступившим ходатайством об установлении публичного сервитута и прилагаемым к нему описанием местоположения границ публичного сервитута по адресу: г. Благовещенск, ул. Ленина, 133, в рабочие дни с 09-00 до 18-00, по телефону: 7(4162)233-874 (обеденный перерыв с 13-00 до 14-00) (официальный сайт администрации города Благовещенска – www.admblag.ru).
Сообщение о возможном установлении публичного сервитута
В соответствии с п. 3 ст. 39.42 Земельного кодекса Российской Федерации администрация города Благовещенска информирует о рассмотрении ходатайства ООО «АКС» об установлении публичного сервитута для размещения электрических сетей в отношении земельных участков с кадастровыми номерами: - 28:01:010113:9, расположенного по ул. Артиллерийская, д. 66, в квартале 113; - 28:01:010113:11, расположенного по ул. Красноармейская, д. 188, в квартале 113.
Графическое описание местоположения границ публичного сервитута:

Заинтересованные лица в течение пятнадцати дней со дня опубликования настоящего сообщения могут ознакомиться с поступившим ходатайством об установлении публичного сервитута и прилагаемым к нему описанием местоположения границ публичного сервитута по адресу: г. Благовещенск, ул. Ленина, 133, в рабочие дни с 09-00 до 18-00 (обеденный перерыв с 13-00 до 14-00), тел. 7(4162) 233-873 (официальный сайт администрации города Благовещенска – www.благовещенск.рф).
Сообщение о возможном установлении публичного сервитута
В соответствии с п. 3 ст. 39.42 Земельного кодекса Российской Федерации администрация города Благовещенска информирует о рассмотрении ходатайства ООО «АКС» об установлении публичного сервитута для размещения сетей холодного водоснабжения и водоотведения в отношении:
1) земельных участков с кадастровыми номерами: - 28:01:000000:10462, расположенного в г. Благовещенске; - 28:01:010017:786, расположенного по ул. Амурская, д. 283, в квартале 17;
2) земель, расположенных в кадастровом квартале 28:01:010017.
Графическое описание местоположения границ публичного сервитута:

Заинтересованные лица в течение тридцати дней со дня опубликования настоящего сообщения могут ознакомиться с поступившим ходатайством об установлении публичного сервитута и прилагаемым к нему описанием местоположения границ публичного сервитута по адресу: г. Благовещенск, ул. Ленина, 133, в рабочие дни с 09-00 до 18-00, по телефону: 7(4162) 233-873 (обеденный перерыв с 13-00 до 14-00) (официальный сайт администрации города Благовещенска – www.благовещенск.рф).
Правообладатели земельных участков, если их права не зарегистрированы в Едином государственном реестре недвижимости, в течение тридцати дней со дня опубликования настоящего сообщения могут подать заявление об учете их прав (обременений прав) на земельный участок с приложением копий документов, подтверждающих эти права (обременения прав), с указанием почтового адреса и (или) адреса электронной почты.
Сообщение о возможном установлении публичного сервитута
В соответствии с п. 3 ст. 39.42 Земельного кодекса Российской Федерации администрация города Благовещенска информирует о рассмотрении ходатайства ООО «АКС» об установлении публичного сервитута для размещения электрических сетей в отношении земельного участка с кадастровым номером 28:01:010172:16, расположенного по ул. Шевченко, д. 117, в квартале 172.
Графическое описание местоположения границ публичного сервитута:

Заинтересованные лица в течение тридцати дней со дня опубликования настоящего сообщения могут ознакомиться с поступившим ходатайством об установлении публичного сервитута и прилагаемым к нему описанием местоположения границ публичного сервитута по адресу: г. Благовещенск, ул. Ленина, 133, в рабочие дни с 09-00 до 18-00 (обеденный перерыв с 13-00 до 14-00), тел. 7(4162) 233-876 (официальный сайт администрации города Благовещенска – www.благовещенск.рф).
Сообщение о возможном установлении публичного сервитута
В соответствии с п. 3 ст. 39.42 Земельного кодекса Российской Федерации администрация города Благовещенска информирует о рассмотрении ходатайства ООО «АКС» об установлении публичного сервитута для размещения электрических сетей в отношении земельных участков с кадастровыми номерами:
- 28:01:020386:53, расположенного по ул. Театральная, д. 183, в квартале 386;
- 28:01:020386:180, расположенного по ул. Театральная, д. 183/2, в квартале 386.
Графическое описание местоположения границ публичного сервитута:

Заинтересованные лица в течение тридцати дней со дня опубликования настоящего сообщения могут ознакомиться с поступившим ходатайством об установлении публичного сервитута и прилагаемым к нему описанием местоположения границ публичного сервитута по адресу: г. Благовещенск, ул. Ленина, 133, в рабочие дни с 09-00 до 18-00 (обеденный перерыв с 13-00 до 14-00), тел. 7(4162) 233-876 (официальный сайт администрации города Благовещенска – www.благовещенск.рф).
Сообщение о возможном установлении публичного сервитута
В соответствии с п. 3 ст. 39.42 Земельного кодекса Российской Федерации администрация города Благовещенска информирует о рассмотрении ходатайства ООО «АКС» об установлении публичного сервитута для размещения электрических сетей в отношении части земельного участка с кадастровым номером 28:01:130042:94, расположенного по ул. 50 лет Октября, д. 26, в квартале 42.
Графическое описание местоположения границ публичного сервитута:
Заинтересованные лица в течение тридцати дней со дня опубликования настоящего сообщения могут ознакомиться с поступившим ходатайством об установлении публичного сервитута и прилагаемым к нему описанием местоположения границ публичного сервитута по адресу: г. Благовещенск, ул. Ленина, 133, в рабочие дни с 09-00 до 18-00 (обеденный перерыв с 13-00 до 14-00), тел. 7(4162) 233-873 (официальный сайт администрации города Благовещенска – www.благовещенск.рф).
Сообщение о возможном установлении публичного сервитута
В соответствии с п. 3 ст. 39.42 Земельного кодекса Российской Федерации администрация города Благовещенска информирует о рассмотрении ходатайства ООО «АКС» об установлении публичного сервитута для размещения электрических сетей в отношении части земельного участка с кадастровым номером 28:01:010247:3, расположенного по пер. Советский, д. 29, в квартале 247.
Графическое описание местоположения границ публичного сервитута:
Заинтересованные лица в течение тридцати дней со дня опубликования настоящего сообщения могут ознакомиться с поступившим ходатайством об установлении публичного сервитута и прилагаемым к нему описанием местоположения границ публичного сервитута по адресу: г. Благовещенск, ул. Ленина, 133, в рабочие дни с 09-00 до 18-00 (обеденный перерыв с 13-00 до 14-00), тел. 7(4162) 233-873 (официальный сайт администрации города Благовещенска – www.благовещенск.рф).
Сообщение о возможном установлении публичного сервитута
В соответствии с п. 3 ст. 39.42 Земельного кодекса Российской Федерации администрация города Благовещенска информирует о рассмотрении ходатайства МУ «ГУКС» об установлении публичного сервитута для размещения тепловых сетей в отношении части земельного участка с кадастровым номером 28:01:020800:524, расположенного в квартале 800.
Графическое описание местоположения границ публичного сервитута:
Заинтересованные лица в течение тридцати дней со дня опубликования настоящего сообщения могут ознакомиться с поступившим ходатайством об установлении публичного сервитута и прилагаемым к нему описанием местоположения границ публичного сервитута по адресу: г. Благовещенск, ул. Ленина, 133, в рабочие дни с 09-00 до 18-00 (обеденный перерыв с 13-00 до 14-00), тел. 233-872 (официальный сайт администрации города Благовещенска – www.благовещенск.рф).
Сообщение о возможном установлении публичного сервитута
В соответствии с п. 3 ст. 39.42 Земельного кодекса Российской Федерации администрация города Благовещенска информирует о рассмотрении ходатайства ООО «АКС» об установлении публичного сервитута для размещения электрических сетей в отношении:
1) земельных участков с кадастровыми номерами:
- 28:01:010235:10, расположенного по ул. Свободная, д. 40/2, в квартале 235;
- 28:01:010235:3, расположенного по ул. Свободная, 40, в квартале 235;
2) земель расположенных в кадастровом квартале 28:01:010235
Графическое описание местоположения границ публичного сервитута:

Заинтересованные лица в течение тридцати дней со дня опубликования настоящего сообщения могут ознакомиться с поступившим ходатайством об установлении публичного сервитута и прилагаемым к нему описанием местоположения границ публичного сервитута по адресу: г. Благовещенск, ул. Ленина, 133, в рабочие дни с 09-00 до 18-00, по телефону: 7(4162)233-874 (обеденный перерыв с 13-00 до 14-00) (официальный сайт администрации города Благовещенска – www.благовещенск.рф).
Правообладатели земельных участков, если их права не зарегистрированы в Едином государственном реестре недвижимости, в течение тридцати дней со дня опубликования настоящего сообщения могут подать заявление об учете их прав (обременений прав) на земельный участок с приложением копий документов, подтверждающих эти права (обременения прав), с указанием почтового адреса и (или) адреса электронной почты.
Сообщение о возможном установлении публичного сервитута
В соответствии с п. 3 ст. 39.42 Земельного кодекса Российской Федерации администрация города Благовещенска информирует о рассмотрении ходатайства АО «ДРСК» об установлении публичного сервитута «для размещения ВЛ-0,4 кВ с. Плодопитомник, линии электропередачи ВЛ-0,4 кВ, линии электропередачи ВЛ-10/0,4 кВ, МТП-10/0,4 кВА г. Благовещенск № 15-32, ТП 10/0,4 с. Плодопитомник 15-1, ТП 10/0,4 с. Плодопитомник 15-2, ТП 10/0,4 с. Плодопитомник 15-3, ТП 10/0,4 с. Плодопитомник 15-4, КТПН-10/0,4 КВ № 15-6, КТПН-400 кВа № 15-9, КТПН 250/10 с. Плодопитомник ТП № (423) 15-10, ТП 10/0,4 с. Плодопитомник 15-12, КТПН-630/10/0,4 г. Благовещенск № 15-14, КТПН с. Плодопитомник № 15-15, ТП-10/0,4 кВА г. Благовещенск № 15-16, КТПН № 15-17, КМТП-160/10/0,4 г. Благовещенск № 15-19, ТП 10/0,4 кВА г. Благовещенск № 15-20, КМТП 10/0,4 кВА г. Благовещенск № 15-21, МТП-10/0,4 кВ 63 кВА г. Благовещенск ТП № 15-23, трансформатор ТМГ-160/10/0,4 г. Благовещенск ТП 15-25, СТП-10/0,4 кВ 160 кВА Благовещенский район № ТП 15-27, СТП-160/10/0,4 г. Благовещенск № ТП 15-28, МТП-10/0,4 кВ 160 кВА г. Благовещенск ТП № 15-31, МТП-10/0,4 кВ 250 кВА г. Благовещенск ТП 15-33, МТП-10/0,4 кВ 63 кВА г. Благовещенск ТП № 15-34, КМТП-10/0,4 кВ 160 кВА г. Благовещенск № 15-35, МТП-10/0,4 кВ 160кВА г. Благовещенск № 15-36, МТП-10/0,4 кВА 160 г. Благовещенск ТП 15-37, МТП-10/0,4 кВ 160 кВА г. Благовещенск ТП 15-38, ТП 10/0,4 кВ 63 кВА № 15-39, ТП 10/0,4 400 кВА КТПН № 15-46, ТП 10/0,4 с. Плодопитомник» в отношении:
1) земельных участков с кадастровыми номерами:
- 28:01:110005:44, расположенный в районе коллективных садов;
- 28:01:110014:18, расположенный в районе коллективных садов;
- 28:01:110014:5, расположенный в районе коллективных садов;
- 28:01:110003:24, расположенный в районе коллективных садов;
- 28:01:110003:21, расположенный в районе коллективных садов;
- 28:01:110003:19, расположенный в районе коллективных садов;
- 28:01:110008:37, расположенный в районе коллективных садов;
- 28:01:110008:42, расположенный в районе коллективных садов;
- 28:01:110008:25, расположенный в районе коллективных садов;
- 28:01:110008:65, расположенный в районе коллективных садов;
- 28:01:110008:8, расположенный в районе коллективных садов;
- 28:01:110009:9, расположенный в районе коллективных садов;
- 28:01:110014:41, расположенный в районе коллективных садов;
- 28:01:110015:69, расположенный в районе коллективных садов;
- 28:01:110015:124, расположенный в районе коллективных садов;
- 28:01:110015:12, расположенный в районе коллективных садов;
- 28:01:110015:79, расположенный в районе коллективных садов;
- 28:01:000000:10508, расположенный в г. Благовещенске;
- 28:01:000000:10404, расположенный в г. Благовещенске;
- 28:01:170151:194, расположенный в районе коллективных садов;
- 28:01:110015:10, расположенный в районе коллективных садов;
- 28:01:110015:65, расположенный в районе коллективных садов;
- 28:01:110015:22, расположенный в районе коллективных садов;
- 28:01:110015:126, расположенный в районе коллективных садов;
- 28:01:110015:128, расположенный в районе коллективных садов;
- 28:01:110015:119, расположенный в районе коллективных садов;
- 28:01:000000:10602, расположенный в г. Благовещенске;
- 28:01:000000:10048, расположенный в г. Благовещенске;
- 28:01:110015:72, расположенный в районе коллективных садов;
- 28:01:110015:131, расположенный в районе коллективных садов;
- 28:01:110015:63, расположенный в районе коллективных садов;
- 28:01:000000:10193, расположенный в г. Благовещенске;
- 28:01:110015:258, расположенный в районе коллективных садов;
- 28:01:110015:259, расположенный в районе коллективных садов;
- 28:01:110015:147, расположенный в районе коллективных садов;
- 28:01:110011:27, расположенный в районе коллективных садов;
- 28:01:000000:10061, расположенный в г. Благовещенске;
- 28:01:110011:29, расположенный в районе коллективных садов;
- 28:01:110011:35, расположенный в районе коллективных садов;
- 28:01:110011:4, расположенный в районе коллективных садов;
- 28:01:000000:10062, расположенный в г. Благовещенске;
- 28:01:110016:59, расположенный в районе коллективных садов;
- 28:01:110019:4, расположенный в районе коллективных садов;
- 28:01:110019:34, расположенный в районе коллективных садов;
- 28:01:110019:27, расположенный в районе коллективных садов;
- 28:01:110019:59, расположенный в районе коллективных садов;
- 28:01:110019:3, расположенный в районе коллективных садов;
- 28:01:000000:10415, расположенный в г. Благовещенске;
- 28:01:110031:45, расположенный в районе коллективных садов;
- 28:01:000000:10060, расположенный в г. Благовещенске;
- 28:01:110253:51, расположенный в районе коллективных садов;
- 28:01:110253:55, расположенный в районе коллективных садов;
- 28:01:110253:48, расположенный в районе коллективных садов;
- 28:01:000000:11905, расположенный в г. Благовещенске;
- 28:01:000000:10407, расположенный в г. Благовещенске;
- 28:01:110001:29, расположенный в районе коллективных садов;
- 28:01:110070:1, расположенный в районе коллективных садов;
- 28:01:110070:18, расположенный в районе коллективных садов;
- 28:01:110070:24, расположенный в районе коллективных садов;
- 28:01:110070:23, расположенный в районе коллективных садов;
- 28:01:110070:8, расположенный в районе коллективных садов;
- 28:01:110070:22, расположенный в районе коллективных садов;
- 28:01:000000:10077, расположенный в г. Благовещенске;
- 28:01:110072:2, расположенный в районе коллективных садов;
- 28:01:000000:10746, расположенный в г. Благовещенске;
- 28:01:000000:10283, расположенный в г. Благовещенске;
- 28:01:000000:10416, расположенный в г. Благовещенске;
- 28:01:000000:11329, расположенный в г. Благовещенске;
- 28:01:110074:70, расположенный в районе коллективных садов;
- 28:01:110074:71, расположенный в районе коллективных садов;
- 28:01:000000:10399, расположенный в г. Благовещенске;
- 28:01:000000:10509, расположенный в г. Благовещенске;
- 28:01:110074:17, расположенный в районе коллективных садов;
- 28:01:110074:68, расположенный в районе коллективных садов;
- 28:01:110074:4, расположенный в районе коллективных садов;
- 28:01:000000:11763, расположенный в г. Благовещенске;
- 28:01:110073:123, расположенный в районе коллективных садов;
- 28:01:110073:88, расположенный в районе коллективных садов;
- 28:01:110073:11, расположенный в районе коллективных садов;
- 28:01:000000:10586, расположенный в г. Благовещенске;
- 28:01:110073:89, расположенный в районе коллективных садов;
- 28:01:110073:143, расположенный в районе коллективных садов;
- 28:01:110073:105, расположенный в районе коллективных садов;
- 28:01:110073:101, расположенный в районе коллективных садов;
- 28:01:110073:102, расположенный в районе коллективных садов;
- 28:01:110073:106, расположенный в районе коллективных садов;
- 28:01:110073:128, расположенный в районе коллективных садов;
- 28:01:110259:67, расположенный в районе коллективных садов;
- 28:01:110075:66, расположенный в районе коллективных садов;
- 28:01:110075:14, расположенный в районе коллективных садов;
- 28:01:110075:71, расположенный в районе коллективных садов;
- 28:01:110075:48, расположенный в районе коллективных садов;
- 28:01:110075:11, расположенный в районе коллективных садов;
- 28:01:000000:11161, расположенный в г. Благовещенске;
- 28:01:000000:10414, расположенный в г. Благовещенске;
- 28:01:110076:55, расположенный в районе коллективных садов;
- 28:01:000000:9530, расположенный в г. Благовещенске;
- 28:01:110076:43, расположенный в районе коллективных садов;
- 28:01:000000:11878, расположенный в г. Благовещенске;
- 28:01:100003:176, расположенный в с. Плодопитомник;
- 28:01:100003:213, расположенный в с. Плодопитомник;
- 28:01:100003:130, расположенный в с. Плодопитомник;
- 28:01:100003:208, расположенный в с. Плодопитомник;
- 28:01:100003:205, расположенный в с. Плодопитомник;
- 28:01:100003:25, расположенный в с. Плодопитомник;
- 28:01:100003:184, расположенный в с. Плодопитомник;
- 28:01:100003:173, расположенный в с. Плодопитомник;
- 28:01:100003:169, расположенный в с. Плодопитомник;
- 28:01:100003:140, расположенный в с. Плодопитомник;
- 28:01:100003:117, расположенный в с. Плодопитомник;
- 28:01:100003:181, расположенный в с. Плодопитомник;
- 28:01:100003:27, расположенный в с. Плодопитомник;
- 28:01:100003:159, расположенный в с. Плодопитомник;
- 28:01:100003:38, расположенный в с. Плодопитомник;
- 28:01:100003:4, расположенный в с. Плодопитомник;
- 28:01:100003:210, расположенный в с. Плодопитомник;
- 28:01:100002:207, расположенный в с. Плодопитомник;
- 28:01:000000:3469, расположенный в г. Благовещенске;
- 28:01:100002:3, расположенный в с. Плодопитомник;
- 28:01:100002:39, расположенный в с. Плодопитомник;
- 28:01:100002:11, расположенный в с. Плодопитомник;
- 28:01:100002:16, расположенный в с. Плодопитомник;
- 28:01:100002:7, расположенный в с. Плодопитомник;
- 28:01:100004:98, расположенный в с. Плодопитомник;
- 28:01:100004:220, расположенный в с. Плодопитомник;
- 28:01:100004:50, расположенный в с. Плодопитомник;
- 28:01:100004:211, расположенный в с. Плодопитомник;
- 28:01:100004:285, расположенный в с. Плодопитомник;
- 28:01:100004:281, расположенный в с. Плодопитомник;
- 28:01:100004:256, расположенный в с. Плодопитомник;
- 28:01:100004:8, расположенный в с. Плодопитомник;
- 28:01:100004:310, расположенный в с. Плодопитомник;
- 28:01:100004:288, расположенный в с. Плодопитомник;
- 28:01:100004:282, расположенный в с. Плодопитомник;
- 28:01:100004:242, расположенный в с. Плодопитомник;
- 28:01:100004:243, расположенный в с. Плодопитомник;
- 28:01:100004:82, расположенный в с. Плодопитомник;
- 28:01:100004:320, расположенный в с. Плодопитомник;
- 28:01:000000:2912, расположенный в г. Благовещенске;
- 28:01:100004:4, расположенный в с. Плодопитомник;
- 28:01:100004:54, расположенный в с. Плодопитомник;
- 28:01:100004:47, расположенный в с. Плодопитомник;
- 28:01:100004:104, расположенный в с. Плодопитомник;
- 28:01:000000:11730, расположенный в г. Благовещенске;
- 28:01:100005:118, расположенный в с. Плодопитомник;
- 28:01:100005:110, расположенный в с. Плодопитомник;
- 28:01:100005:999, расположенный в с. Плодопитомник;
- 28:01:100005:306, расположенный в с. Плодопитомник;
- 28:01:100005:927, расположенный в с. Плодопитомник;
- 28:01:100005:926, расположенный в с. Плодопитомник;
- 28:01:100005:304, расположенный в с. Плодопитомник;
- 28:01:100005:464, расположенный в с. Плодопитомник;
- 28:01:100005:930, расположенный в с. Плодопитомник;
- 28:01:100005:1009, расположенный в с. Плодопитомник;
- 28:01:100005:115, расположенный в с. Плодопитомник;
- 28:01:100005:1029, расположенный в с. Плодопитомник;
- 28:01:100005:990, расположенный в с. Плодопитомник;
- 28:01:100005:907, расположенный в с. Плодопитомник;
- 28:01:100005:202, расположенный в с. Плодопитомник;
- 28:01:100005:115, расположенный в с. Плодопитомник;
- 28:01:100005:233, расположенный в с. Плодопитомник;
- 28:01:100005:894, расположенный в с. Плодопитомник;
- 28:01:100005:437, расположенный в с. Плодопитомник;
- 28:01:100005:139, расположенный в с. Плодопитомник;
- 28:01:100005:193, расположенный в с. Плодопитомник;
- 28:01:000000:10588, расположенный в г. Благовещенске;
- 28:01:100005:49, расположенный в с. Плодопитомник, по ул. Советская, д. 3;
- 28:01:100005:40, расположенный в с. Плодопитомник, по ул. Советская, д. 5;
- 28:01:100005:105, расположенный в с. Плодопитомник;
- 28:01:100005:290, расположенный в с. Плодопитомник;
- 28:01:100005:111, расположенный в с. Плодопитомник;
- 28:01:000000:10613, расположенный в г. Благовещенске;
- 28:01:110076:52, расположенный в районе коллективных садов;
- 28:01:110076:6, расположенный в районе коллективных садов;
- 28:01:110076:37, расположенный в районе коллективных садов;
- 28:01:000000:10678, расположенный в г. Благовещенске;
- 28:01:100003:1, расположенный в с. Плодопитомник;
- 28:01:100005:889, расположенный в с. Плодопитомник;
- 28:01:100005:39, расположенный в с. Плодопитомник, по ул. Советская, д. 7;
- 28:01:100005:113, расположенный в с. Плодопитомник;
- 28:01:100005:35, расположенный в с. Плодопитомник, по ул. Мичурина, д. 5;
- 28:01:100005:47, расположенный в с. Плодопитомник, по ул. Советская, д. 9;
- 28:01:100005:41, расположенный в с. Плодопитомник, по ул. Мичурина, д. 9;
- 28:01:100005:140, расположенный в с. Плодопитомник, по ул. Дорожников, д. 31/2;
- 28:01:030001:76, расположенный по ул. Мичурина, д. 17/3, в ЗПУ-8;
- 28:01:030001:142, расположенный в ЗПУ-8;
- 28:01:000000:10406, расположенный в г. Благовещенске;
- 28:01:030001:65, расположенный в ЗПУ-8;
- 28:01:030001:143, расположенный в ЗПУ-8;
- 28:01:000000:417, расположенный в г. Благовещенске;
- 28:01:000000:2193, расположенный в г. Благовещенске;
- 28:01:110084:99, расположенный в районе коллективных садов;
- 28:01:000000:2905, расположенный в г. Благовещенске;
- 28:01:030002:303, расположенный в ЗПУ-А1;
- 28:01:030002:319, расположенный в ЗПУ-8;
- 28:01:030002:320, расположенный в ЗПУ-8;
- 28:01:030002:321, расположенный в ЗПУ-8;
- 28:01:030002:365, расположенный в ЗПУ-8;
- 28:01:000000:2957, расположенный в г. Благовещенске;
- 28:01:000000:10385, расположенный в г. Благовещенске;
- 28:01:000000:11061, расположенный в г. Благовещенске;
- 28:01:030002:340, расположенный в ЗПУ-8;
- 28:01:030002:339, расположенный в ЗПУ-8;
- 28:01:030002:694, расположенный в ЗПУ-8;
- 28:01:030002:267, расположенный по ул. Нагорная, д. 80/10, в ЗПУ-8;
- 28:01:030002:470, расположенный в ЗПУ-8;
- 28:01:030002:638, расположенный в ЗПУ-8;
- 28:01:030002:655, расположенный в ЗПУ-8;
- 28:01:030002:657, расположенный в ЗПУ-8;
- 28:01:030002:656, расположенный в ЗПУ-8;
- 28:01:030002:610, расположенный в ЗПУ-8;
- 28:01:030002:648, расположенный в ЗПУ-8;
- 28:01:030002:97, расположенный в ЗПУ-8;
- 28:01:030002:104, расположенный в ЗПУ-8;
- 28:01:000000:10536, расположенный в г. Благовещенске;
- 28:01:030002:356, расположенный в ЗПУ-8;
- 28:01:000000:10322, расположенный в г. Благовещенске;
- 28:01:110125:28, расположенный в районе коллективных садов;
- 28:01:110125:129, расположенный в районе коллективных садов;
- 28:01:110125:10, расположенный в районе коллективных садов;
- 28:01:000000:410, расположенный в г. Благовещенске, по ул. Нагорная, д. 68/27;
- 28:01:000000:10398, расположенный в г. Благовещенске;
- 28:01:110125:120, расположенный в районе коллективных садов;
- 28:01:110125:132, расположенный в районе коллективных садов;
- 28:01:110125:109, расположенный в районе коллективных садов;
- 28:01:110125:124, расположенный в районе коллективных садов;
- 28:01:110125:104, расположенный в районе коллективных садов;
- 28:01:110125:16, расположенный в районе коллективных садов;
- 28:01:110125:32, расположенный в районе коллективных садов;
- 28:01:110125:127, расположенный в районе коллективных садов;
- 28:01:110125:133, расположенный в районе коллективных садов;
- 28:01:110125:24, расположенный в районе коллективных садов;
- 28:01:110128:292, расположенный в районе коллективных садов;
- 28:01:110128:166, расположенный в районе коллективных садов;
- 28:01:110128:180, расположенный в районе коллективных садов;
- 28:01:000000:11086, расположенный в г. Благовещенске;
- 28:01:110128:153, расположенный в районе коллективных садов;
- 28:01:110127:78, расположенный в районе коллективных садов;
- 28:01:110127:79, расположенный в районе коллективных садов;
- 28:01:110127:155, расположенный в районе коллективных садов;
- 28:01:110127:192, расположенный в районе коллективных садов;
- 28:01:110127:5, расположенный в районе коллективных садов;
- 28:01:110129:6, расположенный в районе коллективных садов;
- 28:01:110129:283, расположенный в районе коллективных садов;
- 28:01:110129:274, расположенный в районе коллективных садов;
- 28:01:110129:261, расположенный в районе коллективных садов;
- 28:01:110129:281, расположенный в районе коллективных садов;
- 28:01:110129:236, расположенный в районе коллективных садов;
- 28:01:110129:275, расположенный в районе коллективных садов;
- 28:01:110129:286, расположенный в районе коллективных садов;
- 28:01:110127:132, расположенный в районе коллективных садов;
- 28:01:110129:52, расположенный в районе коллективных садов;
- 28:01:110129:60, расположенный в районе коллективных садов;
- 28:01:110129:59, расположенный в районе коллективных садов;
- 28:01:110129:46, расположенный в районе коллективных садов;
- 28:01:110127:57, расположенный в районе коллективных садов;
- 28:01:110127:90, расположенный в районе коллективных садов;
- 28:01:110129:33, расположенный в районе коллективных садов;
- 28:01:110129:277, расположенный в районе коллективных садов;
- 28:01:110129:57, расположенный в районе коллективных садов;
- 28:01:110129:51, расположенный в районе коллективных садов;
- 28:01:110129:276, расположенный в районе коллективных садов;
- 28:01:110129:48, расположенный в районе коллективных садов;
- 28:01:110129:256, расположенный в районе коллективных садов;
- 28:01:110129:238, расположенный в районе коллективных садов;
- 28:01:110129:285, расположенный в районе коллективных садов;
- 28:01:110129:270, расположенный в районе коллективных садов;
- 28:01:110129:259, расположенный в районе коллективных садов;
- 28:01:110129:291, расположенный в районе коллективных садов;
- 28:01:110129:246, расположенный в районе коллективных садов;
- 28:01:000000:10594, расположенный в г. Благовещенске;
- 28:01:110130:227, расположенный в районе коллективных садов;
- 28:01:110130:78, расположенный в районе коллективных садов;
- 28:01:110130:23, расположенный в районе коллективных садов;
- 28:01:110130:234, расположенный в районе коллективных садов;
- 28:01:110130:4, расположенный в районе коллективных садов;
- 28:01:110130:203, расположенный в районе коллективных садов;
- 28:01:110130:225, расположенный в районе коллективных садов;
- 28:01:110130:39, расположенный в районе коллективных садов;
- 28:01:000000:2192, расположенный в г. Благовещенске;
- 28:01:110130:3, расположенный в районе коллективных садов;
- 28:01:110130:219, расположенный в районе коллективных садов;
- 28:01:110130:86, расположенный в районе коллективных садов;
- 28:01:110130:160, расположенный в районе коллективных садов;
- 28:01:110130:46, расположенный в районе коллективных садов;
- 28:01:110130:218, расположенный в районе коллективных садов;
- 28:01:110130:42, расположенный в районе коллективных садов;
- 28:01:110136:1, расположенный в ЗПУ-7;
- 28:01:000000:412, расположенный в г. Благовещенске;
- 28:01:000000:9714, расположенный в г. Благовещенске;
- 28:01:000000:2926, расположенный в г. Благовещенске;
- 28:01:000000:10419, расположенный в г. Благовещенске;
- 28:01:000000:10604, расположенный в г. Благовещенске;
- 28:01:000000:10532, расположенный в г. Благовещенске;
- 28:01:000000:2962, расположенный в г. Благовещенске;
- 28:01:000000:11089, расположенный в г. Благовещенске;
- 28:01:000000:10594, расположенный в г. Благовещенске;
- 28:01:110114:210, расположенный в районе коллективных садов;
- 28:01:110114:82, расположенный в районе коллективных садов;
- 28:01:110114:204, расположенный в районе коллективных садов;
- 28:01:110114:8, расположенный в районе коллективных садов;
- 28:01:110114:214, расположенный в районе коллективных садов;
- 28:01:110114:196, расположенный в районе коллективных садов;
- 28:01:110114:187, расположенный в районе коллективных садов;
- 28:01:110114:44, расположенный в районе коллективных садов;
- 28:01:110114:201, расположенный в районе коллективных садов;
- 28:01:110114:15, расположенный в районе коллективных садов;
- 28:01:110114:56, расположенный в районе коллективных садов;
- 28:01:110114:215, расположенный в районе коллективных садов;
- 28:01:110114:42, расположенный в районе коллективных садов;
- 28:01:110123:10, расположенный в районе коллективных садов;
- 28:01:110124:12, расположенный в районе коллективных садов;
- 28:01:110124:29, расположенный в районе коллективных садов;
- 28:01:110120:13, расположенный в районе коллективных садов;
- 28:01:110109:62, расположенный в районе коллективных садов;
- 28:01:110099:50, расположенный в районе коллективных садов;
- 28:01:110099:19, расположенный в районе коллективных садов;
- 28:01:110098:17, расположенный в районе коллективных садов;
- 28:01:000000:10590, расположенный в г. Благовещенске;
- 28:01:110092:66, расположенный в районе коллективных садов;
- 28:01:110092:18, расположенный в районе коллективных садов;
- 28:01:110092:67, расположенный в районе коллективных садов;
- 28:01:110092:65, расположенный в районе коллективных садов;
- 28:01:110092:2, расположенный в районе коллективных садов;
- 28:01:110092:55, расположенный в районе коллективных садов;
- 28:01:110092:25, расположенный в районе коллективных садов;
- 28:01:110092:74, расположенный в районе коллективных садов;
- 28:01:110092:21, расположенный в районе коллективных садов;
- 28:01:110092:5, расположенный в районе коллективных садов;
- 28:01:110092:51, расположенный в районе коллективных садов;
- 28:01:170065:101, расположенный в районе коллективных садов;
- 28:01:110091:55, расположенный в районе коллективных садов;
- 28:01:000000:10601, расположенный в г. Благовещенске;
- 28:01:000000:10587, расположенный в г. Благовещенске;
- 28:01:110091:59, расположенный в районе коллективных садов;
- 28:01:000000:328, расположенный в г. Благовещенске;
- 28:01:000000:10402, расположенный в г. Благовещенске;
- 28:01:110095:16, расположенный в районе коллективных садов;
- 28:01:110095:2, расположенный в районе коллективных садов;
- 28:01:110093:36, расположенный в районе коллективных садов;
- 28:01:110088:126, расположенный в районе коллективных садов;
- 28:01:110088:14, расположенный в районе коллективных садов;
- 28:01:110088:16, расположенный в районе коллективных садов;
- 28:01:110088:1, расположенный в районе коллективных садов;
- 28:01:110088:15, расположенный в районе коллективных садов;
- 28:01:110086:15, расположенный в районе коллективных садов;
- 28:01:110085:9, расположенный в районе коллективных садов;
- 28:01:110085:62, расположенный в районе коллективных садов;
- 28:01:110085:21, расположенный в районе коллективных садов;
- 28:01:110088:9, расположенный в районе коллективных садов;
- 28:01:110088:21, расположенный в районе коллективных садов;
- 28:01:110088:19, расположенный в районе коллективных садов;
- 28:01:110088:26, расположенный в районе коллективных садов;
- 28:01:110123:5, расположенный в районе коллективных садов;
- 28:01:110095:24, расположенный в районе коллективных садов;
- 28:01:110095:12, расположенный в районе коллективных садов;
- 28:01:110114:128, расположенный в районе коллективных садов;
- 28:01:110114:118, расположенный в районе коллективных садов;
- 28:01:100002:265, расположенный в с. Плодопитомник;
- 28:01:110085:26, расположенный в районе коллективных садов;
- 28:01:110085:7, расположенный в районе коллективных садов;
- 28:01:110085:39, расположенный в районе коллективных садов;
- 28:01:110125:29, расположенный в районе коллективных садов;
- 28:01:110130:96, расположенный в районе коллективных садов;
- 28:01:110103:7, расположенный в районе коллективных садов;
- 28:01:110008:22, расположенный в районе коллективных садов;
- 28:01:110008:36, расположенный в районе коллективных садов;
- 28:01:110015:51, расположенный в районе коллективных садов;
- 28:01:110015:54, расположенный в районе коллективных садов;
- 28:01:110015:71, расположенный в районе коллективных садов;
- 28:01:110015:67, расположенный в районе коллективных садов;
- 28:01:110015:32, расположенный в районе коллективных садов;
- 28:01:110014:6, расположенный в районе коллективных садов;
- 28:01:110005:13, расположенный в районе коллективных садов;
- 28:01:110005:21, расположенный в районе коллективных садов;
- 28:01:110203:26, расположенный в районе коллективных садов;
- 28:01:110128:1, расположенный в районе коллективных садов;
- 28:01:110089:18, расположенный в районе коллективных садов;
- 28:01:110006:12, расположенный в районе коллективных садов;
- 28:01:110015:136, расположенный в районе коллективных садов;
- 28:01:110015:55, расположенный в районе коллективных садов;
- 28:01:110015:138, расположенный в районе коллективных садов;
- 28:01:110019:16, расположенный в районе коллективных садов;
- 28:01:110019:24, расположенный в районе коллективных садов;
- 28:01:110008:69, расположенный в районе коллективных садов;
- 28:01:110011:36, расположенный в районе коллективных садов;
- 28:01:110098:3, расположенный в районе коллективных садов;
- 28:01:110085:3, расположенный в районе коллективных садов;
- 28:01:110095:23, расположенный в районе коллективных садов;
- 28:01:000000:10591, расположенный в г. Благовещенске;
2) земель, расположенных в кадастровых кварталах: 28:01:110005, 28:01:110002, 28:01:110276, 28:01:110006, 28:01:110014, 28:01:110279, 28:01:110003, 28:01:110008, 28:01:110001, 28:01:110010, 28:01:110009, 28:01:110015, 28:01:110011, 28:01:110016, 28:01:110019, 28:01:110031, 28:01:110253, 28:01:110282, 28:01:110259, 28:01:110007, 28:01:110071, 28:01:110070, 28:01:110072, 28:01:110262, 28:01:110074, 28:01:110073, 28:01:110075, 28:01:110076, 28:01:100003; 28:01:100002, 28:01:100004, 28:01:100005, 28:01:030001, 28:01:110084, 28:01:030002, 28:01:110125, 28:01:110128, 28:01:110127, 28:01:110129, 28:01:110130, 28:01:110136, 28:01:110131, 28:01:110113, 28:01:110111, 28:01:110112, 28:01:110133, 28:01:110134, 28:01:110114, 28:01:110123, 28:01:110122, 28:01:110124, 28:01:110121, 28:01:110120, 28:01:110109, 28:01:110108, 28:01:110116, 28:01:110101, 28:01:110099, 28:01:110100, 28:01:110098, 28:01:110092, 28:01:110091, 28:01:110095, 28:01:110094, 28:01:110093, 28:01:110088, 28:01:110089, 28:01:110086, 28:01:110252, 28:01:110087, 28:01:110085, 28:01:110103.
Графическое описание местоположения границ публичного сервитута:
Заинтересованные лица в течение тридцати дней со дня опубликования настоящего сообщения могут ознакомиться с поступившим ходатайством об установлении публичного сервитута и прилагаемым к нему описанием местоположения границ публичного сервитута по адресу: г. Благовещенск, ул. Ленина, 133, в рабочие дни с 09-00 до 18-00, по телефону: 7(4162)233-873 (обеденный перерыв с 13-00 до 14-00) (официальный сайт администрации города Благовещенска – www.благовещенск.рф).
Правообладатели земельных участков, если их права не зарегистрированы в Едином государственном реестре недвижимости, в течение тридцати дней со дня опубликования настоящего сообщения могут подать заявление об учете их прав (обременений прав) на земельный участок с приложением копий документов, подтверждающих эти права (обременения прав), с указанием почтового адреса и (или) адреса электронной почты.
Сообщение о возможном установлении публичного сервитута
В соответствии с п. 3 ст. 39.42 Земельного кодекса Российской Федерации администрация города Благовещенска информирует о рассмотрении ходатайства ООО «АКС» об установлении публичного сервитута для размещения электрических сетей в отношении земельных участков с кадастровыми номерами:
- 28:01:130020:16, расположенного по ул. Комсомольская, д. 3, в квартале 20;
- 28:01:130020:116, расположенного по пер. Релочный, д. 12, в квартале 20.
Графическое описание местоположения границ публичного сервитута:
Заинтересованные лица в течение тридцати дней со дня опубликования настоящего сообщения могут ознакомиться с поступившим ходатайством об установлении публичного сервитута и прилагаемым к нему описанием местоположения границ публичного сервитута по адресу: г. Благовещенск, ул. Ленина, 133, в рабочие дни с 09-00 до 18-00 (обеденный перерыв с 13-00 до 14-00), телефон 8(4162)233-876 (официальный сайт администрации города Благовещенска – www.благовещенск.рф).
Правообладатели земельных участков, если их права не зарегистрированы в Едином государственном реестре недвижимости, в течение тридцати дней со дня опубликования настоящего сообщения могут подать заявление об учете их прав (обременений прав) на земельный участок с приложением копий документов, подтверждающих эти права (обременения прав), с указанием почтового адреса и (или) адреса электронной почты.
Сообщение о возможном установлении публичного сервитута
В соответствии с п. 3 ст. 39.42 Земельного кодекса Российской Федерации администрация города Благовещенска информирует о рассмотрении ходатайства ООО «АКС» об установлении публичного сервитута для размещения трансформаторной подстанции в отношении земельного участка с кадастровым номером 28:01:030003:280, расположенного по Игнатьевскому шоссе, 16/2, 16/3, 16/5, в ЗПУ-2.
Графическое описание местоположения границ публичного сервитута:
Заинтересованные лица в течение тридцати дней со дня опубликования настоящего сообщения могут ознакомиться с поступившим ходатайством об установлении публичного сервитута и прилагаемым к нему описанием местоположения границ публичного сервитута по адресу: г. Благовещенск, ул. Ленина, 133, в рабочие дни с 09-00 до 18-00, по телефону: 7(4162)233-874 (обеденный перерыв с 13-00 до 14-00) (официальный сайт администрации города Благовещенска – www.благовещенск.рф).
Сообщение о возможном установлении публичного сервитута
В соответствии с п. 3 ст. 39.42 Земельного кодекса Российской Федерации администрация города Благовещенска информирует о рассмотрении ходатайства ООО «АКС» об установлении публичного сервитута для размещения сетей водоотведения в отношении земельного участка с кадастровым номером 28:01:010188:104, расположенного по ул. Ломоносова, д. 167, в квартале 188.
Графическое описание местоположения границ публичного сервитута:
Заинтересованные лица в течение тридцати дней со дня опубликования настоящего сообщения могут ознакомиться с поступившим ходатайством об установлении публичного сервитута и прилагаемым к нему описанием местоположения границ публичного сервитута по адресу: г. Благовещенск, ул. Ленина, 133, в рабочие дни с 09-00 до 18-00, по телефону: 7(4162)233-874 (обеденный перерыв с 13-00 до 14-00) (официальный сайт администрации города Благовещенска – www.благовещенск.рф)
Сообщение о возможном установлении публичного сервитута
В соответствии с п. 3 ст. 39.42 Земельного кодекса Российской Федерации администрация города Благовещенска информирует о рассмотрении ходатайства ООО «АКС» об установлении публичного сервитута для размещения
электрических сетей в отношении земельных участков с кадастровыми номерами:
- 28:01:020408:11, расположенного по ул. Калинина, д. 142, в квартале 408;
- 28:01:020408:18, расположенного по ул. Институтская, д. 3/3, в квартале 408.
Графическое описание местоположения границ публичного сервитута:

Заинтересованные лица в течение тридцати дней со дня опубликования настоящего сообщения могут ознакомиться с поступившим ходатайством об установлении публичного сервитута и прилагаемым к нему описанием местоположения границ публичного сервитута по адресу: г. Благовещенск, ул. Ленина, 133, в рабочие дни с 09-00 до 18-00 (обеденный перерыв с 13-00 до 14- 00), телефон 8(4162)233-876 (официальный сайт администрации города Благовещенска – www.благовещенск.рф).
Правообладатели земельных участков, если их права не зарегистрированы в Едином государственном реестре недвижимости, в течение тридцати дней со дня опубликования настоящего сообщения могут подать заявление об учете их прав (обременений прав) на земельный участок с приложением копий документов, подтверждающих эти права (обременения прав), с указанием почтового адреса и (или) адреса электронной почты.
Сообщение о возможном установлении публичного сервитута
В соответствии с п. 3 ст. 39.42 Земельного кодекса Российской Федерации администрация города Благовещенска информирует о рассмотрении ходатайства ООО «АКС» Об установлении публичного сервитута для размещения электрических сетей в квартале 162. с видом разрешенного использования – для размещения многоквартирных жилых домов со встроенно-пристроенными помещениями общественного назначения
Графическое описание местоположения границ публичного сервитута:

Заинтересованные лица в течение тридцати дней со дня опубликования настоящего сообщения могут ознакомиться с поступившим ходатайством об установлении публичного сервитута и прилагаемым к нему описанием местоположения границ публичного сервитута по адресу: г. Благовещенск, ул. Ленина, 133, в рабочие дни с 09-00 до 18-00 (обеденный перерыв с 13-00 до 14-00), тел. 233-872 (официальный сайт администрации города Благовещенска – www.admblag.ru).
Правообладатели земельных участков, если их права не зарегистрированы в Едином государственном реестре недвижимости, в течение тридцати дней со дня опубликования настоящего сообщения могут подать заявление об учете их прав (обременений прав) на земельный участок с приложением копий документов, подтверждающих эти права (обременения прав), с указанием почтового адреса и (или) адреса электронной почты.
Сообщение о возможном установлении публичного сервитута
В соответствии с п. 3 ст. 39.42 Земельного кодекса Российской Федерации администрация города Благовещенска информирует о рассмотрении ходатайства ООО «АКС» об установлении публичного сервитута для размещения электрических сетей в отношении:
1. Земельных участков с кадастровыми номерами:
- 28:01:000000:63 (единое землепользование), расположенный в п. Моховая Падь, в квартале МП-9;
- 28:01:000000:2921, расположенный в п. Моховая Падь, в кварталах МП-9, МП-6;
- 28:01:000000:3 (единое землепользование), расположенный в г. Благовещенске;
- 28:01:000000:154 (единое землепользование), расположенный в г. Благовещенске;
- 28:01:000000:42 (единое землепользование), расположенный в с. Садовое;
- 28:01:200019:106, расположенный в квартале 530;
- 28:01:000000:124 (единое землепользование), расположенный в кварталах 527, 500;
- 28:01:000000:55 (единое землепользование), расположенный в СПУ-3.
2. Земель, расположенных в кадастровых кварталах 28:01:020445, 28:01:020502, 28:01:020527, 28:01:020513, 28:01:020002, 28:01:090033, 28:01:120001, 28:01:040002.
Графическое описание местоположения границ публичного сервитута:
Заинтересованные лица в течение тридцати дней со дня опубликования настоящего сообщения могут ознакомиться с поступившим ходатайством об установлении публичного сервитута и прилагаемым к нему описанием местоположения границ публичного сервитута по адресу: г. Благовещенск, ул. Ленина, 133, в рабочие дни с 09-00 до 18-00 (обеденный перерыв с 13-00 до 14-00), тел. 233-872 (официальный сайт администрации города Благовещенска – www.admblag.ru).
Правообладатели земельных участков, если их права не зарегистрированы в Едином государственном реестре недвижимости, в течение тридцати дней со дня опубликования настоящего сообщения могут подать заявление об учете их прав (обременений прав) на земельный участок с приложением копий документов, подтверждающих эти права (обременения прав), с указанием почтового адреса и (или) адреса электронной почты.
Сообщение о возможном установлении публичного сервитута
В соответствии с п. 3 ст. 39.42 Земельного кодекса Российской Федерации администрация города Благовещенска информирует о рассмотрении ходатайства ООО «АКС» об установлении публичного сервитута для размещения электрических сетей в отношении:
1. Земельных участков, расположенных в п. Плодопитомник, в квартале П-2, с кадастровыми номерами:
- 28:01:100002:403;
- 28:01:000000:10678.
2. Земель, расположенных в кадастровом квартале 28:01:100002.
Графическое описание местоположения границ публичного сервитута:
2 Заинтересованные лица в течение тридцати дней со дня опубликования настоящего сообщения могут ознакомиться с поступившим ходатайством об установлении публичного сервитута и прилагаемым к нему описанием местоположения границ публичного сервитута по адресу: г. Благовещенск, ул. Ленина, 133, в рабочие дни с 09-00 до 18-00 (обеденный перерыв с 13-00 до 14-00), тел. 233-872 (официальный сайт администрации города Благовещенска – www.благовещенск.рф).
Правообладатели земельных участков, если их права не зарегистрированы в Едином государственном реестре недвижимости, в течение тридцати дней со дня опубликования настоящего сообщения могут подать заявление об учете их прав (обременений прав) на земельный участок с приложением копий документов, подтверждающих эти права (обременения прав), с указанием почтового адреса и (или) адреса электронной почты.
Сообщение о возможном установлении публичного сервитута
В соответствии с п. 3 ст. 39.42 Земельного кодекса РоссийскойФедерации администрация города Благовещенска информирует орассмотрении ходатайства ООО «АКС» об установлении публичногосервитута для размещения сетей водоотведения в отношении земельного
участка с кадастровым номером 28:01:010188:7, расположенного поул.50 лет Октября, д.103/1, в квартале188.
Графическое описание местоположения границ публичного сервитута:
Заинтересованные лица в течение тридцати дней со дня опубликованиянастоящего сообщения могут ознакомиться с поступившим ходатайством обустановлении публичного сервитута и прилагаемым к нему описаниемместоположения границ публичного сервитута по адресу: г. Благовещенск,
ул. Ленина,133, в рабочие дни с09-00 до18-00, по телефону:7(4162)233-873 (обеденный перерыв с 13-00 до 14-00) (официальный сайт администрациигорода Благовещенска– www.благовещенск.рф).
Правообладатели земельных участков, если их права незарегистрированы в Едином государственном реестре недвижимости, втечение тридцати дней со дня опубликования настоящего сообщения могутподать заявление об учете их прав (обременений прав) на земельный участок
с приложением копий документов, подтверждающих эти права (обремененияправ), с указанием почтового адреса и (или) адреса электронной почты
Сообщение о возможном установлении публичного сервитута
В соответствии с п. 3 ст. 39.42 Земельного кодекса Российской Федерации администрация города Благовещенска информирует о рассмотрении ходатайства ООО «АКС» об установлении публичного сервитута для размещения электрических сетей в отношении земельного участка с кадастровым номером 28:01:010162:163, расположенного по ул. Октябрьская, д. 221, в квартале 162.
Графическое описание местоположения границ публичного сервитута:

Заинтересованные лица в течение тридцати дней со дня опубликования настоящего сообщения могут ознакомиться с поступившим ходатайством об установлении публичного сервитута и прилагаемым к нему описанием местоположения границ публичного сервитута по адресу: г. Благовещенск, ул. Ленина, 133, в рабочие дни с 09-00 до 18-00 (обеденный перерыв с 13-00 до 14- 00), телефон 8(4162)233-876 (официальный сайт администрации города Благовещенска – www.благовещенск.рф).
Правообладатели земельных участков, если их права не зарегистрированы в Едином государственном реестре недвижимости, в течение тридцати дней со дня опубликования настоящего сообщения могут подать заявление об учете их прав (обременений прав) на земельный участок с приложением копий документов, подтверждающих эти права (обременения прав), с указанием почтового адреса и (или) адреса электронной почты.
Сообщение о возможном установлении публичного сервитута
В соответствии с п. 3 ст. 39.42 Земельного кодекса Российской Федерации администрация города Благовещенска информирует о рассмотрении ходатайства ООО «АКС» об установлении публичного сервитута для размещения электрических сетей в отношении земельного участка с кадастровым номером 28:01:010293:46, расположенного по ул. 50 лет Октября, 106/1, в квартале 293
Графическое описание местоположения границ публичного сервитута:
Заинтересованные лица в течение тридцати дней со дня опубликования настоящего сообщения могут ознакомиться с поступившим ходатайством об установлении публичного сервитута и прилагаемым к нему описанием местоположения границ публичного сервитута по адресу: г. Благовещенск, ул. Ленина, 133, в рабочие дни с 09-00 до 18-00 (обеденный перерыв с 13-00 до 14- 00), телефон 8(4162)595-748.
Правообладатели земельных участков, если их права не зарегистрированы в Едином государственном реестре недвижимости, в течение тридцати дней со дня опубликования настоящего сообщения могут подать заявление об учете их прав (обременений прав) на земельный участок с приложением копий документов, подтверждающих эти права (обременения прав), с указанием почтового адреса и (или) адреса электронной почты.
Сообщение о возможном установлении публичного сервитута
В соответствии с п. 3 ст. 39.42 Земельного кодекса Российской Федерации администрация города Благовещенска информирует о рассмотрении ходатайства «Амурские коммунальные системы» об установлении публичного сервитута для размещения электрических сетей холодного водоснабжения в отношении частей:
площадью 5 кв. м земельного участка с кадастровым номером 28:01:010216:31, расположенного по пер. Техническому, д. 85, в квартале 216, с видом разрешенного использования – для организации санитарнозащитной зоны;
площадью 63 кв. м земельного участка с кадастровым номером 28:01:010216:32, расположенного в квартале 216, с видом разрешенного использования – для организации санитарно-защитной зоны.
Графическое описание местоположения границ публичного сервитута:

Сообщение о возможном установлении публичного сервитута
В соответствии с п. 3 ст. 39.42 Земельного кодекса Российской Федерации администрация города Благовещенска информирует о рассмотрении ходатайства ООО «АКС» об установлении публичного сервитута для размещения электрических сетей в отношении: 1. Земельных участков с кадастровыми номерами 28:01:020015:309, 28:01:020015:175, расположенных в СПУ-3.
Графическое описание местоположения границ публичного сервитута:

Заинтересованные лица в течение тридцати дней со дня опубликования настоящего сообщения могут ознакомиться с поступившим ходатайством об установлении публичного сервитута и прилагаемым к нему описанием местоположения границ публичного сервитута по адресу: г. Благовещенск, ул. Ленина, 133, в рабочие дни с 09-00 до 18-00 (обеденный перерыв с 13-00 до 14-00), тел. 99-18-11 (официальный сайт администрации города Благовещенска – www.благовещенск.рф).
Правообладатели земельных участков, если их права не зарегистрированы в Едином государственном реестре недвижимости, в течение тридцати дней со дня опубликования настоящего сообщения могут подать заявление об учете их прав (обременений прав) на земельный участок с приложением копий документов, подтверждающих эти права (обременения прав), с указанием почтового адреса и (или) адреса электронной почты.
Сообщение о возможном установлении публичного сервитута
В соответствии с п. 3 ст. 39.42 Земельного кодекса Российской Федерации администрация города Благовещенска информирует о рассмотрении ходатайства ООО «АКС» об установлении публичного сервитута для размещения электрических сетей в отношении земельного участка с кадастровым номером 28:01:130418:17, расположенного по ул. Ленина, 186, в квартале 418.
Графическое описание местоположения границ публичного сервитута:

Заинтересованные лица в течение тридцати дней со дня опубликования настоящего сообщения могут ознакомиться с поступившим ходатайством об установлении публичного сервитута и прилагаемым к нему описанием местоположения границ публичного сервитута по адресу: г. Благовещенск, ул. Ленина, 133, в рабочие дни с 09-00 до 18-00 (обеденный перерыв с 13-00 до 14-00), тел. 99-18-11 (официальный сайт администрации города Благовещенска – www.благовещенск.рф).
Правообладатели земельных участков, если их права не зарегистрированы в Едином государственном реестре недвижимости, в течение тридцати дней со дня опубликования настоящего сообщения могут подать заявление об учете их прав (обременений прав) на земельный участок с приложением копий документов, подтверждающих эти права (обременения прав), с указанием почтового адреса и (или) адреса электронной почты.
Сообщение о возможном установлении публичного сервитута
В соответствии с п. 3 ст. 39.42 Земельного кодекса Российской Федерации администрация города Благовещенска информирует о рассмотрении ходатайства ООО «АКС» об установлении публичного сервитута для размещения электрических сетей в отношении земельных участков с кадастровыми номерами:
- 28:01:130071:1, расположенного по ул. Чайковского, д. 26/4, в квартале 71;
- 28:01:130071:11, расположенного по ул. Политехническая, д. 41, в квартале 71.
Графическое описание местоположения границ публичного сервитута:
Заинтересованные лица в течение тридцати дней со дня опубликования настоящего сообщения могут ознакомиться с поступившим ходатайством об установлении публичного сервитута и прилагаемым к нему описанием местоположения границ публичного сервитута по адресу: г. Благовещенск, ул. Ленина, 133, в рабочие дни с 09-00 до 18-00 (обеденный перерыв с 13-00 до 14-00), телефон 8(4162)595-748 (официальный сайт администрации города Благовещенска – www.благовещенск.рф).
Правообладатели земельных участков, если их права не зарегистрированы в Едином государственном реестре недвижимости, в течение тридцати дней со дня опубликования настоящего сообщения могут подать заявление об учете их прав (обременений прав) на земельный участок с приложением копий документов, подтверждающих эти права (обременения прав), с указанием почтового адреса и (или) адреса электронной почты.
Сообщение о возможном установлении публичного сервитута
В соответствии с п. 3 ст. 39.42 Земельного кодекса Российской Федерации администрация города Благовещенска информирует о рассмотрении ходатайства ООО «АКС» об установлении публичного сервитута для размещения электрических сетей в отношении земельного участка с кадастровым номером 28:01:010092:17, расположенного по ул. Зейская, д. 31, в квартале 92.
Заинтересованные лица в течение тридцати дней со дня опубликования настоящего сообщения могут ознакомиться с поступившим ходатайством об установлении публичного сервитута и прилагаемым к нему описанием местоположения границ публичного сервитута по адресу: г. Благовещенск, ул. Ленина, 133,, в рабочие дни с 09-00 до 18-00, по телефону: 7(4162)595-713 (обеденный перерыв с 13-00 до 14-00) (официальный сайт администрации города Благовещенска – www.благовещенск.рф).
Правообладатели земельных участков, если их права не зарегистрированы в Едином государственном реестре недвижимости, в течение тридцати дней со дня опубликования настоящего сообщения могут подать заявление об учете их прав (обременений прав) на земельный участок с приложением копий документов, подтверждающих эти права (обременения прав), с указанием почтового адреса и (или) адреса электронной почты.
Сообщение о возможном установлении публичного сервитута
В соответствии с п. 3 ст. 39.42 Земельного кодекса Российской Федерации администрация города Благовещенска информирует о рассмотрении ходатайства ООО «АКС» об установлении публичного сервитута для размещения сетей холодного водоснабжения в отношении земельного участка с кадастровым номером 28:01:010327:79, расположенного по ул. Конная, д. 40, в квартале 327.
Графическое описание местоположения границ публичного сервитута:
Заинтересованные лица в течение тридцати дней со дня опубликования настоящего сообщения могут ознакомиться с поступившим ходатайством об установлении публичного сервитута и прилагаемым к нему описанием местоположения границ публичного сервитута по адресу: г. Благовещенск, ул. Ленина, 133, в рабочие дни с 09-00 до 18-00 (обеденный перерыв с 13-00 до 14-00), тел. 59-57-25 (официальный сайт администрации города Благовещенска – www.благовещенск.рф).
Правообладатели земельных участков, если их права не зарегистрированы в Едином государственном реестре недвижимости, в течение тридцати дней со дня опубликования настоящего сообщения могут подать заявление об учете их прав (обременений прав) на земельный участок с приложением копий документов, подтверждающих эти права (обременения прав), с указанием почтового адреса и (или) адреса электронной почты.
Сообщение о возможном установлении публичного сервитута
В соответствии с п. 3 ст. 39.42 Земельного кодекса Российской Федерации администрация города Благовещенска информирует о рассмотрении ходатайства АО «ДРСК» об установлении публичного сервитута «для размещения ВЛ-10 ПС Кооперативная Ф-4, Ф-8, КТПН-10/04 кВ № 15-6, КТПН № 15-11, ВЛ-0,4 кВ г. Благовещенск от ТП 15-11, ВЛ-10 кВ г. Благовещенск от ТП 15-17, ВЛ-0,4 кВ г. Благовещенск от ТП 15-20, ТП 10/0,4 п. Плодопитомник 15-2, ТП 10/0,4 п. Плодопитомник 15-3, КТПН-630/10/0,4 п. Плодопитомник № 15-15» в отношении:
1) земельных участков с кадастровыми номерами:
- 28:01:000000:10594, расположенный в г. Благовещенске;
- 28:01:000000:417, расположенный в г. Благовещенске;
- 28:01:030003:278, расположенный в г. Благовещенске;
- 28:01:000000: 3469, расположенный в г. Благовещенске;
- 28:01:030002:355, расположенный в ЗПУ-А1;
- 28:01:030002:276, расположенный в ЗПУ-А1;
- 28:01:030002:358, расположенный в ЗПУ-А1;
- 28:01:030002:356, расположенный в ЗПУ-А1;
- 28:01:000000:126, расположенный в г. Благовещенске;
- 28:01:030002:321, расположенный в ЗПУ-А1;
- 28:01:030002:372, расположенный в ЗПУ-А1;
- 28:01:030002:707, расположенный в ЗПУ-А1;
- 28:01:000000:2957, расположенный в ЗПУ-А1 и районе коллективных садов;
- 28:01:110125:24, расположенный в районе коллективных садов;
- 28:01:000000:2193, расположенный в районе коллективных садов;
- 28:01:000000:10322, расположенный в районе коллективных садов;
- 28:01:000000:2905, расположенный в ЗПУ-А1 и районе коллективных садов;
- 28:01:000000:11086, расположенный в ЗПУ-А1, ЗПУ-8 и районе коллективных садов;
- 28:01:100002:401, расположенный в п. Плодопитомнике, в квартале П-2;
- 28:01:100002:7, расположенный в п. Плодопитомнике, в квартале П-2;
- 28:01:100005:229, расположенный в п. Плодопитомнике, в квартале П-1;
- 28:01:100005:142, расположенный в п. Плодопитомнике, в квартале П-1;
- 28:01:100005:115, расположенный в п. Плодопитомнике, в квартале П-1;
- 28:01:100005:464, расположенный в п. Плодопитомнике, в квартале П-1;
- 28:01:100005:578, расположенный в п. Плодопитомнике, в квартале П-1;
- 28:01:100005:998, расположенный в п. Плодопитомнике, в квартале П-1;
- 28:01:100005:999, расположенный в п. Плодопитомнике, в квартале П-1;
- 28:01:100005:110, расположенный в п. Плодопитомнике, в квартале П-1;
- 28:01:100005:306, расположенный в п. Плодопитомнике, в квартале П-1;
- 28:01:100005:926, расположенный в п. Плодопитомнике, в квартале П-1;
- 28:01:100005:927, расположенный в п. Плодопитомнике, в квартале П-1;
- 28:01:100004:282, расположенный в п. Плодопитомнике, в квартале П-1;
- 28:01:100004:242, расположенный в п. Плодопитомнике, в квартале П-1;
- 28:01:100004:196, расположенный в п. Плодопитомнике, в квартале П-1;
- 28:01:100003:3, расположенный в п. Плодопитомнике, в квартале П-3;
- 28:01:100003:7, расположенный в п. Плодопитомнике, в квартале П-3, ст. Широтная, д. 7;
- 28:01:100003:1, расположенный в п. Плодопитомнике, в квартале П-3;
- 28:01:000000:10678, расположенный в районе коллективных садов;
- 28:01:000000:2903, расположенный в районе коллективных садов;
- 28:01:000000:10036, расположенный в районе коллективных садов;
- 28:01:000000:10399, расположенный в районе коллективных садов;
- 28:01:000000:2306, расположенный в районе коллективных садов;
- 28:01:000000:9497, расположенный в г. Благовещенске;
- 28:01:100005:73, расположенный в п. Плодопитомнике, в квартале П-1.
2) земель, расположенных в кадастровых кварталах: 28:01:110136, 28:01:030002, 28:01:110125, 28:01:110128, 28:01:100002, 28:01:020022, 28:01:100005, 28:01:100004, 28:01:110077, 28:01:110001, 28:01:110074, 28:01:110007.
Графическое описание местоположения границ публичного сервитута:

Заинтересованные лица в течение тридцати дней со дня опубликования настоящего сообщения могут ознакомиться с поступившим ходатайством об установлении публичного сервитута и прилагаемым к нему описанием местоположения границ публичного сервитута по адресу: г. Благовещенск, ул. Ленина, 133, в рабочие дни с 09-00 до 18-00 (обеденный перерыв с 13-00 до 14-00), тел. 595-713 (официальный сайт администрации города Благовещенска – www.благовещенск.рф).
Правообладатели земельных участков, если их права не зарегистрированы в Едином государственном реестре недвижимости, в течение тридцати дней со дня опубликования настоящего сообщения могут подать заявление об учете их прав (обременений прав) на земельный участок с приложением копий документов, подтверждающих эти права (обременения прав), с указанием почтового адреса и (или) адреса электронной почты.
Сообщение о возможном установлении публичного сервитута
В соответствии с п. 3 ст. 39.42 Земельного кодекса Российской Федерации администрация города Благовещенска информирует о рассмотрении ходатайства «Амурские коммунальные системы» об установлении публичного сервитута для размещения электрических сетей в отношении площадью 61 кв. м земельного участка с кадастровым номером 28:01:000000:2901, расположенного г. Благовещенске, с видом разрешенного использования – для строительства канализационного коллектора по объекту: «Реконструкция канализационного коллектора от Северного жилого района до очистных сооружений канализации, г. Благовещенск, Амурская область 4-я очередь».
Графическое описание местоположения границ публичного сервитута:

Сообщение о возможном установлении публичного сервитута
В соответствии с п. 3 ст. 39.42 Земельного кодекса Российской Федерации администрация города Благовещенска информирует о рассмотрении ходатайства «Амурские коммунальные системы» об установлении публичного сервитута для размещения электрических сетей в отношении части площадью 19 кв. м земельного участка с кадастровым номером 28:01:000000:303,расположенного вг. Благовещенске, с видом разрешенного использования – для размещения напорного канализационного коллектора.
Графическое описание местоположения границ публичного сервитута:

Сообщение о возможном установлении публичного сервитута
В соответствии с п. 3 ст. 39.42 Земельного кодекса Российской Федерации администрация города Благовещенска информирует о рассмотрении ходатайства «Амурские коммунальные системы» об установлении публичного сервитута для размещения электрических сетей в отношении: 1) части площадью 15 кв. м земельного участка с кадастровым номером 28:01:100002:403, расположенного в п. Плодопитомник, в квартале П-2, с видом разрешенного использования – для размещения центрального теплового пункта, теплового павильона и инженерных коммуникаций; 2) земель, государственная собственность на которые не разграничена площадью 105 кв. м, расположенных в п. Плодопитомник, в квартале П-2 (кадастровый квартал 28:01:100002).

Сообщение о возможном установлении публичного сервитута

Сообщение о возможном установлении публичного сервитута
В соответствии с п. 3 ст. 39.42 Земельного кодекса Российской Федерации администрация города Благовещенска информирует о рассмотрении ходатайства ООО «АКС» об установлении публичного сервитута для размещения сетей холодного водоснабжения в отношении земельных участков с кадастровыми номерами 28:01:010216:32, 28:01:010216:31, расположенных в квартале 216. Графическое описание местоположения границ публичного сервитута:

Заинтересованные лица в течение тридцати дней со дня опубликования настоящего сообщения могут ознакомиться с поступившим ходатайством об установлении публичного сервитута и прилагаемым к нему описанием местоположения границ публичного сервитута по адресу: г. Благовещенск, ул. Ленина, 133, в рабочие дни с 09-00 до 18-00 (обеденный перерыв с 13-00 до 14-00), тел. 99-18-11 (официальный сайт администрации города Благовещенска – www.благовещенск.рф). Правообладатели земельных участков, если их права не зарегистрированы в Едином государственном реестре недвижимости, в течение тридцати дней со дня опубликования настоящего сообщения могут подать заявление об учете их прав (обременений прав) на земельный участок с приложением копий документов, подтверждающих эти права (обременения прав), с указанием почтового адреса и (или) адреса электронной почты.
Сообщение о возможном установлении публичного сервитута
В соответствии с п. 3 ст. 39.42 Земельного кодекса Российской Федерации администрация города Благовещенска информирует о рассмотрении ходатайства ООО «АКС» об установлении публичного сервитута для размещения электрических сетей в отношении: 1. Земельного участка с кадастровым номером 28:01:100002:403, расположенного в п. Плодопитомник, в квартале П-2. 2. Земель, расположенных в кадастровом квартале 28:01:100002. Графическое описание местоположения границ публичного сервитута:
Заинтересованные лица в течение тридцати дней со дня опубликования настоящего сообщения могут ознакомиться с поступившим ходатайством об установлении публичного сервитута и прилагаемым к нему описанием местоположения границ публичного сервитута по адресу: г. Благовещенск, ул. Ленина, 133, в рабочие дни с 09-00 до 18-00 (обеденный перерыв с 13-00 до 14-00), тел. 99-18-11 (официальный сайт администрации города Благовещенска – www.благовещенск.рф). Правообладатели земельных участков, если их права не зарегистрированы в Едином государственном реестре недвижимости, в течение тридцати дней со дня опубликования настоящего сообщения могут подать заявление об учете их прав (обременений прав) на земельный участок с приложением копий документов, подтверждающих эти права (обременения прав), с указанием почтового адреса и (или) адреса электронной почты.
Сообщение о возможном установлении публичного сервитута
В соответствии с п. 3 ст. 39.42 Земельного кодекса Российской Федерации администрация города Благовещенска информирует о рассмотрении ходатайства ООО «АКС» об установлении публичного сервитута для размещения электрических сетей в отношении земельного участка с кадастровым номером 28:01:000000:2901, расположенного в г. Благовещенске.Графическое описание местоположения границ публичного сервитута:
Заинтересованные лица в течение тридцати дней со дня опубликования настоящего сообщения могут ознакомиться с поступившим ходатайством об установлении публичного сервитута и прилагаемым к нему описанием местоположения границ публичного сервитута по адресу: г. Благовещенск, ул. Ленина, 133, в рабочие дни с 09-00 до 18-00 (обеденный перерыв с 13-00 до 14- 00), телефон 8(4162)595-725 (официальный сайт администрации города Благовещенска – www.благовещенск.рф). Правообладатели земельных участков, если их права не зарегистрированы в Едином государственном реестре недвижимости, в течение тридцати дней со дня опубликования настоящего сообщения могут подать заявление об учете их прав (обременений прав) на земельный участок с приложением копий документов, подтверждающих эти права (обременения прав), с указанием почтового адреса и (или) адреса электронной почты.
Сообщение о возможном установлении публичного сервитута
В соответствии с п. 3 ст. 39.42 Земельного кодекса Российской Федерации администрация города Благовещенска информирует о рассмотрении ходатайства ООО «АКС» об установлении публичного сервитута для размещения электрических сетей в отношении земельного участка с кадастровым номером 28:01:000000:303, расположенного в г. Благовещенске. Графическое описание местоположения границ публичного сервитута:

Заинтересованные лица в течение тридцати дней со дня опубликования настоящего сообщения могут ознакомиться с поступившим ходатайством об установлении публичного сервитута и прилагаемым к нему описанием местоположения границ публичного сервитута по адресу: г. Благовещенск, ул. Ленина, 133, в рабочие дни с 09-00 до 18-00 (обеденный перерыв с 13-00 до 14- 00), телефон 8(4162)595-725 (официальный сайт администрации города Благовещенска – www.благовещенск.рф). Правообладатели земельных участков, если их права не зарегистрированы в Едином государственном реестре недвижимости, в течение тридцати дней со дня опубликования настоящего сообщения могут подать заявление об учете их прав (обременений прав) на земельный участок с приложением копий документов, подтверждающих эти права (обременения прав), с указанием почтового адреса и (или) адреса электронной почты.
Сообщение о возможном установлении публичного сервитута
В соответствии с п. 3 ст. 39.42 Земельного кодекса Российской Федерации администрация города Благовещенска информирует о рассмотрении ходатайства ООО «АКС» об установлении публичного сервитута для размещения сетей водоотведения в отношении земельных участков с кадастровыми номерами:
- 28:01:000000:12249, расположенного в кварталах 266, 342;
- 28:01:210345:1801, расположенного в квартале 342;
- 28:01:210345:1816, расположенного в квартале 346;
- 28:01:210345:1629, расположенного в квартале 346.
Графическое описание местоположения границ публичного сервитута:
Заинтересованные лица в течение тридцати дней со дня опубликования настоящего сообщения могут ознакомиться с поступившим ходатайством об установлении публичного сервитута и прилагаемым к нему описанием местоположения границ публичного сервитута по адресу: г. Благовещенск, ул. Ленина, 133, в рабочие дни с 09-00 до 18-00 (обеденный перерыв с 13-00 до 14- 00), телефон 8(4162)595-725 (официальный сайт администрации города Благовещенска – www.благовещенск.рф).
Правообладатели земельных участков, если их права не зарегистрированы в Едином государственном реестре недвижимости, в течение тридцати дней со дня опубликования настоящего сообщения могут подать заявление об учете их прав (обременений прав) на земельный участок с приложением копий документов, подтверждающих эти права (обременения прав), с указанием почтового адреса и (или) адреса электронной почты.
Сообщение о возможном установлении публичного сервитута
В соответствии с п. 3 ст. 39.42 Земельного кодекса Российской Федерации администрация города Благовещенска информирует о рассмотрении ходатайства ООО «АКС» об установлении публичного сервитута для размещения тепловых сетей в отношении земельного участка с кадастровым номером 28:01:020386:139, расположенного по ул. Театральная, 181, в квартале 386.
Графическое описание местоположения границ публичного сервитута:
Заинтересованные лица в течение тридцати дней со дня опубликования настоящего сообщения могут ознакомиться с поступившим ходатайством об установлении публичного сервитута и прилагаемым к нему описанием местоположения границ публичного сервитута по адресу: г. Благовещенск, ул. Ленина, 133, в рабочие дни с 09-00 до 18-00 (обеденный перерыв с 13-00 до 14-00), тел. 99-18-11 (официальный сайт администрации города Благовещенска – www.благовещенск.рф).
Правообладатели земельных участков, если их права не зарегистрированы в Едином государственном реестре недвижимости, в течение тридцати дней со дня опубликования настоящего сообщения могут подать заявление об учете их прав (обременений прав) на земельный участок с приложением копий документов, подтверждающих эти права (обременения прав), с указанием почтового адреса и (или) адреса электронной почты.
Сообщение о возможном установлении публичного сервитута
В соответствии с п. 3 ст. 39.42 Земельного кодекса Российской Федерации администрация города Благовещенска информирует о рассмотрении ходатайства АО «ДРСК» об установлении публичного сервитута для размещения ВЛ/КЛ-10 кВ ПС Чигири ф-27 в отношении:
1) земельных участков с кадастровыми номерами:
- 28:01:000000:10678, расположенный в с. Плодопитомник;
- 28:01:000000:3469, расположенный в г. Благовещенск;
- 28:01:020022:67, расположенный в квартале 406;
- 28:01:020022:39, расположенный в с. Плодопитомник;
- 28:01:020022:66, расположенный в квартале 406;
- 28:01:000000:2223, расположенный в г. Благовещенск;
- 28:01:020404:1331, расположенный в квартале 404;
- 28:01:020404:1330, расположенный в квартале 404;
- 28:01:020404:1325, расположенный в квартале 404;
- 28:01:020404:1324, расположенный в квартале 404.
2) земель, расположенных в кадастровых кварталах: 28:01:020404, 28:01:020022, 28:01:100002.
Графическое описание местоположения границ публичного сервитута:
Заинтересованные лица в течение тридцати дней со дня опубликования настоящего сообщения могут ознакомиться с поступившим ходатайством об установлении публичного сервитута и прилагаемым к нему описанием местоположения границ публичного сервитута по адресу: г. Благовещенск, ул. Ленина, 133, в рабочие дни с 09-00 до 18-00 (обеденный перерыв с 13-00 до 14-00), тел. 595-713 (официальный сайт администрации города Благовещенска – www.благовещенск.рф).
Правообладатели земельных участков, если их права не зарегистрированы в Едином государственном реестре недвижимости, в течение тридцати дней со дня опубликования настоящего сообщения могут подать заявление об учете их прав (обременений прав) на земельный участок с приложением копий документов, подтверждающих эти права (обременения прав), с указанием почтового адреса и (или) адреса электронной почты.
Сообщение о возможном установлении публичного сервитута
В соответствии с п. 3 ст. 39.42 Земельного кодекса Российской Федерации администрация города Благовещенска информирует о рассмотрении ходатайства МУ «ГУКС» об установлении публичного сервитута для размещения тепловых сетей в квартале 345 в отношении земельных участков с кадастровыми номерами 28:01:210345:1485, 28:01:210345:1486, 28:01:210345:522, 28:01:210345:523, 28:01:210345:525, 28:01:210345:526, 28:01:210345:766, 28:01:210345:768, расположенных в квартале 345.
Графическое описание местоположения границ публичного сервитута:
Заинтересованные лица в течение тридцати дней со дня опубликования настоящего сообщения могут ознакомиться с поступившим ходатайством об установлении публичного сервитута и прилагаемым к нему описанием местоположения границ публичного сервитута по адресу: г. Благовещенск, ул. Ленина, 133, в рабочие дни с 09-00 до 18-00 (обеденный перерыв с 13-00 до 14- 00), тел. 99-18-11 (официальный сайт администрации города Благовещенска – www.благовещенск.рф). Правообладатели земельных участков, если их права не зарегистрированы в Едином государственном реестре недвижимости, в течение тридцати дней со дня опубликования настоящего сообщения могут подать заявление об учете их прав (обременений прав) на земельный участок с приложением копий документов, подтверждающих эти права (обременения прав), с указанием почтового адреса и (или) адреса электронной почты.
Сообщение о возможном установлении публичного сервитута
В соответствии с п. 3 ст. 39.42 Земельного кодекса Российской Федерации администрация города Благовещенска информирует о рассмотрении ходатайства ООО «АКС» об установлении публичного сервитута для размещения сетей водоотведения в отношении земельных участков с кадастровыми номерами:
28:01:000000:12249, расположенного в квартале 346;
28:01:210345:1801, расположенного в квартале 346;
28:01:210345:1634, расположенного в квартале 346;
28:01:210345:799,, расположенного в квартале 342;
28:01:210345:1629 расположенных в кварталах 266, 342.
Графическое описание местоположения границ публичного сервитута:
Заинтересованные лица в течение тридцати дней со дня опубликования настоящего сообщения могут ознакомиться с поступившим ходатайством об установлении публичного сервитута и прилагаемым к нему описанием местоположения границ публичного сервитута по адресу: г. Благовещенск, ул. Ленина, 133, в рабочие дни с 09-00 до 18-00 (обеденный перерыв с 13-00 до 14-00), телефон 8(4162)595-748 (официальный сайт администрации города Благовещенска – www.благовещенск.рф).Правообладатели земельных участков, если их права не зарегистрированы в Едином государственном реестре недвижимости, в течение тридцати дней со дня опубликования настоящего сообщения могут подать заявление об учете их прав (обременений прав) на земельный участок с приложением копий документов, подтверждающих эти права (обременения прав), с указанием почтового адреса и (или) адреса электронной почты.
Сообщение о возможном установлении публичного сервитута
В соответствии с п. 3 ст. 39.42 Земельного кодекса Российской Федерации администрация города Благовещенска информирует о рассмотрении ходатайства ООО «АКС» об установлении публичного сервитута для размещения сетей водоотведения в отношении земельных участков с кадастровыми номерами 28:01:000000:12249, 28:01:210345:1801, 28:01:210345:1634, 28:01:210345:799, 28:01:210345:1629 расположенных в кварталах 266, 342, 346.
Графическое описание местоположения границ публичного сервитута:

Заинтересованные лица в течение тридцати дней со дня опубликования настоящего сообщения могут ознакомиться с поступившим ходатайством об установлении публичного сервитута и прилагаемым к нему описанием местоположения границ публичного сервитута по адресу: г. Благовещенск, ул. Ленина, 133, в рабочие дни с 09-00 до 18-00 (обеденный перерыв с 13-00 до 14-00), телефон 8(4162)595-748 (официальный сайт администрации города Благовещенска – www.благовещенск.рф).Правообладатели земельных участков, если их права не зарегистрированы в Едином государственном реестре недвижимости, в течение тридцати дней со дня опубликования настоящего сообщения могут подать заявление об учете их прав (обременений прав) на земельный участок с приложением копий документов, подтверждающих эти права (обременения прав), с указанием почтового адреса и (или) адреса электронной почты.
Сообщение о возможном установлении публичного сервитута
В соответствии с п. 3 ст. 39.42 Земельного кодекса Российской Федерации администрация города Благовещенска информирует о рассмотрении ходатайства АО «ДРСК» об установлении публичного сервитута для размещения ВЛ-10 ПС Астрахановская Ф-3, линия электропередач ВЛ-0,4 кВ, линия электропередач ВЛ-10/0,4 кВ, ТП 10/0,4 г. Благовещенск 16-2, ТП 10/0,4 г. Благовещенск 16-4, ТП 10/0,4 г. Благовещенск 16-11, ТП 10/0,4 г. Благовещенск 16-8, ТП 10/0,4 г. Благовещенск 16-6, ТП 10/0,4 г. Благовещенск 16-3, ТП 10/0,4 г. Благовещенск 16-16, ТП 10/0,4 г. Благовещенск 16-13 в отношении:
1) земельных участков с кадастровыми номерами:
- 28:01:090009:31, расположенный в с. Садовое, по ул. Садовая, д. 19, в квартале С-9;
- 28:01:090008:52, расположенный в с. Садовое, по ул. Молодежная, д. 15, в квартале С-8;
- 28:01:090020:36, расположенный в с. Садовое, в квартале С-20;
- 28:01:090020:63, расположенный в с. Садовое, в квартале С-20;
- 28:01:200019:2, расположенный в с. Садовое, в квартале 530;
- 28:01:090007:3, расположенный в с. Садовое, по ул. Молодежная, д.13, кв. 3, в квартале С-7;
- 28:01:090002:7, расположенный в с. Садовое, по ул. Молодежная, д. 3, кв. 1, в квартале С-2;
- 28:01:090019:56, расположенный в с. Садовое, в квартале С-17;
- 28:01:000000:444, расположенный в с. Садовое;
- 28:01:000000:10517, расположенный в с. Садовое;
- 28:01:000000:10277, расположенный в с. Садовое;
- 28:01:000000:8076, расположенный в с. Садовое;
- 28:01:170137:2, расположенный в районе коллективных садов;
- 28:01:170137:18, расположенный в районе коллективных садов;
- 28:01:000000:2914, расположенный в с. Садовое;
- 28:01:170138:1, расположенный в районе коллективных садов;
- 28:01:170135:49, расположенный в районе коллективных садов;
- 28:01:170138:4, расположенный в районе коллективных садов;
- 28:01:000000:3075, расположенный в с. Садовое;
- 28:01:020002:3, расположенный в с. Садовое, в квартале 529;
- 28:01:020002:117, расположенный в с. Садовое, в квартале 529;
- 28:01:020518:25, расположенный в с. Садовое, в квартале 518;
- 28:01:020513:32, расположенный в с. Садовое, в квартале 513;
- 28:01:020513:50, расположенный в с. Садовое, в квартале 513;
- 28:01:020513:40, расположенный в с. Садовое, в квартале 513;
- 28:01:090005:20, расположенный в с. Садовое, по ул. Солнечная, д. 16, в квартале С-5;
- 28:01:090005:203, расположенный в с. Садовое, по ул. Строительная, д. 5, в квартале С-5;
- 28:01:090005:126, расположенный в с. Садовое, по ул. Строительная, д. 7, в квартале С-5;
- 28:01:090005:15, расположенный в с. Садовое, в квартале С-5;
- 28:01:090005:123, расположенный в с. Садовое, в квартале С-5;
- 28:01:090005:25, расположенный в с. Садовое, в квартале С-5;
- 28:01:090005:136, расположенный в с. Садовое, в квартале С-5;
- 28:01:090005:37, расположенный в с. Садовое, по ул. Строительная, д. 2, в квартале С-5;
- 28:01:090005:124, расположенный в с. Садовое, в квартале С-5;
- 28:01:090005:139, расположенный в с. Садовое, в квартале С-5;
- 28:01:090005:140, расположенный в с. Садовое, по ул. Солнечная, д. 11, в квартале С-5;
- 28:01:090005:128, расположенный в с. Садовое, в квартале С-5;
- 28:01:090005:34, расположенный в с. Садовое, по ул. Солнечная, д. 6, в квартале С-5;
- 28:01:090005:130, расположенный в с. Садовое, по ул. Солнечная, д. 19, в квартале С-5;
- 28:01:090005:137, расположенный в с. Садовое, по ул. Солнечная, д. 21, в квартале С-5;
- 28:01:090005:144, расположенный в с. Садовое, в квартале С-5;
- 28:01:090017:21, расположенный в с. Садовое, пер. Садовый, д. 10, кв. 2, в квартале С-17;
- 28:01:090017:22, расположенный в с. Садовое, пер. Садовый, д. 12, кв. 1, в квартале С-17;
- 28:01:090011:5, расположенный в с. Садовое, по ул. Юбилейная, д. 7А, в квартале С-11;
- 28:01:090011:2, расположенный в с. Садовое, по ул. Юбилейная, д. 1, в квартале С-11;
- 28:01:090011:4, расположенный в с. Садовое, по ул. Юбилейная, д. 13, в квартале С-11;
- 28:01:090014:6, расположенный в с. Садовое, по ул. Юбилейная, д. 16, в квартале С-14;
- 28:01:090014:14, расположенный в с. Садовое, по ул. Юбилейная, д. 11 а, в квартале С-14;
- 28:01:090013:4, расположенный в с. Садовое, по ул. Юбилейная, д. 22, в квартале С-13;
- 28:01:090015:12, расположенный в с. Садовое, в квартале С-15;
- 28:01:090015:7, расположенный в с. Садовое, по ул. Юбилейная, д. 10, в квартале С-15;
- 28:01:090016:12, расположенный в с. Садовое, по ул. Высокая, д. 6/2, в квартале С-16;
- 28:01:090016:13, расположенный в с. Садовое, в квартале С-16;
- 28:01:090016:2, расположенный в с. Садовое, по ул. Высокая, д. 8, в квартале С-16;
- 28:01:020516:23, расположенный в с. Садовое, в квартале 516;
- 28:01:020516:24, расположенный в с. Садовое, в квартале 516;
- 28:01:020516:26, расположенный в с. Садовое, в квартале 516;
- 28:01:020516:21, расположенный в с. Садовое, в квартале 516;
- 28:01:020516:42, расположенный в с. Садовое, в квартале 516;
- 28:01:020516:27, расположенный в с. Садовое, в квартале 516;
- 28:01:020516:29, расположенный в с. Садовое, в квартале 516;
- 28:01:020516:20, расположенный в г. Благовещенск, по ул. Придорожная, д. 50, в квартале 516;
- 28:01:020516:45, расположенный в с. Садовое, в квартале 516;
- 28:01:000000:2105, расположенный в с. Садовое;
- 28:01:000000:2302, расположенный в с. Садовое;
- 28:01:000000:10213, расположенный в с. Садовое;
- 28:01:000000:3455, расположенный в с. Садовое;
- 28:01:020518:26, расположенный в с. Садовое, в квартале 518;
- 28:01:020518:2, расположенный в с. Садовое, в квартале 518;
- 28:01:021513:10, расположенный в г. Благовещенске, ул. Степная, д. 7, в квартале 513А;
- 28:01:021513:7, расположенный в с. Садовое, в квартале 513А;
- 28:01:090005:141, расположенный в с. Садовое, в квартале С-5;
- 28:01:021513:43, расположенный в с. Садовое, в квартале 513А;
- 28:01:090009:31, расположенный в с. Садовое, по ул. Садовая, д. 19, в квартале С-9;
- 28:01:090007:15, расположенный в с. Садовое, в квартале С-7;
- 28:01:090017:29, расположенный в с. Садовое, в квартале С-17.
2) земель, расположенных в кадастровых кварталах:
- 28:01:090009;- 28:01:090008;- 28:01:090020;- 28:01:090019;- 28:01:200019;- 28:01:090007;
- 28:01:090002;- 28:01:090004;- 28:01:090003;- 28:01:090018;- 28:01:090019;- 28:01:090005;
- 28:01:090017;- 28:01:170137;- 28:01:020001;- 28:01:170138;- 28:01:020002;- 28:01:020523;
- 28:01:020519;- 28:01:020518;- 28:01:021515;- 28:01:020515;- 28:01:020513;- 28:01:020506;
- 28:01:020527;- 28:01:040737;- 28:01:090011;- 28:01:090014;- 28:01:090013;- 28:01:090015;
- 28:01:090016;- 28:01:170135;- 28:01:170136;- 28:01:020516;- 28:01:020514;- 28:01:021513.
Графическое описание местоположения границ публичного сервитута:
.jpg)
Заинтересованные лица в течение тридцати дней со дня опубликования настоящего сообщения могут ознакомиться с поступившим ходатайством об установлении публичного сервитута и прилагаемым к нему описанием местоположения границ публичного сервитута по адресу: г. Благовещенск, ул. Ленина, 133, в рабочие дни с 09-00 до 18-00 (обеденный перерыв с 13-00 до 14-00), тел. 99-18-11 (официальный сайт администрации города Благовещенска – www.благовещенск.рф).
Правообладатели земельных участков, если их права не зарегистрированы в Едином государственном реестре недвижимости, в течение тридцати дней со дня опубликования настоящего сообщения могут подать заявление об учете их прав (обременений прав) на земельный участок с приложением копий документов, подтверждающих эти права (обременения прав), с указанием почтового адреса и (или) адреса электронной почты.
Сообщение о возможном установлении публичного сервитута
В соответствии с п. 3 ст. 39.42 Земельного кодекса Российской Федерации администрация города Благовещенска информирует о рассмотрении ходатайства АО «ДРСК» об установлении публичного сервитута для размещения ВЛ-10 ПС Астрахановка ф-18, ВЛ-0,4 с. Астрахановка, ТП 16-15 г. Благовещенск, ВЛ-10/0,4 кВ от опоры ВЛ-10 кВ Ф-18 ПС 35/10 Астрахановка в отношении:
1. Земельных участков с кадастровыми номерами:
- 28:01:040737:136, расположенный в квартале 737;
- 28:01:040737:80, расположенный в квартале 737;
- 28:01:040737:79, расположенный в квартале 737;
- 28:01:040737:82, расположенный в квартале 737;
- 28:01:040737:66, расположенный в квартале 737;
- 28:01:040737:70, расположенный в квартале 737;
- 28:01:000000:2121, расположенный в кварталах 737, 744;
- 28:01:000000:11065, расположенный в кварталах 737, 744;
- 28:01:040737:75, расположенный в квартале 737;
- 28:01:000000:10188, расположенный в квартале 737;
- 28:01:040001:569, расположенный в квартале 744;
- 28:01:040001:575, расположенный в квартале 744;
- 28:01:040001:868, расположенный в квартале 744;
- 28:01:040737:135, расположенный в квартале 737.
2. Земель, расположенных в кадастровых кварталах: 28:01:040737, 28:01:040001.
Графическое описание местоположения границ публичного сервитута:

Заинтересованные лица в течение тридцати дней со дня опубликования настоящего сообщения могут ознакомиться с поступившим ходатайством об установлении публичного сервитута и прилагаемым к нему описанием местоположения границ публичного сервитута по адресу: г. Благовещенск, ул. Ленина, 133, в рабочие дни с 09-00 до 18-00 (обеденный перерыв с 13-00 до 14-00), тел. 99-18-11 (официальный сайт администрации города Благовещенска – www.благовещенск.рф).
Правообладатели земельных участков, если их права не зарегистрированы в Едином государственном реестре недвижимости, в течение тридцати дней со дня опубликования настоящего сообщения могут подать заявление об учете их прав (обременений прав) на земельный участок с приложением копий документов, подтверждающих эти права (обременения прав), с указанием почтового адреса и (или) адреса электронной почты.
Сообщение о возможном установлении публичного сервитута
В соответствии с п. 3 ст. 39.42 Земельного кодекса Российской Федерации администрация города Благовещенска информирует о рассмотрении ходатайства АО «ДРСК» об установлении публичного сервитута для размещения ВЛ-10 ПС Чигири Ф-2 в отношении:
1) земельных участков с кадастровыми номерами:
- 28:01:000000:10678, расположенный в с. Плодопитомник, в квартале П-2;
- 28:01:100002:425, расположенный в с. Плодопитомник, в квартале П-2;
- 28:01:100002:13, расположенный в с. Плодопитомник, в квартале П-2;
- 28:01:000000:2306, расположенный в районе коллективных садов;
- 28:01:000000:10036, расположенный в районе коллективных садов;
- 28:01:000000:2903, расположенный в районе коллективных садов;
- 28:01:000000:10674, расположенный в районе коллективных садов;
- 28:10:000000:4359, расположенный в районе коллективных садов;
- 28:10:130145:37, расположенный в районе коллективных садов.
2) земель, расположенных в кадастровых кварталах:
- 28:01:100002;
- 28:01:100001;
- 28:01:110007;
- 28:01:110001;
- 28:01:110017;
- 28:01:110277.
Графическое описание местоположения границ публичного сервитута:

Заинтересованные лица в течение тридцати дней со дня опубликования настоящего сообщения могут ознакомиться с поступившим ходатайством об установлении публичного сервитута и прилагаемым к нему описанием местоположения границ публичного сервитута по адресу: г. Благовещенск, ул. Ленина, 133, в рабочие дни с 09-00 до 18-00 (обеденный перерыв с 13-00 до 14-00), тел. 595-713 (официальный сайт администрации города Благовещенска – www.благовещенск.рф). Правообладатели земельных участков, если их права не зарегистрированы в Едином государственном реестре недвижимости, в течение тридцати дней со дня опубликования настоящего сообщения могут подать заявление об учете их прав (обременений прав) на земельный участок с приложением копий документов, подтверждающих эти права (обременения прав), с указанием почтового адреса и (или) адреса электронной почты.
Сообщение о возможном установлении публичного сервитута
В соответствии с п. 3 ст. 39.42 Земельного кодекса Российской Федерации администрация города Благовещенска информирует о рассмотрении ходатайства ООО «АКС» об установлении публичного сервитута для размещения сетей холодного водоснабжения в отношении земельных участков с кадастровыми номерами:
- 28:01:020800:1075, расположенного по ул. Муравьева-Амурского, 5/2, в квартале 800;
- 28:01:020800:16, расположенного по ул. Строителей, 79/1, в квартале 800.
Графическое описание местоположения границ публичного сервитута:

Заинтересованные лица в течение тридцати дней со дня опубликования настоящего сообщения могут ознакомиться с поступившим ходатайством об установлении публичного сервитута и прилагаемым к нему описанием местоположения границ публичного сервитута по адресу: г. Благовещенск, ул. Ленина, 133, в рабочие дни с 09-00 до 18-00 (обеденный перерыв с 13-00 до 14-00), тел. 59-57-25 (официальный сайт администрации города Благовещенска – www.благовещенск.рф).
Правообладатели земельных участков, если их права не зарегистрированы в Едином государственном реестре недвижимости, в течение тридцати дней со дня опубликования настоящего сообщения могут подать заявление об учете их прав (обременений прав) на земельный участок с приложением копий документов, подтверждающих эти права (обременения прав), с указанием почтового адреса и (или) адреса электронной почты.
Сообщение о возможном установлении публичного сервитута
В соответствии с п. 3 ст. 39.42 Земельного кодекса Российской Федерации администрация города Благовещенска информирует о рассмотрении ходатайства ООО «АКС» об установлении публичного сервитута для размещения электрических сетей в отношении земельных участков с кадастровыми номерами 28:01:020438:147, 28:01:020438:148, расположенных по ул. Островского, д. 273, в квартале 438.
Графическое описание местоположения границ публичного сервитута:

Заинтересованные лица в течение тридцати дней со дня опубликования настоящего сообщения могут ознакомиться с поступившим ходатайством об установлении публичного сервитута и прилагаемым к нему описанием местоположения границ публичного сервитута по адресу: г. Благовещенск, ул. Ленина, 133, каб. 222, в рабочие дни с 09-00 до 18-00 (обеденный перерыв с 13-00 до 14-00) (официальный сайт администрации города Благовещенска – www.благовещенск.рф).
Правообладатели земельных участков, если их права не зарегистрированы в Едином государственном реестре недвижимости, в течение тридцати дней со дня опубликования настоящего сообщения могут подать заявление об учете их прав (обременений прав) на земельный участок с приложением копий документов, подтверждающих эти права (обременения прав), с указанием почтового адреса и (или) адреса электронной почты.
Сообщение о возможном установлении публичного сервитута
В соответствии с п. 3 ст. 39.42 Земельного кодекса Российской Федерации администрация города Благовещенска информирует о рассмотрении ходатайства ООО «АКС» об установлении публичного сервитута для размещения электрических сетей в отношении земельного участка с кадастровым номером 28:01:130076:10, расположенного по ул. Фрунзе, д. 58, в квартале 76.
Графическое описание местоположения границ публичного сервитута:

Заинтересованные лица в течение тридцати дней со дня опубликования настоящего сообщения могут ознакомиться с поступившим ходатайством об установлении публичного сервитута и прилагаемым к нему описанием местоположения границ публичного сервитута по адресу: г. Благовещенск, ул. Ленина, 133, каб. 222, в рабочие дни с 09-00 до 18-00 (обеденный перерыв с 13-00 до 14-00) (официальный сайт администрации города Благовещенска – www.благовещенск.рф).
Правообладатели земельных участков, если их права не зарегистрированы в Едином государственном реестре недвижимости, в течение тридцати дней со дня опубликования настоящего сообщения могут подать заявление об учете их прав (обременений прав) на земельный участок с приложением копий документов, подтверждающих эти права (обременения прав), с указанием почтового адреса и (или) адреса электронной почты.
Сообщение о возможном установлении публичного сервитута
В соответствии с п. 3 ст. 39.42 Земельного кодекса Российской Федерации администрация города Благовещенска информирует о рассмотрении ходатайства ООО «АКС» об установлении публичного сервитута для размещения электрических сетей в отношении земельного участка с кадастровым номером 28:01:130069:2, расположенного по ул. Чайковского, 16, в квартале 69.
Графическое описание местоположения границ публичного сервитута:

Заинтересованные лица в течение тридцати дней со дня опубликования настоящего сообщения могут ознакомиться с поступившим ходатайством об установлении публичного сервитута и прилагаемым к нему описанием местоположения границ публичного сервитута по адресу: г. Благовещенск, ул. Ленина, 133, в рабочие дни с 09-00 до 18-00 (обеденный перерыв с 13-00 до 14-00), тел. 595-713 (официальный сайт администрации города Благовещенска – www.благовещенск.рф).
Правообладатели земельных участков, если их права не зарегистрированы в Едином государственном реестре недвижимости, в течение тридцати дней со дня опубликования настоящего сообщения могут подать заявление об учете их прав (обременений прав) на земельный участок с приложением копий документов, подтверждающих эти права (обременения прав), с указанием почтового адреса и (или) адреса электронной почты.
Сообщение о возможном установлении публичного сервитута
В соответствии с п. 3 ст. 39.42 Земельного кодекса Российской Федерации администрация города Благовещенска информирует о рассмотрении ходатайства ООО «АКС» об установлении публичного сервитута для размещения тепловых сетей в отношении земельного участка с кадастровым номером 28:01:020385:376, расположенного в кварталах 385, 387.
Графическое описание местоположения границ публичного сервитута:

Заинтересованные лица в течение тридцати дней со дня опубликования настоящего сообщения могут ознакомиться с поступившим ходатайством об установлении публичного сервитута и прилагаемым к нему описанием местоположения границ публичного сервитута по адресу: г. Благовещенск, ул. Ленина, 133, каб. 222, в рабочие дни с 09-00 до 18-00 (обеденный перерыв с 13-00 до 14-00) (официальный сайт администрации города Благовещенска – www.благовещенск.рф).Правообладатели земельных участков, если их права не зарегистрированы в Едином государственном реестре недвижимости, в течение тридцати дней со дня опубликования настоящего сообщения могут подать заявление об учете их прав (обременений прав) на земельный участок с приложением копий документов, подтверждающих эти права (обременения прав), с указанием почтового адреса и (или) адреса электронной почты.
Сообщение о возможном установлении публичного сервитута
В соответствии с п. 3 ст. 39.42 Земельного кодекса Российской Федерации администрация города Благовещенска информирует о рассмотрении ходатайства ООО «АКС» об установлении публичного сервитута для размещения электрических сетей в отношении земельного участка с кадастровым номером 28:01:010200:30, расположенного по ул. Трудовая, д. 62, в квартале 200.
Графическое описание местоположения границ публичного сервитута:

Заинтересованные лица в течение тридцати дней со дня опубликования настоящего сообщения могут ознакомиться с поступившим ходатайством об установлении публичного сервитута и прилагаемым к нему описанием местоположения границ публичного сервитута по адресу: г. Благовещенск, ул. Ленина, 133, в рабочие дни с 09-00 до 18-00 (обеденный перерыв с 13-00 до 14-00), телефон 8(4162)595-748 (официальный сайт администрации города Благовещенска – www.благовещенск.рф).
Правообладатели земельных участков, если их права не зарегистрированы в Едином государственном реестре недвижимости, в течение тридцати дней со дня опубликования настоящего сообщения могут подать заявление об учете их прав (обременений прав) на земельный участок с приложением копий документов, подтверждающих эти права (обременения прав), с указанием почтового адреса и (или) адреса электронной почты.
Сообщение о возможном установлении публичного сервитута
В соответствии с п. 3 ст. 39.42 Земельного кодекса Российской Федерации администрация города Благовещенска информирует о рассмотрении ходатайства ООО «АКС» об установлении публичного сервитута для размещения электрических сетей в отношении земельного участка с кадастровым номером 28:01:130069:2, расположенного по ул. Чайковского, 16, в квартале 69.
Графическое описание местоположения границ публичного сервитута:

Заинтересованные лица в течение тридцати дней со дня опубликования настоящего сообщения могут ознакомиться с поступившим ходатайством об установлении публичного сервитута и прилагаемым к нему описанием местоположения границ публичного сервитута по адресу: г. Благовещенск, ул. Ленина, 133, в рабочие дни с 09-00 до 18-00 (обеденный перерыв с 13-00 до 14-00), телефон 8(4162)595-748 (официальный сайт администрации города Благовещенска – www.благовещенск.рф).
Правообладатели земельных участков, если их права не зарегистрированы в Едином государственном реестре недвижимости, в течение тридцати дней со дня опубликования настоящего сообщения могут подать заявление об учете их прав (обременений прав) на земельный участок с приложением копий документов, подтверждающих эти права (обременения прав), с указанием почтового адреса и (или) адреса электронной почты.
Сообщение о возможном установлении публичного сервитута
В соответствии с п. 3 ст. 39.42 Земельного кодекса Российской Федерации администрация города Благовещенска информирует о рассмотрении ходатайства ООО «АКС» об установлении публичного сервитута для размещения тепловых сетей в отношении земельного участка с кадастровым номером 28:01:020386:49, расположенного в квартале 386.
Графическое описание местоположения границ публичного сервитута:

Заинтересованные лица в течение тридцати дней со дня опубликования настоящего сообщения могут ознакомиться с поступившим ходатайством об установлении публичного сервитута и прилагаемым к нему описанием местоположения границ публичного сервитута по адресу: г. Благовещенск, ул. Ленина, 133, каб. 222, в рабочие дни с 09-00 до 18-00 (обеденный перерыв с 13-00 до 14-00) (официальный сайт администрации города Благовещенска – www.благовещенск.рф). Правообладатели земельных участков, если их права не зарегистрированы в Едином государственном реестре недвижимости, в течение тридцати дней со дня опубликования настоящего сообщения могут подать заявление об учете их прав (обременений прав) на земельный участок с приложением копий документов, подтверждающих эти права (обременения прав), с указанием почтового адреса и (или) адреса электронной почты.
Сообщение о возможном установлении публичного сервитута
В соответствии с п. 3 ст. 39.42 Земельного кодекса Российской Федерации администрация города Благовещенска информирует о рассмотрении ходатайства ООО «АКС» об установлении публичного сервитута для размещения сетей холодного водоснабжения в отношении земельных участков с кадастровыми номерами:
- 28:01:210345:203, расположенный в квартале 346;
- 28:01:000000:2947, расположенный в кварталах 266, 342.
Графическое описание местоположения границ публичного сервитута:

Заинтересованные лица в течение тридцати дней со дня опубликования настоящего сообщения могут ознакомиться с поступившим ходатайством об установлении публичного сервитута и прилагаемым к нему описанием местоположения границ публичного сервитута по адресу: г. Благовещенск, ул. Ленина, 133, каб. 222, в рабочие дни с 09-00 до 18-00 (обеденный перерыв с 13-00 до 14-00) (официальный сайт администрации города Благовещенска – www.благовещенск.рф). Правообладатели земельных участков, если их права не зарегистрированы в Едином государственном реестре недвижимости, в течение тридцати дней со дня опубликования настоящего сообщения могут подать заявление об учете их прав (обременений прав) на земельный участок с приложением копий документов, подтверждающих эти права (обременения прав), с указанием почтового адреса и (или) адреса электронной почты.
Сообщение о возможном установлении публичного сервитута
В соответствии с п. 3 ст. 39.42 Земельного кодекса Российской Федерации администрация города Благовещенска информирует о рассмотрении ходатайства АО «ДРСК» об установлении публичного сервитута для размещения ЛЭП-10 кВ в отношении земельного участка с кадастровым номером 28:01:040001:218, расположенный в квартале 744.
Графическое описание местоположения границ публичного сервитута:

Заинтересованные лица в течение тридцати дней со дня опубликования настоящего сообщения могут ознакомиться с поступившим ходатайством об установлении публичного сервитута и прилагаемым к нему описанием местоположения границ публичного сервитута по адресу: г. Благовещенск, ул. Ленина, 133, каб. 222, в рабочие дни с 09-00 до 18-00 (обеденный перерыв с 13-00 до 14-00) (официальный сайт администрации города Благовещенска – www.благовещенск.рф). Правообладатели земельных участков, если их права не зарегистрированы в Едином государственном реестре недвижимости, в течение тридцати дней со дня опубликования настоящего сообщения могут подать заявление об учете их прав (обременений прав) на земельный участок с приложением копий документов, подтверждающих эти права (обременения прав), с указанием почтового адреса и (или) адреса электронной почты.
Сообщение о возможном установлении публичного сервитута
В соответствии с п. 3 ст. 39.42 Земельного кодекса Российской Федерации администрация города Благовещенска информирует о рассмотрении ходатайства ООО «АКС» об установлении публичного сервитута для размещения сетей водоотведения и холодного водоснабжения в отношении земельного участка с кадастровым номером 28:01:010300:831, расположенного по ул. Тополиная, д. 82, в квартале 300 А.
Графическое описание местоположения границ публичного сервитута:

Заинтересованные лица в течение тридцати дней со дня опубликования настоящего сообщения могут ознакомиться с поступившим ходатайством об установлении публичного сервитута и прилагаемым к нему описанием местоположения границ публичного сервитута по адресу: г. Благовещенск, ул. Ленина, 133, каб. 222, в рабочие дни с 09-00 до 18-00 (обеденный перерыв с 13-00 до 14-00) (официальный сайт администрации города Благовещенска – www.благовещенск.рф). Правообладатели земельных участков, если их права не зарегистрированы в Едином государственном реестре недвижимости, в течение тридцати дней со дня опубликования настоящего сообщения могут подать заявление об учете их прав (обременений прав) на земельный участок с приложением копий документов, подтверждающих эти права (обременения прав), с указанием почтового адреса и (или) адреса электронной почты.
Сообщение о возможном установлении публичного сервитута
В соответствии с п. 3 ст. 39.42 Земельного кодекса Российской Федерации администрация города Благовещенска информирует о рассмотрении ходатайства АО «ДРСК» об установлении публичного сервитута для размещения ВЛ-10 кВ ПС Западная ф-42, линии электропередач ВЛ-10/0,4 кВ, ТП-10/0,4 кВ, ТП - № 19-7 в отношении:
1. земельных участков с кадастровыми номерами:
- 28:01:010427:26, расположенный в квартале 427;
- 28:01:010427:4, расположенный в квартале 427;
- 28:01:010427:88, расположенный в квартале 427;
- 28:01:010104:32, расположенный в квартале 104;
- 28:01:000000:10598, расположенный в кварталах 104, 431;
- 28:01:030007:39, расположенный в ЗПУ-6;
- 28:01:030007:335, расположенный в ЗПУ-6;
- 28:01:030007:1265, расположенный в ЗПУ-6;
- 28:01:030007:321, расположенный в ЗПУ-6;
- 28:01:030007:785, расположенный в ЗПУ-6;
- 28:01:030007:786, расположенный в ЗПУ-6;
- 28:01:030007:783, расположенный в ЗПУ-6;
- 28:01:030007:270, расположенный в ЗПУ-6;
- 28:01:030007:771, расположенный в ЗПУ-6;
- 28:01:030007:770, расположенный в ЗПУ-6;
- 28:01:030007:22, расположенный в ЗПУ-6;
- 28:01:030007:258, расположенный в ЗПУ-6;
- 28:01:000000:10594, расположенный в квартале 666Б;
- 28:01:110137:1, расположенный в ЗПУ-9;
- 28:01:000000:350, расположенный в ЗПУ-9;
- 28:01:000000:2913, расположенный в ЗПУ-6, квартале 666Б;
- 28:01:030007:258, расположенный в ЗПУ-6;
- 28:01:000000:10593, расположенный в ЗПУ-6;
2. земель, расположенных в кадастровых кварталах: 28:01:010427, 28:01:030007, 28:01:110222, 28:01:110137.
Графическое описание местоположения границ публичного сервитута:

Заинтересованные лица в течение тридцати дней со дня опубликования настоящего сообщения могут ознакомиться с поступившим ходатайством об установлении публичного сервитута и прилагаемым к нему описанием местоположения границ публичного сервитута по адресу: г. Благовещенск, ул. Ленина, 133, каб. 222, в рабочие дни с 09-00 до 18-00 (обеденный перерыв с 13-00 до 14-00) (официальный сайт администрации города Благовещенска – www.благовещенск.рф).
Правообладатели земельных участков, если их права не зарегистрированы в Едином государственном реестре недвижимости, в течение тридцати дней со дня опубликования настоящего сообщения могут подать заявление об учете их прав (обременений прав) на земельный участок с приложением копий документов, подтверждающих эти права (обременения прав), с указанием почтового адреса и (или) адреса электронной почты.
Сообщение о возможном установлении публичного сервитута
В соответствии с п. 3 ст. 39.42 Земельного кодекса Российской Федерации администрация города Благовещенска информирует о рассмотрении ходатайства АО «ДРСК» об установлении публичного сервитута для размещения ВЛ-10 кВ ПС Кирпичная ф - 7 в отношении:
1. земельных участков с кадастровыми номерами:
- 28:01:000000:10454, расположенного в г. Благовещенске;
- 28:01:020491:72, расположенного в квартале 491;
- 28:01:000000:268, расположенного в г. Благовещенске;
- 28:01:020004:211, расположенного в СПУ-5;
2. земель, расположенных в кадастровых кварталах:
- 28:01:020498;
- 28:01:020491
- 28:01:020004;
- 28:01:020494.
Графическое описание местоположения границ публичного сервитута:

Заинтересованные лица в течение тридцати дней со дня опубликования настоящего сообщения могут ознакомиться с поступившим ходатайством об установлении публичного сервитута и прилагаемым к нему описанием местоположения границ публичного сервитута по адресу: г. Благовещенск, ул. Ленина, 133, каб. 222, в рабочие дни с 09-00 до 18-00 (обеденный перерыв с 13-00 до 14-00) (официальный сайт администрации города Благовещенска – www.благовещенск.рф).
Правообладатели земельных участков, если их права не зарегистрированы в Едином государственном реестре недвижимости, в течение тридцати дней со дня опубликования настоящего сообщения могут подать заявление об учете их прав (обременений прав) на земельный участок с приложением копий документов, подтверждающих эти права (обременения прав), с указанием почтового адреса и (или) адреса электронной почты.
Сообщение о возможном установлении публичного сервитута
В соответствии с п. 3 ст. 39.42 Земельного кодекса Российской Федерации администрация города Благовещенска информирует о рассмотрении ходатайства ООО «АКС» об установлении публичного сервитута для размещения сетей водоотведения в отношении земельного участка с кадастровым номером 28:01:130027:423, расположенного по ул. Зейская, д. 220, в квартале 27.
Графическое описание местоположения границ публичного сервитута:

Заинтересованные лица в течение тридцати дней со дня опубликования настоящего сообщения могут ознакомиться с поступившим ходатайством об установлении публичного сервитута и прилагаемым к нему описанием местоположения границ публичного сервитута по адресу: г. Благовещенск, ул. Ленина, 133, каб. 222, в рабочие дни с 09-00 до 18-00 (обеденный перерыв с 13-00 до 14-00) (официальный сайт администрации города Благовещенска – www.благовещенск.рф).
Правообладатели земельных участков, если их права не зарегистрированы в Едином государственном реестре недвижимости, в течение тридцати дней со дня опубликования настоящего сообщения могут подать заявление об учете их прав (обременений прав) на земельный участок с приложением копий документов, подтверждающих эти права (обременения прав), с указанием почтового адреса и (или) адреса электронной почты.
Сообщение о возможном установлении публичного сервитута
В соответствии с п. 3 ст. 39.42 Земельного кодекса Российской Федерации администрация города Благовещенска информирует о рассмотрении ходатайства ООО «АКС» об установлении публичного сервитута для размещения сетей холодного водоснабжения в отношении земельного участка с кадастровым номером 28:01:130027:423, расположенного по ул. Зейская, д. 220, в квартале 27.
Графическое описание местоположения границ публичного сервитута:

Заинтересованные лица в течение тридцати дней со дня опубликования настоящего сообщения могут ознакомиться с поступившим ходатайством об установлении публичного сервитута и прилагаемым к нему описанием местоположения границ публичного сервитута по адресу: г. Благовещенск, ул. Ленина, 133, каб. 222, в рабочие дни с 09-00 до 18-00 (обеденный перерыв с 13-00 до 14-00) (официальный сайт администрации города Благовещенска – www.благовещенск.рф).
Правообладатели земельных участков, если их права не зарегистрированы в Едином государственном реестре недвижимости, в течение тридцати дней со дня опубликования настоящего сообщения могут подать заявление об учете их прав (обременений прав) на земельный участок с приложением копий документов, подтверждающих эти права (обременения прав), с указанием почтового адреса и (или) адреса электронной почты.
Сообщение о возможном установлении публичного сервитута
В соответствии с п. 3 ст. 39.42 Земельного кодекса Российской Федерации администрация города Благовещенска информирует о рассмотрении ходатайства АО «ДРСК» об установлении публичного сервитута для размещения ВЛ-10 ПС Астрахановка Ф-2А в отношении:
1. земельных участков с кадастровыми номерами:
- 28:01:040737:71, расположенный в квартале 737;
- 28:01:000000:3075, расположенный в г. Благовещенске;
- 28:01:020495:14, расположенный в квартале 495;
- 28:01:020496:133, расположенный по ул. Песчаная, д. 53, в квартале 496;
- 28:01:020495:50, расположенный по ул. Песчаная, д. 51, в квартале 495;
- 28:01:020004:267, расположенный в СПУ-5;
- 28:01:020004:1, расположенный в СПУ-5;
- 28:01:020004:10, расположенный в СПУ-5;
- 28:01:020506:68, расположенный в квартале 506;
- 28:01:020499:94, расположенный в квартале 499;
- 28:01:020498:21, расположенный в квартале 498;
- 28:01:020498:15, расположенный по пер. Энергетиков 1-й, д. 5, в квартале 498;
- 28:01:020498:13, расположенный по пер. Энергетиков-1, д. 7, в квартале 498;
- 28:01:020498:100, расположенный по пер. Энергетиков-2, д. 8, в квартале 498;
- 28:01:020498:2, расположенный по пер. Энергетиков-2, д. 10, в квартале 498;
- 28:01:020498:49, расположенный в квартале 498;
- 28:01:020498:34, расположенный по пер. Энергетиков-2, д. 4, в квартале 498;
- 28:01:020495:104, расположенный по ул. Ровная, д. 40, в квартале 495;
- 28:01:020495:86, расположенный по ул. Песчаная, д. 47, в квартале 495;
- 28:01:020499:94, расположенный в квартале 499;
- 28:01:170150:50, расположенный в районе коллективных садов;
- 28:01:020495:54, расположенный по ул. Песчаная, д. 63, в квартале 495;
- 28:01:020495:98, расположенный по ул. Ровная, д. 43, в квартале 495;
- 28:01:000000:11898, расположенный в районе коллективных садов.
2. земель, расположенных в кадастровых кварталах:
- 28:01:040737;
- 28:01:020506;
- 28:01:020507;
- 28:01:020504;
- 28:01:020503;
- 28:01:020498;
- 28:01:020499;
- 28:01:020496;
- 28:01:020495;
- 28:01:020003;
- 28:01:020004;
- 28:01:170150;
- 28:01:170167.
Графическое описание местоположения границ публичного сервитута:

Заинтересованные лица в течение тридцати дней со дня опубликования настоящего сообщения могут ознакомиться с поступившим ходатайством об установлении публичного сервитута и прилагаемым к нему описанием местоположения границ публичного сервитута по адресу: г. Благовещенск, ул. Ленина, 133, каб. 222, в рабочие дни с 09-00 до 18-00 (обеденный перерыв с 13-00 до 14-00) (официальный сайт администрации города Благовещенска – www.благовещенск.рф).
Правообладатели земельных участков, если их права не зарегистрированы в Едином государственном реестре недвижимости, в течение тридцати дней со дня опубликования настоящего сообщения могут подать заявление об учете их прав (обременений прав) на земельный участок с приложением копий документов, подтверждающих эти права (обременения прав), с указанием почтового адреса и (или) адреса электронной почты.
Сообщение о возможном установлении публичного сервитута
В соответствии с п. 3 ст. 39.42 Земельного кодекса Российской Федерации администрация города Благовещенска информирует о рассмотрении ходатайства ООО «АКС» об установлении публичного сервитута для размещения тепловых сетей в отношении земельного участка с кадастровым номером 28:01:210353:48, расположенного по ул. Чайковского, 191, в квартале 351.
Графическое описание местоположения границ публичного сервитута:

Заинтересованные лица в течение тридцати дней со дня опубликования настоящего сообщения могут ознакомиться с поступившим ходатайством об установлении публичного сервитута и прилагаемым к нему описанием местоположения границ публичного сервитута по адресу: г. Благовещенск, ул. Ленина, 133, каб. 222, в рабочие дни с 09-00 до 18-00 (обеденный перерыв с 13-00 до 14-00) (официальный сайт администрации города Благовещенска – www.благовещенск.рф).
Правообладатели земельного участка, если их права не зарегистрированы в Едином государственном реестре недвижимости, в течение тридцати дней со дня опубликования настоящего сообщения могут подать заявления об учете их прав (обременений прав) на земельный участок с приложением копий документов, подтверждающих эти права (обременения прав), с указанием почтового адреса и (или) адреса электронной почты.
Сообщение о возможном установлении публичного сервитута
В соответствии с п. 3 ст. 39.42 Земельного кодекса Российской Федерации администрация города Благовещенска информирует о рассмотрении ходатайства АО «ДРСК» об установлении публичного сервитута для размещения ВЛ-0,4 кВ г. Благовещенск от ТП 15-22, МТП-10/0,4 кВ 63 кВА г. Благовещенск ТП № 15-22, ВЛ-10 кВ г. Благовещенск до ТП 15-22 в отношении:
1. земельных участков, расположенных в районе коллективных садов, с кадастровыми номерами 28:01:000000:10415, 28:01:110253:10, 28:01:110253:52, 28:01:110253:51, 28:01:110253:48, 28:01:000000:10060, 28:01:000000:11024, 28:01:000000:11905, 28:01:000000:9747, 28:01:110253:49, 28:01:110253:55;
2. земель, расположенных в кадастровых кварталах: 28:01:110031, 28:01:110253, 28:01:110259.
Графическое описание местоположения границ публичного сервитута:

Заинтересованные лица в течение тридцати дней со дня опубликования настоящего сообщения могут ознакомиться с поступившим ходатайством об установлении публичного сервитута и прилагаемым к нему описанием местоположения границ публичного сервитута по адресу: г. Благовещенск, ул. Ленина, 133, каб. 222, в рабочие дни с 09-00 до 18-00 (обеденный перерыв с 13-00 до 14-00) (официальный сайт администрации города Благовещенска – www.благовещенск.рф).
Правообладатели земельных участков, если их права не зарегистрированы в Едином государственном реестре недвижимости, в течение тридцати дней со дня опубликования настоящего сообщения могут подать заявление об учете их прав (обременений прав) на земельный участок с приложением копий документов, подтверждающих эти права (обременения прав), с указанием почтового адреса и (или) адреса электронной почты.
Сообщение о возможном установлении публичного сервитута
В соответствии с п. 3 ст. 39.42 Земельного кодекса Российской Федерации администрация города Благовещенска информирует о рассмотрении ходатайства ООО «АКС» об установлении публичного сервитута для размещения электрических сетей в отношении земельного участка с кадастровым номером 28:01:130061:29, расположенного по ул. Театральная, д. 5, в квартале 61.
Графическое описание местоположения границ публичного сервитута:

Заинтересованные лица в течение тридцати дней со дня опубликования настоящего сообщения могут ознакомиться с поступившим ходатайством об установлении публичного сервитута и прилагаемым к нему описанием местоположения границ публичного сервитута по адресу: г. Благовещенск, ул. Ленина, 133, каб. 222, в рабочие дни с 09-00 до 18-00 (обеденный перерыв с 13-00 до 14-00) (официальный сайт администрации города Благовещенска – www.благовещенск.рф).
Правообладатели земельных участков, если их права не зарегистрированы в Едином государственном реестре недвижимости, в течение тридцати дней со дня опубликования настоящего сообщения могут подать заявление об учете их прав (обременений прав) на земельный участок с приложением копий документов, подтверждающих эти права (обременения прав), с указанием почтового адреса и (или) адреса электронной почты.
Сообщение о возможном установлении публичного сервитута
В соответствии с п. 3 ст. 39.42 Земельного кодекса Российской Федерации администрация города Благовещенска информирует о рассмотрении ходатайства АО «ДРСК» об установлении публичного сервитута для размещения ВЛ – 10/0,4 кВ в отношении земельного участка, расположенного ЗПУ – 6 с кадастровым номером 28:01:030007:785.
Графическое описание местоположения границ публичного сервитута:

Заинтересованные лица в течение тридцати дней со дня опубликования настоящего сообщения могут ознакомиться с поступившим ходатайством об установлении публичного сервитута и прилагаемым к нему описанием местоположения границ публичного сервитута по адресу: г. Благовещенск, ул. Ленина, 133, каб. 222, в рабочие дни с 09-00 до 18-00 (обеденный перерыв с 13-00 до 14-00) (официальный сайт администрации города Благовещенска – www.благовещенск.рф).
Правообладатели земельного участка, если их права не зарегистрированы в Едином государственном реестре недвижимости, в течение тридцати дней со дня опубликования настоящего сообщения могут подать заявления об учете их прав (обременений прав) на земельный участок с приложением копий документов, подтверждающих эти права (обременения прав), с указанием почтового адреса и (или) адреса электронной почты.
Сообщение о возможном установлении публичного сервитута
В соответствии с п. 3 ст. 39.42 Земельного кодекса Российской Федерации администрация города Благовещенска информирует о рассмотрении ходатайства АО «ДРСК» об установлении публичного сервитута для размещения ВЛ-10 кВ ПС Птицефабрика ф-16 в отношении:
1. земельных участков с кадастровыми номерами, расположенных в районе Астрахановских лугов:
- 28:01:180001:95;
- 28:01:180001:3;
- 28:01:180001:5;
- 28:01:000000:36;
2. земель, расположенных в кадастровом квартале 28:01:180001.
Графическое описание местоположения границ публичного сервитута:

Заинтересованные лица в течение тридцати дней со дня опубликования настоящего сообщения могут ознакомиться с поступившим ходатайством об установлении публичного сервитута и прилагаемым к нему описанием местоположения границ публичного сервитута по адресу: г. Благовещенск, ул. Ленина, 133, каб. 222, в рабочие дни с 09-00 до 18-00 (обеденный перерыв с 13-00 до 14-00) (официальный сайт администрации города Благовещенска – www.благовещенск.рф).
Правообладатели земельных участков, если их права не зарегистрированы в Едином государственном реестре недвижимости, в течение тридцати дней со дня опубликования настоящего сообщения могут подать заявление об учете их прав (обременений прав) на земельный участок с приложением копий документов, подтверждающих эти права (обременения прав), с указанием почтового адреса и (или) адреса электронной почты.
Сообщение о возможном установлении публичного сервитута
В соответствии с п. 3 ст. 39.42 Земельного кодекса Российской Федерации администрация города Благовещенска информирует о рассмотрении ходатайства АО «ДРСК» об установлении публичного сервитута для размещения ВЛ-35 кВ Силикатная-Новотроицкая в отношении:
1. земельных участков с кадастровыми номерами:
- 28:01:150018:105, расположенный в с. Белогорье, квартале Б-18;
- 28:01:000000:11091, расположенный в районе коллективных садов;
- 28:01:000000:11935, расположенный в районе коллективных садов;
2. земель, расположенных в кадастровых кварталах: 28:01:170166, 28:01:150018, 28:01:150017.
Графическое описание местоположения границ публичного сервитута:

Заинтересованные лица в течение тридцати дней со дня опубликования настоящего сообщения могут ознакомиться с поступившим ходатайством об установлении публичного сервитута и прилагаемым к нему описанием местоположения границ публичного сервитута по адресу: г. Благовещенск, ул. Ленина, 133, каб. 222, в рабочие дни с 09-00 до 18-00 (обеденный перерыв с 13-00 до 14-00) (официальный сайт администрации города Благовещенска – www.благовещенск.рф).
Правообладатели земельных участков, если их права не зарегистрированы в Едином государственном реестре недвижимости, в течение тридцати дней со дня опубликования настоящего сообщения могут подать заявление об учете их прав (обременений прав) на земельный участок с приложением копий документов, подтверждающих эти права (обременения прав), с указанием почтового адреса и (или) адреса электронной почты.
Сообщение о возможном установлении публичного сервитута
В соответствии с п. 3 ст. 39.42 Земельного кодекса Российской Федерации администрация города Благовещенска информирует о рассмотрении ходатайства АО «ДРСК» об установлении публичного сервитута для размещения ВЛ-10 ПС Моховая ф-11 в отношении:
1. земельных участков с кадастровыми номерами:
- 28:01:000000:36, расположенный в районе Астрахановских лугов;
- 28:01:000000:10165, расположенный в районе Астрахановских лугов;
- 28:01:180001:98, расположенный в районе Астрахановских лугов;
2. земель, расположенных в кадастровых кварталах: 28:01:180001, 28:01:040002.
Графическое описание местоположения границ публичного сервитута:

Заинтересованные лица в течение тридцати дней со дня опубликования настоящего сообщения могут ознакомиться с поступившим ходатайством об установлении публичного сервитута и прилагаемым к нему описанием местоположения границ публичного сервитута по адресу: г. Благовещенск, ул. Ленина, 133, каб. 222, в рабочие дни с 09-00 до 18-00 (обеденный перерыв с 13-00 до 14-00) (официальный сайт администрации города Благовещенска – www.благовещенск.рф).
Правообладатели земельных участков, если их права не зарегистрированы в Едином государственном реестре недвижимости, в течение тридцати дней со дня опубликования настоящего сообщения могут подать заявление об учете их прав (обременений прав) на земельный участок с приложением копий документов, подтверждающих эти права (обременения прав), с указанием почтового адреса и (или) адреса электронной почты.
Сообщение о возможном установлении публичного сервитута
В соответствии с п. 3 ст. 39.42 Земельного кодекса Российской Федерации администрация города Благовещенска информирует о рассмотрении ходатайства АО «ДРСК» об установлении публичного сервитута для размещения ВЛ – 10 ПС Дачная Ф-7 в отношении:
1) земельных участков с кадастровыми номерами:
- 28:01:000000:2306, расположенный в районе коллективных садов;
- 28:01:000000:10420, расположенный в районе коллективных садов;
- 28:01:110011:16, расположенный в районе коллективных садов;
- 28:01:110011:6, расположенный в районе коллективных садов;
- 28:01:110011:7, расположенный в районе коллективных садов;
- 28:01:110011:4, расположенный в районе коллективных садов;
- 28:01:110008:72, расположенный в районе коллективных садов;
- 28:01:110077:110, расположенный в районе коллективных садов;
- 28:01:110005:42, расположенный в районе коллективных садов;
- 28:01:000000:10036, расположенный в районе коллективных садов
- 28:01:000000:10674, расположенный в районе коллективных садов;
- 28:01:000000:2903, расположенный в районе коллективных садов;
- 28:01:110008:45, расположенный в районе коллективных садов;
- 28:01:110008:23, расположенный в районе коллективных садов;
2) земель, расположенных в кадастровых кварталах:
- 28:01:110007;
- 28:01:110284;
- 28:01:110011;
- 28:01:110279;
- 28:01:110005;
- 28:01:110001.
Графическое описание местоположения границ публичного сервитута:

Заинтересованные лица в течение тридцати дней со дня опубликования настоящего сообщения могут ознакомиться с поступившим ходатайством об установлении публичного сервитута и прилагаемым к нему описанием местоположения границ публичного сервитута по адресу: г. Благовещенск, ул. Ленина, 133, каб. 222, в рабочие дни с 09-00 до 18-00 (обеденный перерыв с 13-00 до 14-00) (официальный сайт администрации города Благовещенска – www.благовещенск.рф).
Правообладатели земельных участков, если их права не зарегистрированы в Едином государственном реестре недвижимости, в течение тридцати дней со дня опубликования настоящего сообщения могут подать заявление об учете их прав (обременений прав) на земельный участок с приложением копий документов, подтверждающих эти права (обременения прав), с указанием почтового адреса и (или) адреса электронной почты.
Сообщение о возможном установлении публичного сервитута
В соответствии с п. 3 ст. 39.42 Земельного кодекса Российской Федерации администрация города Благовещенска информирует о рассмотрении ходатайства АО «ДРСК» об установлении публичного сервитута для размещения ВЛ – 10 кВ ПС Чигири ф - 1 в отношении:
земельных участков, расположенных в с. Плодопитомник с кадастровыми номерами:28:01:000000:11525, 28:01:000000:10678, 28:01:000000:11526, 28:01:100002:533, 28:01:100002:163; 28:01:100002:462, 28:01:100002:504, 28:01:100002:424, 28:01:100002:38, 28:01:100002:214, 28:01:100002:28, 28:01:100002:404, 28:01:100002:211
земель, расположенных в кадастровых кварталах: 28:01:100001, 28:01:100002.
Графическое описание местоположения границ публичного сервитута:
Заинтересованные лица в течение тридцати дней со дня опубликования настоящего сообщения могут ознакомиться с поступившим ходатайством об установлении публичного сервитута и прилагаемым к нему описанием местоположения границ публичного сервитута по адресу: г. Благовещенск, ул. Ленина, 133, каб. 222, в рабочие дни с 09-00 до 18-00 (обеденный перерыв с 13-00 до 14-00) (официальный сайт администрации города Благовещенска – www.благовещенск.рф).
Правообладатели земельного участка, если их права не зарегистрированы в Едином государственном реестре недвижимости, в течение тридцати дней со дня опубликования настоящего сообщения могут подать заявления об учете их прав (обременений прав) на земельный участок с приложением копий документов, подтверждающих эти права (обременения прав), с указанием почтового адреса и (или) адреса электронной почты.
Сообщение о возможном установлении публичного сервитута
В соответствии с п. 3 ст. 39.42 Земельного кодекса Российской Федерации администрация города Благовещенска информирует о рассмотрении ходатайства АО «ДРСК» об установлении публичного сервитута для размещения ВЛ – 10 кВ ПС Игнатьево ф - 12 в отношении:
земельных участков, расположенных в п. Аэропорт с кадастровыми номерами:28:10:013001:159, 28:01:060005:279, 28:01:000000:10036, 28:01:060010:822, 28:01:060010:1237, 28:01:060005:265;
земель, расположенных в кадастровых кварталах: 28:01:060005, 28:01:060003, 28:01:060010.
Графическое описание местоположения границ публичного сервитута:
Заинтересованные лица в течение тридцати дней со дня опубликования настоящего сообщения могут ознакомиться с поступившим ходатайством об установлении публичного сервитута и прилагаемым к нему описанием местоположения границ публичного сервитута по адресу: г. Благовещенск, ул. Ленина, 133, каб. 222, в рабочие дни с 09-00 до 18-00 (обеденный перерыв с 13-00 до 14-00) (официальный сайт администрации города Благовещенска – www.благовещенск.рф).
Правообладатели земельного участка, если их права не зарегистрированы в Едином государственном реестре недвижимости, в течение тридцати дней со дня опубликования настоящего сообщения могут подать заявления об учете их прав (обременений прав) на земельный участок с приложением копий документов, подтверждающих эти права (обременения прав), с указанием почтового адреса и (или) адреса электронной почты.
Сообщение о возможном установлении публичного сервитута
В соответствии с п. 3 ст. 39.42 Земельного кодекса Российской Федерации администрация города Благовещенска информирует о рассмотрении ходатайства АО «ДРСК» об установлении публичного сервитута для размещения ВЛ – 0,4 кВ – с. Чигири, ТП 10/0,4 с. Чигири 13-80, ТП 10/0,4 с. Чигири 13-37, ТП 10/0,4 с. Чигири 19-16, ТП 10/0,4 с. Чигири 15-7, ТП 10/0,4 с. Чигири 15-29, ТП 10/0,4 с. Чигири 13-78 в отношении:
1) земельных участков с кадастровыми номерами:
- 28:01:100002:13, расположенный в с. Плодопитомник, квартале П-2;
- 28:10:000000:3777, расположенный в с. Плодопитомник, квартале П-2;
- 28:01:000000:10678, расположенный в с. Плодопитомник, квартале П-2;
- 28:01:100002:163, расположенный в с. Плодопитомник, квартале П-2;
- 28:01:100002:220, расположенный в с. Плодопитомник, квартале П-2;
- 28:01:100002:122, расположенный по ул. Абрикосовая, д. 11, вс. Плодопитомник;
- 28:01:100002:423, расположенный в с. Плодопитомник, квартале П-2;
- 28:01:100002:409, расположенный в с. Плодопитомник, квартале П-2;
- 28:01:100002:214, расположенный в с. Плодопитомник, квартале П-2;
- 28:01:000000:11525, расположенный в с. Плодопитомник, квартале П-2;
- 28:01:100002:38, расположенный в с. Плодопитомник, квартале П-2;
- 28:01:100002:393, расположенный в с. Плодопитомник, квартале П-2;
- 28:01:100002:422, расположенный в с. Плодопитомник, квартале П-2;
- 28:01:100002:476, расположенный в с. Плодопитомник, квартале П-2;
- 28:01:100005:158, расположенный в с. Плодопитомник, квартале П-2;
- 28:01:100002:52, расположенный в с. Плодопитомник, квартале П-2;
- 28:01:100002:51, расположенный в с. Плодопитомник, квартале П-2;
- 28:01:100002:211, расположенный в с. Плодопитомник, квартале П-2;
- 28:01:100002:404, расположенный в с. Плодопитомник, квартале П-2;
- 28:01:100002:212, расположенный в с. Плодопитомник, квартале П-2;
- 28:01:100002:82, расположенный в с. Плодопитомник, квартале П-2;
- 28:01:100002:30, расположенный в с. Плодопитомник, квартале П-2;
- 28:01:100002:29, расположенный в с. Плодопитомник, квартале П-2;
- 28:01:100002:372, расположенный в с. Плодопитомник, квартале П-2;
- 28:01:100002:263, расположенный в с. Плодопитомник, квартале П-2;
- 28:01:100002:262, расположенный в с. Плодопитомник, квартале П-2;
- 28:01:100002:432, расположенный в с. Плодопитомник, квартале П-2;
- 28:01:100002:382, расположенный в с. Плодопитомник, квартале П-2;
- 28:01:100002:412, расположенный в с. Плодопитомник, квартале П-2;
- 28:01:100002:89, расположенный в с. Плодопитомник, квартале П-2;
- 28:01:100002:114, расположенный в с. Плодопитомник, квартале П-2;
- 28:01:100002:386, расположенный в с. Плодопитомник, квартале П-2;
- 28:01:100002:421, расположенный в с. Плодопитомник, квартале П-2;
- 28:01:100002:430, расположенный в с. Плодопитомник, квартале П-2;
- 28:01:100002:433, расположенный в с. Плодопитомник, квартале П-2;
- 28:10:130065:34, расположенный в с. Плодопитомник, квартале П-2;
- 28:10:130065:24, расположенный в районе коллективных садов;
- 28:01:100001:3, расположенный в с. Плодопитомник, квартале П-2;
- 28:01:100001:261, расположенный в с. Плодопитомник, квартале П-2;
- 28:10:130065:39, расположенный в с. Плодопитомник, квартале П-2;
- 28:01:100001:262, расположенный в с. Плодопитомник, квартале П-2;
- 28:10:013013:2220, расположенный в районе коллективных садов;
- 28:01:110283:4, расположенный в районе коллективных садов;
- 28:01:110283:6, расположенный в районе коллективных садов;
- 28:01:000000:10603, расположенный в районе коллективных садов;
- 28:01:000000:11745, расположенный в районе коллективных садов;
- 28:01:100002:27, расположенный в с. Плодопитомник, квартале П-2;
- 28:01:100002:28, расположенный в с. Плодопитомник, квартале П-2;
- 28:10:013015:247, расположенный в с. Плодопитомник, квартале П-2;
- 28:10:013013:2219, расположенный в районе коллективных садов;
- 28:01:100002:406, расположенный в с. Плодопитомник, квартале П-2;
- 28:01:110018:37, расположенный в районе коллективных садов;
2) земель, расположенных в кадастровых кварталах:
- 28:01:100002;
- 28:01:100001;
- 28:01:110283;
- 28:01:110017;
- 28:01:110001;
- 28:01:110016;
- 28:01:110018;
- 28:01:110277.
Графическое описание местоположения границ публичного сервитута:

Заинтересованные лица в течение тридцати дней со дня опубликования настоящего сообщения могут ознакомиться с поступившим ходатайством об установлении публичного сервитута и прилагаемым к нему описанием местоположения границ публичного сервитута по адресу: г. Благовещенск, ул. Ленина, 133, каб. 222, в рабочие дни с 09-00 до 18-00 (обеденный перерыв с 13-00 до 14-00) (официальный сайт администрации города Благовещенска – www.благовещенск.рф).
Правообладатели земельных участков, если их права не зарегистрированы в Едином государственном реестре недвижимости, в течение тридцати дней со дня опубликования настоящего сообщения могут подать заявление об учете их прав (обременений прав) на земельный участок с приложением копий документов, подтверждающих эти права (обременения прав), с указанием почтового адреса и (или) адреса электронной почты.
Сообщение о возможном установлении публичного сервитута
В соответствии с п. 3 ст. 39.42 Земельного кодекса Российской Федерации администрация города Благовещенска информирует о рассмотрении ходатайства ГКУ «Амурупрадор» об установлении публичного сервитута для складирования строительных и иных материалов, размещения временных или вспомогательных сооружений (включая ограждения, бытовки, навесы) и (или) строительной техники, которые необходимы для обеспечения строительства мостового перехода через р. Зея в г. Благовещенске в отношении земельного участка с кадастровым номером 28:01:140261:140, расположенного в квартале 261.
Графическое описание местоположения границ публичного сервитута:

Заинтересованные лица в течение тридцати дней со дня опубликования настоящего сообщения могут ознакомиться с поступившим ходатайством об установлении публичного сервитута и прилагаемым к нему описанием местоположения границ публичного сервитута по адресу: г. Благовещенск, ул. Ленина, 133, каб. 222, в рабочие дни с 09-00 до 18-00 (обеденный перерыв с 13-00 до 14-00) (официальный сайт администрации города Благовещенска – www.благовещенск.рф).
Правообладатели земельных участков, если их права не зарегистрированы в Едином государственном реестре недвижимости, в течение тридцати дней со дня опубликования настоящего сообщения могут подать заявление об учете их прав (обременений прав) на земельный участок с приложением копий документов, подтверждающих эти права (обременения прав), с указанием почтового адреса и (или) адреса электронной почты.
Сообщение о возможном установлении публичного сервитута
В соответствии с п. 3 ст. 39.42 Земельного кодекса Российской Федерации администрация города Благовещенска информирует о рассмотрении ходатайства АО «ДРСК» об установлении публичного сервитута для размещения ВЛ – 0,4 кВ – п. Зазейский, ТП 10/0,4 п. Зазейский 9-3 в отношении:
1) земельных участков с кадастровыми номерами:
- 28:01:070003:100, расположенный в п. Зазейский;
- 28:01:070003:4, расположенный в п. Зазейский;
- 28:01:070003:80, расположенный в п. Зазейский;
- 28:01:070003:2, расположенный в п. Зазейский;
- 28:01:070003:81, расположенный в п. Зазейский;
- 28:01:070003:26, расположенный в п. Зазейский;
- 28:01:070003:114, расположенный в п. Зазейский;
- 28:01:070003:169, расположенный в п. Зазейский;
- 28:01:070003:177, расположенный в п. Зазейский;
- 28:01:070003:117, расположенный в п. Зазейский;
- 28:01:070003:107, расположенный в п. Зазейский;
- 28:01:000000:2910, расположенный в п. Зазейский;
- 28:01:000000:10520, расположенный в п. Зазейский;
- 28:01:070003:95, расположенный в п. Зазейский;
- 28:01:070003:171, расположенный в п. Зазейский;
- 28:01:070003:1, расположенный в п. Зазейский;
- 28:01:070003:75, расположенный в п. Зазейский;
- 28:01:070003:96, расположенный в п. Зазейский;
- 28:01:070003:97, расположенный в п. Зазейский;
- 28:01:070003:103, расположенный в п. Зазейский;
- 28:01:070003:113, расположенный в п. Зазейский;
- 28:01:070003:106, расположенный в п. Зазейский;
- 28:01:070003:105, расположенный в п. Зазейский;
- 28:01:000000:2909, расположенный в п. Зазейский;
- 28:01:000000:10531, расположенный в п. Зазейский;
- 28:01:000000:10167, расположенный в п. Зазейский;
- 28:01:070001:27, расположенный в п. Зазейский;
- 28:01:070001:65, расположенный в п. Зазейский;
- 28:01:070001:29, расположенный в п. Зазейский;
- 28:01:070001:28, расположенный в п. Зазейский;
- 28:01:000000:2911, расположенный в п. Зазейский;
- 28:01:000000:10522, расположенный в п. Зазейский;
- 28:01:070012:34, расположенный в п. Зазейский;
- 28:01:070014:240, расположенный в п. Зазейский;
- 28:01:070014:235, расположенный в п. Зазейский;
- 28:01:070014:243, расположенный в п. Зазейский;
- 28:01:070014:242, расположенный в п. Зазейский;
- 28:01:070014:232, расположенный в п. Зазейский;
- 28:01:070002:4, расположенный в п. Зазейский по ул. Набережная, д. 7А;
- 28:01:070002:51, расположенный в п. Зазейский по ул. Набережная, д. 11;
- 28:01:070002:95, расположенный в п. Зазейский;
- 28:01:070002:46, расположенный в п. Зазейский;
- 28:01:070002:59, расположенный в п. Зазейский по ул. Набережная, д. 13;
- 28:01:070002:77, расположенный в п. Зазейский;
- 28:01:070002:81, расположенный в п. Зазейский;
- 28:01:070002:73, расположенный в п. Зазейский;
- 28:01:070002:41, расположенный в п. Зазейский;
- 28:01:070002:43, расположенный в п. Зазейский;
- 28:01:070002:96, расположенный в п. Зазейский;
- 28:01:070002:30, расположенный в п. Зазейский;
- 28:01:070002:69, расположенный в п. Зазейский;
- 28:01:070002:94, расположенный в п. Зазейский;
- 28:01:070002:78, расположенный в п. Зазейский;
- 28:01:070002:97, расположенный в п. Зазейский;
- 28:01:070002:90, расположенный в п. Зазейский;
- 28:01:070002:7, расположенный в п. Зазейский по ул. Набережная, д. 27;
- 28:01:070002:2, расположенный в п. Зазейский;
- 28:01:070002:18, расположенный в п. Зазейский;
- 28:01:070001:71, расположенный в п. Зазейский по ул. Амурская, д. 37, кв. 3;
- 28:01:000000:10405, расположенный в п. Зазейский.
2) земель, расположенных в кадастровых кварталах:
- 28:01:070003;
- 28:01:070001;
- 28:01:070012;
- 28:01:070014;
- 28:01:070019;
- 28:01:070002.
Графическое описание местоположения границ публичного сервитута:

Заинтересованные лица в течение тридцати дней со дня опубликования настоящего сообщения могут ознакомиться с поступившим ходатайством об установлении публичного сервитута и прилагаемым к нему описанием местоположения границ публичного сервитута по адресу: г. Благовещенск, ул. Ленина, 133, каб. 222, в рабочие дни с 09-00 до 18-00 (обеденный перерыв с 13-00 до 14-00) (официальный сайт администрации города Благовещенска – www.благовещенск.рф).
Правообладатели земельных участков, если их права не зарегистрированы в Едином государственном реестре недвижимости, в течение тридцати дней со дня опубликования настоящего сообщения могут подать заявление об учете их прав (обременений прав) на земельный участок с приложением копий документов, подтверждающих эти права (обременения прав), с указанием почтового адреса и (или) адреса электронной почты.
Опубликовано - 21.05.2020.
Сообщение о возможном установлении публичного сервитута
В соответствии с п. 3 ст. 39.42 Земельного кодекса Российской Федерации администрация города Благовещенска информирует о рассмотрении ходатайства АО «ДРСК» об установлении публичного сервитута для размещения ВЛ–10 кВ ПС Моховая Ф-12 в отношении земельных участков с кадастровыми номерами:28:01:000000:342, 28:01:040002:1443, 28:01:000000:10165.
Графическое описание местоположения границ публичного сервитута:
Заинтересованные лица в течение тридцати дней со дня опубликования настоящего сообщения могут ознакомиться с поступившим ходатайством об установлении публичного сервитута и прилагаемым к нему описанием местоположения границ публичного сервитута по адресу: г. Благовещенск, ул. Ленина, 133, каб. 222, в рабочие дни с 09-00 до 18-00 (обеденный перерыв с 13-00 до 14-00) (официальный сайт администрации города Благовещенска – www.благовещенск.рф).
Правообладатели земельного участка, если их права не зарегистрированы в Едином государственном реестре недвижимости, в течение тридцати дней со дня опубликования настоящего сообщения могут подать заявления об учете их прав (обременений прав) на земельный участок с приложением копий документов, подтверждающих эти права (обременения прав), с указанием почтового адреса и (или) адреса электронной почты.
Опубликовано - 21.05.2020.
Сообщение о возможном установлении публичного сервитута
В соответствии с п. 3 ст. 39.42 Земельного кодекса Российской Федерации администрация города Благовещенска информирует о рассмотрении ходатайства АО «ДРСК» об установлении публичного сервитута для размещения ВЛ – 10 кВ
ПС Чигири ф - 18 в отношении земельных участков с кадастровыми номерами:28:01:100002:163, 28:01:100002:23, 28:01:000000:10678, 28:01:100002:84, 28:01:100002:83, 28:01:100002:404, 28:01:100002:537, 28:01:100002:399, 28:01:100002:394, 28:01:100002:178, 28:01:100002:472, 28:01:100002:395, 28:01:100002:398, 28:01:100002:106, 28:01:000000:3699, 28:01:000000:3697.
Графическое описание местоположения границ публичного сервитута:
Заинтересованные лица в течение тридцати дней со дня опубликования настоящего сообщения могут ознакомиться с поступившим ходатайством об установлении публичного сервитута и прилагаемым к нему описанием местоположения границ публичного сервитута по адресу: г. Благовещенск, ул. Ленина, 133, каб. 222, в рабочие дни с 09-00 до 18-00 (обеденный перерыв с 13-00 до 14-00) (официальный сайт администрации города Благовещенска – www.благовещенск.рф).
Правообладатели земельного участка, если их права не зарегистрированы в Едином государственном реестре недвижимости, в течение тридцати дней со дня опубликования настоящего сообщения могут подать заявления об учете их прав (обременений прав) на земельный участок с приложением копий документов, подтверждающих эти права (обременения прав), с указанием почтового адреса и (или) адреса электронной почты.
Сообщение о возможном установлении публичного сервитута
В соответствии с п. 3 ст. 39.42 Земельного кодекса Российской Федерации администрация города Благовещенска информирует о рассмотрении ходатайства АО «ДРСК» об установлении публичного сервитута для размещения линии электропередач ВЛ – 35 Сетевая – Зейская 2,43 км в отношении:
1) земельных участков с кадастровыми номерами:
- 28:01:000000:10599, расположенный в г. Благовещенск;
- 28:01:130199:1199, расположенный в квартале 206;
- 28:01:130199:349, расположенный в квартале 206;
- 28:01:130199:356, расположенный в квартале 206;
- 28:01:130199:361, расположенный в квартале 206;
- 28:01:130199:321, расположенный по ул. Шимановского, д. 63;
- 28:01:130199:17, расположенный по ул. Красноармейская, д. 103/1;
- 28:01:130199:360, расположенный в квартале 206;
- 28:01:130199:1208, расположенный в квартале 206;
- 28:01:130199:21, расположенный по ул. Красноармейская, д. 103;
- 28:01:130212:20, расположенный в квартале 212;
- 28:01:000000:10598, расположенный в г. Благовещенск;
- 28:01:130212:22, расположенный в квартале 212;
- 28:01:130212:21, расположенный в квартале 212;
- 28:01:130221:60, расположенный в квартале 221;
- 28:01:130230:13, расположенный в квартале 230;
- 28:01:130237:154, расположенный в квартале 237;
- 28:01:010245:293, расположенный в квартале 245;
- 28:01:010245:292, расположенный в квартале 245;
- 28:01:010088:204, расположенный в квартале 88;
- 28:01:010088:203, расположенный в квартале 88.
2) земель, расположенных в кадастровых кварталах:
- 28:01:010200;
- 28:01:130199;
- 28:01:010245.
Графическое описание местоположения границ публичного сервитута:

Заинтересованные лица в течение тридцати дней со дня опубликования настоящего сообщения могут ознакомиться с поступившим ходатайством об установлении публичного сервитута и прилагаемым к нему описанием местоположения границ публичного сервитута по адресу: г. Благовещенск, ул. Ленина, 133, каб. 222, в рабочие дни с 09-00 до 18-00 (обеденный перерыв с 13-00 до 14-00) (официальный сайт администрации города Благовещенска – www.благовещенск.рф).
Правообладатели земельных участков, если их права не зарегистрированы в Едином государственном реестре недвижимости, в течение тридцати дней со дня опубликования настоящего сообщения могут подать заявление об учете их прав (обременений прав) на земельный участок с приложением копий документов, подтверждающих эти права (обременения прав), с указанием почтового адреса и (или) адреса электронной почты.
Сообщение о возможном установлении публичного сервитута
В соответствии с п. 3 ст. 39.42 Земельного кодекса Российской Федерации администрация города Благовещенска информирует о рассмотрении ходатайства АО «ДРСК» об установлении публичного сервитута для размещения линии электропередач ВЛ-35 Зейская-Сетевая 3,23 км (ВЛ-35 Сетевая-Металлист-Зейская) в отношении:
1. земельных участков с кадастровыми номерами:
- 28:01:000000:9743, расположенный в квартале 103;
- 28:01:010103:203, расположенный в квартале 103;
- 28:01:010098:209, расположенный в квартале 98;
- 28:01:010098:208, расположенный в квартале 98;
- 28:01:010093:101, расположенный в квартале 93;
- 28:01:010093:100, расположенный в квартале 93;
- 28:01:010254:338, расположенный в квартале 254;
- 28:01:010254:337, расположенный в квартале 254;
- 28:01:010254:336, расположенный в квартале 255;
- 28:01:010254:340, расположенный в квартале 255;
- 28:01:010254:339, расположенный в квартале 255;
- 28:01:010256:272, расположенный в квартале 256;
- 28:01:000000:10478, расположенный в кварталах 231, 256;
- 28:01:010247:51, расположенный в квартале 247;
- 28:01:010247:50, расположенный в квартале 247;
- 28:01:130239:120, расположенный в квартале 239;
- 28:01:130239:119, расположенный в квартале 239;
- 28:01:130239:118, расположенный в квартале 239;
- 28:01:130231:147, расположенный в квартале 231;
- 28:01:130231:148, расположенный в квартале 231;
- 28:01:130222:99, расположенный в квартале 222;
- 28:01:130222:98, расположенный в квартале 222;
- 28:01:010224:38, расположенный в квартале 224;
- 28:01:010225:46, расположенный в квартале 225;
- 28:01:010225:45, расположенный в квартале 225;
- 28:01:010216:49, расположенный в квартале 216;
- 28:01:010216:50, расположенный в квартале 216;
- 28:01:010207:91, расположенный в квартале 207;
- 28:01:010207:90, расположенный в квартале 207;
2. земель, расположенных в кадастровых кварталах: 28:01:010103, 28:01:010093, 28:01:010254, 28:01:010256, 28:01:010225, 28:01:010207, 28:01:010200, 28:01:010201, 28:01:010187.
Графическое описание местоположения границ публичного сервитута:

Заинтересованные лица в течение тридцати дней со дня опубликования настоящего сообщения могут ознакомиться с поступившим ходатайством об установлении публичного сервитута и прилагаемым к нему описанием местоположения границ публичного сервитута по адресу: г. Благовещенск, ул. Ленина, 133, каб. 222, в рабочие дни с 09-00 до 18-00 (обеденный перерыв с 13-00 до 14-00) (официальный сайт администрации города Благовещенска – www.благовещенск.рф).
Правообладатели земельных участков, если их права не зарегистрированы в Едином государственном реестре недвижимости, в течение тридцати дней со дня опубликования настоящего сообщения могут подать заявление об учете их прав (обременений прав) на земельный участок с приложением копий документов, подтверждающих эти права (обременения прав), с указанием почтового адреса и (или) адреса электронной почты.
Сообщение о возможном установлении публичного сервитута
В соответствии с п. 3 ст. 39.42 Земельного кодекса Российской Федерации администрация города Благовещенска информирует о рассмотрении ходатайства АО «ДРСК» об установлении публичного сервитута для размещения линии электропередач ВЛ – 35 Центральная – Западная 5,3 км в отношении земельных участков с кадастровыми номерами 28:01:000000:414, 28:01:030443:435, 28:01:030443:599, 28:01:020444:44, 28:01:020444:46, 28:01:020021:260, 28:01:020021:240, 28:01:020021:834, 28:01:020021:12, 28:01:020021:13.
Графическое описание местоположения границ публичного сервитута:

Заинтересованные лица в течение тридцати дней со дня опубликования настоящего сообщения могут ознакомиться с поступившим ходатайством об установлении публичного сервитута и прилагаемым к нему описанием местоположения границ публичного сервитута по адресу: г. Благовещенск, ул. Ленина, 133, каб. 222, в рабочие дни с 09-00 до 18-00 (обеденный перерыв с 13-00 до 14-00) (официальный сайт администрации города Благовещенска – www.благовещенск.рф).
Правообладатели земельного участка, если их права не зарегистрированы в Едином государственном реестре недвижимости, в течение тридцати дней со дня опубликования настоящего сообщения могут подать заявления об учете их прав (обременений прав) на земельный участок с приложением копий документов, подтверждающих эти права (обременения прав), с указанием почтового адреса и (или) адреса электронной почты.
Сообщение о возможном установлении публичного сервитута
В соответствии с п. 3 ст. 39.42 Земельного кодекса Российской Федерации администрация города Благовещенска информирует о рассмотрении ходатайства АО «ДРСК» об установлении публичного сервитута для размещения ВЛ-10 кВ Ф-38 ПС Западная, ВЛ-0,4 кВ, ТП-10/0,4 кВ № 19-12 в отношении:
1. земельных участков с кадастровыми номерами:
- 28:01:000000:10598, расположенный в квартале 430;
- 28:01:030007:321, расположенный в ЗПУ-6;
- 28:01:030007:685, расположенный в ЗПУ-6;
- 28:01:000000:10134, расположенный в ЗПУ-3;
- 28:01:030005:211, расположенный в ЗПУ-3;
- 28:01:000000:3059, расположенный в ЗПУ-3;
- 28:01:030005:252, расположенный в ЗПУ-3;
- 28:01:030005:30, расположенный в ЗПУ-3;
- 28:01:030005:29, расположенный в ЗПУ-3;
- 28:01:030005:101, расположенный в ЗПУ-3;
- 28:01:030005:141, расположенный в ЗПУ-3;
- 28:01:030005:110, расположенный в ЗПУ-3;
- 28:01:030005:109, расположенный в ЗПУ-3;
- 28:01:030005:94, расположенный в ЗПУ-3;
- 28:01:030005:27, расположенный в ЗПУ-3;
- 28:01:030005:98, расположенный в ЗПУ-3;
- 28:01:030005:117, расположенный в ЗПУ-3;
- 28:01:030005:198, расположенный в ЗПУ-3;
- 28:01:030005:199, расположенный в ЗПУ-3;
- 28:01:030003:204, расположенный в ЗПУ-2;
- 28:01:030003:21, расположенный в ЗПУ-2;
- 28:01:000000:3068, расположенный в ЗПУ-3, ЗПУ-4;
2. земель, расположенных в кадастровых кварталах: 28:01:010431, 28:01:010109, 28:01:030007, 28:01:030005, 28:01:030003, 28:01:030006.
Графическое описание местоположения границ публичного сервитута:

Заинтересованные лица в течение тридцати дней со дня опубликования настоящего сообщения могут ознакомиться с поступившим ходатайством об установлении публичного сервитута и прилагаемым к нему описанием местоположения границ публичного сервитута по адресу: г. Благовещенск, ул. Ленина, 133, каб. 222, в рабочие дни с 09-00 до 18-00 (обеденный перерыв с 13-00 до 14-00) (официальный сайт администрации города Благовещенска – www.благовещенск.рф).
Правообладатели земельных участков, если их права не зарегистрированы в Едином государственном реестре недвижимости, в течение тридцати дней со дня опубликования настоящего сообщения могут подать заявление об учете их прав (обременений прав) на земельный участок с приложением копий документов, подтверждающих эти права (обременения прав), с указанием почтового адреса и (или) адреса электронной почты.
Сообщение о возможном установлении публичного сервитута
В соответствии с п. 3 ст. 39.42 Земельного кодекса Российской Федерации администрация города Благовещенска информирует о рассмотрении ходатайства АО «ДРСК» об установлении публичного сервитута для размещения ВЛ-10 ПС «Владимировка» ф-3 в отношении:
1. земельных участков с кадастровыми номерами:
- 28:01:000000:2955, расположенный в районе Левобережье;
- 28:01:000000:415, расположенный в районе Левобережье;
- 28:01:070021:10, расположенный в районе Левобережье;
- 28:01:000000:2224, расположенный в районе Левобережье;
- 28:01:000000:10742, расположенный в районе Левобережье;
- 28:01:000000:10012, расположенный в районе Левобережье;
2. земель, расположенных в кадастровых кварталах: 28:01:070006, 28:01:070021, 28:01:070004.
Графическое описание местоположения границ публичного сервитута:

Заинтересованные лица в течение тридцати дней со дня опубликования настоящего сообщения могут ознакомиться с поступившим ходатайством об установлении публичного сервитута и прилагаемым к нему описанием местоположения границ публичного сервитута по адресу: г. Благовещенск, ул. Ленина, 133, каб. 222, в рабочие дни с 09-00 до 18-00 (обеденный перерыв с 13-00 до 14-00) (официальный сайт администрации города Благовещенска – www.благовещенск.рф).
Правообладатели земельных участков, если их права не зарегистрированы в Едином государственном реестре недвижимости, в течение тридцати дней со дня опубликования настоящего сообщения могут подать заявление об учете их прав (обременений прав) на земельный участок с приложением копий документов, подтверждающих эти права (обременения прав), с указанием почтового адреса и (или) адреса электронной почты.
Сообщение о возможном установлении публичного сервитута
В соответствии с п. 3 ст. 39.42 Земельного кодекса Российской Федерации администрация города Благовещенска информирует о рассмотрении ходатайства АО «ДРСК» об установлении публичного сервитута для размещения линии электропередач ВЛ 110 кВ ПС «Центральная – ПС «Портовая» в отношении земельных участков с кадастровыми номерами: 28:01:000000:32, 28:01:000000:251, 28:01:000000:154
Графическое описание местоположения границ публичного сервитута:

Заинтересованные лица в течение тридцати дней со дня опубликования настоящего сообщения могут ознакомиться с поступившим ходатайством об установлении публичного сервитута и прилагаемым к нему описанием местоположения границ публичного сервитута по адресу: г. Благовещенск, ул. Ленина, 133, каб. 222, в рабочие дни с 09-00 до 18-00 (обеденный перерыв с 13-00 до 14-00) (официальный сайт администрации города Благовещенска – www.благовещенск.рф).
Правообладатели земельного участка, если их права не зарегистрированы в Едином государственном реестре недвижимости, в течение тридцати дней со дня опубликования настоящего сообщения могут подать заявления об учете их прав (обременений прав) на земельный участок с приложением копий документов, подтверждающих эти права (обременения прав), с указанием почтового адреса и (или) адреса электронной почты.
Сообщение о возможном установлении публичного сервитута
В соответствии с п. 3 ст. 39.42 Земельного кодекса Российской Федерации администрация города Благовещенска информирует о рассмотрении ходатайства АО «ДРСК» об установлении публичного сервитута для размещения линии электропередач ВЛ – 110 Игнатьево-Сергеевка в отношении:
- земельного участка с кадастровым номером 28:01:060003:73, расположенный в п. Новый;
- земель, расположенных в кадастровом квартале 28:01:060003.
Графическое описание местоположения границ публичного сервитута:

Заинтересованные лица в течение тридцати дней со дня опубликования настоящего сообщения могут ознакомиться с поступившим ходатайством об установлении публичного сервитута и прилагаемым к нему описанием местоположения границ публичного сервитута по адресу: г. Благовещенск, ул. Ленина, 133, каб. 222, в рабочие дни с 09-00 до 18-00 (обеденный перерыв с 13-00 до 14-00) (официальный сайт администрации города Благовещенска – www.благовещенск.рф).
Правообладатели земельных участков, если их права не зарегистрированы в Едином государственном реестре недвижимости, в течение тридцати дней со дня опубликования настоящего сообщения могут подать заявление об учете их прав (обременений прав) на земельный участок с приложением копий документов, подтверждающих эти права (обременения прав), с указанием почтового адреса и (или) адреса электронной почты.
Сообщение о возможном установлении публичного сервитута
В соответствии с п. 3 ст. 39.42 Земельного кодекса Российской Федерации администрация города Благовещенска информирует о рассмотрении ходатайства АО «ДРСК» об установлении публичного сервитута для размещения линии электропередач ВЛ-35 кВ от ПС «ПТФ» до ПС «Моховая» в отношении:
1. земельных участков с кадастровыми номерами:
- 28:01:040002:600, расположенный в районе Астрахановских лугов;
- 28:01:180001:66, расположенный в районе Астрахановских лугов;
- 28:01:180001:67, расположенный в районе Астрахановских лугов;
- 28:01:180001:68, расположенный в районе Астрахановских лугов;
- 28:01:180001:71, расположенный в районе Астрахановских лугов;
- 28:01:180001:70, расположенный в районе Астрахановских лугов;
- 28:01:180001:64, расположенный в районе Астрахановских лугов;
- 28:01:180001:69, расположенный в районе Астрахановских лугов;
- 28:01:180001:72, расположенный в районе Астрахановских лугов;
- 28:01:180001:73, расположенный в районе Астрахановских лугов;
- 28:01:180001:65, расположенный в районе Астрахановских лугов;
- 28:01:000000:36, расположенный в квартале 744.
Графическое описание местоположения границ публичного сервитута:

Заинтересованные лица в течение тридцати дней со дня опубликования настоящего сообщения могут ознакомиться с поступившим ходатайством об установлении публичного сервитута и прилагаемым к нему описанием местоположения границ публичного сервитута по адресу: г. Благовещенск, ул. Ленина, 133, каб. 222, в рабочие дни с 09-00 до 18-00 (обеденный перерыв с 13-00 до 14-00) (официальный сайт администрации города Благовещенска – www.благовещенск.рф).
Правообладатели земельных участков, если их права не зарегистрированы в Едином государственном реестре недвижимости, в течение тридцати дней со дня опубликования настоящего сообщения могут подать заявление об учете их прав (обременений прав) на земельный участок с приложением копий документов, подтверждающих эти права (обременения прав), с указанием почтового адреса и (или) адреса электронной почты.
Сообщение о возможном установлении публичного сервитута
В соответствии с п. 3 ст. 39.42 Земельного кодекса Российской Федерации администрация города Благовещенска информирует о рассмотрении ходатайства АО «ДРСК» об установлении публичного сервитута для размещения линии электропередач ВЛ-110 Птицефабрика в отношении:
1. земельных участков с кадастровыми номерами:
- 28:01:040001:196, расположенный в квартале 744;
- 28:01:200019:26, расположенный в квартале 530;
- 28:01:200019:29, расположенный в квартале 530;
- 28:01:200019:27, расположенный в квартале 530;
- 28:01:200019:28, расположенный в квартале 530;
- 28:01:200019:2, расположенный в квартале 530;
- 28:01:090019:54, расположенный в с. Садовое, квартале С-19;
- 28:01:090019:56, расположенный в с. Садовое, квартале С-19;
- 28:01:090019:55, расположенный в с. Садовое, квартале С-19;
- 28:01:090017:36, расположенный в с. Садовое, квартале С-17;
- 28:01:020001:82, расположенный в п. Мясокомбинат, квартале МК-1;
- 28:01:170138:70, расположенный в районе коллективных садов;
- 28:01:170137:15, расположенный в с. Садовое, квартале С-30;
- 28:01:170136:59, расположенный в районе коллективных садов;
- 28:01:000000:11551, расположенный в СПУ-6;
- 28:01:170130:110, расположенный в районе коллективных садов;
- 28:01:170130:111, расположенный в районе коллективных садов;
- 28:01:170130:109, расположенный в районе коллективных садов;
- 28:01:170147:43, расположенный в районе коллективных садов;
- 28:01:170160:230, расположенный в п. Сады Винзавода, квартале СВ-2;
- 28:01:170160:231, расположенный в СПУ-6;
- 28:01:170160:229, расположенный в СПУ-6;
2. земель, расположенных в кадастровых кварталах: 28:01:040001, 28:01:200019, 28:01:090018, 28:01:090003, 28:01:090004, 28:01:090005, 28:01:090017, 28:01:020001, 28:01:170138, 28:01:170137, 28:01:170136, 28:01:170143, 28:01:170144, 28:01:170146, 28:01:170130, 28:01:170147, 28:01:170160, 28:01:170150.
Графическое описание местоположения границ публичного сервитута:

Заинтересованные лица в течение тридцати дней со дня опубликования настоящего сообщения могут ознакомиться с поступившим ходатайством об установлении публичного сервитута и прилагаемым к нему описанием местоположения границ публичного сервитута по адресу: г. Благовещенск, ул. Ленина, 133, каб. 222, в рабочие дни с 09-00 до 18-00 (обеденный перерыв с 13-00 до 14-00) (официальный сайт администрации города Благовещенска – www.благовещенск.рф).
Правообладатели земельных участков, если их права не зарегистрированы в Едином государственном реестре недвижимости, в течение тридцати дней со дня опубликования настоящего сообщения могут подать заявление об учете их прав (обременений прав) на земельный участок с приложением копий документов, подтверждающих эти права (обременения прав), с указанием почтового адреса и (или) адреса электронной
почты.
Календарь событий
Администрация города сообщает
Информация
Документы
№ 2835 от 29.05.2026 О внесении изменений в постановление мэра города Благовещенска от 30.05.2005 № 1456 «Об утверждении Положения об управлении образования администрации г. Благовещенска»
№ 2832 от 29.05.2026 О внесении изменений в муниципальную программу «Развитие потенциала молодежи города Благовещенска», утвержденную постановлением администрации города Благовещенска от 30.10.2024 № 5325

